アプリで簡単 物件探し 通知 共有 アプリならではの機能を使ってみる
RSS

渋谷区(東京都) の第1種低層地域の土地(宅地・分譲地・売地) 物件一覧

東京都渋谷区の第1種低層地域の土地、分譲地、売地、宅地などの土地物件をご紹介します。売り地、分譲土地、住宅用土地などの土地情報を探すならgoo住宅・不動産。価格・土地面積・建築条件・立地・人気のこだわり条件から物件を簡単検索。理想の物件探しをgoo住宅・不動産がサポートします。

第1種低層地域の土地物件特集
住環境の整った土地を購入したい方におすすめなのが、第一種低層地域です。第一種低層地域は、高層の建物を建てられない戸建てエリアです。高い建物によって日光が遮断されない、住宅街なので騒音トラブルが少ないなどのメリットがある地域なので、住みやすさを感じられますよ。ここで第一種低層地域の土地を紹介するので、引っ越しを検討している方はぜひチェックしてみてくださいね。

第1種低層地域の土地物件特集

探したい物件のエリア・検索条件を変更して再検索

エリア
検索条件 立地・特徴:1種低層地域
41 並び替え
チェックした物件を一括で
選択 物件タイプ
画像
所在地/交通
(駅/バス 所要時間)
価格
坪単価
土地面積 用途地域
建築条件
建ぺい率
容積率

東京都渋谷区上原2丁目 土地

  • 土地
  • 東京都渋谷区上原2丁目 土地
    間取り図
東京都渋谷区上原2丁目
東京メトロ千代田線 代々木上原駅 徒歩7分
小田急電鉄小田原線 東北沢駅 徒歩11分
48800
万円

870.81万円
185.27m2 1種低層
なし
60%
150%
  • 建築条件なし
  • 更地
  • 南道路
  • 本下水
  • 都市ガス
  • 角地
  • 1種低層地域
おすすめポイント
◆支持中文 ◆English available ◇Please contact by email ※ネイティブレベルで中国語、英語対応可能なスタッフ在籍
株式会社リードホーム
new

東京都渋谷区神山町 土地

  • 土地
  • 東京都渋谷区神山町 土地
    間取り図
東京都渋谷区神山町
東京メトロ千代田線 代々木公園駅 徒歩9分
JR山手線 渋谷駅 徒歩12分
東急東横線 渋谷駅 徒歩12分
270000
万円
498.67m2 1種低層
なし
60%
150%
  • 建築条件なし
  • 南道路
  • 上物有り
  • 1種低層地域
野村不動産ソリューションズ(株)レアリア東京
new

東京都渋谷区松濤2 土地

  • 土地
  • 東京都渋谷区松濤2 土地
東京都渋谷区松濤2
京王井の頭線 渋谷駅 徒歩11分
京王井の頭線 神泉駅 徒歩6分
京王井の頭線 駒場東大前駅 徒歩13分
449000
万円
1081m2 1種低層
なし
60%
150%
  • 建築条件なし
  • 本下水
  • 都市ガス
  • 上物有り
  • 1種低層地域
(株)北神土地建物
new

東京都渋谷区松濤1 土地

  • 土地
  • 東京都渋谷区松濤1 土地
    間取り図
東京都渋谷区松濤1
東急田園都市線 渋谷駅 徒歩12分
JR山手線 渋谷駅 徒歩15分
京王井の頭線 神泉駅 徒歩12分
136000
万円
356.95m2 1種低層
なし
60%
150%
  • 建築条件なし
  • 更地
  • 1種低層地域
おすすめポイント
建築条件は御座いません現況は更地です(隣地境界立会い済み)前面道路は北側公道約6.7Mの幅員です大使館も立ち並ぶ閑静な住宅街都心にありながらもその静けさは格別です池や水車があり四季を感じる鍋島公園もございます
(株)ケン・コーポレーション飯田橋支店
new

東京都渋谷区松濤2 土地

  • 土地
  • 東京都渋谷区松濤2 土地
    間取り図
東京都渋谷区松濤2
JR山手線 渋谷駅 徒歩14分
東京メトロ半蔵門線 渋谷駅 徒歩14分
東急田園都市線 渋谷駅 徒歩14分
120000
万円
207.08m2 1種低層
なし
60%
150%
  • 建築条件なし
  • 更地
  • 1種低層地域
野村不動産ソリューションズ(株)レアリア東京
new

東京都渋谷区松濤1 土地

  • 土地
  • 東京都渋谷区松濤1 土地
    間取り図
東京都渋谷区松濤1
JR山手線 渋谷駅 徒歩14分
京王井の頭線 神泉駅 徒歩10分
307200
万円
441.34m2 1種低層
なし
60%
150%
  • 建築条件なし
  • 本下水
  • 都市ガス
  • 1種低層地域
  • 整形地
おすすめポイント
■おすすめポイント ○ 大使館や美術館、公園が点在する閑静な住宅地「松濤」アドレス ○ 渋谷の商業エリアに近い一方で、緑豊かな公園や静かな通りが多く、都心でありながら落ち着いた暮らしが可能 ○ 公簿面積441.34平米の敷地 ○ 南側前面道路幅員約6m、接道間口約16m ○ 更地渡し ○ 建築条件なし。お好きなメーカーをお選びいただけます。 ○ 建物参考プランあり
三井のリアルプラン青山サロン三井不動産リアルティ(株)
new

東京都渋谷区元代々木町 土地

  • 土地
  • 東京都渋谷区元代々木町 土地
    間取り図
東京都渋谷区元代々木町
東京メトロ千代田線 代々木上原駅 徒歩6分
東京メトロ千代田線 代々木公園駅 徒歩5分
160000
万円
522.38m2 1種低層
なし
60%
150%
  • 建築条件なし
  • 1種低層地域
(有)アートファイブ

東京都渋谷区西原2 土地

  • 土地
  • 東京都渋谷区西原2 土地
    間取り図
東京都渋谷区西原2
小田急線 代々木上原駅 徒歩6分
京王新線 幡ヶ谷駅 徒歩9分
小田急線 代々木八幡駅 徒歩14分
37480
万円
195m2 1種低層
なし
60%
150%
  • 建築条件なし
  • 本下水
  • 都市ガス
  • 1種低層地域
おすすめポイント
◆「代々木上原」駅まで徒歩6分の好立地◆整形地 間口9m超 眺望良好◆建物参考プランあります!延床280㎡超も実現可能!◆一級建築士があなただけの邸宅をデザインします!◆代々木上原アクセス至便ながら閑静で良好な住環境□□□ NOT OLD,BE CLASSIC. □□□■ウォールメイトは【かかりつけの不動産屋】として、徹底的にまで顧客主義を貫く事をお約束いたします。■都心エリアに特化した情報網を駆使し、最良の不動産をご提案。■住宅ローンシュミレーション FP無料相談会 随時開催中。~弊社HP~ https://wallmate.co.jp
(株)WALLMATE不動産下北沢支店

東京都渋谷区初台2 土地

  • 建築条件付土地
  • 東京都渋谷区初台2 建築条件付土地
    間取り図
東京都渋谷区初台2
京王新線 初台駅 徒歩7分
小田急線 代々木八幡駅 徒歩10分
東京メトロ千代田線 代々木公園駅 徒歩13分
13280
万円
104.31m2 1種低層
あり
60%
150%
  • 更地
  • 南道路
  • 本下水
  • 都市ガス
  • 即引渡し可
  • 1種低層地域
おすすめポイント
●建築条件はございませんのでお好きなハウスメーカーで建築可能です。●南道路に面しまして日当り良好です。●プラ作成無料で承ります。●条件外しご相談くださいませ。
(株)住建ハウジング営業2課

東京都渋谷区富ヶ谷1 土地

  • 土地
  • 東京都渋谷区富ヶ谷1 土地
    間取り図
東京都渋谷区富ヶ谷1
小田急線 代々木八幡駅 徒歩7分
小田急線 代々木八幡駅 徒歩15分
JR山手線 渋谷駅 徒歩18分
43000
万円
184.38m2 1種低層
なし
60%
150%
  • 建築条件なし
  • 本下水
  • 都市ガス
  • 上物有り
  • 1種低層地域
  • 整形地
おすすめポイント
■渋谷区富ヶ谷アドレス■有効宅地面積176.88m2(約53.44坪)■建築条件はありません。ご希望のハウスメーカーにて建築できます。■第一種低層住居地域内のため、周辺は閑静な住宅地です。■複数路線利用可能な立地です。 小田急線「代々木八幡駅」徒歩7分、「代々木上原」駅 徒歩14分 東京メトロ千代田線「代々木公園」駅 徒歩7分 JR線「渋谷」駅 徒歩18分~周辺環境~●マルエツプチ富ヶ谷一丁目店まで約210m●成城石井富ヶ谷店まで約360m●セブンイレブン渋谷代々木公園店まで約210m●渋谷区立富谷小学校まで約650m●渋谷区立上原中学校まで約1500m
三菱地所ハウスネット(株)新宿営業所

東京都渋谷区初台2 土地

  • 土地
  • 東京都渋谷区初台2 土地
    間取り図
東京都渋谷区初台2
京王新線 初台駅 徒歩8分
小田急線 代々木八幡駅 徒歩10分
東京メトロ千代田線 代々木公園駅 徒歩11分
13280
万円
104.31m2 1種低層
なし
60%
150%
  • 建築条件なし
  • 更地
  • 本下水
  • 都市ガス
  • 1種低層地域
おすすめポイント
■土地面積:104.31㎡(31.5坪)建築条件なし、お好みのハウスメーカーにて建築いただけます■3駅3路線使えて、通勤・通学にも便利■京王線「初台」駅 徒歩9分■小田急線「代々木八幡」駅 徒歩10分■東京メトロ千代田線「代々木公園」 徒歩11分■初台2丁目アドレス■第一種低層住居専用地域・準住居地域■建ぺい率:60%・60%■容積率:150%・400%■道路:南側 私道 4m┏□周辺環境■オーケー初台店……約300m(徒歩約4分)■セブンイレブン初台店……約400m(徒歩5分)■代々木公園……約900m(徒歩約12分)
東急リバブル(株)代々木上原センター

東京都渋谷区笹塚3 土地

  • 土地
  • 東京都渋谷区笹塚3 土地
東京都渋谷区笹塚3
京王線 笹塚駅 徒歩9分
京王線 代田橋駅 徒歩10分
東京メトロ丸ノ内線 方南町駅 徒歩16分
11990
万円
136.53m2 1種低層
なし
60%
150%
  • 建築条件なし
  • 本下水
  • 都市ガス
  • 上物有り
  • 1種低層地域
おすすめポイント
■建築条件無し■アクセス・京王線「笹塚」駅徒歩9(約700m)・京王線「代田橋」駅徒歩10分(約780m)・丸ノ内線「方南町」駅徒歩16分(約1220m)■周辺環境・笹塚小学校  徒歩10分(約740m)・笹塚中学校  徒歩9分(約690m)・セブンイレブン方南一丁目店 徒歩2分(約120m)・ライフ笹塚店  徒歩8分(約640m)
住友林業ホームサービス(株)城南支店

東京都渋谷区西原1 土地

  • 土地
  • 東京都渋谷区西原1 土地
    間取り図
東京都渋谷区西原1
小田急線 代々木上原駅 徒歩9分
東京メトロ千代田線 代々木上原駅 徒歩9分
26800
万円
126.76m2 1種低層
なし
60%
150%
  • 建築条件なし
  • 更地
  • 都市ガス
  • 1種低層地域
おすすめポイント
-物件のおすすめポイント-▼立地・小田急電鉄小田原線/東京メトロ千代田線「代々木上原」駅 徒歩9分・第一種低層住居専用地域内の高台▼特徴・土地面積126.76平米(約38.34坪)の売土地・建築条件付宅地販売ではないため、お好きなハウスメーカー・工務店で建築可能・建物プラン例有・現況更地・敷地面積の最低限度:170平米→条例の施行日時点で登記されている一筆の土地等、もともと最低限度面積未満の敷地をそのままの形態で使用する場合は、当該規定が適用されず、建築することが可能です。
三井のリアルプラン麻布十番サロン三井不動産リアルティ(株)

東京都渋谷区上原2 土地

  • 土地
  • 東京都渋谷区上原2 土地
    間取り図
東京都渋谷区上原2
小田急線 代々木上原駅 徒歩9分
京王井の頭線 駒場東大前駅 徒歩12分
小田急線 東北沢駅 徒歩11分
48800
万円
183.84m2 1種低層
なし
60%
150%
  • 建築条件なし
  • 更地
  • 南道路
  • 本下水
  • 都市ガス
  • 角地
  • 1種低層地域
  • 整形地
おすすめポイント
≪周辺環境≫◆邸宅が並ぶ閑静な住宅地◆千代田線代々木上原駅から徒歩約9分◆3路線3駅利用可能◆通勤通学に便利な立地◆上原小学校まで徒歩約2分!お子様の通学も安心≪建築条件なし売地≫◆土地面積広々約55.61坪◆南西角地!日当り良好◆間口20m強の多彩なプランニング可能な整形地◆建築条件はございません◆お好きなハウスメーカーで建築可能です中国語対応も可能です◎お気軽にお問い合わせください。お問い合わせは【フリーダイヤル:0120-133-468】まで♪♪
(株)シルバシティ

東京都渋谷区上原2 土地

  • 土地
  • 東京都渋谷区上原2 土地
    間取り図
東京都渋谷区上原2
小田急線 代々木上原駅 徒歩9分
小田急線 東北沢駅 徒歩11分
京王井の頭線 駒場東大前駅 徒歩12分
48800
万円
185.27m2 1種低層
なし
60%
150%
  • 建築条件なし
  • 更地
  • 南道路
  • 本下水
  • 都市ガス
  • 角地
  • 即引渡し可
  • 1種低層地域
おすすめポイント
◆複数台ガレージも、広大なルーフバルコニーも、全てが叶う広々とした55坪◆建築プランの提案お任せください!□□□□ NOT OLD,BE CLASSIC. □□□□■ウォールメイトは【かかりつけの不動産屋】として、徹底的にまで顧客主義を貫く事をお約束いたします。■城西エリアに特化した情報網を駆使し、最良の不動産をご提案。■住宅ローンシュミレーション無料相談会 毎日随時開催中。■ウォールメイトオリジナルの住宅購入・住替え等について分かりやすく解説したガイドブックをご希望者様に【無料プレゼント】~弊社ホームページ~https://wallmate.co.jp/~
(株)WALLMATE不動産下北沢支店

東京都渋谷区上原2 土地

  • 土地
  • 東京都渋谷区上原2 土地
    間取り図
東京都渋谷区上原2
東京メトロ千代田線 代々木上原駅 徒歩9分
小田急線 代々木上原駅 徒歩9分
京王井の頭線 駒場東大前駅 徒歩12分
48800
万円
185.27m2 1種低層
なし
60%
150%
  • 建築条件なし
  • 更地
  • 南道路
  • 角地
  • 1種低層地域
おすすめポイント
-物件のおすすめポイント-▼立地・東京メトロ千代田線・小田急電鉄小田原線「代々木上原」駅 徒歩9分 他・第一種低層住居専用地域▼特徴・土地面積185.27平米(約56.04坪)※セットバック約1.43平米を含む・建築条件付宅地販売ではありません・現況更地のため、プラン確定後はスムーズに建築へ移行可▼周辺環境・スーパー「マルエツ代々木上原店」徒歩8分(約570m)・区立上原小学校 徒歩4分(約270m)・ファミリーマート駒場四丁目店 徒歩3分(約210m)■ ご希望の住まい探しをお手伝いします ━━━━━・・・物件の詳細・ご相談はお気軽にお問い合わせください。
三井のリハウス代々木上原センター三井不動産リアルティ(株)

東京都渋谷区上原2 土地

  • 土地
  • 東京都渋谷区上原2 土地
    間取り図
東京都渋谷区上原2
東京メトロ千代田線 代々木上原駅 徒歩9分
小田急線 代々木八幡駅 徒歩10分
京王井の頭線 駒場東大前駅 徒歩16分
54800
万円
222.32m2 1種低層
なし
60%
150%
  • 建築条件なし
  • 1種低層地域
  • 整形地
おすすめポイント
■□■□■□■□■□■□■□■□■□■□■□■□■□■□☆現況上物有り→解体後更地にて引渡し予定☆建物解体は2025年11月完了予定☆交通情報☆小田急線「代々木上原」駅徒歩9分千代田線「代々木上原」駅徒歩9分☆接道状況☆北東側公道 幅員約5.08m 間口約8.73m☆新型コロナウイルス感染症拡大防止対策☆・手洗い、うがいの徹底・マスク着用・営業車両の除菌及び換気・アルコール消毒液の常備☆ご予約・物件詳細のお問合せ先☆青山リアルエステート株式会社 電話番号/03-6427-6801■□■□■□■□■□■□■□■□■□■□■□■□■□■□
青山リアルエステート(株)

東京都渋谷区広尾2 土地

  • 土地
  • 東京都渋谷区広尾2 土地
    間取り図
東京都渋谷区広尾2
東京メトロ日比谷線 広尾駅 徒歩11分
JR埼京線 恵比寿駅 徒歩10分
24000
万円
165m2 1種低層
なし
60%
150%
  • 建築条件なし
  • 本下水
  • 都市ガス
  • 上物有り
  • 1種低層地域
おすすめポイント
-物件のおすすめポイント-▼立地・JR埼京線・山手線「恵比寿」駅 徒歩10分・東京メトロ日比谷線「広尾」駅 徒歩11分・第一種低層住居専用地域▼特徴・土地面積165平米(約49.91坪)・接道幅は約16.8mと広く、スペースを有効活用可能・周囲には既に建物があり、近隣状況等を考慮したプランニングが可能・お好きなハウスメーカー・工務店で建築可能・都市ガスに対応・現況古家有、詳細はお問い合わせください※所有権移転に伴い、借地契約は新規で締結が必要です■ ご希望の住まい探しをお手伝いします ━━━━━・・・物件の詳細・ご相談はお気軽にお問い合わせください。
三井のリアルプラン麻布サロン三井不動産リアルティ(株)

東京都渋谷区恵比寿3 土地

  • 土地
  • 東京都渋谷区恵比寿3 土地
    間取り図
東京都渋谷区恵比寿3
JR山手線 恵比寿駅 徒歩11分
69800
万円
247.18m2 1種低層
なし
60%
150%
  • 建築条件なし
  • 南道路
  • 都市ガス
  • 上物有り
  • 1種低層地域
おすすめポイント
Access・JR山手線、埼京線、湘南新宿ライン、東京メトロ日比谷線「恵比寿」駅まで徒歩11分Salespoint・南、東の2方向接道・南側公道に約9.8m接道・容積率150%・高台に位置・建築条件付き土地ではございません
住友不動産ステップ(株)目黒営業センター
チェックした物件を一括で

東京都渋谷区初台2 土地

  • 土地
  • 東京都渋谷区初台2 土地
    間取り図
東京都渋谷区初台2
京王新線 初台駅 徒歩8分
小田急線 代々木八幡駅 徒歩12分
小田急線 参宮橋駅 徒歩13分
13280
万円
104.31m2 1種低層
なし
60%
150%
  • 建築条件なし
  • 更地
  • 南道路
  • 本下水
  • 都市ガス
  • 即引渡し可
  • 1種低層地域
おすすめポイント
♪お問合せは【0120-566-117】♪         快適な毎日を演出する☆―――――・・・  物件の特徴  ・・・―――――☆◆建物150平米(車庫面積10.83㎡含む)建築可能◇間口約9.7m自由度の高い間取りが実現◆初台駅8分で利便性があります!◇高台エリアで水害リスク軽減!まずは、現地をご案内させていただきます!☆―――――・・・  ―☆―  ・・・―――――☆
(株)アドキャスト笹塚支店

東京都渋谷区松濤1 土地

  • 土地
  • 東京都渋谷区松濤1 土地
    間取り図
東京都渋谷区松濤1
京王井の頭線 神泉駅 徒歩9分
JR山手線 渋谷駅 徒歩14分
39800
万円
106.9m2 1種低層
なし
60%
150%
  • 建築条件なし
  • 本下水
  • 都市ガス
  • 上物有り
  • 1種低層地域
おすすめポイント
========================== ! ! 新 着 物 件 ! !==========================◆アクセス ◯京王井の頭線「神泉」駅徒歩9分 ◯JR山手線他「渋谷」駅徒歩14分◆土地面積(公簿):106.90㎡(約32.34坪)◆用途地域:第一種低層住居専用地域◆建ぺい率:60%◆容積率:150%
(株)S&Yプロパティ

東京都渋谷区上原2 土地

  • 土地
  • NO PHOTO
東京都渋谷区上原2
小田急線 代々木上原駅 徒歩9分
小田急線 東北沢駅 徒歩11分
京王井の頭線 駒場東大前駅 徒歩12分
48800
万円
183.84m2 1種低層
なし
60%
150%
  • 建築条件なし
  • 更地
  • 南道路
  • 本下水
  • 都市ガス
  • 角地
  • 1種低層地域
  • 整形地
おすすめポイント
----◇ 交通アクセス ◇-----------------------・小田急線【代々木上原】駅徒歩約9分・京王井の頭線【駒場東大前】駅徒歩約12分----◇ 大和・アクタス おすすめポイント ◇-・通風&日当たり良好な角地!・建築条件がないのでお好きなハウスメーカーで建てられます!・徒歩圏内(約3分)には緑豊かな駒場公園があり休日のお散歩にピッタリ!----◇ ご見学アナウンス ◇------------------■即日ご見学可能です!■ご案内・物件詳細・周辺物件のご請求はお気軽にどうぞ!※お電話の場合:TEL:0120-105-111(通話無料)
(株)大和・アクタス高円寺駅前店

東京都渋谷区上原2 土地

  • 土地
  • 東京都渋谷区上原2 土地
    間取り図
東京都渋谷区上原2
小田急線 代々木上原駅 徒歩9分
京王井の頭線 駒場東大前駅 徒歩12分
小田急線 東北沢駅 徒歩11分
48800
万円
183.84m2 1種低層
なし
60%
150%
  • 建築条件なし
  • 更地
  • 南道路
  • 本下水
  • 都市ガス
  • 角地
  • 即引渡し可
  • 1種低層地域
おすすめポイント
≪【VECS】渋谷区上原2丁目 PROJECT  特徴≫「陽当り良好、閑静な住宅地、建築条件なし、2沿線以上利用可、周辺交通量少なめ、緑豊かな住宅地、小学校 徒歩2分」。代々木上原アドレスでこの敷地面積は希少性高いです。♪現地内覧予約受付中です♪【資料請求】は上記ボタンよりお進みください。電話からは⇒TEL0120-002-237【通話料無料】♪ご案内内容の目安になります。♪□現地/物件見学(30分~)□資金計画のご相談(30分~)□ご希望条件のご相談(15分~)
(株)VECS(ヴェックス)

東京都渋谷区上原2 土地

  • 土地
  • 東京都渋谷区上原2 土地
    間取り図
東京都渋谷区上原2
小田急線 代々木上原駅 徒歩9分
小田急線 代々木八幡駅 徒歩10分
54800
万円
222.32m2 1種低層
なし
60%
150%
  • 建築条件なし
  • 本下水
  • 都市ガス
  • 1種低層地域
  • 整形地
スケッチライフ(株)

東京都渋谷区広尾3 土地

  • 土地
  • 東京都渋谷区広尾3 土地
東京都渋谷区広尾3
東京メトロ銀座線 表参道駅 徒歩14分
東京メトロ日比谷線 広尾駅 徒歩16分
JR山手線 恵比寿駅 徒歩16分
54800
万円
171.04m2 1種低層
なし
60%
300%
  • 建築条件なし
  • 更地
  • 1種低層地域
  • 整形地
おすすめポイント
お客様にご指名いただけることで、ここまで歩んでくることができました。これもひとえにお客様の温かいお気持ちの支えあってのことで深い感謝しかありません。不動産売買は高額なお取引のため、お客様のリピートやご紹介をいただけることは簡単なことではなく、とても大きな目標成果であります。人とのつながりや温もりをこれからも大切に、社会と「信頼」のパイプでつながり広げていくことを強く心に刻み、不動産業を通して皆様と素敵な輪をつくっていきたいです。
スケッチライフ(株)

東京都渋谷区元代々木町 土地

  • 土地
  • 東京都渋谷区元代々木町 土地
    間取り図
東京都渋谷区元代々木町
小田急線 代々木八幡駅 徒歩6分
東京メトロ千代田線 代々木公園駅 徒歩8分
小田急線 代々木上原駅 徒歩11分
12980
万円
50.78m2 1種低層
なし
60%
150%
  • 建築条件なし
  • 本下水
  • 都市ガス
  • 上物有り
  • 1種低層地域
  • 整形地
おすすめポイント
■小田急線「代々木八幡」駅、 東京メトロ千代田線「代々木公園」駅、そして両線が乗り入れる「代々木上原」駅の3駅を利用可能。新宿、表参道、大手町など都心主要駅へのアクセスも便利です。■代々木公園や代々木八幡宮といった緑深いスポットに囲まれ、落ち着いた邸宅街としての風情が感じられる立地です!■第一種低層住居専用地域に指定されており、良好な住環境が守られています!■明治期に華族が住んでいた歴史もあり、格式高く文化的な背景を持つエリアです!■徒歩圏には「Odakyu OX」「マルマンストア」「まいばすけっと」といったスーパーがあり、日々のお買い物もスムーズです
グローバルトラスト不動産(株)

東京都渋谷区恵比寿3 土地

  • 土地
  • 東京都渋谷区恵比寿3 土地
東京都渋谷区恵比寿3
JR山手線 恵比寿駅 徒歩8分
JR山手線 目黒駅 徒歩12分
東京メトロ南北線 白金台駅 徒歩14分
47800
万円
198.04m2 1種低層
なし
60%
150%
  • 建築条件なし
  • 本下水
  • 都市ガス
  • 上物有り
  • 1種低層地域
  • 整形地
おすすめポイント
☆━━━…‥ ・ 物件の特徴 ・ ‥ …━━━☆◆4線2駅利用可能で主要駅へのアクセス良好♪◆低層エリアの緑豊かな住環境♪◆恵比寿ガーデンプレイスまで徒歩2分の好立地♪◆同仕様モデルハウスのご案内や建物プレゼンテーションも随時受付中♪是非、現地をご確認ください!☆━━━…‥ ・ ━☆━ ・ ‥…━━━☆
(株)アドキャスト

東京都渋谷区上原2 土地

  • 土地
  • 東京都渋谷区上原2 土地
    間取り図
東京都渋谷区上原2
東京メトロ千代田線 代々木上原駅 徒歩9分
京王井の頭線 駒場東大前駅 徒歩12分
48800
万円
185.27m2 1種低層
なし
60%
150%
  • 建築条件なし
  • 更地
  • 南道路
  • 都市ガス
  • 1種低層地域
  • 整形地
おすすめポイント
渋谷区上原2丁目アドレスの南西角地。陽当たり・通風ともに良好で、開放感あふれる約56坪のゆとりある土地です。間口も広く、公道に面した整形地は多彩なプランニングが可能。人気の「代々木上原」駅から徒歩9分の好立地で、都心へのアクセスと落ち着いた住環境を兼ね備えています。□■□■□■□■□■□■□■□■□■ご見学予約承っております!!お気軽にご連絡下さい!!□■□■□■□■□■□■□■□■□■・都心部および城南エリアを中心とする地域密着の会社です♪・本物件については勿論、周辺環境も詳しくご説明いたします。
住まいソリューション 恵比寿営業部文京住販(株)

東京都渋谷区西原2 土地

  • 建築条件付土地
  • 東京都渋谷区西原2 建築条件付土地
    間取り図
東京都渋谷区西原2
東京メトロ千代田線 代々木上原駅 徒歩7分
小田急線 代々木上原駅 徒歩7分
京王新線 幡ヶ谷駅 徒歩9分
34800
万円
170m2 1種低層
あり
60%
150%
  • 南道路
  • 本下水
  • 都市ガス
  • 1種低層地域
  • 整形地
おすすめポイント
グローバルインクでは初期費用の一部をクレジットカードでお支払い頂けます♪詳しくはお気軽にお問合せご相談下さいませ。~グローバルインクセレクション【セロスシリーズ】~■小田急線・千代田線「代々木上原」駅徒歩7分。■京王線「幡ヶ谷」は徒歩9分で2駅3路線利用可。■高台に立地+南東側道路で陽当り・通風良好です。■本地東側には隣地通路×2があり、角地ライクな開放感があります。■敷地面積170平米(50坪以上)の大型地につき、建物面積289平米の邸宅が建築可能。■LDK39帖以上+駐車3台+ウッドデッキ+ルーバル付5LLDKプランあり。【無料】お車送迎サービスを実施しております。
グローバルインク(株)

東京都渋谷区上原2 土地

  • 土地
  • 東京都渋谷区上原2 土地
    間取り図
東京都渋谷区上原2
小田急線 代々木上原駅 徒歩9分
小田急線 東北沢駅 徒歩11分
京王井の頭線 駒場東大前駅 徒歩12分
48800
万円
185.27m2 1種低層
なし
60%
150%
  • 建築条件なし
  • 更地
  • 南道路
  • 1種低層地域
おすすめポイント
◆上原2丁目の中でも立地の良いエリアです。◆建築条件無しの為、お好きなハウスメーカーで建築可能です。◆上原小学校まで徒歩3分。◆参考プラン有詳細等ございましたら、お気軽にお問い合わせくださいませ。
クレストジャパン(株)

東京都渋谷区上原2 土地

  • 土地
  • 東京都渋谷区上原2 土地
    間取り図
東京都渋谷区上原2
小田急線 代々木上原駅 徒歩9分
小田急線 東北沢駅 徒歩10分
京王井の頭線 駒場東大前駅 徒歩12分
48800
万円
183.84m2 1種低層
なし
60%
150%
  • 建築条件なし
  • 更地
  • 南道路
  • 本下水
  • 都市ガス
  • 角地
  • 即引渡し可
  • 1種低層地域
おすすめポイント
快適な毎日を演出する☆―――――・・・  物件の特徴  ・・・―――――☆◆代々木上原駅・東北沢駅・駒場東大前駅が徒歩圏内!小田急線・千代田線・井の頭線の利用可!◇建築条件無し!お好きなハウスメーカーで建築可!◆前面道路4.3m幅員!南西角地!まずは、現地をご案内させていただきます!♪お問合せは【0120-974-313】♪☆―――――・・・  ―☆―  ・・・―――――☆
(株)アドキャスト三軒茶屋支店

東京都渋谷区上原2 土地

  • 土地
  • 東京都渋谷区上原2 土地
    間取り図
東京都渋谷区上原2
東京メトロ千代田線 代々木上原駅 徒歩9分
京王井の頭線 駒場東大前駅 徒歩12分
小田急線 東北沢駅 徒歩11分
48800
万円
183.84m2 1種低層
なし
60%
150%
  • 建築条件なし
  • 更地
  • 南道路
  • 本下水
  • 都市ガス
  • 角地
  • 1種低層地域
  • 整形地
おすすめポイント
グローバルインクでは初期費用の一部をクレジットカードでお支払い頂けます♪詳しくはお気軽にお問合せご相談下さいませ。千代田線・小田急線「代々木上原」駅徒歩9分の至便立地、良好な住環境とアクセス。南・西側を道路に面す角地につき開放感があり陽当り・通風良好です。西側間口は20m以上で圧巻です。整形地のため間取りプランの自由度が高く、お好みの間取りが実現可能。建築条件はありません。お好きなハウスメーカー・工務店にて理想の建物をトコトン追求して頂けます。【無料】お車送迎サービスを実施しております。
グローバルインク(株)

東京都渋谷区上原2 土地

  • 土地
  • 東京都渋谷区上原2 土地
    間取り図
東京都渋谷区上原2
京王井の頭線 駒場東大前駅 徒歩12分
東京メトロ千代田線 代々木上原駅 徒歩9分
小田急線 代々木上原駅 徒歩9分
48800
万円
183.84m2 1種低層
なし
60%
150%
  • 建築条件なし
  • 更地
  • 南道路
  • 本下水
  • 都市ガス
  • 1種低層地域
おすすめポイント
◇◆憧れの注文建築◆◇・お好きなハウスメーカーで自由設計・建築士による無料設計相談実施中・ご家族のお好みに合わせた建築メーカーのご紹介・参考となる新築完成物件のご案内も可能です。・戸建、2世帯住宅、賃貸併用などご検討ください≪ポイント≫・渋谷駅まで自転車で約11分・下北沢駅まで自転車で約7分≪通学域≫上原小学校上原中学校【営業時間】10:00~20:00この時間帯はお電話のお問い合わせがスムーズにご対応できます!お気軽にご連絡ください!
ハウスパートナー(株)

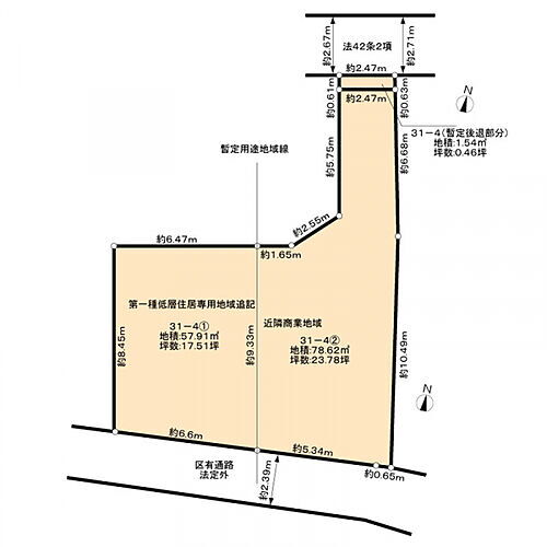
東京都渋谷区上原2丁目 土地

  • 土地
  • 東京都渋谷区上原2丁目 土地
    間取り図
東京都渋谷区上原2丁目
東京メトロ千代田線 代々木上原駅 徒歩9分
京王電鉄井の頭線 駒場東大前駅 徒歩12分
48800
万円

870.74万円
185.27m2 1種低層
なし
60%
150%
  • 建築条件なし
  • 更地
  • 南道路
  • 都市ガス
  • 1種低層地域
おすすめポイント
渋谷区上原2丁目アドレス、南西角地の陽だまり邸宅地。
住まいソリューション恵比寿営業部 文京住販株式会社

東京都渋谷区元代々木町 土地

  • 土地
  • 東京都渋谷区元代々木町 土地
東京都渋谷区元代々木町
東京メトロ千代田線 代々木上原駅 徒歩7分
48500
万円

700.72万円
228.81m2 1種低層
なし
60%
150%
  • 建築条件なし
  • 本下水
  • 都市ガス
  • 上物有り
  • 1種低層地域
おすすめポイント
◆3路線3駅利用可能   ◆土地面積60坪え ◆建築条件無し ◆閑静な住宅街 ◆参考プランあり
株式会社WALLMATE不動産 下北沢支店

東京都渋谷区元代々木町 土地

  • 土地
  • 東京都渋谷区元代々木町 土地
    間取り図
東京都渋谷区元代々木町
小田急電鉄小田原線 代々木八幡駅 徒歩6分
東京メトロ千代田線 代々木公園駅 徒歩8分
12980
万円

845万円
50.78m2 1種低層
なし
60%
150%
  • 建築条件なし
  • 平坦地
  • 本下水
  • 都市ガス
  • 上物有り
  • 1種低層地域
おすすめポイント
小田急線「代々木八幡」駅まで徒歩6分の好立地!■約15.3坪の整形地■建築条件ございませんのでお好きなメーカーさんにてご設計が可能です!■古屋有り
グローバルトラスト不動産株式会社

東京都渋谷区笹塚3丁目 土地

  • 土地
  • 東京都渋谷区笹塚3丁目 土地
    間取り図
東京都渋谷区笹塚3丁目
京王電鉄京王線 笹塚駅 徒歩9分
京王電鉄京王線 代田橋駅 徒歩10分
11990
万円

290.4万円
136.53m2 1種低層
なし
60%
150%
  • 建築条件なし
  • 本下水
  • 都市ガス
  • 上物有り
  • 1種低層地域
おすすめポイント
京王線笹塚駅徒歩9分の41.3坪の売地
住友林業ホームサービス株式会社 城南支店

東京都渋谷区西原2丁目 土地

  • 土地
  • 東京都渋谷区西原2丁目 土地
    間取り図
東京都渋谷区西原2丁目
東京メトロ千代田線 代々木上原駅 徒歩6分
小田急電鉄小田原線 代々木上原駅 徒歩6分
37480
万円

635.39万円
195m2 1種低層
なし
60%
150%
  • 建築条件なし
  • 本下水
  • 都市ガス
  • 上物有り
  • 1種低層地域
おすすめポイント
【WALLMATE限定】 ◆憧れの代々木上原 ◆延床280平米実現可能 ◆「代々木上原」駅まで徒歩6分の好立地 ◆整形地 間口9m 眺望良好 ◆建物参考プランあります!延床280平米も実現可能!
株式会社WALLMATE不動産 下北沢支店

東京都渋谷区上原2丁目 土地

  • 土地
  • 東京都渋谷区上原2丁目 土地
東京都渋谷区上原2丁目
東京メトロ千代田線 代々木上原駅 徒歩9分
小田急電鉄小田原線 代々木上原駅 徒歩9分
48800
万円

870.81万円
185.27m2 1種低層
なし
60%
150%
  • 建築条件なし
  • 更地
  • 南道路
  • 平坦地
  • 本下水
  • 都市ガス
  • 角地
  • 1種低層地域
おすすめポイント
建築条件なしなので、お好きなハウスメーカー等で建築できます♪ オンライン内見対応可
株式会社ケーコーポレーション 本店

東京都渋谷区上原2丁目 土地

  • 土地
  • 東京都渋谷区上原2丁目 土地
東京都渋谷区上原2丁目
東京メトロ千代田線 代々木上原駅 徒歩9分
小田急電鉄小田原線 代々木上原駅 徒歩9分
48800
万円

870.81万円
185.27m2 1種低層
なし
60%
150%
  • 建築条件なし
  • 更地
  • 南道路
  • 平坦地
  • 本下水
  • 都市ガス
  • 角地
  • 1種低層地域
おすすめポイント
建築条件なしなので、お好きなハウスメーカー等で建築できます♪ オンライン内見対応可
株式会社ケーコーポレーション 白山上店
チェックした物件を一括で
  • チェックした物件をまとめて
41
表示件数 12 次へ
OCN×ドコモ光新規お申込みで合計最大137,280円相当おトク!特典の内訳・適用条件など詳細はこちら

条件を選択

価格
土地面積
駅からの時間
建築条件
現況
立地・特徴
条件
画像・動画
情報の新しさ
フリーワード
渋谷区のおすすめ新築一戸建て

渋谷区の新築一戸建て情報をもっと見る

渋谷区の住みやすさ情報

渋谷区ってどんなところ?

渋谷区は、トレンドの最先端をいくアパレルショップや雑貨店、最新のグルメを楽しめるお店が多く、日本における流行の発信地といえます。
渋谷駅周辺は「エンタテイメントシティSHIBUYA」と銘打った再開発事業が進み、渋谷スクランブルスクエアや渋谷ストリームなど、複数の商業施設が建設され、今なお進化しています。
代官山や恵比寿には洗練されたカフェやブティックが立ち並び、大人の雰囲気を楽しめるエリアとして人気です。

街ガイド

高野 友樹

公認不動産コンサルティングマスター/相続対策専門士/宅地建物取引士/賃貸不動産経営管理士

不動産会社にて600件以上の仲介、6000戸の収益物件管理を経験。現在は株式会社高野不動産コンサルティングを設立し、不動産コンサルティングを行う。

一人暮らしの人に聞いた
渋谷区の住みやすさTOP10

  1. 1位公共の交通機関が充実している
  2. 2位都心に近い
  3. 3位飲食店が充実している

夫婦・カップルに聞いた
渋谷区の住みやすさTOP10

  1. 1位公共の交通機関が充実している
  2. 2位都心に近い
  3. 3位必要なものが近場でそろう

ファミリーに聞いた
渋谷区の住みやすさTOP10

  1. 1位都心に近い
  2. 2位公共の交通機関が充実している
  3. 3位飲食店が充実している

※対象エリア周辺に過去5年以内に住んだことのある10代~60代の人を対象としてアンケートを実施し、独自に集計しています。

渋谷区の暮らしデータ

人口などの統計情報

世帯数 149856世帯
人口総数 230609人
転入者数 24064人
転入率(人口1000人当たり)
104.35人
転出者数 22282人
転出率(人口1000人当たり)
96.62人
土地平均価格
住宅地
1394400円/m2
商業地
6619444円/m2

結婚・育児の助成金

子育て関連の独自の取り組み (1)待機児解消のため区立保育室を2ヶ所設置。(2)認可外保育施設に待機児専用の受入枠を23名分確保。(3)スマートフォンアプリ「LINE」を活用した子育て情報の配信サービス。(4)渋谷区子育てネウボラ事業。妊娠から出産そして子育てまでの切れ目のない支援を行う、フィンランド発祥の出産・子育て支援の場「ネウボラ」にならい、それらの支援機能を担う関係所管を「渋谷区子育てネウボラ」に集約。保健師をはじめとするさまざまな専門職員や関係職員が連携して、妊娠、出産、子育て期のさまざまな悩み、不安等の相談に応じたり、健診を行ったり、地域のみんなで子育てをする場として設けている。
出産祝い あり
公立保育所数 18所(うち0歳児保育を実施している保育所:13所)
私立保育所数 39所(うち0歳児保育を実施している保育所:30所)
保育所入所待機児童数 0人
認定こども園数 11園 預かり保育実施園数 公立:5園 私立:13園
学校給食 【小学校】完全給食【中学校】完全給食
公立中学校の学校選択制 実施(選択希望制)
子ども・学生等医療費助成<通院>対象年齢 18歳3月末まで 子ども・学生等医療費助成<入院>対象年齢 18歳3月末まで

渋谷区の治安・ごみ収集情報

公共料金・インフラ

ガス料金(22m3使用した場合の月額) 東京瓦斯株式会社(東京地区等)3926円
水道料金(口径20mmで20m3の月額) 東京都水道局2816円
下水道料金(20m3を使用した場合の月額) 東京都下水道局2068円
下水道普及率 100.0%

安心・安全

建物火災出火件数 110件
人口10000人当たり
4.51件
刑法犯認知件数 3388件
人口1000人当たり
13.89件
ハザード・防災マップ あり

医療

一般病院総数 15ヶ所
一般診療所総数 722ヶ所
小児科医師数 70人
小児人口10000人当たり
29.57人
産婦人科医師数 68人
15~49歳女性人口1万人当たり
11.68人
介護保険料基準額(月額) 6170円

ごみ

家庭ごみ収集(可燃ごみ) 無料
備考
可燃ごみ・不燃ごみ・資源のうち、一時大量排出については有料。
家庭ごみの分別方式 3分別13種〔可燃ごみ 不燃ごみ(金属類、割れ物・刃物などの危険物、ライター) 資源(新聞、雑誌、段ボール、びん、缶、ペットボトル、スプレー缶・カセットボンベ、蛍光管、プラスチック)〕 拠点回収:小型家電 衣類 紙パック 食品用発泡スチロールトレイ 食用油 おもちゃ 食器・調理器具 集団回収:新聞 雑誌 段ボール 紙パック 布類 びん 缶 ペットボトル
家庭ごみの戸別収集 一部実施
粗大ごみ収集 あり
備考
事前申込制(一辺の長さが30cmを超えるもの)。
生ごみ処理機助成金制度 あり
上限金額
20000円
上限比率
50.0%

渋谷区の住まいの給付金

新築建築

利子補給制度 なし
補助/助成金制度 なし

新築購入

利子補給制度 なし
補助/助成金制度 なし
暮らしデータ提供元:生活ガイド.com
※行政機関により公表していない地域及びデータがございます。東京23区以外の政令指定都市は、市全体のデータとして表示しています。
※提供データには細心の注意を払っておりますが、調査後に変更がある場合があります。 最新の情報につきましては各市区役所までお問い合わせいただくか、自治体HPなどをご確認ください。

価格相場

更新日:2025年11月17日

渋谷区の価格相場

  50㎡~80㎡ 80㎡~100㎡ 100㎡~150㎡ 150㎡~200㎡ 200㎡以上
土地 15966万円 14997万円 31131万円 48104万円 180806万円

周辺エリアの価格相場

  港区 新宿区 目黒区 世田谷区 中野区
土地 28517万円 10463万円 11081万円 7911万円 7609万円
※このデータはgoo住宅・不動産に掲載されている土地の平均価格(管理費・駐車場代などを除く)を算出したものです。ただし5戸以上の掲載があるものについてのみ対象とします。
※周辺エリアの価格相場は広さ50㎡~80㎡の平均価格(管理費・駐車場代などを除く)を算出したものです。

東京都の人気の街アクセスランキング(土地)

※このランキングは2025年10月01日~31日における各ページのアクセス数から算出しています。

東京都渋谷区の人気の特集から土地物件を探す

特徴

アプリで簡単 物件探し 大手不動産サイトの情報から一括検!プッシュ通知で物件を見逃さない
App Storeからダウンロード Google Playで手に入れよう QRコード