アプリで簡単 物件探し 通知 共有 アプリならではの機能を使ってみる
RSS

南平駅(東京都)の土地(宅地・分譲地・売地) 物件一覧

南平駅(東京都)の土地、分譲地、売地、宅地などの土地物件をご紹介します。売り地、分譲土地、住宅用土地などの土地情報を探すならgoo住宅・不動産。価格・土地面積・建築条件・立地・人気のこだわり条件から物件を簡単検索。理想の物件探しをgoo住宅・不動産がサポートします。

44 並び替え
チェックした物件を一括で
選択 物件タイプ
画像
所在地/交通
(駅/バス 所要時間)
価格
坪単価
土地面積 用途地域
建築条件
建ぺい率
容積率

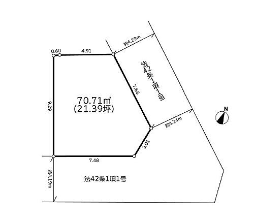
東京都日野市東豊田1丁目 土地

  • 建築条件付土地
  • 東京都日野市東豊田1丁目 建築条件付土地
東京都日野市東豊田1丁目
中央本線 豊田駅 徒歩20分
京王電鉄京王線 南平駅 徒歩18分
2300
万円

107.58万円
70.71m2 準住居
あり
60%
200%
  • 更地
  • 本下水
  • 都市ガス
  • 角地
おすすめポイント
ハウジングスカイの「諸費用節約対象物件」です。「南平」駅徒歩18分。建築条件付売地。条件外し応相談。
ハウジングスカイ株式会社

東京都日野市東豊田1丁目 土地

  • 建築条件付土地
  • 東京都日野市東豊田1丁目 建築条件付土地
東京都日野市東豊田1丁目
中央本線 豊田駅 徒歩20分
京王電鉄京王線 南平駅 徒歩18分
2300
万円

107.53万円
70.71m2 準住居
あり
60%
200%
  • 更地
  • 本下水
  • 都市ガス
  • 角地
おすすめポイント
北東・南東角地 土地面積21.3坪 建築条件付 近隣には教育施設・生活施設があり住環境良好です お気軽にお問い合わせください
株式会社東宝ハウス立川

東京都日野市東豊田1丁目 土地

  • 建築条件付土地
  • 東京都日野市東豊田1丁目 建築条件付土地
東京都日野市東豊田1丁目
中央本線 豊田駅 徒歩20分
京王電鉄京王線 南平駅 徒歩18分
2300
万円

107.53万円
70.71m2 準住居
あり
60%
200%
  • 更地
  • 平坦地
  • 本下水
  • 都市ガス
  • 角地
おすすめポイント
☆JR中央線、京王線、2路線利用可能 ☆南東角地の明るく開放的な立地 ☆自然豊かで静かな住環境。落ち着いた時間が流れます。 ☆条件外し応相談!200%の容積率で自由度の高い設計が可能。
朝日土地建物株式会社 八王子支店 営業2課

東京都日野市東豊田1丁目 土地

  • 建築条件付土地
  • 東京都日野市東豊田1丁目 建築条件付土地
    間取り図
東京都日野市東豊田1丁目
中央本線 豊田駅 徒歩20分
京王電鉄京王線 南平駅 徒歩18分
2300
万円

107.53万円
70.71m2 準住居
あり
60%
200%
  • 更地
  • 本下水
  • 都市ガス
  • 角地
株式会社藤和ハウス インターネットお問い合わせセンター

東京都日野市平山4丁目 土地

  • 土地
  • 東京都日野市平山4丁目 土地
    間取り図
東京都日野市平山4丁目
京王電鉄京王線 平山城址公園駅 徒歩8分
京王電鉄京王線 南平駅 徒歩12分
3880
万円

106.75万円
120.16m2 1種低層
なし
50%
100%
  • 建築条件なし
  • 更地
  • 本下水
  • 都市ガス
  • 1種低層地域
おすすめポイント
日野市平山4丁目に全14区画の新たな街区が誕生します! 京王線「平山城址公園」駅 徒歩8分とアクセス良好! 周辺環境も合わせてご案内いたします。お気軽にお問い合わせくださいませ。
株式会社藤和ハウス インターネットお問い合わせセンター

東京都日野市平山4丁目 土地

  • 土地
  • 東京都日野市平山4丁目 土地
    間取り図
東京都日野市平山4丁目
京王電鉄京王線 平山城址公園駅 徒歩8分
京王電鉄京王線 南平駅 徒歩12分
3880
万円

106.74万円
120.17m2 1種低層
なし
50%
100%
  • 建築条件なし
  • 更地
  • 本下水
  • 都市ガス
  • 1種低層地域
おすすめポイント
日野市平山4丁目に全14区画の新たな街区が誕生します! 京王線「平山城址公園」駅 徒歩8分とアクセス良好! 周辺環境も合わせてご案内いたします。お気軽にお問い合わせくださいませ。
株式会社藤和ハウス インターネットお問い合わせセンター

東京都日野市平山4丁目 土地

  • 土地
  • 東京都日野市平山4丁目 土地
    間取り図
東京都日野市平山4丁目
京王電鉄京王線 平山城址公園駅 徒歩8分
京王電鉄京王線 南平駅 徒歩12分
3880
万円

106.76万円
120.15m2 1種低層
なし
50%
100%
  • 建築条件なし
  • 更地
  • 本下水
  • 都市ガス
  • 1種低層地域
おすすめポイント
日野市平山4丁目に全14区画の新たな街区が誕生します! 京王線「平山城址公園」駅 徒歩8分とアクセス良好! 周辺環境も合わせてご案内いたします。お気軽にお問い合わせくださいませ。
株式会社藤和ハウス インターネットお問い合わせセンター

東京都日野市平山4丁目 土地

  • 土地
  • 東京都日野市平山4丁目 土地
東京都日野市平山4丁目
京王電鉄京王線 平山城址公園駅 徒歩9分
京王電鉄京王線 南平駅 徒歩13分
3880
万円

106.74万円
120.17m2 1種低層
なし
50%
100%
  • 建築条件なし
  • 更地
  • 南道路
  • 平坦地
  • 本下水
  • 都市ガス
  • 即引渡し可
  • 1種低層地域
おすすめポイント
◆全14棟のゆとり溢れる美しい分譲住宅地となります ◆建築条件無しの整形地で土地を最大限有効活用することができます ◆約36坪の土地でお好みのお家を ◆前面道路の幅員が約6mと出入のしやすい環境です
朝日土地建物株式会社 八王子支店 営業3課

東京都日野市平山4丁目 土地

  • 土地
  • 東京都日野市平山4丁目 土地
東京都日野市平山4丁目
京王電鉄京王線 平山城址公園駅 徒歩9分
京王電鉄京王線 南平駅 徒歩13分
3880
万円

106.76万円
120.15m2 1種低層
なし
50%
100%
  • 建築条件なし
  • 更地
  • 南道路
  • 平坦地
  • 本下水
  • 都市ガス
  • 即引渡し可
  • 1種低層地域
おすすめポイント
◆全14棟のゆとり溢れる美しい分譲住宅地となります ◆建築条件無しの整形地で土地を最大限有効活用することができます ◆約36坪の土地でお好みのお家を ◆前面道路の幅員が約6mと出入のしやすい環境です
朝日土地建物株式会社 八王子支店 営業3課

東京都日野市平山4丁目 土地

  • 土地
  • 東京都日野市平山4丁目 土地
東京都日野市平山4丁目
京王電鉄京王線 平山城址公園駅 徒歩9分
京王電鉄京王線 南平駅 徒歩13分
3880
万円

106.75万円
120.16m2 1種低層
なし
50%
100%
  • 建築条件なし
  • 更地
  • 南道路
  • 平坦地
  • 本下水
  • 都市ガス
  • 即引渡し可
  • 1種低層地域
おすすめポイント
◆全14棟のゆとり溢れる美しい分譲住宅地となります ◆建築条件無しの整形地で土地を最大限有効活用することができます ◆約36坪の土地でお好みのお家を ◆前面道路の幅員が約6mと出入のしやすい環境です
朝日土地建物株式会社 八王子支店 営業3課

東京都日野市南平9丁目 土地

  • 土地
  • 東京都日野市南平9丁目 土地
    間取り図
東京都日野市南平9丁目
京王電鉄京王線 南平駅 徒歩11分
京王電鉄京王線 平山城址公園駅 徒歩18分
1780
万円

31.07万円
189.4m2 1種低層
なし
40%
80%
  • 建築条件なし
  • 更地
  • 平坦地
  • 本下水
  • 都市ガス
  • 即引渡し可
  • 1種低層地域
おすすめポイント
☆南平駅徒歩11分 ☆約57坪の大きな土地のためにプラン色々できます ☆現況更地 ☆建築条件なしのためにお好きな建物メーカーで建築できます ☆水道管、下水道、都市ガス引き込み済のために安心です
朝日土地建物株式会社 八王子支店 営業3課

東京都日野市平山3丁目 土地

  • 土地
  • 東京都日野市平山3丁目 土地
    間取り図
東京都日野市平山3丁目
京王電鉄京王線 平山城址公園駅 徒歩13分
京王電鉄京王線 南平駅 徒歩15分
2280
万円

31.34万円
240.57m2 1種低層
なし
50%
100%
  • 建築条件なし
  • 平坦地
  • 本下水
  • 都市ガス
  • 上物有り
  • 1種低層地域
おすすめポイント
◆京王線「平山城址公園」駅から徒歩約13分! ◆建築条件無し売地!理想の住まいを叶えられます! ◆緑豊かな住環境・自然に囲まれた周辺環境! ◆周辺には、コンビニ・スーパー完備と生活用品の買い物も楽々!
朝日土地建物株式会社 八王子支店 営業5課

東京都日野市南平9丁目 土地

  • 土地
  • 東京都日野市南平9丁目 土地
    間取り図
東京都日野市南平9丁目
京王電鉄京王線 南平駅 徒歩11分
京王電鉄京王線 多摩動物公園駅 徒歩28分
1780
万円

31.07万円
189.4m2 1種低層
なし
40%
80%
  • 建築条件なし
  • 更地
  • 本下水
  • 都市ガス
  • 1種低層地域
おすすめポイント
藤和ハウスは創業50周年を迎え、東京都内を中心に19店舗を展開しております。 参考までに見学したいでも、もちろん大歓迎なので是非お問い合わせくださいませ!
株式会社藤和ハウス インターネットお問い合わせセンター

東京都日野市東豊田1丁目 土地

  • 土地
  • 東京都日野市東豊田1丁目 土地
    間取り図
東京都日野市東豊田1丁目
京王電鉄京王線 南平駅 徒歩18分
中央本線 豊田駅 徒歩21分
3980
万円

28.9万円
455.35m2 1種低層
なし
40%
80%
  • 建築条件なし
  • 更地
  • 本下水
  • 都市ガス
  • 1種低層地域
おすすめポイント
藤和ハウスは創業50周年を迎え、東京都内を中心に19店舗を展開しております。 参考までに見学したいでも、もちろん大歓迎なので是非お問い合わせくださいませ!
株式会社藤和ハウス インターネットお問い合わせセンター

東京都日野市南平6丁目 土地

  • 土地
  • NO PHOTO
東京都日野市南平6丁目
京王電鉄京王線 南平駅 徒歩1分
3300
万円

71.92万円
151.7m2 1種低層
なし
40%
80%
  • 建築条件なし
  • 更地
  • 本下水
  • 都市ガス
  • 1種低層地域
おすすめポイント
建築条件無し売地 駅徒歩1分の通勤・通学に便利な立地 お好きなハウスメーカー・プランで建築できます 是非お気軽にお問い合わせください
株式会社東宝ハウス立川

東京都日野市南平6丁目 土地

  • 土地
  • NO PHOTO
東京都日野市南平6丁目
京王電鉄京王線 南平駅 徒歩1分
3400
万円

60.36万円
186.24m2 1種低層
なし
40%
80%
  • 建築条件なし
  • 更地
  • 本下水
  • 都市ガス
  • 1種低層地域
おすすめポイント
建築条件無し売地 駅徒歩1分の通勤・通学に便利な立地 お好きなハウスメーカー・プランで建築できます 是非お気軽にお問い合わせください
株式会社東宝ハウス立川

東京都日野市南平6丁目 土地

  • 土地
  • NO PHOTO
東京都日野市南平6丁目
京王電鉄京王線 南平駅 徒歩1分
3800
万円

89.68万円
140.08m2 1種低層
なし
40%
80%
  • 建築条件なし
  • 更地
  • 本下水
  • 都市ガス
  • 1種低層地域
おすすめポイント
建築条件無し売地 駅徒歩1分の通勤・通学に便利な立地 お好きなハウスメーカー・プランで建築できます 是非お気軽にお問い合わせください
株式会社東宝ハウス立川

東京都日野市東豊田3丁目 土地

  • 土地
  • 東京都日野市東豊田3丁目 土地
    間取り図
東京都日野市東豊田3丁目
中央本線 豊田駅 徒歩15分
京王電鉄京王線 南平駅 徒歩23分
1600
万円

56.45万円
93.7m2 1種低層
なし
50%
100%
  • 建築条件なし
  • 平坦地
  • 本下水
  • 都市ガス
  • 上物有り
  • 1種低層地域
おすすめポイント
◆建築条件無し!理想の住まいを叶えられます! ◆JR中央線「豊田」駅から徒歩15分!スーパーまで徒歩で約4分 ◆前面には公園・自然を感じられる緑豊かな住環境! ◆低層住居専用地域につき閑静な住宅街!
朝日土地建物株式会社 八王子支店 営業2課

東京都日野市南平6丁目 土地

  • 土地
  • 東京都日野市南平6丁目 土地
    間取り図
東京都日野市南平6丁目
京王電鉄京王線 南平駅 徒歩4分
京王電鉄京王線 平山城址公園駅 徒歩20分
4800
万円

84.92万円
186.86m2 1種低層
なし
40%
80%
  • 建築条件なし
  • 平坦地
  • 本下水
  • 都市ガス
  • 上物有り
  • 1種低層地域
おすすめポイント
★京王線『南平駅』徒歩4分・京王線『平山城址公園駅』徒歩20分の立地 ★敷地面積が広々な56坪 ★自然豊かで静かな住宅街 ★建築条件無で、お好きなハウスメーカーで建築可 ★スーパー徒歩約5分の住環境
朝日土地建物株式会社 八王子支店 営業5課
チェックした物件を一括で

東京都日野市南平6丁目 土地

  • 土地
  • 東京都日野市南平6丁目 土地
    間取り図
東京都日野市南平6丁目
京王電鉄京王線 南平駅 徒歩4分
中央本線 豊田駅 徒歩25分
4800
万円

84.92万円
186.86m2 1種低層
なし
40%
80%
  • 建築条件なし
  • 本下水
  • 都市ガス
  • 上物有り
  • 1種低層地域
おすすめポイント
土地面積約56.52坪とゆとりある広さで、カースペースも2台可能(車種による)。2台所有のご家庭や、普段使い用と趣味のお車の2台所有しても安心です。
株式会社藤和ハウス インターネットお問い合わせセンター

東京都日野市東豊田1丁目 土地

  • 土地
  • 東京都日野市東豊田1丁目 土地
    間取り図
東京都日野市東豊田1丁目
京王電鉄京王線 南平駅 徒歩18分
中央本線 豊田駅 徒歩21分
3980
万円

29.05万円
453m2 1種低層
なし
40%
80%
  • 建築条件なし
  • 本下水
  • 都市ガス
  • 上物有り
  • 即引渡し可
  • 1種低層地域
おすすめポイント
2路線2駅利用可、マイホーム+プライベートガーデン、ガレージなど多用途の土地 ◎建築条件なし、お好きなハウスメーカーで建築できます。 ◎弊社グループ「白馬建設」で建物プランをご提案いたします。
株式会社エステート白馬 国分寺店

東京都日野市東豊田1丁目 土地

  • 土地
  • 東京都日野市東豊田1丁目 土地
    間取り図
東京都日野市東豊田1丁目
京王電鉄京王線 南平駅 徒歩17分
3980
万円

28.9万円
455.35m2 1種低層
なし
40%
80%
  • 建築条件なし
  • 平坦地
  • 本下水
  • 都市ガス
  • 上物有り
  • 1種低層地域
おすすめポイント
◆2路線利用可で都心へのアクセスも良好!土地から始まる物語 ◆137坪超のゆとりある敷地面積。プランを組みやすい整形地 ◆家計にやさしい都市ガス!自由な発想と創造力が生まれる、建築条件のない売地
朝日土地建物株式会社 八王子支店 営業3課

東京都日野市南平8 土地

  • 建築条件付土地
  • 東京都日野市南平8 建築条件付土地
    間取り図
東京都日野市南平8
京王線 南平駅 徒歩5分
2200
万円
103m2 1種低層
あり
40%
80%
  • 更地
  • 本下水
  • 都市ガス
  • 1種低層地域
おすすめポイント
◆スーパー ヤオコー日野南平店まで 230m 徒歩3分◆スーパー スーパーアルプス南平店まで 450m 徒歩6分◆コンビニ セブンイレブン日野南平7丁目店 まで570m 徒歩8分
三井住友トラスト不動産(株)吉祥寺センター

東京都日野市平山3 土地

  • 建築条件付土地
  • 東京都日野市平山3 建築条件付土地
    間取り図
東京都日野市平山3
京王線 南平駅 徒歩10分
京王線 平山城址公園駅 徒歩12分
JR中央線 豊田駅 徒歩27分
2900
万円
256m2 1種低層
あり
40%
80%
  • 更地
  • 本下水
  • 都市ガス
  • 1種低層地域
おすすめポイント
◆スーパー・コンビニ・ドラックストア等のお買物施設が徒歩10分圏内にあり便利な住環境♪◆小さなお子様も無理なく通える日野市立平山小学校は徒歩3分の近さ♪
センチュリー21理想空間(株)

東京都日野市南平9 土地

  • 土地
  • 東京都日野市南平9 土地
    間取り図
東京都日野市南平9
京王線 南平駅 徒歩11分
京王線 平山城址公園駅 徒歩19分
京王動物園線 多摩動物公園駅 徒歩29分
1780
万円
189.4m2 1種低層
なし
40%
80%
  • 建築条件なし
  • 更地
  • 本下水
  • 都市ガス
  • 1種低層地域
おすすめポイント
◆◇━━「日野市南平」のおすすめポイント━━◇◆◆京王線「南平」駅へ徒歩11分、快適な通勤通学が可能です。◆第一種低層住居専用地域の閑静な住宅街に位置しています。◆現況更地につき、解体などの初期費用を抑えることができ、スムーズに建物を建築できます。◆前面道路は東側・西側それぞれ幅員約6mあり、車の出し入れをスムーズに行えます。◆スーパー、コンビニ、幼稚園、病院などが徒歩10分圏内に揃っており、暮らしやすい【周辺環境】・スーパーアルプス南平店:徒歩8分・ファミリーマート日野北野街道店:徒歩8分・日野市立第二幼稚園:徒歩9分・わだクリニック:徒歩8分
(株)コマツホーム

東京都日野市平山1 土地

  • 土地
  • 東京都日野市平山1 土地
    間取り図
東京都日野市平山1
京王線 平山城址公園駅 徒歩11分
京王線 南平駅 徒歩20分
JR中央線 豊田駅 徒歩26分
3280
万円
369.54m2 1種低層
なし
50%
100%
  • 建築条件なし
  • 更地
  • 本下水
  • 都市ガス
  • 1種低層地域
  • 整形地
おすすめポイント
■京王線【平山城址公園駅】まで徒歩11分。都心へのアクセスもしやすく毎日の通勤・通学が便利♪■自由設計で理想の住まいを実現!!お好きなハウスメーカーでライフスタイルに合わせた住まいを!!■第一種低層住居専用地域!落ち着いた住環境は静かで子育て世帯へにも安心です♪
センチュリー21理想空間(株)

東京都日野市東豊田2 土地

  • 土地
  • 東京都日野市東豊田2 土地
    間取り図
東京都日野市東豊田2
JR中央線 豊田駅 徒歩11分
京王線 南平駅 徒歩18分
11800
万円
344.42m2 1種低層
なし
50%
100%
  • 建築条件なし
  • 上物有り
  • 1種低層地域
  • 整形地
おすすめポイント
【交通情報】・JR中央線「豊田」駅徒歩11分・京王線「南平」駅徒歩18分【おすすめポイント】・土地面積:344.42㎡(104.18坪)・北東側公道に面す・間口:約15.4m・第一種低層住居専用地域・建ぺい率:50%、容積率:100%【既存建物有】・建物面積:214.55㎡(64.90坪)・1992年4月築、鉄骨造2階建
住友不動産ステップ(株)立川営業センター

東京都日野市南平2 土地

  • 土地
  • 東京都日野市南平2 土地
    間取り図
東京都日野市南平2
京王線 南平駅 徒歩12分
1980
万円
109.09m2 1種低層
なし
40%
80%
  • 建築条件なし
  • 本下水
  • 都市ガス
  • 上物有り
  • 1種低層地域
おすすめポイント
・閑静な住宅街に位置しており過ごしやすい・土地面積100平米以上(登記簿上)
(株)大京穴吹不動産調布店/電話受付→本社:東京

東京都日野市豊田1 土地

  • 土地
  • 東京都日野市豊田1 土地
    間取り図
東京都日野市豊田1
JR中央線 豊田駅 徒歩12分
京王線 南平駅 徒歩18分
8500
万円
320m2 準住居
なし
60%
200%
  • 建築条件なし
  • 本下水
  • 都市ガス
おすすめポイント
・生活利便施設が徒歩10分圏内にあり、生活しやすい環境♪・お好きなハウスメーカーで建築可能です!・土地面積が広く、広いお家の建築可能です!
みずほ不動産販売(株)八王子センター

東京都日野市平山3 土地

  • 土地
  • 東京都日野市平山3 土地
    間取り図
東京都日野市平山3
京王線 南平駅 徒歩13分
2480
万円
272.1m2 1種低層
なし
50%
100%
  • 建築条件なし
  • 都市ガス
  • 上物有り
  • 1種低層地域
おすすめポイント
【Access】京王電鉄京王線 「南平」駅 徒歩13分【Sale Points】■土地面積:272.10㎡(約82.3坪)■用途地域:第一種低層住居専用地域■建ぺい率:50%、容積率:100%■前面道路幅員:約6.0m■建築条件付き売地ではございません。 お好きなメーカーで建築できます。【Life Information】■ファミリーマート日野北野街道店…約500m■たちばな公園…約140m■スーパーアルプス南平…約550m■日野市立平山小学校…約600m■日野市立平山中学校…約950m
住友不動産ステップ(株)立川営業センター

東京都日野市南平5 土地

  • 土地
  • 東京都日野市南平5 土地
東京都日野市南平5
京王線 高幡不動駅 徒歩14分
京王線 南平駅 徒歩20分
多摩都市モノレール 高幡不動駅 徒歩14分
1480
万円
73.71m2 1種低層
なし
40%
80%
  • 建築条件なし
  • 更地
  • 南道路
  • 1種低層地域
スターツピタットハウス(株)立川店

東京都日野市南平2 土地

  • 土地
  • 東京都日野市南平2 土地
    間取り図
東京都日野市南平2
京王線 南平駅 徒歩14分
京王線 高幡不動駅 徒歩19分
2930
万円
183.34m2 1種低層
なし
40%
80%
  • 建築条件なし
  • 更地
  • 本下水
  • 都市ガス
  • 1種低層地域
おすすめポイント
■約55坪の整形地■第一種低層住居専用地域で閑静な住宅街■南西側・西側隣地より高台につき日当たり良好■公園や小中学校の近隣に所在し、子育てがしやすい環境◎(市立南平小学校:930m、市立七生中学校:910m、かしまだい公園:280m) ■新設のRC擁壁、および駐車場・階段は構造計算済み※西側部の既存の関知擁壁は、開発許可による完了検査済(S.48.7.18 第9号)■前面道路約8m(公道)■「南平二丁目」バス停 徒歩1分
みずほ不動産販売(株)八王子センター

東京都日野市南平2 土地

  • 土地
  • 東京都日野市南平2 土地
    間取り図
東京都日野市南平2
京王線 南平駅 徒歩15分
3480
万円
197.21m2 1種低層
なし
40%
80%
  • 建築条件なし
  • 本下水
  • 都市ガス
  • 上物有り
  • 即引渡し可
  • 1種低層地域
おすすめポイント
-物件のおすすめポイント-▼立地・京王電鉄京王線「南平」駅 徒歩15分・第一種低層住居専用地域、閑静な住宅街▼特徴・土地面積197.21平米(約59.65坪)・前面道路は、南東側幅員約7.9mの公道・建築条件付宅地販売ではありません・お好きなハウスメーカー・工務店で建築可能・即引渡し可能(残金精算後)▼周辺環境・かしまだい公園 徒歩3分(約230m)・セブンイレブン日野南平7丁目店 徒歩10分(約750m)・サンドラッグ南平店 徒歩7分(約530m)■ ご希望の住まい探しをお手伝いします ━━━━━・・・物件の詳細・ご相談はお気軽にお問い合わせください。
三井のリハウス聖蹟桜ヶ丘センター三井不動産リアルティ(株)

東京都日野市南平2 土地

  • 土地
  • 東京都日野市南平2 土地
    間取り図
東京都日野市南平2
京王線 南平駅 徒歩18分
多摩都市モノレール 程久保駅 徒歩13分
3250
万円
196.76m2 1種低層
なし
40%
80%
  • 建築条件なし
  • 本下水
  • 都市ガス
  • 上物有り
  • 角地
  • 1種低層地域
おすすめポイント
-物件のおすすめポイント-▼立地・京王電鉄京王線「南平」駅 徒歩18分・多摩モノレール「程久保」駅 徒歩13分・整備された街並み・第一種低層住居専用地域内▼特徴・土地面積196.76平米(約59.51坪)・北東側幅員約5.9m・南東側幅員約4.9mの公道・各接道間口は11m以上の広さ・建築条件付宅地販売ではありません・お好きなハウスメーカー等で建築可能・都市ガス対応可能▼周辺環境・かしまだい公園 徒歩2分(約140m)※多摩みなみが丘地区地区計画■ ご希望の住まい探しをお手伝いします ━━━━━・・・物件の詳細・ご相談はお気軽にお問い合わせください。
三井のリハウス聖蹟桜ヶ丘センター三井不動産リアルティ(株)

東京都日野市南平2 土地

  • 土地
  • 東京都日野市南平2 土地
    間取り図
東京都日野市南平2
京王線 南平駅 徒歩14分
京王線 高幡不動駅 徒歩21分
多摩都市モノレール 程久保駅 徒歩16分
2930
万円
183.34m2 1種低層
なし
40%
80%
  • 建築条件なし
  • 更地
  • 本下水
  • 都市ガス
  • 1種低層地域
  • 整形地
おすすめポイント
■ハウスメーカーのご紹介承ります!■建築プランご相談ください。■前面道路8mの為、駐車が苦手な方でも安心です
京王不動産(株)高幡営業所

東京都日野市南平5 土地

  • 土地
  • 東京都日野市南平5 土地
    間取り図
東京都日野市南平5
京王線 南平駅 徒歩17分
京王線 高幡不動駅 徒歩19分
多摩都市モノレール 高幡不動駅 徒歩22分
2400
万円
115.19m2 1種低層
なし
40%
80%
  • 建築条件なし
  • 本下水
  • 都市ガス
  • 上物有り
  • 1種低層地域
おすすめポイント
◆京王線南平駅までほぼ平坦。お天気が悪い日や大荷物の日にも安心です◆浅川沿いの潤いのある住環境で潤いのある毎日を♪◇■不動産に関するお悩み・ご相談は、『ネクストイノベーション豊田店』へお気軽に!■◇「住み替えしたいけど、何から手を付けたら良い?」「全体の資金の流れが、よくわかりません…」「リモートで、落ち着いて話がしたい」などなどお気軽にご連絡ください♪◆当店は、JR中央線『「豊田』駅南口徒歩3分。駐車場完備♪(郵便局向かい)
ネクストイノベーション(株)

東京都日野市豊田4 土地

  • 土地
  • 東京都日野市豊田4 土地
    間取り図
東京都日野市豊田4
JR中央線 豊田駅 徒歩3分
京王線 南平駅 徒歩25分
京王線 平山城址公園駅 徒歩26分
8500
万円
206.47m2 1種低層
なし
50%
100%
  • 建築条件なし
  • 更地
  • 南道路
  • 本下水
  • 都市ガス
  • 1種低層地域
おすすめポイント
■■駅までの距離が魅力の現地です■■建築確認が取れ次第建売に変更となる場合があります。土地での検討の方はお早めにご連絡下さい。イオンモール多摩平の森まで徒歩約4分!買い物便利です。●見学カレンダーから見学予約いただけます。
(株)イーカム首都圏営業課

東京都日野市南平6 土地

  • 土地
  • 東京都日野市南平6 土地
    間取り図
東京都日野市南平6
京王線 南平駅 徒歩4分
JR中央線 豊田駅 徒歩24分
京王動物園線 多摩動物公園駅 徒歩37分
4800
万円
186.86m2 1種低層
なし
40%
80%
  • 建築条件なし
  • 本下水
  • 都市ガス
  • 上物有り
  • 即引渡し可
  • 1種低層地域
  • 整形地
おすすめポイント
■約56坪の充実した敷地!広々とした敷地にお好きな自由設計で建物を建てられます。思い思いの住宅を一緒につくりませんか?2世帯住宅としてもオススメです!■建築条件なし!広々敷地で、自由設計!閑静な住宅地で緑豊富でお子様もにっこりすること間違いなしです!ハウスメーカーも工務店もご紹介できますのでお気軽にプランのご相談ください。■徒歩圏内に施設が充実スーパーやコンビニ、商業施設が徒歩圏内に充実しております。バス停も徒歩2分と住環境良好です!
(株)エイト

東京都日野市南平9 土地

  • 土地
  • 東京都日野市南平9 土地
    間取り図
東京都日野市南平9
京王線 南平駅 徒歩11分
京王線 平山城址公園駅 徒歩17分
1780
万円
189.4m2 1種低層
なし
40%
80%
  • 建築条件なし
  • 更地
  • 本下水
  • 都市ガス
  • 1種低層地域
  • 整形地
おすすめポイント
~物件おすすめポイント~■建築条件なし!自由設計!お好きなハウスメーカーや工務店で理想のマイホーム♪ハウスメーカーや工務店ご紹介可能です♪是非、お気軽にお問い合わせください♪■充実した敷地!面積約57坪の充実した敷地!2世帯住宅なども検討できる広さです♪■2駅利用可能の便利なエリア◎京王線「南平」駅まで徒歩11分!京王線「平山城址公園」駅まで徒歩17分!■閑静な住宅街近隣は自然豊かな閑静な住宅街♪穏やかな暮らしが実現可能です♪■充実の周辺環境◎スーパーアルプス南平店(550m)まで徒歩7分日野市立平山小学校(850m)まで徒歩11分平山東公園(700m)まで徒歩9分
(株)エイト

東京都日野市南平2 土地

  • 土地
  • 東京都日野市南平2 土地
東京都日野市南平2
京王線 南平駅 徒歩11分
京王動物園線 多摩動物公園駅 徒歩26分
京王線 高幡不動駅 徒歩28分
2480
万円
198m2 1種低層
なし
40%
80%
  • 建築条件なし
  • 南道路
  • 本下水
  • 都市ガス
  • 上物有り
  • 1種低層地域
おすすめポイント
高台につき眺望良好です♪
信用土地(株)日野豊田店
チェックした物件を一括で
  • チェックした物件をまとめて
44
表示件数 12 次へ
OCN×ドコモ光新規お申込みで合計最大137,280円相当おトク!特典の内訳・適用条件など詳細はこちら

条件を選択

価格
土地面積
駅からの時間
建築条件
現況
立地・特徴
条件
画像・動画
情報の新しさ
フリーワード
南平駅のおすすめ新築一戸建て

南平駅の新築一戸建て情報をもっと見る

日野市の住みやすさ情報

日野市ってどんなところ?

新選組ゆかりの土地としても有名な日野市。
住宅価格は都心部に比べて手頃で、住宅地は静か。教育施設や公園も充実しており、暮らしやすさ、子育てのしやすさで人気の都市です。また、日野自動車など多くの企業がある産業地でもあります。
JR中央線、京王線、多摩モノレールが通っているため、都心への移動がラクで、新宿までなら約30分です。

街ガイド

高野 友樹

公認不動産コンサルティングマスター/相続対策専門士/宅地建物取引士/賃貸不動産経営管理士

不動産会社にて600件以上の仲介、6000戸の収益物件管理を経験。現在は株式会社高野不動産コンサルティングを設立し、不動産コンサルティングを行う。

一人暮らしの人に聞いた
日野市の住みやすさTOP10

  1. 1位自然や公園が多い
  2. 2位閑静で落ち着きがある
  3. 3位必要なものが近場でそろう

夫婦・カップルに聞いた
日野市の住みやすさTOP10

  1. 1位必要なものが近場でそろう
  2. 2位閑静で落ち着きがある
  3. 3位スーパーやドラッグストアが充実している

ファミリーに聞いた
日野市の住みやすさTOP10

  1. 1位自然や公園が多い
  2. 2位スーパーやドラッグストアが充実している
  3. 3位閑静で落ち着きがある

※対象エリア周辺に過去5年以内に住んだことのある10代~60代の人を対象としてアンケートを実施し、独自に集計しています。

日野市の暮らしデータ

人口などの統計情報

世帯数 90257世帯
人口総数 187494人
転入者数 9956人
転入率(人口1000人当たり)
53.10人
転出者数 8940人
転出率(人口1000人当たり)
47.68人
土地平均価格
住宅地
211000円/m2
商業地
340667円/m2

結婚・育児の助成金

子育て関連の独自の取り組み -
出産祝い なし
公立保育所数 9所(うち0歳児保育を実施している保育所:4所)
私立保育所数 29所(うち0歳児保育を実施している保育所:28所)
保育所入所待機児童数 26人
認定こども園数 2園 預かり保育実施園数 公立:0園 私立:8園
学校給食 【小学校】完全給食【中学校】完全給食
公立中学校の学校選択制 実施
子ども・学生等医療費助成<通院>対象年齢 18歳3月末まで 子ども・学生等医療費助成<入院>対象年齢 18歳3月末まで

日野市の治安・ごみ収集情報

公共料金・インフラ

ガス料金(22m3使用した場合の月額) 東京瓦斯株式会社(東京地区等)3926円
大東ガス株式会社4335円
水道料金(口径20mmで20m3の月額) 東京都水道局2816円
下水道料金(20m3を使用した場合の月額) 日野市2068円
下水道普及率 96.3%

安心・安全

建物火災出火件数 18件
人口10000人当たり
0.95件
刑法犯認知件数 729件
人口1000人当たり
3.83件
ハザード・防災マップ あり

医療

一般病院総数 6ヶ所
一般診療所総数 132ヶ所
小児科医師数 30人
小児人口10000人当たり
13.28人
産婦人科医師数 5人
15~49歳女性人口1万人当たり
1.33人
介護保険料基準額(月額) 6115円

ごみ

家庭ごみ収集(可燃ごみ) 有料
備考
指定ごみ袋有料。可燃ごみ、不燃ごみ、プラスチック類ごみが対象。
家庭ごみの分別方式 6分別16種〔可燃ごみ 不燃ごみ プラスチック類ごみ 有害(危険)ごみ(蛍光管、乾電池・ボタン電池・水銀体温計・ライター・スプレー缶・カセットボンベ、テープ類) 資源ごみ(新聞、雑誌・雑紙類、段ボール、紙パック類、古着・古布類、かん、びん、ペットボトル、小型家電・金属類) 剪定枝〕
家庭ごみの戸別収集 実施
粗大ごみ収集 あり
備考
有料。戸別収集。事前申込制。指定収集業者に予約の上、粗大ごみ等処理券(シール)を貼って出す。
生ごみ処理機助成金制度 なし
上限金額
-
上限比率
-

日野市の住まいの給付金

新築建築

利子補給制度 なし
補助/助成金制度 なし

新築購入

利子補給制度 なし
補助/助成金制度 なし
暮らしデータ提供元:生活ガイド.com
※行政機関により公表していない地域及びデータがございます。東京23区以外の政令指定都市は、市全体のデータとして表示しています。
※提供データには細心の注意を払っておりますが、調査後に変更がある場合があります。 最新の情報につきましては各市区役所までお問い合わせいただくか、自治体HPなどをご確認ください。

価格相場

更新日:2025年11月10日

南平駅の価格相場

  50㎡~80㎡ 80㎡~100㎡ 100㎡~150㎡ 150㎡~200㎡ 200㎡以上
土地 - - 3117万円 3092万円 5263万円

周辺駅の価格相場

  多摩動物公園 平山城址公園 高幡不動 長沼 百草園
土地 - - - - -
※このデータはgoo住宅・不動産に掲載されている土地の平均価格(管理費・駐車場代などを除く)を算出したものです。ただし5戸以上の掲載があるものについてのみ対象とします。
※周辺駅の価格相場は広さ50㎡~80㎡の平均価格(管理費・駐車場代などを除く)を算出したものです。

東京都の人気の街アクセスランキング(土地)

※このランキングは2025年10月01日~31日における各ページのアクセス数から算出しています。

他のエリアから探す

特集から探す

建築条件なし売主・代理第1種低層地域

アプリで簡単 物件探し 大手不動産サイトの情報から一括検!プッシュ通知で物件を見逃さない
App Storeからダウンロード Google Playで手に入れよう QRコード