アプリで簡単 物件探し 通知 共有 アプリならではの機能を使ってみる
RSS

竹ノ塚駅(東京都)の土地(宅地・分譲地・売地) 物件一覧

竹ノ塚駅(東京都)の土地、分譲地、売地、宅地などの土地物件をご紹介します。売り地、分譲土地、住宅用土地などの土地情報を探すならgoo住宅・不動産。価格・土地面積・建築条件・立地・人気のこだわり条件から物件を簡単検索。理想の物件探しをgoo住宅・不動産がサポートします。

40 並び替え
チェックした物件を一括で
選択 物件タイプ
画像
所在地/交通
(駅/バス 所要時間)
価格
坪単価
土地面積 用途地域
建築条件
建ぺい率
容積率

埼玉県草加市谷塚仲町 土地

  • 土地
  • 埼玉県草加市谷塚仲町 土地
埼玉県草加市谷塚仲町
東武伊勢崎・大師線 谷塚駅 徒歩14分
東武伊勢崎・大師線 竹ノ塚駅 徒歩22分
3480
万円

100.03万円
115m2 準工業
なし
70%
200%
  • 建築条件なし
  • 更地
  • 本下水
  • 即引渡し可
おすすめポイント
(1)低金利の住宅ローンの取扱い可能~(変動金利35年0.63%)(2)住宅ローンの知識が豊富でローンに強い~(3)ライフプランナーとの打合せが出来る~(無料)
株式会社家どっと足立

東京都足立区東伊興4丁目 土地

  • 土地
  • NO PHOTO
東京都足立区東伊興4丁目
東武伊勢崎・大師線 竹ノ塚駅 徒歩18分
4540
万円

139.45万円
107.62m2 1種低層
なし
50%
150%
  • 建築条件なし
  • 更地
  • 本下水
  • 都市ガス
  • 1種低層地域
おすすめポイント
(1)低金利の住宅ローンの取扱い可能~(変動金利35年0.63%)(2)住宅ローンの知識が豊富でローンに強い~(3)ライフプランナーとの打合せが出来る~(無料)
株式会社家どっと足立

東京都足立区東伊興4丁目 土地

  • 土地
  • 東京都足立区東伊興4丁目 土地
東京都足立区東伊興4丁目
東武伊勢崎・大師線 竹ノ塚駅 徒歩18分
4540
万円

139.48万円
107.62m2 1種低層
なし
50%
150%
  • 建築条件なし
  • 更地
  • 平坦地
  • 本下水
  • 都市ガス
  • 角地
  • 1種低層地域
おすすめポイント
ハウジングスカイの「諸費用節約対象物件」です。「竹ノ塚」駅徒歩18分。建築条件なし。お好きなハウスメーカーで建築できます。
ハウジングスカイ株式会社

埼玉県草加市新里町 土地

  • 土地
  • 埼玉県草加市新里町 土地
    間取り図
埼玉県草加市新里町
東武伊勢崎・大師線 竹ノ塚駅 バス6分/「仲町」バス停 停歩4分
日暮里舎人ライナー 見沼代親水公園駅 徒歩19分
2670
万円

85.2万円
103.62m2 1種住居
なし
60%
200%
  • 建築条件なし
  • 本下水
  • 都市ガス
  • 上物有り
おすすめポイント
敷地約31坪・自由設計で夢のマイホームはいかがでしょうか!建築条件なし・お好きなハウスメーカーで建築可能です!当社無料の間取り作成も承ります!両新田小学校まで徒歩約8分(600m)!
埼玉相互住宅株式会社 本社

東京都足立区保木間3丁目 土地

  • 土地
  • 東京都足立区保木間3丁目 土地
    間取り図
東京都足立区保木間3丁目
東武伊勢崎・大師線 竹ノ塚駅 徒歩20分
1930
万円

72.29万円
88.29m2 1種住居
なし
60%
200%
  • 建築条件なし
  • 本下水
  • 上物有り
おすすめポイント
買物施設充実×閑静な住宅街の88.29 売地 お気軽にお問い合わせください♪
ハウスドゥ 新小岩駅南口 リオン不動産株式会社

東京都足立区保木間3丁目 土地

  • 土地
  • 東京都足立区保木間3丁目 土地
    間取り図
東京都足立区保木間3丁目
東武伊勢崎・大師線 竹ノ塚駅 徒歩20分
1930
万円

72.29万円
88.29m2 1種住居
なし
60%
200%
  • 建築条件なし
  • 本下水
  • 上物有り
おすすめポイント
買物施設充実×閑静な住宅街の88.29 売地 お気軽にお問い合わせください♪
リオン不動産株式会社 アリオ西新井店

東京都足立区東伊興4丁目 土地

  • 土地
  • 東京都足立区東伊興4丁目 土地
東京都足立区東伊興4丁目
東武伊勢崎・大師線 竹ノ塚駅 徒歩18分
4540
万円

139.46万円
107.62m2 1種低層
なし
50%
150%
  • 建築条件なし
  • 更地
  • 本下水
  • 都市ガス
  • 1種低層地域
おすすめポイント
選べるe-GIFT10000円分>初来場&アンケート回答でプレゼント
住宅情報館株式会社 川口店

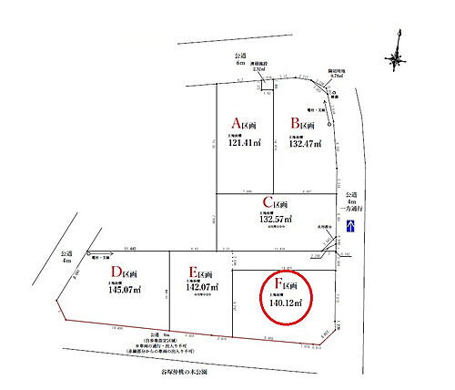
埼玉県草加市谷塚仲町 土地

  • 土地
  • 埼玉県草加市谷塚仲町 土地
    間取り図
埼玉県草加市谷塚仲町
東武伊勢崎・大師線 谷塚駅 徒歩18分
東武伊勢崎・大師線 竹ノ塚駅 徒歩28分
3190
万円

86.86万円
121.41m2 1種住居
なし
60%
200%
  • 建築条件なし
  • 更地
  • 本下水
  • 都市ガス
おすすめポイント
全6区画、土地36坪以上、建築条件無、お好きなハウスメーカーで建築可、都市ガス・本下水
センチュリー21草加市民ハウジング

埼玉県草加市谷塚仲町 土地

  • 土地
  • 埼玉県草加市谷塚仲町 土地
    間取り図
埼玉県草加市谷塚仲町
東武伊勢崎・大師線 谷塚駅 徒歩18分
東武伊勢崎・大師線 竹ノ塚駅 徒歩28分
3190
万円

74.75万円
141.08m2 1種住居
なし
60%
200%
  • 建築条件なし
  • 更地
  • 南道路
  • 本下水
  • 都市ガス
おすすめポイント
全6区画、南道路(車両通行・出入り不可)、土地42坪以上、建築条件無、お好きなハウスメーカーで建築可
センチュリー21草加市民ハウジング

埼玉県草加市谷塚仲町 土地

  • 土地
  • 埼玉県草加市谷塚仲町 土地
    間取り図
埼玉県草加市谷塚仲町
東武伊勢崎・大師線 谷塚駅 徒歩18分
東武伊勢崎・大師線 竹ノ塚駅 徒歩28分
3390
万円

85.18万円
131.57m2 1種住居
なし
60%
200%
  • 建築条件なし
  • 更地
  • 本下水
  • 都市ガス
おすすめポイント
全6区画、土地39坪以上、建築条件無、お好きなハウスメーカーで建築可、都市ガス・本下水
センチュリー21草加市民ハウジング

埼玉県草加市谷塚仲町 土地

  • 土地
  • 埼玉県草加市谷塚仲町 土地
    間取り図
埼玉県草加市谷塚仲町
東武伊勢崎・大師線 谷塚駅 徒歩18分
東武伊勢崎・大師線 竹ノ塚駅 徒歩28分
3590
万円

89.59万円
132.47m2 1種住居
なし
60%
200%
  • 建築条件なし
  • 更地
  • 本下水
  • 都市ガス
  • 角地
おすすめポイント
全6区画、角地、土地40坪以上、建築条件無、お好きなハウスメーカーで建築可、都市ガス・本下水
センチュリー21草加市民ハウジング

埼玉県草加市谷塚仲町 土地

  • 土地
  • 埼玉県草加市谷塚仲町 土地
    間取り図
埼玉県草加市谷塚仲町
東武伊勢崎・大師線 谷塚駅 徒歩18分
東武伊勢崎・大師線 竹ノ塚駅 徒歩28分
3790
万円

89.41万円
140.13m2 1種住居
なし
60%
200%
  • 建築条件なし
  • 更地
  • 南道路
  • 本下水
  • 都市ガス
  • 角地
おすすめポイント
全6区画、東南角地(南側道路車両通行・出入り不可)、土地42坪以上、建築条件無、お好きなハウスメーカ
センチュリー21草加市民ハウジング

埼玉県草加市谷塚仲町 土地

  • 土地
  • 埼玉県草加市谷塚仲町 土地
    間取り図
埼玉県草加市谷塚仲町
東武伊勢崎・大師線 谷塚駅 徒歩18分
東武伊勢崎・大師線 竹ノ塚駅 徒歩28分
3790
万円

86.36万円
145.08m2 1種住居
なし
60%
200%
  • 建築条件なし
  • 更地
  • 南道路
  • 本下水
  • 都市ガス
  • 角地
おすすめポイント
全6区画、南西角地(南側道路車両通行・出入り不可)、土地43坪以上、建築条件無、お好きなハウスメーカ
センチュリー21草加市民ハウジング

埼玉県草加市谷塚仲町 土地

  • 土地
  • 埼玉県草加市谷塚仲町 土地
    間取り図
埼玉県草加市谷塚仲町
東武伊勢崎・大師線 谷塚駅 徒歩18分
東武伊勢崎・大師線 竹ノ塚駅 徒歩26分
3190
万円

86.88万円
121.41m2 1種住居
なし
60%
200%
  • 建築条件なし
  • 更地
  • 本下水
  • 都市ガス
おすすめポイント
全6区画 建築条件なしのため、お好きなハウスメーカー・工務店で自由に建築可能です!理想の間取りやデザインでマイホーム計画が立てられます!両新田小学校まで徒歩約9分(650m)、お子様の通学に安心です!
埼玉相互住宅株式会社 本社

埼玉県草加市谷塚仲町 土地

  • 土地
  • 埼玉県草加市谷塚仲町 土地
    間取り図
埼玉県草加市谷塚仲町
東武伊勢崎・大師線 谷塚駅 徒歩18分
東武伊勢崎・大師線 竹ノ塚駅 徒歩26分
3190
万円

74.24万円
142.07m2 1種住居
なし
60%
200%
  • 建築条件なし
  • 更地
  • 南道路
  • 本下水
  • 都市ガス
おすすめポイント
全6区画 建築条件なしのため、お好きなハウスメーカー・工務店で自由に建築可能です!理想の間取りやデザインでマイホーム計画が立てられます!両新田小学校まで徒歩約9分(650m)、お子様の通学に安心です!
埼玉相互住宅株式会社 本社

埼玉県草加市谷塚仲町 土地

  • 土地
  • 埼玉県草加市谷塚仲町 土地
    間取り図
埼玉県草加市谷塚仲町
東武伊勢崎・大師線 谷塚駅 徒歩18分
東武伊勢崎・大師線 竹ノ塚駅 徒歩26分
3390
万円

84.54万円
132.57m2 1種住居
なし
60%
200%
  • 建築条件なし
  • 更地
  • 本下水
  • 都市ガス
おすすめポイント
全6区画 建築条件なしのため、お好きなハウスメーカー・工務店で自由に建築可能です!理想の間取りやデザインでマイホーム計画が立てられます!両新田小学校まで徒歩約9分(650m)、お子様の通学に安心です!
埼玉相互住宅株式会社 本社

埼玉県草加市谷塚仲町 土地

  • 土地
  • 埼玉県草加市谷塚仲町 土地
    間取り図
埼玉県草加市谷塚仲町
東武伊勢崎・大師線 谷塚駅 徒歩18分
東武伊勢崎・大師線 竹ノ塚駅 徒歩26分
3590
万円

89.6万円
132.47m2 1種住居
なし
60%
200%
  • 建築条件なし
  • 更地
  • 本下水
  • 都市ガス
  • 角地
おすすめポイント
全6区画 建築条件なしのため、お好きなハウスメーカー・工務店で自由に建築可能です!理想の間取りやデザインでマイホーム計画が立てられます!両新田小学校まで徒歩約9分(650m)、お子様の通学に安心です!
埼玉相互住宅株式会社 本社

埼玉県草加市谷塚仲町 土地

  • 土地
  • 埼玉県草加市谷塚仲町 土地
    間取り図
埼玉県草加市谷塚仲町
東武伊勢崎・大師線 谷塚駅 徒歩18分
東武伊勢崎・大師線 竹ノ塚駅 徒歩26分
3790
万円

89.43万円
140.12m2 1種住居
なし
60%
200%
  • 建築条件なし
  • 更地
  • 南道路
  • 本下水
  • 都市ガス
  • 角地
おすすめポイント
全6区画 建築条件なしのため、お好きなハウスメーカー・工務店で自由に建築可能です!理想の間取りやデザインでマイホーム計画が立てられます!両新田小学校まで徒歩約9分(650m)、お子様の通学に安心です!
埼玉相互住宅株式会社 本社

埼玉県草加市谷塚仲町 土地

  • 土地
  • 埼玉県草加市谷塚仲町 土地
    間取り図
埼玉県草加市谷塚仲町
東武伊勢崎・大師線 谷塚駅 徒歩18分
東武伊勢崎・大師線 竹ノ塚駅 徒歩26分
3790
万円

86.38万円
145.07m2 1種住居
なし
60%
200%
  • 建築条件なし
  • 更地
  • 南道路
  • 本下水
  • 都市ガス
  • 角地
おすすめポイント
全6区画 建築条件なしのため、お好きなハウスメーカー・工務店で自由に建築可能です!理想の間取りやデザインでマイホーム計画が立てられます!両新田小学校まで徒歩約9分(650m)、お子様の通学に安心です!
埼玉相互住宅株式会社 本社
チェックした物件を一括で

埼玉県草加市谷塚仲町 土地

  • 建築条件付土地
  • 埼玉県草加市谷塚仲町 建築条件付土地
埼玉県草加市谷塚仲町
東武伊勢崎・大師線 谷塚駅 徒歩17分
東武伊勢崎・大師線 竹ノ塚駅 徒歩27分
2980
万円

75.29万円
130.85m2 1種住居
あり
60%
200%
  • 更地
  • 平坦地
  • 本下水
  • 都市ガス
おすすめポイント
見学予約受付中!(株)エステート白馬 越谷店 当日のご見学もご相談ください。
株式会社エステート白馬 越谷店

東京都足立区東伊興4丁目 土地

  • 土地
  • 東京都足立区東伊興4丁目 土地
東京都足立区東伊興4丁目
東武伊勢崎・大師線 竹ノ塚駅 徒歩18分
日暮里舎人ライナー 舎人駅 徒歩24分
4540
万円

139.46万円
107.62m2 1種低層
なし
50%
150%
  • 建築条件なし
  • 更地
  • 本下水
  • 都市ガス
  • 1種低層地域
おすすめポイント
ご来店後にアンケートにお答え頂くと3,000円のQUOカードをプレゼント(1組様1回限り、後日郵送)
ME不動産埼京株式会社

東京都足立区東伊興4丁目 土地

  • 土地
  • 東京都足立区東伊興4丁目 土地
東京都足立区東伊興4丁目
東武伊勢崎・大師線 竹ノ塚駅 徒歩18分
日暮里舎人ライナー 舎人駅 徒歩24分
4540
万円

139.46万円
107.62m2 1種低層
なし
50%
150%
  • 建築条件なし
  • 更地
  • 本下水
  • 都市ガス
  • 1種低層地域
おすすめポイント
マイホーム探しには、生活費、教育費、老後費、人生の三大支出も加味した、将来の家計を考慮することが大切です。弊社では住宅FPアドバイザーが、お客様の将来設計を見据えたコンサルティングを実施します。
ME不動産城北株式会社

東京都足立区東伊興4丁目 土地

  • 土地
  • 東京都足立区東伊興4丁目 土地
東京都足立区東伊興4丁目
東武伊勢崎・大師線 竹ノ塚駅 徒歩18分
日暮里舎人ライナー 舎人駅 徒歩24分
4540
万円

139.46万円
107.62m2 1種低層
なし
50%
150%
  • 建築条件なし
  • 更地
  • 本下水
  • 都市ガス
  • 1種低層地域
おすすめポイント
~お問合せ後すぐにご案内致します~お仕事帰りや隙間時間などご都合にあわせてご案内致します。
株式会社エステート白馬 南浦和店

東京都足立区東伊興4丁目 土地

  • 土地
  • 東京都足立区東伊興4丁目 土地
東京都足立区東伊興4丁目
東武伊勢崎・大師線 竹ノ塚駅 徒歩18分
4540
万円

139.46万円
107.62m2 1種低層
なし
50%
150%
  • 建築条件なし
  • 更地
  • 本下水
  • 都市ガス
  • 1種低層地域
株式会社東宝ハウス川口

東京都足立区伊興本町2丁目 土地

  • 土地
  • 東京都足立区伊興本町2丁目 土地
    間取り図
東京都足立区伊興本町2丁目
東武伊勢崎・大師線 竹ノ塚駅 徒歩11分
日暮里舎人ライナー 舎人駅 徒歩28分
2980
万円

122.32万円
80.54m2 1種低層
なし
50%
150%
  • 建築条件なし
  • 本下水
  • 上物有り
  • 1種低層地域
おすすめポイント
私たち東宝ハウス城東は不動産売買を通じて、お客様一人一人と誠実に向き合い、これからの暮らしに「安心」と「満足」をお届けし続けていきます。
株式会社東宝ハウス城東
new

東京都足立区六月1 土地

  • 土地
  • 東京都足立区六月1 土地
    間取り図
東京都足立区六月1
東武伊勢崎線 竹ノ塚駅 徒歩18分
つくばエクスプレス 六町駅 徒歩25分
東武伊勢崎線 西新井駅 徒歩28分
3880
万円
94.97m2 近隣商業
なし
80%
240%
  • 建築条件なし
  • 上物有り
  • 整形地
おすすめポイント
◇東武伊勢崎線「竹ノ塚」駅徒歩18分◇土地面積94.97㎡(28.72坪)◇現況:建物有り◇用途地域:近隣商業地域◇建ぺい率:80%◇容積率:240%◇防火指定:防火地域◇西側道路約3.9mに面した土地◇建築条件付き土地ではありませんので、お好きなハウスメーカー等で建築が可能です
住友不動産ステップ(株)北千住営業センター

埼玉県草加市瀬崎3 土地

  • 土地
  • 埼玉県草加市瀬崎3 土地
埼玉県草加市瀬崎3
東武伊勢崎線 谷塚駅 徒歩7分
東武伊勢崎線 草加駅 徒歩27分
東武伊勢崎線 竹ノ塚駅 徒歩31分
1200
万円
59.56m2 1種住居
なし
60%
200%
  • 建築条件なし
  • 更地
おすすめポイント
夢のマイホームを建築してみませんか?/駐車場用地としても可能
ピタットハウス八潮店スターツピタットハウス(株)

東京都足立区舎人2 土地

  • 土地
  • 東京都足立区舎人2 土地
    間取り図
東京都足立区舎人2
日暮里・舎人ライナー 見沼代親水公園駅 徒歩7分
日暮里・舎人ライナー 舎人駅 徒歩12分
東武伊勢崎線 竹ノ塚駅 徒歩32分
4680
万円
131.62m2 1種低層
なし
50%
150%
  • 建築条件なし
  • 更地
  • 本下水
  • 都市ガス
  • 角地
  • 即引渡し可
  • 1種低層地域
おすすめポイント
〇ライフインフォメーション〇■スーパー:ベルクス足立古千谷店:徒歩8分(600m)■スーパー:オーケー草加舎人店:徒歩14分(1100m)■コンビニ:セブンイレブン足立舎人5丁目尾久橋通り店:徒歩7分(540m)■ドラッグストア:ウェルパーク足立舎人店:徒歩8分(600m)■小学校:足立区立舎人第一小学校:徒歩14分(1100m)■中学校:足立区立入谷南中学校:徒歩18分(1400m)■ショッピングセンター:島忠ホームズ草加舎人店:徒歩15分(1122m)■ドラッグストア:ドラッグセイムス足立舎人店:徒歩10分(776m)■郵便局:足立古千谷郵便局:徒歩9分(702m)
ライク不動産販売(株)

東京都足立区平野2 土地

  • 土地
  • 東京都足立区平野2 土地
    間取り図
東京都足立区平野2
東武伊勢崎線 竹ノ塚駅 バス7分/「平野町」バス停 停歩2分
2780
万円
72m2 準工業
なし
60%
400%
  • 建築条件なし
  • 南道路
  • 本下水
  • 都市ガス
  • 角地
おすすめポイント
《周辺環境》ビッグ・エー 足立六月店・・・徒歩7分(540m)ローソン 足立六月一丁目店・・・徒歩4分(290m))足立区立平野小学校・・・徒歩8分(630m)足立区立東島根中学校・・・徒歩11分(800m)《物件概要》■所在地:足立区平野二丁目■土地権利:所有権■地目:宅地■都市計画:市街化区域■用途地域:準工業地域/第一種低層住居専用地域■建蔽率:60%/50%■容積率:400%/150%■防火制限:防火地域■現況:古屋あり(解体更地渡し)■設備:東京電力・都市ガス・公営水道・公共下水■道路:東側私道約4.0m、南側公道約4.0m
東急リバブル(株)西新井センター

東京都足立区伊興1 土地

  • 土地
  • 東京都足立区伊興1 土地
    間取り図
東京都足立区伊興1
東武伊勢崎線 竹ノ塚駅 徒歩9分
8980
万円
220.16m2 1種低層
なし
60%
150%
  • 建築条件なし
  • 本下水
  • 都市ガス
  • 上物有り
  • 1種低層地域
おすすめポイント
-物件のおすすめポイント-▼立地・東武伊勢崎・大師線「竹ノ塚」駅 徒歩9分・第一種低層住居専用地域▼特徴・土地面積220.16平米(約66.59坪)、現況古家有・前面道路は北東側幅員約4.0mの公道、間口は約13.5m・建築条件付宅地販売ではありません・お好きなハウスメーカー等で建築可能▼周辺環境・スーパー「ジェーソン足立竹の塚店」徒歩3分(約170m)・ファミリーマート足立西竹の塚一丁目店 徒歩3分(約230m)・栗原北小学校 徒歩8分(約590m)■ ご希望の住まい探しをお手伝いします ━━━━━・・・物件の詳細・ご相談はお気軽にお問い合わせください。
三井のリハウス西新井センター三井不動産リアルティ(株)

東京都足立区竹の塚7 土地

  • 土地
  • 東京都足立区竹の塚7 土地
    間取り図
東京都足立区竹の塚7
東武伊勢崎線 竹ノ塚駅 徒歩11分
10000
万円
272.25m2 準工業
なし
60%
200%
  • 建築条件なし
  • 都市ガス
  • 上物有り
おすすめポイント
■アクセス東武スカイツリーライン「竹ノ塚」駅 徒歩11分■概要土地面積 272.80㎡(約82.52坪)北側接道 接面約12.2m公道 幅員 約4.0m現況:建物有(更地渡し)建築条件付土地ではありません。※お好きなハウスメーカーで建築できます。
住友不動産ステップ(株)新越谷営業センター

埼玉県草加市谷塚町 土地

  • 土地
  • 埼玉県草加市谷塚町 土地
    間取り図
埼玉県草加市谷塚町
東武伊勢崎線 谷塚駅 徒歩12分
東武伊勢崎線 草加駅 徒歩17分
東武伊勢崎線 竹ノ塚駅 徒歩3.6km
2000
万円
76.26m2 1種中高
なし
60%
180%
  • 建築条件なし
  • 本下水
  • 上物有り
  • 整形地
おすすめポイント
■2駅利用可能!東武伊勢崎線「谷塚」駅徒歩12分!■急行停車「草加」駅徒歩17分!・日比谷線・半蔵門線直通!乗り換えなしで都心にアクセス可能◎■小学校まで徒歩5分♪徒歩10分以内に教育環境も整っています!《氷川小学校/400m ひかわ保育園/160m》■生活利便施設が充実のエリア☆《オリンピック 草加店/500m マツモトキヨシ/500m》■ポラスの展示場でプランのお打合せが出来ます♪※境界非明示※土地計画道路:谷塚松原線計画あり◆◇住宅ローン相談や資金計画もご相談承ります!      物件の詳細やご内覧等は≪本社営業一課≫までお気軽にお問合せください◇◆
(株)中央住宅不動産ソリューション事業部本社営業課一課

東京都足立区西保木間1 土地

  • 土地
  • 東京都足立区西保木間1 土地
    間取り図
東京都足立区西保木間1
東武伊勢崎線 竹ノ塚駅 徒歩13分
2080
万円
46.59m2 1種住居
なし
60%
200%
  • 建築条件なし
  • 本下水
  • 都市ガス
  • 上物有り
  • 角地
おすすめポイント
■ おすすめポイント ━━━━━━━━━━━━━━━・・・・・  ○ 土地面積46.59平米(公簿面積) ○ 南西側公道と北西側私道に接道する角地 ○ 建築条件付売地ではございません。  お好きなハウスメーカー等で建築可能です。 ○ 足立区立渕江小学校まで徒歩3分■ アクセス ━━━━━━━━━━━━━━━・・・・・ ○ 東武伊勢崎線「竹ノ塚」駅 徒歩13分
三井のリハウス西新井センター三井不動産リアルティ(株)

東京都足立区西伊興2 土地

  • 土地
  • 東京都足立区西伊興2 土地
東京都足立区西伊興2
日暮里・舎人ライナー 舎人公園駅 徒歩13分
東武伊勢崎線 竹ノ塚駅 徒歩19分
日暮里・舎人ライナー 谷在家駅 徒歩18分
4688
万円
100m2 1種低層
なし
50%
150%
  • 建築条件なし
  • 本下水
  • 角地
  • 1種低層地域
  • 整形地
おすすめポイント
┏┓┗■━ おすすめポイント ━・・・・■日暮里・舎人ライナー「舎人公園」歩13分 東武伊勢崎線「竹ノ塚」歩19分でアクセス良好■前面棟無で日当たり良好、プライバシーも守られます!■角地のため日当たり風通し良好!角地を活かした間取り計画を♪■足立区立西伊興小学校、足立区立伊興中学校が徒歩10分以内でお子様も安心■安心の総合病院 徒歩10分以内■スーパー 徒歩10分以内に2ヶ所あり!比べてお得なお買い物ができます♪アクセス良好で買い物施設や病院が徒歩圏内に充実の便利な都市機能と子供の成長に無くてはならない自然が融合した価値ある住環境で快適な生活が叶います♪
(株)シティネット城東支店

東京都足立区保木間3 土地

  • 土地
  • 東京都足立区保木間3 土地
    間取り図
東京都足立区保木間3
東武伊勢崎線 竹ノ塚駅 徒歩17分
つくばエクスプレス 六町駅 徒歩33分
東武伊勢崎線 谷塚駅 徒歩31分
1500
万円
57.51m2 準住居
なし
60%
300%
  • 建築条件なし
  • 上物有り
おすすめポイント
◇◆ 地域愛着型【HOPE HOUSE】の5つの『ココ』がいい ◆◇◆『ココ(1)』口コミ高評価多数×大切なお客様から信頼される不動産◆『ココ(2)』低金利住宅ローン提携×ローン代行事務手数料一切なし◆『ココ(3)』FP・相続診断士×無料相談可能◆『ココ(4)』厳選した職人と提携×業者価格でのリフォーム・オプション工事のご紹介◆『ココ(5)』ゆったりとしたカフェ空間×応接室はうさぎちゃんがお出迎え
(株)HOPEHOUSE

東京都足立区西伊興4 土地

  • 土地
  • 東京都足立区西伊興4 土地
    間取り図
東京都足立区西伊興4
東武伊勢崎線 竹ノ塚駅 徒歩18分
日暮里・舎人ライナー 舎人駅 徒歩17分
4800
万円
135.97m2 1種低層
なし
50%
150%
  • 建築条件なし
  • 本下水
  • 都市ガス
  • 上物有り
  • 角地
  • 1種低層地域
おすすめポイント
■北東の角地■整形地■舎人公園まで徒歩7分(約530m)舎人公園は東京都の総合公園です。テニスコート、遊具広場、野球場、プレイグラウンドなどのスポーツ施設がたくさんあり多くの人が集まります。運動が大好きな方にお勧めです!!
大成有楽不動産販売(株)北千住センター

東京都足立区東伊興1 土地

  • 土地
  • 東京都足立区東伊興1 土地
    間取り図
東京都足立区東伊興1
東武伊勢崎線 竹ノ塚駅 徒歩18分
日暮里・舎人ライナー 舎人駅 徒歩16分
8450
万円
217.59m2 1種低層
なし
50%
150%
  • 建築条件なし
  • 本下水
  • 都市ガス
  • 1種低層地域
おすすめポイント
-物件のおすすめポイント-▼特徴・前面道路は北西側幅員約7.4m、間口は約9.5mの広さ・建築条件付宅地販売ではありません・都市ガス対応▼周辺環境・スーパー「ライフ竹の塚店」徒歩4分(約320m)・足立区立東伊興小学校 徒歩6分(約420m)・足立区立はんの木橋公園 徒歩3分(約240m)※仮測量面積/約211.65平米(2025年7月実施)■ ご希望の住まい探しをお手伝いします ━━━━━・・・物件の詳細・ご相談はお気軽にお問い合わせください。
三井のリハウス西新井センター三井不動産リアルティ(株)

東京都足立区西伊興1 土地

  • 土地
  • 東京都足立区西伊興1 土地
    間取り図
東京都足立区西伊興1
日暮里・舎人ライナー 谷在家駅 徒歩14分
日暮里・舎人ライナー 舎人公園駅 徒歩14分
東武伊勢崎線 竹ノ塚駅 徒歩20分
4800
万円
102.5m2 1種低層
なし
50%
150%
  • 建築条件なし
  • 南道路
  • 本下水
  • 都市ガス
  • 上物有り
  • 1種低層地域
  • 整形地
おすすめポイント
◆2路線2駅利用可!舎人ライナー「谷在家」駅徒歩14分・伊勢崎線「竹ノ塚」駅徒歩20分!◆周辺緑豊かな公園・舎人公園徒歩13分・諏訪木東・西公園徒歩2分◆整形地で静かな住環境の街並みです。
(株)ソレイユリッシュ

東京都足立区東六月町 土地

  • 土地
  • 東京都足立区東六月町 土地
    間取り図
東京都足立区東六月町
つくばエクスプレス 六町駅 徒歩22分
東武伊勢崎線 竹ノ塚駅 徒歩22分
東武伊勢崎線 西新井駅 徒歩30分
3800
万円
114.45m2 1種低層
なし
60%
150%
  • 建築条件なし
  • 南道路
  • 本下水
  • 都市ガス
  • 角地
  • 1種低層地域
おすすめポイント
お問い合わせは「有限会社エクラス」まで☆現地案内会開催中☆現地にて詳細なご説明をご希望のお客様はお気軽にお問合せ下さいませ。◇「東南角地」の陽当たりの良い立地です。◇土地のみの販売となり、建築条件は無しです。お好きなハウスメーカーで建築可能です。ご希望のお客様は、建築会社のご紹介も可能です。◇交通量も少なく周辺は住宅街のため、とても静かな住環境です。◇小さなお子様がいるご家庭でも安心♪子育てに最適な住環境です。◇建物は解体して「更地渡し」となります。ご不明な点がございましたら、まずはお気軽にお問合せ下さいませ。
センチュリー21(有)ecras

埼玉県草加市吉町4 土地

  • 土地
  • 埼玉県草加市吉町4 土地
埼玉県草加市吉町4
東武伊勢崎線 谷塚駅 徒歩15分
東武伊勢崎線 草加駅 徒歩22分
東武伊勢崎線 竹ノ塚駅 徒歩3.8km
3780
万円
126.03m2 準工業
なし
60%
200%
  • 建築条件なし
  • 本下水
  • 都市ガス
  • 角地
おすすめポイント
建築条件付売地ではございません!お好きなハウスメーカーで建築可能です!
(株)ホワイトハウジング
チェックした物件を一括で
  • チェックした物件をまとめて
40
表示件数
OCN×ドコモ光新規お申込みで合計最大137,280円相当おトク!特典の内訳・適用条件など詳細はこちら

条件を選択

価格
土地面積
駅からの時間
建築条件
現況
立地・特徴
条件
画像・動画
情報の新しさ
フリーワード
竹ノ塚駅のおすすめ新築一戸建て

竹ノ塚駅の新築一戸建て情報をもっと見る

足立区の住みやすさ情報

足立区ってどんなところ?

足立区は、伝統と近代性が調和する魅力的な地域です。歴史を感じる西新井大師や、自然豊かな舎人公園もあり、ゆったりとした日常を過ごせます。一方、北千住や西新井エリアはショッピングやグルメスポットが豊富。アートや文化イベントも盛んで、地域コミュニティも活発です。
家賃相場は東京23区の中でも低めで、手頃な住居費と交通アクセスの良さから、ファミリー層にも人気のエリアです。

街ガイド

高野 友樹

公認不動産コンサルティングマスター/相続対策専門士/宅地建物取引士/賃貸不動産経営管理士

不動産会社にて600件以上の仲介、6000戸の収益物件管理を経験。現在は株式会社高野不動産コンサルティングを設立し、不動産コンサルティングを行う。

一人暮らしの人に聞いた
足立区の住みやすさTOP10

  1. 1位スーパーやドラッグストアが充実している
  2. 2位住居費(家賃や物件購入費)が安い
  3. 3位都心に近い

夫婦・カップルに聞いた
足立区の住みやすさTOP10

  1. 1位スーパーやドラッグストアが充実している
  2. 2位必要なものが近場でそろう
  3. 3位都心に近い

ファミリーに聞いた
足立区の住みやすさTOP10

  1. 1位公共の交通機関が充実している
  2. 2位スーパーやドラッグストアが充実している
  3. 3位住居費(家賃や物件購入費)が安い

※対象エリア周辺に過去5年以内に住んだことのある10代~60代の人を対象としてアンケートを実施し、独自に集計しています。

足立区の暮らしデータ

人口などの統計情報

世帯数 345010世帯
人口総数 693223人
転入者数 44256人
転入率(人口1000人当たり)
63.84人
転出者数 35899人
転出率(人口1000人当たり)
51.79人
土地平均価格
住宅地
371926円/m2
商業地
646909円/m2

結婚・育児の助成金

子育て関連の独自の取り組み (1)病児保育(在宅型)利用料金の助成。(2)あだちはじめてえほん事業。(3)あだち幼保小接続期カリキュラム。(4)あだちっ子歯科健診。(5)保育士・幼稚園教諭奨学金返済支援事業補助金。(6)保育士・幼稚園教諭住居借上げ支援事業補助金。(7)保育従事者永年勤続褒賞。(8)足立区教育・保育の質ガイドライン。(9)病児保育(施設型)。
出産祝い あり
公立保育所数 40所(うち0歳児保育を実施している保育所:21所)
私立保育所数 113所(うち0歳児保育を実施している保育所:106所)
保育所入所待機児童数 5人
認定こども園数 7園 預かり保育実施園数 公立:- 私立:45園
学校給食 【小学校】完全給食【中学校】完全給食
公立中学校の学校選択制 実施(自由選択制)
子ども・学生等医療費助成<通院>対象年齢 18歳3月末まで 子ども・学生等医療費助成<入院>対象年齢 18歳3月末まで

足立区の治安・ごみ収集情報

公共料金・インフラ

ガス料金(22m3使用した場合の月額) 東京瓦斯株式会社(東京地区等)3926円
水道料金(口径20mmで20m3の月額) 東京都水道局2816円
下水道料金(20m3を使用した場合の月額) 東京都下水道局2068円
下水道普及率 99.9%

安心・安全

建物火災出火件数 142件
人口10000人当たり
2.04件
刑法犯認知件数 4222件
人口1000人当たり
6.07件
ハザード・防災マップ あり

医療

一般病院総数 54ヶ所
一般診療所総数 454ヶ所
小児科医師数 144人
小児人口10000人当たり
19.86人
産婦人科医師数 26人
15~49歳女性人口1万人当たり
1.79人
介護保険料基準額(月額) 6750円

ごみ

家庭ごみ収集(可燃ごみ) 無料
備考
引越し等に伴う臨時ごみは有料。45リットルのごみ袋1袋あたり300円。
家庭ごみの分別方式 3分別10種〔可燃ごみ 不燃ごみ 資源(古紙[新聞、雑誌類、雑がみ、段ボール、紙パック]、びん、缶、ペットボトル)〕千住、新田、宮城・小台のみ4分別12種〔可燃ごみ 不燃ごみ 資源(古紙[新聞、雑誌類、雑がみ、段ボール、紙パック]、びん、缶、ペットボトル) プラスチック(プラスチック製容器包装、製品プラスチック)〕
家庭ごみの戸別収集 一部実施(次のいずれか位に該当する者のみで構成される世帯で、世帯員が集積所までごみを持ち出すことが困難であり、かつ、世帯員以外の者の協力を得ることが出来ない方。[1]要介護2以上に認定されている者。[2]身体障害者手帳1級又は2級に認定されている者。[3]その他自ら集積所にごみを出すことが困難であると区長が認める者)
粗大ごみ収集 あり
備考
有料。事前申込制。ただし、指定場所への持込が可能な場合は年度内2回、1回につき10点まで無料。
生ごみ処理機助成金制度 あり
上限金額
20000円
上限比率
50.0%

足立区の住まいの給付金

新築建築

利子補給制度 なし
補助/助成金制度 あり
上限金額
(1)1,240万円(2)1,098万円
備考
(1)【都市防災不燃化促進事業】延焼遮断帯となる都市計画道路沿道30m区域(2024年度7地区)にて新築又は建替えに助成。金額は解体が上限280万円。新築は最低200万円で1~3階の床面積及び構造等に応じて、1,000m2以上(耐火建築物)で上限960万円。事業期間は地区ごとに違う。(2)【不燃化特区助成】不燃化特区区域の一部にて老朽建築物からの建替えに解体費、建築費、設計監理費を助成。金額は解体が(1)と同じ。建築は1~3階の床面積と構造に応じて、1,000m2以上(耐火建築物)上限748万円、設計監理費は120m2以上(耐火建築物)上限70万円。事業期間は2025年度まで。(1)、(2)ともに要件あり。

新築購入

利子補給制度 なし
補助/助成金制度 なし
暮らしデータ提供元:生活ガイド.com
※行政機関により公表していない地域及びデータがございます。東京23区以外の政令指定都市は、市全体のデータとして表示しています。
※提供データには細心の注意を払っておりますが、調査後に変更がある場合があります。 最新の情報につきましては各市区役所までお問い合わせいただくか、自治体HPなどをご確認ください。

価格相場

更新日:2025年11月10日

竹ノ塚駅の価格相場

  50㎡~80㎡ 80㎡~100㎡ 100㎡~150㎡ 150㎡~200㎡ 200㎡以上
土地 - 2630万円 3864万円 - -

周辺駅の価格相場

  大師前 谷塚 西新井 草加 梅島
土地 3441万円 2078万円 3316万円 1579万円 3464万円
※このデータはgoo住宅・不動産に掲載されている土地の平均価格(管理費・駐車場代などを除く)を算出したものです。ただし5戸以上の掲載があるものについてのみ対象とします。
※周辺駅の価格相場は広さ50㎡~80㎡の平均価格(管理費・駐車場代などを除く)を算出したものです。

東京都の人気の街アクセスランキング(土地)

※このランキングは2025年10月01日~31日における各ページのアクセス数から算出しています。

他のエリアから探す

特集から探す

建築条件なし売主・代理第1種低層地域

アプリで簡単 物件探し 大手不動産サイトの情報から一括検!プッシュ通知で物件を見逃さない
App Storeからダウンロード Google Playで手に入れよう QRコード