アプリで簡単 物件探し 通知 共有 アプリならではの機能を使ってみる
RSS

大田区(東京都) の第1種低層地域の土地(宅地・分譲地・売地) 物件一覧

東京都大田区の第1種低層地域の土地、分譲地、売地、宅地などの土地物件をご紹介します。売り地、分譲土地、住宅用土地などの土地情報を探すならgoo住宅・不動産。価格・土地面積・建築条件・立地・人気のこだわり条件から物件を簡単検索。理想の物件探しをgoo住宅・不動産がサポートします。

第1種低層地域の土地物件特集
住環境の整った土地を購入したい方におすすめなのが、第一種低層地域です。第一種低層地域は、高層の建物を建てられない戸建てエリアです。高い建物によって日光が遮断されない、住宅街なので騒音トラブルが少ないなどのメリットがある地域なので、住みやすさを感じられますよ。ここで第一種低層地域の土地を紹介するので、引っ越しを検討している方はぜひチェックしてみてくださいね。

第1種低層地域の土地物件特集

探したい物件のエリア・検索条件を変更して再検索

エリア
検索条件 立地・特徴:1種低層地域
176 並び替え
チェックした物件を一括で
選択 物件タイプ
画像
所在地/交通
(駅/バス 所要時間)
価格
坪単価
土地面積 用途地域
建築条件
建ぺい率
容積率

東京都大田区南馬込5丁目 土地

  • 土地
  • 東京都大田区南馬込5丁目 土地
    間取り図
東京都大田区南馬込5丁目
都営地下鉄浅草線 西馬込駅 徒歩5分
都営地下鉄浅草線 馬込駅 徒歩11分
33800
万円

255.41万円
437.47m2 1種低層
なし
50%
100%
  • 建築条件なし
  • 更地
  • 即引渡し可
  • 1種低層地域
おすすめポイント
西馬込駅より徒歩5分の好立地。437.47m2の広々とした土地面積。地下車庫2台分付き!建築条件はございませんので自由設計にてご建築いただけます。
株式会社東宝ハウス大田東京

東京都大田区東雪谷1丁目 土地

  • 土地
  • 東京都大田区東雪谷1丁目 土地
    間取り図
東京都大田区東雪谷1丁目
東急池上線 洗足池駅 徒歩7分
東急池上線 石川台駅 徒歩13分
8980
万円

263.03万円
112.86m2 1種低層
なし
50%
100%
  • 建築条件なし
  • 更地
  • 都市ガス
  • 1種低層地域
おすすめポイント
洗足池駅より徒歩7分の好立地。112.86m2の広々とした土地面積。建築条件はございませんので自由設計にてご建築いただけます。建物参考プランもご提案させていただきます。
株式会社東宝ハウス大田東京

東京都大田区田園調布5丁目 土地

  • 土地
  • NO PHOTO
東京都大田区田園調布5丁目
東急東横線 田園調布駅 徒歩14分
東急大井町線 九品仏駅 徒歩14分
35000
万円

551.62万円
209.77m2 1種低層
なし
40%
80%
  • 建築条件なし
  • 本下水
  • 都市ガス
  • 上物有り
  • 角地
  • 1種低層地域
おすすめポイント
◆支持中文 ◆English available ◇Please contact by email ※ネイティブレベルで中国語、英語対応可能なスタッフ在籍
株式会社リードホーム

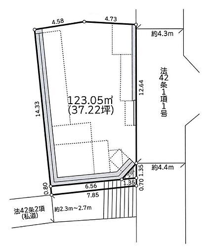
東京都大田区南馬込3丁目 土地

  • 土地
  • 東京都大田区南馬込3丁目 土地
    間取り図
  • 【パノラマ有り】
東京都大田区南馬込3丁目
京浜東北・根岸線 大森駅 徒歩15分
都営地下鉄浅草線 西馬込駅 徒歩17分
7750
万円

208.21万円
123.05m2 1種低層
なし
50%
100%
  • 建築条件なし
  • 更地
  • 本下水
  • 都市ガス
  • 角地
  • 1種低層地域
おすすめポイント
【JR京浜東北線「大森」駅まで徒歩15分!売地】 小学校徒歩3分!周辺は落ち着いた低層住宅街♪南角地につき陽当り良好! 建築条件なしのため、お好きなハウスメーカー・工務店で建築可能です。
朝日土地建物株式会社 横浜店 営業2課

東京都大田区東雪谷1丁目 土地

  • 土地
  • 東京都大田区東雪谷1丁目 土地
東京都大田区東雪谷1丁目
東急池上線 洗足池駅 徒歩7分
東急大井町線 北千束駅 徒歩18分
8980
万円

263.04万円
112.86m2 1種低層
なし
50%
100%
  • 建築条件なし
  • 更地
  • 本下水
  • 都市ガス
  • 1種低層地域
おすすめポイント
建築条件無し■「洗足池」駅約徒歩7分■参考プラン有■小学校まで徒歩約4分
株式会社リビングライフ

東京都大田区南馬込3丁目 土地

  • 土地
  • 東京都大田区南馬込3丁目 土地
東京都大田区南馬込3丁目
京浜東北・根岸線 大森駅 徒歩15分
都営地下鉄浅草線 西馬込駅 徒歩16分
7750
万円

208.23万円
123.05m2 1種低層
なし
50%
100%
  • 建築条件なし
  • 更地
  • 本下水
  • 都市ガス
  • 角地
  • 1種低層地域
おすすめポイント
ハウジングスカイの「諸費用節約対象物件」です。「大森」駅徒歩15分。建築条件なし。お好きなハウスメーカーで建築できます。
ハウジングスカイ株式会社

東京都大田区久が原3丁目 土地

  • 建築条件付土地
  • 東京都大田区久が原3丁目 建築条件付土地
    間取り図
  • 【パノラマ有り】
東京都大田区久が原3丁目
東急池上線 久が原駅 徒歩6分
東急池上線 御嶽山駅 徒歩10分
17980
万円

356.2万円
166.87m2 1種低層
あり
50%
100%
  • 更地
  • 1種低層地域
株式会社東宝ハウス世田谷

東京都大田区南千束2丁目 土地

  • 土地
  • 東京都大田区南千束2丁目 土地
    間取り図
東京都大田区南千束2丁目
東急大井町線 北千束駅 徒歩4分
東急大井町線 大岡山駅 徒歩10分
10500
万円

289.58万円
119.87m2 1種低層
なし
50%
100%
  • 建築条件なし
  • 更地
  • 本下水
  • 都市ガス
  • 1種低層地域
おすすめポイント
◆支持中文 ◆English available ◇Please contact by email ※ネイティブレベルで中国語、英語対応可能なスタッフ在籍
株式会社リードホーム
new

東京都大田区北千束3 土地

  • 土地
  • 東京都大田区北千束3 土地
    間取り図
東京都大田区北千束3
東急目黒線 大岡山駅 徒歩6分
東急大井町線 大岡山駅 徒歩6分
東急大井町線 北千束駅 徒歩7分
5250
万円
53.02m2 1種低層
なし
50%
100%
  • 建築条件なし
  • 本下水
  • 都市ガス
  • 上物有り
  • 1種低層地域
おすすめポイント
-物件のおすすめポイント-▼立地・ 2路線2駅利用可 東急目黒線・大井町線「大岡山」駅徒歩6分 東急大井町線「北千束」駅徒歩7分▼土地の特徴・ 建ぺい率50%・容積率100%  第一種低層住居専用地域に位置する土地・ 建築条件付売地ではありません お好きなハウスメーカー・工務店にて建築可能▼周辺環境・スーパー・郵便局等徒歩10分以内と生活に便利な立地■ ご希望の住まい探しをお手伝いします ━━━━━・・・物件の詳細・ご相談はお気軽にお問い合わせください。
三井のリハウス大岡山センター三井不動産リアルティ(株)
new

東京都大田区北千束3 土地

  • 土地
  • 東京都大田区北千束3 土地
    間取り図
東京都大田区北千束3
東急目黒線 大岡山駅 徒歩6分
東急大井町線 大岡山駅 徒歩6分
5250
万円
53.02m2 1種低層
なし
50%
100%
  • 建築条件なし
  • 本下水
  • 都市ガス
  • 上物有り
  • 1種低層地域
おすすめポイント
■3駅2路線利用可能な好立地です。・東急目黒線、大井町線「大岡山」駅徒歩6分・東急大井町線「北千束」駅徒歩7分・東急目黒線「洗足」駅徒歩11分■最寄駅の大岡山駅から正面改札を出ると、多様な店が揃う大岡山北口商店街が広がっています。■第一種低層住居専用地域の閑静な住宅街に立地。周辺は低層住宅の街並みが広がっております。■南側道路に面しており、かつ南側は4mの隣地通路となっているため非常に開放感があり日当たり良好です。■古家の建物内をご覧いただく事が可能です。■前面道路は車の交通量が少ないのが特徴です。
東急リバブル(株)大岡山センター
new

東京都大田区山王1 土地

  • 建築条件付土地
  • 東京都大田区山王1 建築条件付土地
東京都大田区山王1
JR京浜東北線 大森駅 徒歩9分
JR埼京線 西大井駅 徒歩16分
都営浅草線 馬込駅 徒歩16分
7280
万円
91.51m2 1種低層
あり
60%
150%
  • 更地
  • 本下水
  • 都市ガス
  • 1種低層地域
おすすめポイント
◆土地+建物9480万円♪◆周辺には教育施設や公園が点在、子育てにも最適な立地◆『大森』駅から『品川』駅まで約6分◆商業施設もあり、買い物便利◆建築参考プランLDK18帖超3LDK+車庫 カラーセレクトできます!◆南西向きの為、採光・通風良好◎━━━━━━━━━━━━━━━━━━━━━━━■〇お客様のご条件をお聞かせいただき、ご希望に沿った物件をご紹介いたします。〇ご自宅やご指定の場所まで送迎も行っております。土日祝日はもちろん、お仕事終わりの時間帯でもご案内いたします。当日案内希望など、お気軽にお問合せください!■━━━━━━━━━━━━━━━━━━━━━━━
(株)グッドリアルター
new

東京都大田区山王1 土地

  • 土地
  • 東京都大田区山王1 土地
東京都大田区山王1
JR京浜東北線 大森駅 徒歩9分
JR横須賀線 西大井駅 徒歩15分
京急本線 大森海岸駅 徒歩20分
11000
万円
100.08m2 1種低層
なし
60%
150%
  • 建築条件なし
  • 更地
  • 即引渡し可
  • 1種低層地域
おすすめポイント
■山王小学校まで徒歩約5分 通学路はお店などが点在し視認性が高いのでご安心いただけるかと思います。■前面道路約4mございますが、交通量が非常に少ないためとても静かな環境です。■小さなお子様がいるご家庭やペットを飼っているご家庭にはうれしい蘇峰公園まで約5分の距離。■スーパーやドラッグストア、コンビニがすべて徒歩10分以内にございます。現地にて詳細なご説明をさせていただきます。まずはお気軽に資料請求・ご見学予約をお送りください。
(株)ランディックス

東京都大田区南久が原1 土地

  • 土地
  • 東京都大田区南久が原1 土地
    間取り図
東京都大田区南久が原1
東急池上線 千鳥町駅 徒歩3分
東急多摩川線 下丸子駅 徒歩9分
7480
万円
99.17m2 1種低層
なし
50%
100%
  • 建築条件なし
  • 更地
  • 1種低層地域
おすすめポイント
オススメPOINT■約29坪の丁度良い広さ!お好きなプランで建築可能!■東急池上線『千鳥町』駅徒歩3分の駅近土地!■2駅2路線徒歩10分以内の便利な立地です!■前面道路広く、間口の広い整形地!■2階建低層住宅が建ち並ぶ閑静な住宅地!■建物解体後、更地にしてお引き渡しいたします!■資金計画、住宅ローンのご説明承ります!株式会社POMとは・・・心のゆとり・心の平和「Peace of mind」をモットーにお客様に安心してお過ごしいただける不動産をご提案いたします。お問い合わせ:03-5990-5140
(株)POM

東京都大田区東嶺町 土地

  • 土地
  • 東京都大田区東嶺町 土地
東京都大田区東嶺町
東急池上線 久が原駅 徒歩3分
東急池上線 御嶽山駅 徒歩8分
東急多摩川線 鵜の木駅 徒歩14分
7980
万円
88.82m2 1種低層
なし
50%
100%
  • 建築条件なし
  • 本下水
  • 都市ガス
  • 上物有り
  • 1種低層地域
おすすめポイント
☆即日ご案内可能☆------ おすすめポイント ------◆最寄り駅まで徒歩3分の立地◆2路線利用可能な立地 ・東急池上線、多摩川線が利用可能です♪◆所有権◆西側公道面◆建築条件なしの売地 ・お好きなハウスメーカーにて建築できます♪◆ハウスメーカーや工務店など建築会社様のご紹介も可能です◆第一種低層住居専用地域の閑静な住宅街◆建物参考プラン有り ・2階建て3LDK+カースペース ・リビング階に水回り集約 ・全室収納付き ・パントリー有り
H&A(株)蒲田店

東京都大田区田園調布本町 土地

  • 土地
  • 東京都大田区田園調布本町 土地
    間取り図
東京都大田区田園調布本町
東急多摩川線 沼部駅 徒歩3分
11980
万円
201.32m2 1種低層
なし
50%
100%
  • 建築条件なし
  • 本下水
  • 都市ガス
  • 上物有り
  • 1種低層地域
おすすめポイント
《アクセス》・東急多摩川線「沼部」駅まで徒歩3分で、通勤・通学に便利な立地です。《周辺環境・立地条件等》・路地状敷地のため、表通りから一本入っており、人目が気にならないのが特徴です。・徒歩1分に位置する桜坂では春に桜を見ることができます。《道路・方位等》・北西側幅員4m道路に間口約4m接道しています。《リビングメッセージ》・ファミリーマート田園調布本町店(約180m)・ローソン田園調布南店(約550m)・まいばすけっと沼部駅前店(約240m)・オーケー田園調布店(約750m)・大田区立東調布第一小学校(約400m)・大田区立東調布中学校(約410m)
東急リバブル(株)田園調布センター

東京都大田区東馬込1 土地

  • 建築条件付土地
  • 東京都大田区東馬込1 建築条件付土地
    間取り図
東京都大田区東馬込1
都営浅草線 馬込駅 徒歩4分
JR横須賀線 西大井駅 徒歩14分
東急大井町線 荏原町駅 徒歩16分
6180
万円
70.91m2 1種低層
あり
50%
100%
  • 本下水
  • 都市ガス
  • 上物有り
  • 1種低層地域
おすすめポイント
☆即日ご案内可能☆------ おすすめポイント ------◆所有権◆南東側隣地敷延のため開放感あり◆3路線3駅利用可能 ・都営浅草線「馬込」駅まで徒歩4分の立地 ・JR横須賀線、JR湘南新宿ラインも利用可能◆建物参考プラン有り◇建物価格1400万円 ・2階建て ・3LDKタイプ ・小屋裏収納付き ・食器洗浄機・浴室乾燥機標準装備
H&A(株)蒲田店

東京都大田区田園調布本町 土地

  • 土地
  • 東京都大田区田園調布本町 土地
    間取り図
東京都大田区田園調布本町
東急多摩川線 沼部駅 徒歩4分
東急池上線 御嶽山駅 徒歩15分
東急東横線 多摩川駅 徒歩12分
8280
万円
163.97m2 1種低層
なし
50%
100%
  • 建築条件なし
  • 更地
  • 本下水
  • 都市ガス
  • 1種低層地域
おすすめポイント
即日のご案内もお気軽にご相談ください♪◇参考プラン有り・建物面積129.18㎡ 4LDK+グルニエ+車庫(2台)・LDK20帖「ゆとりあるリビング」・全居室収納・パントリー有りキッチン
(株)アドキャスト蒲田支店

東京都大田区東嶺町 土地

  • 土地
  • NO PHOTO
東京都大田区東嶺町
東急池上線 久が原駅 徒歩4分
東急池上線 御嶽山駅 徒歩10分
東急多摩川線 鵜の木駅 徒歩16分
9280
万円
109.03m2 1種低層
なし
50%
100%
  • 建築条件なし
  • 本下水
  • 都市ガス
  • 角地
  • 1種低層地域
  • 整形地
おすすめポイント
【最終1区画】- B区画:109.03㎡(販売価格:9,280万円)B区画:間口が広く道路付けも良好。角地ならではの開放感。・建築条件なし・更地渡し・当社一級建築士がお客様のライフスタイルに合わせたプランを作成いたします。・「久が原」駅へ徒歩4分。・「御嶽山」駅へ徒歩10分。「品が良くて落ち着いてる」街並みスーパーも八百屋も個性的なカフェも全部徒歩圏で、休日も楽しめます。小学校や中学校も近くにございますので住んでからの安心感も◎■最適な金融機関のご提案お客様に合った資金計画をもとに、最適な金融機関をご提案致します!お気軽にご相談ください!■豊富な物件情報
(株)アイリス

東京都大田区久が原6 土地

  • 土地
  • 東京都大田区久が原6 土地
    間取り図
東京都大田区久が原6
東急池上線 千鳥町駅 徒歩4分
東急多摩川線 下丸子駅 徒歩11分
東急池上線 久が原駅 徒歩10分
9980
万円
177.64m2 1種低層
なし
50%
100%
  • 建築条件なし
  • 本下水
  • 都市ガス
  • 上物有り
  • 1種低層地域
おすすめポイント
■高級住宅街として知られ特に子育て世代に人気のあるエリアです■閑静な住宅街で治安が良く、緑豊かな公園も点在しているため、安心して子育てができる環境が整っています■公園や緑地が多く、子育て世代にとって魅力的な環境です。■東急池上線「千鳥町」駅まで徒歩4分と近く、東急多摩川線も利用できるため都心や横浜方面へのアクセスも良好です■スーパーマーケットやコンビニエンスストア、飲食店なども充実しており、生活に必要なものが揃います☆お気軽に資料請求&お問い合わせください!■
センチュリー21(株)コスモジャパン
チェックした物件を一括で

東京都大田区田園調布2 土地

  • 土地
  • 東京都大田区田園調布2 土地
    間取り図
東京都大田区田園調布2
東急東横線 田園調布駅 徒歩4分
東急目黒線 田園調布駅 徒歩4分
15480
万円
154.59m2 1種低層
なし
40%
100%
  • 建築条件なし
  • 更地
  • 1種低層地域
おすすめポイント
-物件のおすすめポイント-▼立地・東急東横線・東急目黒線「田園調布」駅 徒歩4分▼特徴・土地面積154.59平米(約46.76坪)の広さ・前面道路幅員は約5.4m(公道)、接道間口は約3.0m・建ぺい率40%、容積率100%・通行人の視線や音が届きにくい旗竿地・建築条件付宅地販売ではありません・お好きなハウスメーカー・工務店を選んで建築が可能※多摩川風致地区により建ぺい率40%※敷地内西側に擁壁あり※アスファルト舗装での引渡しとなります■ ご希望の住まい探しをお手伝いします ━━━━━・・・物件の詳細・ご相談はお気軽にお問い合わせください。
三井のリハウス田園調布センター三井不動産リアルティ(株)

東京都大田区東馬込1 土地

  • 土地
  • 東京都大田区東馬込1 土地
    間取り図
東京都大田区東馬込1
都営浅草線 馬込駅 徒歩5分
2480
万円
55.97m2 1種低層
なし
50%
100%
  • 建築条件なし
  • 更地
  • 本下水
  • 都市ガス
  • 1種低層地域
野村の仲介+中野センター野村不動産ソリューションズ(株)

東京都大田区北千束3 土地

  • 土地
  • 東京都大田区北千束3 土地
    間取り図
東京都大田区北千束3
東急目黒線 大岡山駅 徒歩5分
東急大井町線 北千束駅 徒歩8分
東急目黒線 洗足駅 徒歩11分
9680
万円
72.17m2 1種低層
なし
50%
100%
  • 建築条件なし
  • 更地
  • 南道路
  • 本下水
  • 都市ガス
  • 1種低層地域
  • 整形地
おすすめポイント
■3駅2路線利用可能な好立地です。■最寄駅の大岡山駅から正面改札を出ると、多様な店が揃う大岡山北口商店街が広がっています。■第一種低層住居専用地域の閑静な住宅街に立地。周辺は低層住宅の街並みが広がっております。■南側道路に面しており、かつ南側は区立の公園となっているため非常に開放感があります。■土地面積72.17m2の整形地です。■前面道路は通りぬけができないため、車の交通量が少ないのが特徴です。■建築条件付き売地ではないため、お好きなハウスメーカー・工務店での建築が可能です。 間取り、設備、外観、全て自分好みのスタイルで一からご検討いただくことが可能です。
東急リバブル(株)大岡山センター

東京都大田区久が原6 土地

  • 土地
  • 東京都大田区久が原6 土地
    間取り図
東京都大田区久が原6
東急池上線 千鳥町駅 徒歩5分
東急多摩川線 下丸子駅 徒歩13分
12380
万円
135.3m2 1種低層
なし
50%
100%
  • 建築条件なし
  • 更地
  • 南道路
  • 本下水
  • 都市ガス
  • 1種低層地域
  • 整形地
おすすめポイント
【物件のポイント】◆第一種低層住居専用地域内の閑静な立地! 土地面積40坪のゆとりあるお広さです!◆南道路に面した、整形のお土地です! 接道間口約11.4mと広めの形状です!◆建築条件はございません! お好きなハウスメーカーで建築可能です!【ライフインフォメーション】◇ローソン千鳥一丁目店 …徒歩4分(約280m)◇サミットストア大田千鳥町店 …徒歩6分(約480m)◇千鳥町駅前郵便局 …徒歩4分(約300m)◇区立久原小学校 …徒歩9分(約710m)◇区立大森第十中学校 …徒歩20分(約1,600m) 他
東急リバブル(株)久が原センター

東京都大田区南千束1 土地

  • 建築条件付土地
  • 東京都大田区南千束1 建築条件付土地
    間取り図
東京都大田区南千束1
東急大井町線 北千束駅 徒歩5分
東急池上線 長原駅 徒歩7分
東急目黒線 大岡山駅 徒歩15分
14000
万円
111.82m2 1種低層
あり
50%
100%
  • 更地
  • 本下水
  • 都市ガス
  • 1種低層地域
  • 整形地
おすすめポイント
☆━━━…‥ ・ 物件の特徴 ・ ‥ …━━━☆◆通勤通学に便利な大井町線『北千束』駅 利用可能♪◆周辺は閑静な住宅地につき落ち着いた街並みでお過ごし頂けます♪◆スーパー、コンビニ、公園等、生活環境良好♪◆同仕様モデルハウスのご案内や建物プレゼンテーションも随時受付中♪是非、現地をご確認ください!☆━━━…‥ ・ ━☆━ ・ ‥…━━━☆
(株)アドキャスト等々力支店

東京都大田区南千束2 土地

  • 土地
  • 東京都大田区南千束2 土地
    間取り図
東京都大田区南千束2
東急大井町線 北千束駅 徒歩5分
東急目黒線 大岡山駅 徒歩10分
東急池上線 洗足池駅 徒歩10分
16880
万円
139.37m2 1種低層
なし
50%
100%
  • 建築条件なし
  • 更地
  • 本下水
  • 都市ガス
  • 1種低層地域
おすすめポイント
■閑静な住宅街で環境良好■セブンイレブン大田区北千束3丁目店…約500m(徒歩約7分)■まいばすけっと北千束駅前店…約460m(約6分)
みずほ不動産販売(株)五反田センター

東京都大田区南馬込5 土地

  • 土地
  • 東京都大田区南馬込5 土地
    間取り図
東京都大田区南馬込5
都営浅草線 西馬込駅 徒歩5分
都営浅草線 馬込駅 徒歩11分
33800
万円
437.55m2 1種低層
なし
50%
100%
  • 建築条件なし
  • 更地
  • 都市ガス
  • 1種低層地域
おすすめポイント
◆都営浅草線「西馬込」駅まで徒歩5分◆都営浅草線「馬込」駅徒歩11分-*∴*-おすすめポイント-*∴*-◇土地面積:437.55㎡◇建ぺい率:50%◇容積率:100%◇建築条件付き土地ではございませんので、 お好きなハウスメーカー・工務店で建築可能です。◇地下車庫付(2025年9月 シャッター以外の塗装工事完了) ※駐車可能な車両は車種によります。
住友不動産ステップ(株)自由が丘営業センター2課

東京都大田区南馬込5 土地

  • 土地
  • 東京都大田区南馬込5 土地
    間取り図
東京都大田区南馬込5
都営浅草線 西馬込駅 徒歩5分
都営浅草線 馬込駅 徒歩10分
33800
万円
437.47m2 1種低層
なし
50%
100%
  • 建築条件なし
  • 本下水
  • 都市ガス
  • 上物有り
  • 1種低層地域
おすすめポイント
■閑静な住宅街■地下車庫部分は壁・床・天井塗装工事いたいします。ハイルーフ車も駐車可能。■解体更地渡し■建築条件無し■前面道路6.52mの広々感!駐車もスムーズで、明るく風通しの良い住まいを実現できます。■始発駅なので通勤も通学もラクラク◇ 住み替え相談会開催! ◇ご自宅の売却から新居のご購入までをすべてサポート!ナイス株式会社がお客様一人ひとりに合ったお住み替えをご提案いたします。◆ 来店相談のご予約 ◆店舗フリーダイヤル【0120-713-218】までご連絡ください。/お気軽にお問い合わせください。皆さまからのご連絡をお待ちしております!\
ナイス(株)ナイス住まいの情報館 大森

東京都大田区南馬込5 土地

  • 土地
  • 東京都大田区南馬込5 土地
    間取り図
東京都大田区南馬込5
都営浅草線 西馬込駅 徒歩5分
33800
万円
437.55m2 1種低層
なし
50%
100%
  • 建築条件なし
  • 更地
  • 本下水
  • 都市ガス
  • 1種低層地域
野村の仲介+五反田センター野村不動産ソリューションズ(株)

東京都大田区南馬込5 土地

  • 土地
  • 東京都大田区南馬込5 土地
    間取り図
東京都大田区南馬込5
都営浅草線 西馬込駅 徒歩5分
33800
万円
437.55m2 1種低層
なし
50%
100%
  • 建築条件なし
  • 本下水
  • 都市ガス
  • 上物有り
  • 1種低層地域
  • 整形地
おすすめポイント
ー 前面道路6.5M × 広々132坪超え × 更地渡し ー□都営浅草線「西馬込駅」 徒歩5分■大田区立馬込小学校:徒歩4分■大田区立馬込中学校:徒歩12分・子育て支援が充実したファミリー層にも人気のエリア・始発の馬込駅♪各方面へのアクセス良好♪ 朝のラッシュ時でも座って通勤・通学ができるのが◎お問い合わせはお気軽に加藤までご連絡くださいませ。
タカマツハウス不動産(株)桜新町店

東京都大田区南馬込5 土地

  • 土地
  • 東京都大田区南馬込5 土地
    間取り図
東京都大田区南馬込5
都営浅草線 西馬込駅 徒歩5分
都営浅草線 馬込駅 徒歩11分
東急大井町線 荏原町駅 徒歩21分
34400
万円
437.55m2 1種低層
なし
50%
100%
  • 建築条件なし
  • 本下水
  • 都市ガス
  • 1種低層地域
おすすめポイント
[VECS]南馬込5丁目土地 特徴建築条件ございません!スーパーやコンビニも徒歩圏内、周辺は緑豊かで公園も複数あり落ち着いた住宅街です。最寄りの西馬込駅は地下鉄浅草線の始発駅で各路線への接続も良好です♪ ♪現地内覧予約受付中です♪【資料請求】は上記ボタンよりお進みください。 電話からは TEL0120-002-237 【通話料無料】 ♪ご案内内容の目安になります。♪□現地/物件見学(30分~)□資金計画のご相談 (30分~) □ご希望条件のご相談 (15分~)
(株)VECS(ヴェックス)

東京都大田区南馬込5 土地

  • 土地
  • 東京都大田区南馬込5 土地
    間取り図
東京都大田区南馬込5
都営浅草線 西馬込駅 徒歩5分
都営浅草線 馬込駅 徒歩12分
東急大井町線 荏原町駅 徒歩22分
34400
万円
437.55m2 1種低層
なし
50%
100%
  • 建築条件なし
  • 本下水
  • 都市ガス
  • 1種低層地域
おすすめポイント
都営浅草線「西馬込」駅から徒歩5分。前面道路は6.5mあり、ゆとりある間口も確保。解体後、更地でのお渡しですので、購入後すぐに建築計画をスタートできます。建築条件無しでお好きなハウスメーカー、工務店で建築可能です。建築会社のご紹介までトータルサポート、納得いくまでお付き合いします。都内の人気の住宅地の不動産情報に特化し営業させて頂いております。ご成約頂いたお客様の約3割が紹介・口コミ・リピートのお客様で、地主様から直接ご相談頂く案件等大手他社にはない地域密着ならではの未公開情報を提供させて頂いておりますので、お問い合わせお待ちしております。
(株)ランディックス

東京都大田区南馬込5 土地

  • 土地
  • 東京都大田区南馬込5 土地
    間取り図
東京都大田区南馬込5
都営浅草線 西馬込駅 徒歩5分
東急大井町線 荏原町駅 徒歩22分
東急池上線 長原駅 徒歩26分
34400
万円
437.55m2 1種低層
なし
50%
100%
  • 建築条件なし
  • 本下水
  • 都市ガス
  • 1種低層地域
  • 整形地
おすすめポイント
□都営浅草線「西馬込駅」 徒歩5分■大田区立馬込小学校:徒歩4分■大田区立馬込中学校:徒歩12分・子育て支援が充実したファミリー層にも人気のエリア・始発の馬込駅♪各方面へのアクセス良好♪ 朝のラッシュ時でも座って通勤・通学ができるのが◎□想いを形へプロジェクト建築条件はございませんので、お好みのハウスメーカーにて建築いただけます。また間取りの作成や建築会社のご紹介など無料にて承っております!ご家族のスタイルに合った住まいをご提案します。お気軽にご相談ください。
ARROW LINK(株)杉並店

東京都大田区東雪谷1 土地

  • 土地
  • 東京都大田区東雪谷1 土地
    間取り図
東京都大田区東雪谷1
東急池上線 洗足池駅 徒歩6分
東急池上線 石川台駅 徒歩8分
東急池上線 雪が谷大塚駅 徒歩14分
6800
万円
65.68m2 1種低層
なし
50%
100%
  • 建築条件なし
  • 更地
  • 1種低層地域
  • 整形地
おすすめポイント
-物件のおすすめポイント-▼立地・東急池上線「洗足池」駅 徒歩6分・第一種低層住居専用地域▼特徴・土地面積65.68平米(約19.86坪)・前面道路は南西側幅員約6.1mの公道・現況更地につき、プラン確定次第スムーズに建築に移行可能・周囲には既に建物があるため、窓の位置等を考慮した設計が可能・建築条件付宅地販売ではありません▼周辺環境・セブンイレブン大田区東雪谷1丁目店 徒歩4分(約320m)・スーパー「まいばすけっと洗足池駅前店」徒歩5分(約380m)■ ご希望の住まい探しをお手伝いします ━━━━━・・・物件の詳細・ご相談はお気軽にお問い合わせください。
三井不動産リアルティ(株)旗の台センター

東京都大田区南久が原1 土地

  • 土地
  • 東京都大田区南久が原1 土地
    間取り図
東京都大田区南久が原1
東急池上線 千鳥町駅 徒歩6分
東急多摩川線 下丸子駅 徒歩6分
7480
万円
158.84m2 1種低層
なし
50%
100%
  • 建築条件なし
  • 南道路
  • 本下水
  • 都市ガス
  • 上物有り
  • 角地
  • 1種低層地域
  • 整形地
おすすめポイント
-物件のおすすめポイント-▼立地・東急池上線「千鳥町」駅 徒歩6分・東急多摩川線「下丸子」駅 徒歩6分・第一種低層住居専用地域の閑静な住宅街▼特徴・土地面積158.84平米(約48.04坪)・間口は南側約8.3m・西側約9.8m・建築条件付宅地販売ではありません・都市ガス対応▼周辺環境・スーパー「サミットストア大田千鳥町店」徒歩5分(約380m)・ファミリーマート大田千鳥三丁目店 徒歩4分(約290m)・大田区立東調布第三小学校 徒歩7分(約560m)■ ご希望の住まい探しをお手伝いします ━━━━━・・・物件の詳細・ご相談はお気軽にお問い合わせください。
三井のリハウス自由が丘センター三井不動産リアルティ(株)

東京都大田区北嶺町 土地

  • 土地
  • 東京都大田区北嶺町 土地
    間取り図
東京都大田区北嶺町
東急池上線 御嶽山駅 徒歩6分
東急池上線 雪が谷大塚駅 徒歩12分
東急池上線 久が原駅 徒歩13分
7680
万円
89.59m2 1種低層
なし
50%
100%
  • 建築条件なし
  • 本下水
  • 都市ガス
  • 即引渡し可
  • 1種低層地域
おすすめポイント
■東急池上線「御嶽山」駅徒歩6分の立地・3駅利用可能です■参考プランの作成も承っております。■現地のご見学や、資料請求等、お気軽にお問い合わせください!
三井住友トラスト不動産(株)本社営業センター

東京都大田区南久が原2 土地

  • 土地
  • 東京都大田区南久が原2 土地
    間取り図
東京都大田区南久が原2
東急池上線 久が原駅 徒歩6分
東急多摩川線 鵜の木駅 徒歩9分
8550
万円
88.01m2 1種低層
なし
50%
100%
  • 建築条件なし
  • 更地
  • 本下水
  • 都市ガス
  • 1種低層地域
  • 整形地
おすすめポイント
-物件のおすすめポイント-▼立地・東急池上線「久が原」駅 徒歩6分・東急多摩川線「鵜の木」駅 徒歩9分・第一種低層住居専用地域▼特徴・土地面積90.07平米(約27.24坪)・前面道路は東側公道・建築条件付宅地販売ではありません・現況更地のため、プラン決定後はスムーズに建築へ移行可能・建物の参考プラン作成可能、お気軽にお申し付けください▼周辺環境・東調布第三小学校 徒歩2分(約160m)・セブンイレブン大田区久が原駅前店 徒歩5分(約400m)■ ご希望の住まい探しをお手伝いします ━━━━━・・・物件の詳細・ご相談はお気軽にお問い合わせください。
三井のリハウス蒲田センター三井不動産リアルティ(株)

東京都大田区北嶺町 土地

  • 土地
  • 東京都大田区北嶺町 土地
    間取り図
東京都大田区北嶺町
東急池上線 御嶽山駅 徒歩6分
東急池上線 雪が谷大塚駅 徒歩9分
11600
万円
208.41m2 1種低層
なし
50%
100%
  • 建築条件なし
  • 本下水
  • 都市ガス
  • 上物有り
  • 1種低層地域
おすすめポイント
┏┓オススメポイント┗□━━━━━━━━━━━━━━━━━━━━ ・前面道路【約7.3m】の公道接道   ・建ぺい率:50% 容積率:100% ・建築条件【なし】の売地 ・敷地面積60坪超 ・東急池上線「御嶽山」駅徒歩6分  ・建築参考プランのご用意も出来ます  ※戸建・アパート等  ご希望のプランをお話しください
野村の仲介+旗の台センター野村不動産ソリューションズ(株)

東京都大田区田園調布3 土地

  • 土地
  • 東京都大田区田園調布3 土地
    間取り図
東京都大田区田園調布3
東急目黒線 田園調布駅 徒歩6分
東急東横線 田園調布駅 徒歩6分
26800
万円
304.13m2 1種低層
なし
40%
80%
  • 建築条件なし
  • 本下水
  • 都市ガス
  • 上物有り
  • 角地
  • 1種低層地域
おすすめポイント
《アクセス》・東急東横線田園調布駅まで徒歩6分、東急目黒線田園調布駅まで徒歩6分と2路線の利用が可能です。 お出かけ先や目的に応じて駅をお選びいただけます。《周辺環境・立地条件》・第一種低層住居専用地域の閑静な住宅街に立地。周辺は低層住宅の街並みが広がっております。・南側隣地よりも敷地が約3m高くなっているため、陽当たり良好です。《道路・方位等》・北・東の角地です。採光・通風に優れ、開放感ある立地条件です。
東急リバブル(株)田園調布センター

東京都大田区南雪谷4 土地

  • 土地
  • 東京都大田区南雪谷4 土地
    間取り図
東京都大田区南雪谷4
東急池上線 御嶽山駅 徒歩7分
東急池上線 雪が谷大塚駅 徒歩8分
3560
万円
46.03m2 1種低層
なし
50%
100%
  • 建築条件なし
  • 本下水
  • 都市ガス
  • 上物有り
  • 1種低層地域
おすすめポイント
アクセス》・東急池上線「御嶽山」駅まで徒歩7分の物件です。 東急池上線「雪が谷大塚」駅まで徒歩8分も利用可能です。《周辺環境・立地条件》・現地は、通り1本入ったところに立地。現地周辺は閑静な住宅地が広がっています。・第一種低層住居専用地域の閑静な住宅街に立地。周辺は低層住宅の街並みが広がっております。・宅地内は高低差のないフラットな地形です。
東急リバブル(株)久が原センター

東京都大田区久が原1 土地

  • 土地
  • 東京都大田区久が原1 土地
    間取り図
東京都大田区久が原1
東急池上線 久が原駅 徒歩7分
5980
万円
130.27m2 1種低層
なし
50%
100%
  • 建築条件なし
  • 本下水
  • 都市ガス
  • 上物有り
  • 1種低層地域
おすすめポイント
・東急池上線「久が原」駅徒歩7分・建築条件無し
みずほ不動産販売(株)自由が丘センター
チェックした物件を一括で
  • チェックした物件をまとめて
176
表示件数 12345 次へ
OCN×ドコモ光新規お申込みで合計最大137,280円相当おトク!特典の内訳・適用条件など詳細はこちら

条件を選択

価格
土地面積
駅からの時間
建築条件
現況
立地・特徴
条件
画像・動画
情報の新しさ
フリーワード
大田区のおすすめ新築一戸建て

大田区の新築一戸建て情報をもっと見る

大田区の住みやすさ情報

大田区ってどんなところ?

東京都の最南に位置する大田区ですが、JR・東急電鉄・京急電鉄・都営地下鉄など、多くの路線が通っているため、都心へのアクセスは良好。羽田空港があることでも知られています。
高級住宅街で有名な田園調布と下町情緒あふれる蒲田といった、相反するスポットがあるのも特徴。また、多摩川沿いには自然豊かな公園や大きなグラウンドがあり、家族連れやスポーツ愛好家にも人気があります。
多様なライフスタイルに対応できる地域といえるでしょう。

街ガイド

高野 友樹

公認不動産コンサルティングマスター/相続対策専門士/宅地建物取引士/賃貸不動産経営管理士

不動産会社にて600件以上の仲介、6000戸の収益物件管理を経験。現在は株式会社高野不動産コンサルティングを設立し、不動産コンサルティングを行う。

一人暮らしの人に聞いた
大田区の住みやすさTOP10

  1. 1位スーパーやドラッグストアが充実している
  2. 2位都心に近い
  3. 3位公共の交通機関が充実している

夫婦・カップルに聞いた
大田区の住みやすさTOP10

  1. 1位都心に近い
  2. 2位閑静で落ち着きがある
  3. 3位自然や公園が多い

ファミリーに聞いた
大田区の住みやすさTOP10

  1. 1位都心に近い
  2. 2位スーパーやドラッグストアが充実している
  3. 3位病院やクリニックが多い

※対象エリア周辺に過去5年以内に住んだことのある10代~60代の人を対象としてアンケートを実施し、独自に集計しています。

大田区の暮らしデータ

人口などの統計情報

世帯数 399628世帯
人口総数 733634人
転入者数 55358人
転入率(人口1000人当たり)
75.46人
転出者数 47162人
転出率(人口1000人当たり)
64.29人
土地平均価格
住宅地
524720円/m2
商業地
895412円/m2

結婚・育児の助成金

子育て関連の独自の取り組み 区内保育施設の人材の確保・定着を支援し、また保育の質の向上を目的とする研修実施の他、若年層保育士の定着促進と中堅・ベテラン層保育士の同一施設における継続勤務を奨励することで保育士の質の向上を図る保育士応援手当を交付している。
出産祝い あり
公立保育所数 37所(うち0歳児保育を実施している保育所:26所)
私立保育所数 155所(うち0歳児保育を実施している保育所:104所)
保育所入所待機児童数 0人
認定こども園数 0園 預かり保育実施園数 公立:0園 私立:45園
学校給食 【小学校】完全給食【中学校】完全給食
公立中学校の学校選択制 未実施
子ども・学生等医療費助成<通院>対象年齢 18歳3月末まで 子ども・学生等医療費助成<入院>対象年齢 18歳3月末まで

大田区の治安・ごみ収集情報

公共料金・インフラ

ガス料金(22m3使用した場合の月額) 東京瓦斯株式会社(東京地区等)3926円
水道料金(口径20mmで20m3の月額) 東京都水道局2816円
下水道料金(20m3を使用した場合の月額) 東京都下水道局2068円
下水道普及率 100.0%

安心・安全

建物火災出火件数 118件
人口10000人当たり
1.58件
刑法犯認知件数 3851件
人口1000人当たり
5.15件
ハザード・防災マップ あり

医療

一般病院総数 24ヶ所
一般診療所総数 613ヶ所
小児科医師数 149人
小児人口10000人当たり
19.74人
産婦人科医師数 66人
15~49歳女性人口1万人当たり
3.96人
介護保険料基準額(月額) 6600円

ごみ

家庭ごみ収集(可燃ごみ) 無料
備考
1日平均10kgを超える量の家庭廃棄物を排出する場合、超える量1kgにつき46円。臨時に排出する場合、1kgにつき46円。
家庭ごみの分別方式 3分別11種〔可燃ごみ 不燃ごみ 資源9品目(新聞・チラシ、雑誌・雑がみ、紙パック、段ボール、飲食用びん、飲食用かん、食品トレイ、ペットボトル、発泡スチロール)〕 拠点回収:使用済小型家電10品目(携帯電話 携帯音楽プレーヤー 携帯ゲーム機器 デジタルカメラ ポータブルビデオカメラ ポータブルカーナビ 電子辞書 卓上計算機 ACアダプター USBメモリ) 廃食用油 古着
家庭ごみの戸別収集 一部実施(次のいずれかに該当する者のみで構成される世帯で、自ら集積所までごみを持ち出すことが困難であり、また他の者の協力を得ることができない世帯。[1]要介護2以上に認定されていること。[2]身体障害者障害程度1級及び2級に認定されていること。[3]その他、区長が認める者)
粗大ごみ収集 あり
備考
有料。ただし、区が指定する受入施設に自ら持ち込む場合は、手数料は5割以内の減額又は免除。事前申込制。
生ごみ処理機助成金制度 なし
上限金額
-
上限比率
-

大田区の住まいの給付金

新築建築

利子補給制度 なし
補助/助成金制度 なし

新築購入

利子補給制度 なし
補助/助成金制度 なし
暮らしデータ提供元:生活ガイド.com
※行政機関により公表していない地域及びデータがございます。東京23区以外の政令指定都市は、市全体のデータとして表示しています。
※提供データには細心の注意を払っておりますが、調査後に変更がある場合があります。 最新の情報につきましては各市区役所までお問い合わせいただくか、自治体HPなどをご確認ください。

価格相場

更新日:2025年11月17日

大田区の価格相場

  50㎡~80㎡ 80㎡~100㎡ 100㎡~150㎡ 150㎡~200㎡ 200㎡以上
土地 6077万円 7861万円 10660万円 13397万円 27206万円

周辺エリアの価格相場

  品川区 横浜市鶴見区 川崎市川崎区 川崎市幸区 川崎市中原区
土地 9953万円 3166万円 3524万円 3880万円 5805万円
※このデータはgoo住宅・不動産に掲載されている土地の平均価格(管理費・駐車場代などを除く)を算出したものです。ただし5戸以上の掲載があるものについてのみ対象とします。
※周辺エリアの価格相場は広さ50㎡~80㎡の平均価格(管理費・駐車場代などを除く)を算出したものです。

東京都の人気の街アクセスランキング(土地)

※このランキングは2025年10月01日~31日における各ページのアクセス数から算出しています。

東京都大田区の人気の特集から土地物件を探す

特徴

他のエリアから探す

大田区の詳細地域から土地物件を探す

池上石川町鵜の木大森北大森中大森西大森東大森本町大森南蒲田上池台北千束北馬込北嶺町久が原京浜島山王下丸子新蒲田多摩川千鳥中央田園調布田園調布本町中馬込西蒲田西糀谷西馬込西嶺町西六郷萩中羽田羽田旭町東蒲田東糀谷東馬込東嶺町東雪谷東六郷本羽田南蒲田南久が原南千束南馬込南雪谷南六郷矢口

大田区内の駅から探す

大森蒲田馬込西馬込田園調布多摩川沼部鵜の木下丸子武蔵新田矢口渡北千束大岡山長原洗足池石川台雪が谷大塚御嶽山久が原千鳥町池上蓮沼平和島大森町梅屋敷京急蒲田雑色六郷土手糀谷大鳥居穴守稲荷天空橋羽田第3ターミナル羽田第1・第2タ羽田第2ターミナル羽田第1ターミナル新整備場整備場昭和島流通センター

アプリで簡単 物件探し 大手不動産サイトの情報から一括検!プッシュ通知で物件を見逃さない
App Storeからダウンロード Google Playで手に入れよう QRコード