アプリで簡単 物件探し 通知 共有 アプリならではの機能を使ってみる
RSS

横浜市港南区(神奈川県) の第1種低層地域の土地(宅地・分譲地・売地) 物件一覧

神奈川県横浜市港南区の第1種低層地域の土地、分譲地、売地、宅地などの土地物件をご紹介します。売り地、分譲土地、住宅用土地などの土地情報を探すならgoo住宅・不動産。価格・土地面積・建築条件・立地・人気のこだわり条件から物件を簡単検索。理想の物件探しをgoo住宅・不動産がサポートします。

第1種低層地域の土地物件特集
住環境の整った土地を購入したい方におすすめなのが、第一種低層地域です。第一種低層地域は、高層の建物を建てられない戸建てエリアです。高い建物によって日光が遮断されない、住宅街なので騒音トラブルが少ないなどのメリットがある地域なので、住みやすさを感じられますよ。ここで第一種低層地域の土地を紹介するので、引っ越しを検討している方はぜひチェックしてみてくださいね。

第1種低層地域の土地物件特集

探したい物件のエリア・検索条件を変更して再検索

エリア
検索条件 立地・特徴:1種低層地域
162 並び替え
チェックした物件を一括で
選択 物件タイプ
画像
所在地/交通
(駅/バス 所要時間)
価格
坪単価
土地面積 用途地域
建築条件
建ぺい率
容積率
new

神奈川県横浜市港南区野庭町 土地

  • 土地
  • 神奈川県横浜市港南区野庭町 土地
神奈川県横浜市港南区野庭町
横浜市ブルーライン 上永谷駅 徒歩23分
京浜東北・根岸線 港南台駅 徒歩26分
4290
万円

70.8万円
200.45m2 1種低層
なし
40%
80%
  • 建築条件なし
  • 本下水
  • 都市ガス
  • 1種低層地域
おすすめポイント
●広い庭も駐車場も確保できる約200平米(60坪)の土地●ご家族の夢を自由に叶える「建築条件なし」●
センチュリー21日立ホーム
new

神奈川県横浜市港南区日野南4丁目 土地

  • 土地
  • 神奈川県横浜市港南区日野南4丁目 土地
神奈川県横浜市港南区日野南4丁目
京浜東北・根岸線 港南台駅 徒歩18分
京浜東北・根岸線 本郷台駅 徒歩36分
3680
万円

71.5万円
170.14m2 1種低層
なし
40%
80%
  • 建築条件なし
  • 更地
  • 南道路
  • 本下水
  • 都市ガス
  • 1種低層地域
おすすめポイント
●「建築条件なし」お好きなハウスメーカーで建築できます●敷地面積約51坪、お庭も作れる余裕の広さ●
センチュリー21日立ホーム

神奈川県横浜市港南区上永谷1丁目 土地

  • 土地
  • 神奈川県横浜市港南区上永谷1丁目 土地
神奈川県横浜市港南区上永谷1丁目
横浜市ブルーライン 上永谷駅 徒歩9分
4880
万円

81.1万円
198.93m2 1種低層
なし
50%
80%
  • 建築条件なし
  • 更地
  • 南道路
  • 平坦地
  • 本下水
  • 都市ガス
  • 角地
  • 即引渡し可
おすすめポイント
お客さまに心から「住んでよかった」と実感して頂けるよう 良質な住まいを幅広く皆さまにお届けしたい ご予約「0120-12-4361」お電話ください ◆住まい安心のおとりつぎ◆朝日土地建物二俣川店
朝日土地建物株式会社 二俣川支店

神奈川県横浜市港南区上永谷1丁目 土地

  • 土地
  • 神奈川県横浜市港南区上永谷1丁目 土地
    間取り図
神奈川県横浜市港南区上永谷1丁目
横浜市ブルーライン 上永谷駅 徒歩11分
京浜急行電鉄本線 上大岡駅 徒歩24分
4880
万円

81.1万円
198.93m2 1種低層
なし
50%
80%
  • 建築条件なし
  • 更地
  • 南道路
  • 本下水
  • 都市ガス
  • 角地
  • 1種低層地域
おすすめポイント
【ブルーライン「上永谷」駅まで徒歩11分!売地】 敷地60坪!南西角地につき陽当り良好♪小中学校が近く安心の低層住宅地◎ 建築条件なしのため、お好きなハウスメーカー・工務店で建築可能です。
朝日土地建物株式会社 横浜支店

神奈川県横浜市港南区上永谷1丁目 土地

  • 土地
  • 神奈川県横浜市港南区上永谷1丁目 土地
    間取り図
神奈川県横浜市港南区上永谷1丁目
横浜市ブルーライン 上永谷駅 徒歩9分
横浜市ブルーライン 港南中央駅 徒歩20分
4880
万円

81.1万円
198.93m2 1種低層
なし
50%
80%
  • 建築条件なし
  • 更地
  • 南道路
  • 本下水
  • 都市ガス
  • 角地
  • 1種低層地域
おすすめポイント
南側道路に面す、角地立地です。上永谷駅から徒歩9分で通勤通学にはとても便利です。
住宅情報館株式会社 港南台店

神奈川県横浜市港南区笹下2丁目 土地

  • 建築条件付土地
  • 神奈川県横浜市港南区笹下2丁目 建築条件付土地
    間取り図
神奈川県横浜市港南区笹下2丁目
京浜急行電鉄本線 屏風浦駅 徒歩9分
横浜市ブルーライン 港南中央駅 徒歩22分
2780
万円

53.15万円
172.89m2 1種低層
あり
50%
100%
  • 更地
  • 南道路
  • 本下水
  • 都市ガス
  • 1種低層地域
おすすめポイント
☆ご案内受付中!是非お問合せください!☆【屏風浦駅まで平坦】徒歩9分!京急線で移動もスムーズです☆南側ひな壇で陽当たり良好のお住まいです♪
株式会社ベンハウス

神奈川県横浜市港南区笹下2丁目 土地

  • 建築条件付土地
  • 神奈川県横浜市港南区笹下2丁目 建築条件付土地
    間取り図
神奈川県横浜市港南区笹下2丁目
京浜急行電鉄本線 屏風浦駅 徒歩9分
横浜市ブルーライン 港南中央駅 徒歩22分
2810
万円

70.46万円
131.82m2 1種低層
あり
50%
100%
  • 更地
  • 南道路
  • 本下水
  • 都市ガス
  • 1種低層地域
おすすめポイント
☆ご案内受付中!是非お問合せください!☆【屏風浦駅まで平坦】徒歩9分!京急線で移動もスムーズです☆南側ひな壇で陽当たり良好のお住まいです♪
株式会社ベンハウス

神奈川県横浜市港南区笹下2丁目 土地

  • 建築条件付土地
  • 神奈川県横浜市港南区笹下2丁目 建築条件付土地
    間取り図
神奈川県横浜市港南区笹下2丁目
京浜急行電鉄本線 屏風浦駅 徒歩9分
横浜市ブルーライン 港南中央駅 徒歩22分
2970
万円

66.06万円
148.61m2 1種低層
あり
50%
100%
  • 更地
  • 南道路
  • 本下水
  • 都市ガス
  • 1種低層地域
おすすめポイント
☆ご案内受付中!是非お問合せください!☆【屏風浦駅まで平坦】徒歩9分!京急線で移動もスムーズです☆南側ひな壇で陽当たり良好のお住まいです♪
株式会社ベンハウス

神奈川県横浜市港南区笹下2丁目 土地

  • 建築条件付土地
  • 神奈川県横浜市港南区笹下2丁目 建築条件付土地
    間取り図
神奈川県横浜市港南区笹下2丁目
京浜急行電鉄本線 屏風浦駅 徒歩9分
横浜市ブルーライン 港南中央駅 徒歩22分
3030
万円

71.66万円
139.76m2 1種低層
あり
50%
100%
  • 更地
  • 南道路
  • 本下水
  • 都市ガス
  • 1種低層地域
おすすめポイント
☆ご案内受付中!是非お問合せください!☆【屏風浦駅まで平坦】徒歩9分!京急線で移動もスムーズです☆南側ひな壇で陽当たり良好のお住まいです♪
株式会社ベンハウス

神奈川県横浜市港南区笹下2丁目 土地

  • 建築条件付土地
  • 神奈川県横浜市港南区笹下2丁目 建築条件付土地
    間取り図
神奈川県横浜市港南区笹下2丁目
京浜急行電鉄本線 屏風浦駅 徒歩9分
横浜市ブルーライン 港南中央駅 徒歩22分
3060
万円

87.24万円
115.94m2 1種低層
あり
50%
100%
  • 更地
  • 南道路
  • 本下水
  • 都市ガス
  • 1種低層地域
おすすめポイント
☆ご案内受付中!是非お問合せください!☆【屏風浦駅まで平坦】徒歩9分!京急線で移動もスムーズです☆南側ひな壇で陽当たり良好のお住まいです♪
株式会社ベンハウス

神奈川県横浜市港南区東永谷2丁目 土地

  • 土地
  • 神奈川県横浜市港南区東永谷2丁目 土地
    間取り図
神奈川県横浜市港南区東永谷2丁目
横浜市ブルーライン 上永谷駅 徒歩13分
3380
万円

99.43万円
112.38m2 1種低層
なし
60%
100%
  • 建築条件なし
  • 更地
  • 本下水
  • 都市ガス
  • 1種低層地域
おすすめポイント
【ブルーライン「上永谷」駅まで徒歩15分!売地】 閑静な低層住宅街に立地◎スーパーやコンビニが徒歩10分圏内で便利♪ 建築条件なしのため、お好きなハウスメーカー・工務店で建築可能です。
朝日土地建物株式会社 横浜支店

神奈川県横浜市港南区日野南4丁目 土地

  • 土地
  • 神奈川県横浜市港南区日野南4丁目 土地
神奈川県横浜市港南区日野南4丁目
京浜東北・根岸線 港南台駅 徒歩16分
3780
万円

73.45万円
170.14m2 1種低層
なし
40%
80%
  • 建築条件なし
  • 更地
  • 南道路
  • 本下水
  • 都市ガス
  • 1種低層地域
おすすめポイント
【JR根岸線「港南台」駅利用!売地】 開放感ある敷地面積50坪以上!南側道路に面し日当り良好◎ 周辺は自然豊かで閑静な住宅地。 建築条件なしのため、お好きなハウスメーカー・工務店で建築可能です。
朝日土地建物株式会社 横浜支店

神奈川県横浜市港南区下永谷2丁目 土地

  • 土地
  • 神奈川県横浜市港南区下永谷2丁目 土地
神奈川県横浜市港南区下永谷2丁目
横浜市ブルーライン 下永谷駅 徒歩20分
3980
万円

57.07万円
230.58m2 1種低層
なし
50%
80%
  • 建築条件なし
  • 本下水
  • 都市ガス
  • 上物有り
  • 1種低層地域
おすすめポイント
ハウジングスカイの「諸費用節約対象物件」です。建築条件なし。お好きなハウスメーカーで建築できます。
ハウジングスカイ株式会社

神奈川県横浜市港南区日野南4丁目 土地

  • 土地
  • 神奈川県横浜市港南区日野南4丁目 土地
    間取り図
神奈川県横浜市港南区日野南4丁目
京浜東北・根岸線 港南台駅 徒歩18分
3780
万円

73.46万円
170.14m2 1種低層
なし
40%
80%
  • 建築条件なし
  • 更地
  • 南道路
  • 本下水
  • 都市ガス
  • 1種低層地域
おすすめポイント
ハウジングスカイの「諸費用節約対象物件」です。建築条件無。お好きなハウスメーカーで建築できます。
ハウジングスカイ株式会社

神奈川県横浜市港南区日野南4丁目 土地

  • 土地
  • 神奈川県横浜市港南区日野南4丁目 土地
神奈川県横浜市港南区日野南4丁目
京浜東北・根岸線 港南台駅 徒歩18分
京浜東北・根岸線 本郷台駅 徒歩36分
3780
万円

73.5万円
170.14m2 1種低層
なし
40%
80%
  • 建築条件なし
  • 更地
  • 南道路
  • 本下水
  • 都市ガス
  • 1種低層地域
おすすめポイント
建築条件無しの売地です。
センチュリー21アース住販

神奈川県横浜市港南区上永谷1丁目 土地

  • 土地
  • 神奈川県横浜市港南区上永谷1丁目 土地
    間取り図
神奈川県横浜市港南区上永谷1丁目
横浜市ブルーライン 上永谷駅 徒歩9分
横浜市ブルーライン 港南中央駅 徒歩22分
4880
万円

81.1万円
198.93m2 1種低層
なし
50%
80%
  • 建築条件なし
  • 南道路
  • 本下水
  • 都市ガス
  • 1種低層地域
おすすめポイント
●ご家族の夢を自由に叶える「建築条件なし」●土地約60坪(約198平米)、多彩なプランが可能な広さ●
センチュリー21日立ホーム

神奈川県横浜市港南区野庭町 土地

  • 土地
  • 神奈川県横浜市港南区野庭町 土地
    間取り図
神奈川県横浜市港南区野庭町
横浜市ブルーライン 上永谷駅 徒歩23分
4290
万円

70.76万円
200.45m2 1種低層
なし
40%
80%
  • 建築条件なし
  • 更地
  • 本下水
  • 都市ガス
  • 1種低層地域
おすすめポイント
ハウジングスカイの「諸費用節約対象物件」です。建築条件なし。お好きなハウスメーカーで建築できます。
ハウジングスカイ株式会社

神奈川県横浜市港南区芹が谷1丁目 土地

  • 土地
  • 神奈川県横浜市港南区芹が谷1丁目 土地
    間取り図
神奈川県横浜市港南区芹が谷1丁目
横須賀線 東戸塚駅 バス13分/「こども医療センター」バス停 停歩3分
2280
万円

72.48万円
104m2 1種低層
なし
50%
100%
  • 建築条件なし
  • 更地
  • 本下水
  • 都市ガス
  • 1種低層地域
おすすめポイント
お客さまに心から「住んでよかった」と実感して頂けるよう 良質な住まいを幅広く皆さまにお届けしたい ご予約「0120-12-4361」お電話ください ◆住まい安心のおとりつぎ◆朝日土地建物二俣川店
朝日土地建物株式会社 二俣川支店

神奈川県横浜市港南区芹が谷1丁目 土地

  • 土地
  • 神奈川県横浜市港南区芹が谷1丁目 土地
    間取り図
神奈川県横浜市港南区芹が谷1丁目
横須賀線 東戸塚駅 バス13分/「こども医療センター」バス停 停歩3分
2380
万円

77.14万円
102m2 1種低層
なし
50%
100%
  • 建築条件なし
  • 更地
  • 本下水
  • 都市ガス
  • 1種低層地域
おすすめポイント
お客さまに心から「住んでよかった」と実感して頂けるよう 良質な住まいを幅広く皆さまにお届けしたい ご予約「0120-12-4361」お電話ください ◆住まい安心のおとりつぎ◆朝日土地建物二俣川店
朝日土地建物株式会社 二俣川支店
チェックした物件を一括で

神奈川県横浜市港南区上永谷1丁目 土地

  • 土地
  • 神奈川県横浜市港南区上永谷1丁目 土地
    間取り図
神奈川県横浜市港南区上永谷1丁目
横浜市ブルーライン 上永谷駅 徒歩9分
4880
万円

81.11万円
198.93m2 1種低層
なし
50%
80%
  • 建築条件なし
  • 更地
  • 南道路
  • 本下水
  • 角地
  • 即引渡し可
  • 1種低層地域
おすすめポイント
◆南西角地の日当たりの良い条件なし売地 ◆上永谷駅まで徒歩9分と通勤・通学に便利 ◆敷地面積60坪以上の広々とした土地
株式会社グレイスフルホーム

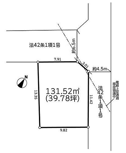
神奈川県横浜市港南区笹下6丁目 土地

  • 建築条件付土地
  • 神奈川県横浜市港南区笹下6丁目 建築条件付土地
神奈川県横浜市港南区笹下6丁目
京浜東北・根岸線 洋光台駅 徒歩19分
4230
万円

106.34万円
131.52m2 1種低層
あり
50%
80%
  • 更地
  • 本下水
  • 都市ガス
  • 角地
  • 1種低層地域
おすすめポイント
ハウジングスカイの「諸費用節約対象物件」です。建築条件付売地。条件外し応相談。
ハウジングスカイ株式会社

神奈川県横浜市港南区笹下6丁目 土地

  • 建築条件付土地
  • 神奈川県横浜市港南区笹下6丁目 建築条件付土地
神奈川県横浜市港南区笹下6丁目
京浜東北・根岸線 洋光台駅 徒歩19分
横浜市ブルーライン 港南中央駅 徒歩21分
4230
万円

106.3万円
131.52m2 1種低層
あり
50%
80%
  • 更地
  • 都市ガス
  • 1種低層地域
おすすめポイント
建築条件付きの売地。
センチュリー21アース住販

神奈川県横浜市港南区笹下6丁目 土地

  • 建築条件付土地
  • 神奈川県横浜市港南区笹下6丁目 建築条件付土地
    間取り図
神奈川県横浜市港南区笹下6丁目
京浜東北・根岸線 洋光台駅 徒歩19分
横浜市ブルーライン 港南中央駅 徒歩19分
4230
万円

106.33万円
131.52m2 1種低層
あり
50%
80%
  • 更地
  • 本下水
  • 角地
  • 1種低層地域
おすすめポイント
お客さまに心から「住んでよかった」と実感して頂けるよう 良質な住まいを幅広く皆さまにお届けしたい ご予約「0120-12-4361」お電話ください ◆住まい安心のおとりつぎ◆朝日土地建物二俣川店
朝日土地建物株式会社 二俣川支店

神奈川県横浜市港南区港南台7丁目 土地

  • 土地
  • 神奈川県横浜市港南区港南台7丁目 土地
    間取り図
神奈川県横浜市港南区港南台7丁目
京浜東北・根岸線 洋光台駅 徒歩14分
京浜東北・根岸線 港南台駅 徒歩15分
4380
万円

82.24万円
176.08m2 1種低層
なし
40%
80%
  • 建築条件なし
  • 更地
  • 本下水
  • 都市ガス
  • 即引渡し可
  • 1種低層地域
おすすめポイント
「建築条件無し土地」お好きなハウスメーカーで建築できます 開放感のある閑静な住宅街
株式会社リビングライフ 東戸塚センター

神奈川県横浜市港南区港南台7丁目 土地

  • 土地
  • 神奈川県横浜市港南区港南台7丁目 土地
    間取り図
神奈川県横浜市港南区港南台7丁目
京浜東北・根岸線 洋光台駅 徒歩14分
京浜東北・根岸線 港南台駅 徒歩15分
4580
万円

100.91万円
150.05m2 1種低層
なし
40%
80%
  • 建築条件なし
  • 更地
  • 本下水
  • 都市ガス
  • 角地
  • 即引渡し可
  • 1種低層地域
おすすめポイント
「建築条件無し土地」お好きなハウスメーカーで建築できます 開放感のある閑静な住宅街
株式会社リビングライフ 東戸塚センター

神奈川県横浜市港南区芹が谷4丁目 土地

  • 土地
  • 神奈川県横浜市港南区芹が谷4丁目 土地
神奈川県横浜市港南区芹が谷4丁目
横浜市ブルーライン 上永谷駅 徒歩23分
3750
万円

58.4万円
212.32m2 1種低層
なし
50%
80%
  • 建築条件なし
  • 更地
  • 本下水
  • 都市ガス
  • 1種低層地域
おすすめポイント
ハウジングスカイの「諸費用節約対象物件」です。建築条件なし。お好きなハウスメーカーで建築できます。
ハウジングスカイ株式会社

神奈川県横浜市港南区港南台7丁目 土地

  • 土地
  • 神奈川県横浜市港南区港南台7丁目 土地
神奈川県横浜市港南区港南台7丁目
京浜東北・根岸線 港南台駅 徒歩16分
京浜東北・根岸線 洋光台駅 徒歩17分
4280
万円

78.61万円
180m2 1種低層
なし
40%
60%
  • 建築条件なし
  • 更地
  • 平坦地
  • 本下水
  • 都市ガス
  • 1種低層地域
おすすめポイント
お客さまに心から「住んでよかった」と実感して頂けるよう 良質な住まいを幅広く皆さまにお届けしたい ご予約「0120-12-4362」お電話ください ◆住まい安心のおとりつぎ◆朝日土地建物二俣川店
朝日土地建物株式会社 二俣川支店 営業2課

神奈川県横浜市港南区上永谷1丁目 土地

  • 土地
  • 神奈川県横浜市港南区上永谷1丁目 土地
    間取り図
神奈川県横浜市港南区上永谷1丁目
横浜市ブルーライン 上永谷駅 徒歩9分
4880
万円

81.11万円
198.93m2 1種低層
なし
50%
80%
  • 建築条件なし
  • 更地
  • 南道路
  • 本下水
  • 都市ガス
  • 角地
  • 1種低層地域
おすすめポイント
ハウジングスカイの「諸費用節約対象物件」です。建築条件無。お好きなハウスメーカーで建築できます。
ハウジングスカイ株式会社

神奈川県横浜市港南区港南台7丁目 土地

  • 土地
  • 神奈川県横浜市港南区港南台7丁目 土地
神奈川県横浜市港南区港南台7丁目
京浜東北・根岸線 港南台駅 徒歩16分
京浜東北・根岸線 本郷台駅 徒歩17分
4280
万円

78.61万円
180m2 1種低層
なし
40%
60%
  • 建築条件なし
  • 更地
  • 平坦地
  • 本下水
  • 都市ガス
  • 1種低層地域
おすすめポイント
~この街が好きだから~ この街と共にお客様に選ばれて続けてご成約7万件達成!!お客さまに心から「住んでよかった」と実感して頂けるよう良質な住まいを皆さまにお届けします!
朝日土地建物株式会社 戸塚支店

神奈川県横浜市港南区日限山1丁目 土地

  • 土地
  • 神奈川県横浜市港南区日限山1丁目 土地
神奈川県横浜市港南区日限山1丁目
横浜市ブルーライン 下永谷駅 徒歩7分
横浜市ブルーライン 上永谷駅 徒歩17分
4100
万円

64.58万円
209.9m2 1種低層
なし
40%
80%
  • 建築条件なし
  • 平坦地
  • 本下水
  • 都市ガス
  • 上物有り
  • 即引渡し可
  • 1種低層地域
おすすめポイント
☆5m公道に面した63坪整形地(^▽^)/ 更地渡しです ☆建物はお好きなメーカーで建築できます
株式会社アメイジングプラス

神奈川県横浜市港南区上永谷1丁目 土地

  • 土地
  • 神奈川県横浜市港南区上永谷1丁目 土地
神奈川県横浜市港南区上永谷1丁目
横浜市ブルーライン 上永谷駅 徒歩9分
横浜市ブルーライン 港南中央駅 徒歩18分
4880
万円

81.1万円
198.93m2 1種低層
なし
50%
80%
  • 建築条件なし
  • 南道路
  • 本下水
  • 都市ガス
  • 1種低層地域
おすすめポイント
建築条件無しの売地です。
センチュリー21アース住販

神奈川県横浜市港南区笹下3丁目 土地

  • 土地
  • 神奈川県横浜市港南区笹下3丁目 土地
    間取り図
神奈川県横浜市港南区笹下3丁目
京浜急行電鉄本線 屏風浦駅 徒歩17分
6280
万円

73.35万円
283.05m2 1種低層
なし
50%
100%
  • 建築条件なし
  • 南道路
  • 本下水
  • 都市ガス
  • 1種低層地域
おすすめポイント
【京急本線「屏風浦」駅利用!売地】 85坪の広大な敷地!2方道路に面しており開放的です◎ 建築条件なしの為、お好きなハウスメーカー・工務店で建築可能です。
朝日土地建物株式会社 横浜支店

神奈川県横浜市港南区港南台7丁目 土地

  • 土地
  • 神奈川県横浜市港南区港南台7丁目 土地
    間取り図
神奈川県横浜市港南区港南台7丁目
京浜東北・根岸線 港南台駅 徒歩15分
京浜東北・根岸線 洋光台駅 徒歩14分
4380
万円

82.24万円
176.08m2 1種低層
なし
40%
80%
  • 建築条件なし
  • 更地
  • 本下水
  • 都市ガス
  • 即引渡し可
  • 1種低層地域
おすすめポイント
-営業5課おすすめ物件-建築条件なしで、自分好みに造る『世界に一つだけのお住まい』を~敷地45坪の贅沢。子育て環境と利便が整う暮らしやすい街~
株式会社東宝ハウス横浜

神奈川県横浜市港南区港南台7丁目 土地

  • 土地
  • 神奈川県横浜市港南区港南台7丁目 土地
    間取り図
神奈川県横浜市港南区港南台7丁目
京浜東北・根岸線 港南台駅 徒歩15分
京浜東北・根岸線 洋光台駅 徒歩14分
4580
万円

100.91万円
150.05m2 1種低層
なし
40%
80%
  • 建築条件なし
  • 更地
  • 本下水
  • 都市ガス
  • 角地
  • 即引渡し可
  • 1種低層地域
おすすめポイント
-営業5課おすすめ物件-建築条件なしで、自分好みに造る『世界に一つだけのお住まい』を~敷地45坪の贅沢。子育て環境と利便が整う暮らしやすい街~
株式会社東宝ハウス横浜

神奈川県横浜市港南区港南台7丁目 土地

  • 土地
  • 神奈川県横浜市港南区港南台7丁目 土地
    間取り図
神奈川県横浜市港南区港南台7丁目
京浜東北・根岸線 港南台駅 徒歩15分
京浜東北・根岸線 港南台駅 徒歩15分
4580
万円

100.91万円
150.05m2 1種低層
なし
40%
80%
  • 建築条件なし
  • 更地
  • 角地
  • 即引渡し可
  • 1種低層地域
おすすめポイント
選べるe-GIFT10000円分>初来場&アンケート回答でプレゼント
住宅情報館株式会社 港南台店

神奈川県横浜市港南区港南台7丁目 土地

  • 土地
  • 神奈川県横浜市港南区港南台7丁目 土地
    間取り図
神奈川県横浜市港南区港南台7丁目
京浜東北・根岸線 港南台駅 徒歩12分
京浜東北・根岸線 洋光台駅 徒歩15分
4380
万円

82.24万円
176.08m2 1種低層
なし
40%
80%
  • 建築条件なし
  • 更地
  • 平坦地
  • 本下水
  • 都市ガス
  • 即引渡し可
  • 1種低層地域
おすすめポイント
◆前面道路の交通量は少なめで車庫入れも安心♪ ◆角地につき開放感があります♪ ◆閑静でゆったりとした街並みでくつろぎの時間を♪ ◆建築条件はございませんので、お好きなハウスメーカーで建築可です♪
朝日土地建物株式会社 戸塚支店

神奈川県横浜市港南区港南台7丁目 土地

  • 土地
  • 神奈川県横浜市港南区港南台7丁目 土地
    間取り図
神奈川県横浜市港南区港南台7丁目
京浜東北・根岸線 港南台駅 徒歩12分
京浜東北・根岸線 洋光台駅 徒歩15分
4580
万円

100.91万円
150.05m2 1種低層
なし
40%
80%
  • 建築条件なし
  • 更地
  • 平坦地
  • 本下水
  • 都市ガス
  • 角地
  • 即引渡し可
  • 1種低層地域
おすすめポイント
◆前面道路の交通量は少なめで車庫入れも安心♪ ◆角地につき開放感があります♪ ◆閑静でゆったりとした街並みでくつろぎの時間を♪ ◆建築条件はございませんので、お好きなハウスメーカーで建築可です♪
朝日土地建物株式会社 戸塚支店

神奈川県横浜市港南区港南台7丁目 土地

  • 土地
  • 神奈川県横浜市港南区港南台7丁目 土地
    間取り図
神奈川県横浜市港南区港南台7丁目
京浜東北・根岸線 洋光台駅 バス8分/「バイパス下」バス停 停歩4分
京浜東北・根岸線 港南台駅 徒歩16分
4380
万円

82.24万円
176.08m2 1種低層
なし
40%
80%
  • 建築条件なし
  • 更地
  • 平坦地
  • 本下水
  • 都市ガス
  • 即引渡し可
  • 1種低層地域
おすすめポイント
お客さまに心から「住んでよかった」と実感して頂けるよう 良質な住まいを幅広く皆さまにお届けしたい ご予約「0120-12-4362」お電話ください ◆住まい安心のおとりつぎ◆朝日土地建物二俣川店
朝日土地建物株式会社 二俣川支店 営業2課

神奈川県横浜市港南区港南台7丁目 土地

  • 土地
  • 神奈川県横浜市港南区港南台7丁目 土地
    間取り図
神奈川県横浜市港南区港南台7丁目
京浜東北・根岸線 洋光台駅 バス8分/「バイパス下」バス停 停歩4分
京浜東北・根岸線 港南台駅 徒歩16分
4580
万円

100.91万円
150.05m2 1種低層
なし
40%
80%
  • 建築条件なし
  • 更地
  • 平坦地
  • 本下水
  • 都市ガス
  • 即引渡し可
  • 1種低層地域
おすすめポイント
お客さまに心から「住んでよかった」と実感して頂けるよう 良質な住まいを幅広く皆さまにお届けしたい ご予約「0120-12-4362」お電話ください ◆住まい安心のおとりつぎ◆朝日土地建物二俣川店
朝日土地建物株式会社 二俣川支店 営業2課

神奈川県横浜市港南区港南台7丁目 土地

  • 土地
  • 神奈川県横浜市港南区港南台7丁目 土地
    間取り図
神奈川県横浜市港南区港南台7丁目
京浜東北・根岸線 港南台駅 徒歩15分
京浜東北・根岸線 港南台駅 徒歩15分
4380
万円

82.24万円
176.08m2 1種低層
なし
40%
80%
  • 建築条件なし
  • 更地
  • 即引渡し可
  • 1種低層地域
おすすめポイント
選べるe-GIFT10000円分>初来場&アンケート回答でプレゼント
住宅情報館株式会社 港南台店
チェックした物件を一括で
  • チェックした物件をまとめて
162
表示件数 12345 次へ
OCN×ドコモ光新規お申込みで合計最大137,280円相当おトク!特典の内訳・適用条件など詳細はこちら

条件を選択

価格
土地面積
駅からの時間
建築条件
現況
立地・特徴
条件
画像・動画
情報の新しさ
フリーワード
横浜市港南区のおすすめ新築一戸建て

横浜市港南区の新築一戸建て情報をもっと見る

横浜市港南区の住みやすさ情報

横浜市港南区ってどんなところ?

横浜市南区は、横浜市でもっとも人口密度の高い区です。
横浜市で最古の寺である弘明寺が名所で、周辺には弘明寺かんのん通り商店街という昔ながらの商店街があり、活気に満ちています。
一方、井土ケ谷地域は静かな住宅街で、落ち着いた生活を楽しめます。
主要な交通機関は京急本線や横浜市営地下鉄で、弘明寺駅から横浜駅までは急行で約9分、品川駅までは約35分で行けます。

街ガイド

高野 友樹

公認不動産コンサルティングマスター/相続対策専門士/宅地建物取引士/賃貸不動産経営管理士

不動産会社にて600件以上の仲介、6000戸の収益物件管理を経験。現在は株式会社高野不動産コンサルティングを設立し、不動産コンサルティングを行う。

一人暮らしの人に聞いた
横浜市港南区の住みやすさTOP10

  1. 1位公共の交通機関が充実している
  2. 2位都心に近い
  3. 3位必要なものが近場でそろう

夫婦・カップルに聞いた
横浜市港南区の住みやすさTOP10

  1. 1位スーパーやドラッグストアが充実している
  2. 2位公共の交通機関が充実している
  3. 3位病院やクリニックが多い

ファミリーに聞いた
横浜市港南区の住みやすさTOP10

  1. 1位公共の交通機関が充実している
  2. 2位スーパーやドラッグストアが充実している
  3. 3位病院やクリニックが多い

※対象エリア周辺に過去5年以内に住んだことのある10代~60代の人を対象としてアンケートを実施し、独自に集計しています。

横浜市港南区の暮らしデータ

人口などの統計情報

世帯数 1744208世帯
人口総数 3752969人
転入者数 217258人
転入率(人口1000人当たり)
57.89人
転出者数 201570人
転出率(人口1000人当たり)
53.71人
土地平均価格
住宅地
254434円/m2
商業地
1043863円/m2

結婚・育児の助成金

子育て関連の独自の取り組み 横浜市私立幼稚園等預かり保育事業(横浜市が定めた基準(実施日、時間、職員配置等)を満たし、横浜市の認定を受けた幼稚園・認定こども園が実施する事業。市内在住の園児の保護者が就労や病気等で、園の正規教育時間の前後に家庭で保育ができない場合に、利用可能。3歳児~5歳児は無料、満3歳児は(a)私学助成を受ける幼稚園の場合、月額9,000円、(b)新制度に移行した園の場合、0円~9,000円)。
出産祝い あり
公立保育所数 56所(うち0歳児保育を実施している保育所:41所)
私立保育所数 813所(うち0歳児保育を実施している保育所:716所)
保育所入所待機児童数 5人
認定こども園数 70園 預かり保育実施園数 公立:- 私立:213園
学校給食 【小学校】完全給食【中学校】家庭弁当等・業者弁当との選択制/デリバリー形式[運搬:ランチボックス、内容:完全給食]
公立中学校の学校選択制 一部実施(特定地域選択制[特別調整通学区域])
子ども・学生等医療費助成<通院>対象年齢 中学校卒業まで 子ども・学生等医療費助成<入院>対象年齢 中学校卒業まで

横浜市港南区の治安・ごみ収集情報

公共料金・インフラ

ガス料金(22m3使用した場合の月額) 東京瓦斯株式会社(東京地区等)3926円
水道料金(口径20mmで20m3の月額) 横浜市3017円
下水道料金(20m3を使用した場合の月額) 横浜市2035円
下水道普及率 100.0%

安心・安全

建物火災出火件数 438件
人口10000人当たり
1.16件
刑法犯認知件数 16059件
人口1000人当たり
4.25件
ハザード・防災マップ あり

医療

一般病院総数 113ヶ所
一般診療所総数 3201ヶ所
小児科医師数 682人
小児人口10000人当たり
15.98人
産婦人科医師数 346人
15~49歳女性人口1万人当たり
4.58人
介護保険料基準額(月額) 6620円

ごみ

家庭ごみ収集(可燃ごみ) 無料
備考
-
家庭ごみの分別方式 7分別9種〔燃やすごみ 燃えないごみ スプレー缶 乾電池 プラスチック製容器包装 缶・びん・ペットボトル(缶、びん、ペットボトル) 小さな金属類〕
家庭ごみの戸別収集 一部実施(【ふれあい収集】家庭ごみ・粗大ごみを集積場所まで持ち出すことができない高齢者や障害のある方などを対象にごみ出しの支援を実施。【狭あい道路収集】道路が狭く収集車が通行することができないため、集積場所が自宅近くに設けられない地域において、軽四輪車でごみを収集)
粗大ごみ収集 あり
備考
有料。事前申込制。自宅近くまでもしくは市内4ヶ所に設置されている自己搬入ヤードへ持ち込み。申し込みは電話、またはインターネット。
生ごみ処理機助成金制度 なし
上限金額
-
上限比率
-

横浜市港南区の住まいの給付金

新築建築

利子補給制度 なし
補助/助成金制度 なし

新築購入

利子補給制度 なし
補助/助成金制度 なし
暮らしデータ提供元:生活ガイド.com
※行政機関により公表していない地域及びデータがございます。東京23区以外の政令指定都市は、市全体のデータとして表示しています。
※提供データには細心の注意を払っておりますが、調査後に変更がある場合があります。 最新の情報につきましては各市区役所までお問い合わせいただくか、自治体HPなどをご確認ください。

価格相場

更新日:2025年11月10日

横浜市港南区の価格相場

  50㎡~80㎡ 80㎡~100㎡ 100㎡~150㎡ 150㎡~200㎡ 200㎡以上
土地 2634万円 2489万円 3095万円 4151万円 5092万円

周辺エリアの価格相場

  横浜市西区 横浜市南区 横浜市磯子区 横浜市戸塚区 横浜市栄区
土地 5210万円 3391万円 - 2059万円 -
※このデータはgoo住宅・不動産に掲載されている土地の平均価格(管理費・駐車場代などを除く)を算出したものです。ただし5戸以上の掲載があるものについてのみ対象とします。
※周辺エリアの価格相場は広さ50㎡~80㎡の平均価格(管理費・駐車場代などを除く)を算出したものです。

神奈川県の人気の街アクセスランキング(土地)

※このランキングは2025年10月01日~31日における各ページのアクセス数から算出しています。

神奈川県横浜市港南区の人気の特集から土地物件を探す

特徴

他のエリアから探す

横浜市港南区の詳細地域から土地物件を探す

大久保上大岡東上永谷港南港南台港南中央通最戸笹下下永谷芹が谷野庭町東永谷日限山日野日野中央日野南丸山台

横浜市港南区内の駅から探す

港南台上大岡港南中央上永谷下永谷

アプリで簡単 物件探し 大手不動産サイトの情報から一括検!プッシュ通知で物件を見逃さない
App Storeからダウンロード Google Playで手に入れよう QRコード