アプリで簡単 物件探し 通知 共有 アプリならではの機能を使ってみる
RSS

成田市(千葉県) の売主・代理の土地(宅地・分譲地・売地) 物件一覧

千葉県成田市の売主・代理の土地、分譲地、売地、宅地などの土地物件をご紹介します。売り地、分譲土地、住宅用土地などの土地情報を探すならgoo住宅・不動産。価格・土地面積・建築条件・立地・人気のこだわり条件から物件を簡単検索。理想の物件探しをgoo住宅・不動産がサポートします。

売主・代理の土地物件特集
希望にあう土地を見つけたけれど、購入費用が不安…とお悩みではありませんか?購入費用をできるだけ抑えたい方は、売主・代理で取引される土地を購入することがおすすめです。取引の種類が売主、または代理の場合、仲介手数料がかからない大きなメリットがあります。購入費用を抑えられるので、売主・代理で取引される土地から理想の場所を探しましょう。

売主・代理の土地物件特集

探したい物件のエリア・検索条件を変更して再検索

エリア
検索条件 条件:売主・代理
8 並び替え
チェックした物件を一括で
選択 物件タイプ
画像
所在地/交通
(駅/バス 所要時間)
価格
坪単価
土地面積 用途地域
建築条件
建ぺい率
容積率

千葉県成田市玉造2丁目 土地

  • 土地
  • 千葉県成田市玉造2丁目 土地
    間取り図
千葉県成田市玉造2丁目
成田スカイアクセス 成田湯川駅 徒歩15分
3180
万円

47.29万円
222.28m2 1種低層
なし
50%
100%
  • 建築条件なし
  • 更地
  • 本下水
  • 都市ガス
  • 1種低層地域
おすすめポイント
成田市玉造二丁目売地・敷地67坪・建物解体済み・建築条件なし

千葉県成田市津富浦 土地

  • 土地
  • 千葉県成田市津富浦 土地
千葉県成田市津富浦
成田線 下総神崎駅 徒歩7.4km
57
万円

1万円
190.02m2 無指定
なし
60%
200%
  • 建築条件なし
  • 更地
  • 角地
おすすめポイント
■■成田空港まで車で約17分の立地!高台からの眺望良好!■■

千葉県成田市並木町 土地

  • 建築条件付土地
  • 千葉県成田市並木町 建築条件付土地
    間取り図
千葉県成田市並木町
京成本線 公津の杜駅 徒歩26分
京成本線 京成成田駅 徒歩38分
JR成田線 成田駅 徒歩3.2km
2380
万円
195.1m2 1種低層
あり
60%
150%
  • 更地
  • 本下水
  • 都市ガス
  • 即引渡し可
  • 1種低層地域
おすすめポイント
■建築条件付き宅地です。お好きな間取りをご提案いたします。■インフラ(上下水・ガス)引込済みですので、余計な費用が掛かりません。■徒歩圏には、スーパー、ホームセンター、家電量販店等があり生活利便良好です。■高低差がなく平坦な土地です。

千葉県成田市津富浦 土地

  • 土地
  • 千葉県成田市津富浦 土地
千葉県成田市津富浦
JR成田線 下総神崎駅 徒歩7.4km
57
万円
190.02m2 無指定
なし
60%
200%
  • 建築条件なし
  • 更地
  • 角地
おすすめポイント
■敷地面積:190.02m2(57.48坪)・角地・高台につき眺望良好です♪・お手頃価格の売地♪・田舎暮らしにおすすめです♪・東関東自動車道大栄ICまで車で約7分♪・東側・北側幅員約5mに面す♪▲▲▲▲▲▲▲▲▲▲▲▲▲▲▲▲▲▲▲▲▲▲▲▲▲▲▲▲▲▲▲▲▲▲“千葉・南房総で田舎暮らし”海の見える暮らし・里山の古民家など物件充実!お気軽にフリーダイヤル「0120-633-311」へお問い合わせください!!▲▲▲▲▲▲▲▲▲▲▲▲▲▲▲▲▲▲▲▲▲▲▲▲▲▲▲▲▲▲▲▲▲▲

千葉県成田市関戸 土地

  • 土地
  • 千葉県成田市関戸 土地
    間取り図
千葉県成田市関戸
JR成田線 成田駅 バス14分/「イオンモール成田従業員入口前」バス停 停歩14分
4800
万円
2468.69m2 無指定
なし
60%
200%
  • 建築条件なし
  • 南道路

千葉県成田市吾妻1 土地

  • 土地
  • 千葉県成田市吾妻1 土地
    間取り図
千葉県成田市吾妻1
バス/「吾妻小学校」バス停 停歩1分
3380
万円
272.17m2 1種低層
なし
50%
100%
  • 建築条件なし
  • 本下水
  • 都市ガス
  • 上物有り
  • 角地
  • 1種低層地域
おすすめポイント
物件は教育施設や大型スーパーが至近に揃っており、ファミリー層にとって非常に魅力的な住環境です。成田市立吾妻小学校:約130m(徒歩2分)、成田市立吾妻中学校:約300m(徒歩4分)、ヤオコー 成田はなのき台店:約750m(徒歩10分)、フードスクエアカスミ 成田赤坂店:約750m(徒歩10分)

千葉県成田市玉造2 土地

  • 土地
  • 千葉県成田市玉造2 土地
    間取り図
千葉県成田市玉造2
成田スカイアクセス 成田湯川駅 徒歩15分
3180
万円
222.28m2 1種低層
なし
50%
100%
  • 建築条件なし
  • 更地
  • 本下水
  • 都市ガス
  • 角地
  • 1種低層地域
  • 整形地
おすすめポイント
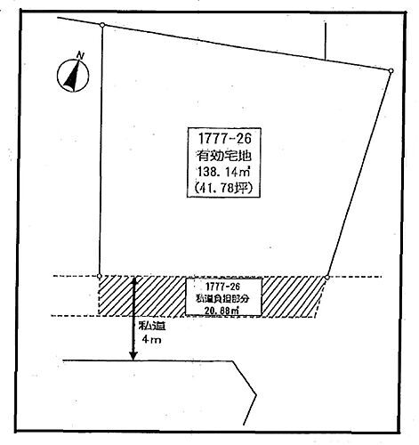
**お住まい探しや売却のご相談など不動産に関することは「ハウスドゥ成田山店」へお任せください** 成田市玉造二丁目売地物件住所:成田市玉造二丁目12番地1土地面積:222.28平米(約67.23坪)お好きなハウスメーカーで建てられます(建築条件なし)建物解体済み・現況更地人気の成田ニュータウンエリアの為、住環境良好小中学校まで徒歩13分圏内☆ 周辺環境 ☆玉造保育園 徒歩10分(約700m)ローソン 徒歩11分(約850m)玉造郵便局 徒歩8分(約650m)おだクリニック 徒歩9分(約600m)花内児童公園 徒歩1分(約50m)外子代公園 徒歩2分(約110m)
new

千葉県成田市新駒井野 土地

  • 土地
  • NO PHOTO
千葉県成田市新駒井野
成田線 成田空港駅 徒歩6.5km
3500
万円

8.35万円
1386.2m2 1種低層
なし
50%
100%
  • 建築条件なし
  • 1種低層地域
チェックした物件を一括で
  • チェックした物件をまとめて
8
表示件数

申し訳ございません。条件にあう物件が少なかったため
以下は「茂原市と佐倉市」の物件情報を表示しています。

茂原市と佐倉市の土地 物件一覧

チェックした物件を一括で
選択 物件タイプ
画像
所在地/交通
(駅/バス 所要時間)
価格
坪単価
土地面積 用途地域
建築条件
建ぺい率
容積率

千葉県佐倉市石川 土地

  • 土地
  • 千葉県佐倉市石川 土地
    間取り図
千葉県佐倉市石川
総武本線 佐倉駅 徒歩17分
350
万円

5.7万円
204.4m2 1種低層
なし
50%
100%
  • 建築条件なし
  • 更地
  • 本下水
  • 角地
  • 1種低層地域
おすすめポイント
開発分譲地内 建築条件なし! 敷地60坪超 開放感のある角地!上・下水道 都市ガス引込済み!

千葉県佐倉市石川 土地

  • 土地
  • 千葉県佐倉市石川 土地
    間取り図
千葉県佐倉市石川
総武本線 佐倉駅 徒歩19分
300
万円

4.8万円
204.55m2 1種低層
なし
50%
100%
  • 建築条件なし
  • 更地
  • 本下水
  • 都市ガス
  • 1種低層地域
おすすめポイント
建築条件なし! 敷地60坪超!上下水道・都市ガス引込済み!お好きなハウスメーカーで建築できます。

千葉県佐倉市石川 土地

  • 土地
  • 千葉県佐倉市石川 土地
    間取り図
千葉県佐倉市石川
総武本線 佐倉駅 徒歩19分
300
万円

4.8万円
205.1m2 1種低層
なし
50%
100%
  • 建築条件なし
  • 更地
  • 本下水
  • 都市ガス
  • 1種低層地域
おすすめポイント
建築条件なし!ゆとりのある敷地60坪超!上下水道、都市ガス引込済み!建物の参考プランご用意してます!

千葉県佐倉市石川 土地

  • 土地
  • 千葉県佐倉市石川 土地
    間取り図
千葉県佐倉市石川
総武本線 佐倉駅 徒歩19分
500
万円

2.7万円
613.9m2 1種低層
なし
50%
100%
  • 建築条件なし
  • 更地
  • 角地
  • 1種低層地域
おすすめポイント
建築条件なし!開発分譲地内 上・下水道 都市ガス引込済み!敷地広々185坪!

千葉県茂原市中善寺 土地

  • 土地
  • 千葉県茂原市中善寺 土地
    間取り図
千葉県茂原市中善寺
外房線 茂原駅 徒歩4.9km
399
万円

3.1万円
429.29m2 無指定
なし
60%
200%
  • 建築条件なし
  • 更地
  • 即引渡し可

千葉県茂原市弓渡 土地

  • 土地
  • 千葉県茂原市弓渡 土地
千葉県茂原市弓渡
外房線 本納駅 徒歩4.8km
65
万円

1.23万円
175m2 無指定
なし
60%
200%
  • 建築条件なし
  • 更地
  • 南道路
  • 平坦地
  • 即引渡し可

千葉県佐倉市ユーカリが丘1 土地

  • 土地
  • 千葉県佐倉市ユーカリが丘1 土地
    間取り図
千葉県佐倉市ユーカリが丘1
ユーカリが丘線 公園駅 徒歩2分
ユーカリが丘線 井野駅 徒歩10分
ユーカリが丘線 ユーカリが丘駅 徒歩16分
3980
万円
382.69m2 1種住居
なし
60%
200%
  • 建築条件なし
  • 更地
  • 本下水
  • 都市ガス
  • 整形地
おすすめポイント
◆小竹小学校・井野中学校の通学地域♪◆◆スーパー、コンビニは徒歩圏内に複数あり!◆◆詳細は『周辺環境』でご確認下さい♪◆◆整形地なので土地全体を有効活用できます♪◆◆インフラ:公営水道・本下水・都市ガス◆◆お好きなハウスメーカーで建築可能!建築会社の紹介もできます♪◆◆◇───お問い合わせはLiveAll(リブオール)まで───◇◆◇お客様用駐車場&キッズスペース完備♪子育中の社員が多いのでお子様連れ大歓迎です♪◇◇無理な営業は一切いたしません!「資料だけ」でもお気軽にお問い合わせ下さい♪◇◇頭金0でもご購入可能!家探しが初めての方にも分かりやすく丁寧に対応いたします♪◇

千葉県佐倉市王子台3 土地

  • 土地
  • 千葉県佐倉市王子台3 土地
    間取り図
千葉県佐倉市王子台3
京成本線 京成臼井駅 徒歩3分
京成本線 ユーカリが丘駅 徒歩36分
ユーカリが丘線 地区センター駅 徒歩37分
2480
万円
160.13m2 1種住居
なし
60%
200%
  • 建築条件なし
  • 更地
  • 本下水
  • 都市ガス
  • 即引渡し可
おすすめポイント
未公開物件多数♪HP毎日更新中です!▽▲▽▲▽▲▽▲▽▲▽▲▽▲▽▲https://www.cocosumo-chiba.jp/▲▽▲▽▲▽▲▽▲▽▲▽▲▽▲▽京成臼井駅まで徒歩3分、48.43坪の広々土地。住宅用地としても、店舗やオフィスなどの商業施設としても利用可能な柔軟性があります。都市ガス、公共上下水道完備でインフラも整っており、生活利便施設が近く、閑静な住宅街で落ち着いた住環境が広がります。

千葉県佐倉市上志津 土地

  • 土地
  • 千葉県佐倉市上志津 土地
    間取り図
千葉県佐倉市上志津
京成本線 志津駅 徒歩10分
948
万円
90.75m2 1種低層
なし
50%
100%
  • 建築条件なし
  • 本下水
  • 都市ガス
  • 上物有り
  • 即引渡し可
  • 1種低層地域
おすすめポイント
■建築条件なし♪お好きなハウスメーカーで建築可能です!■敷地面積約27坪■弊社売主につき経費削減できます■佐倉市立上志津小学校 徒歩4分■志津駅 徒歩10分

千葉県佐倉市石川 土地

  • 建築条件付土地
  • 千葉県佐倉市石川 建築条件付土地
    間取り図
千葉県佐倉市石川
JR総武本線 佐倉駅 バス9分/「城郵便局」バス停 停歩2分
1380
万円
170m2 準工業
あり
60%
200%
  • 更地
  • 本下水
おすすめポイント
■小学校やスーパー・コンビニ徒歩圏内■バス停まで徒歩約2分※建築条件付き(相談可)快適な住まい探しを当社がお手伝いいたします。まずはご希望条件などをスタッフへお気軽にお聞かせください。ご連絡をお待ちしております。また、弊社では中古住宅も取り扱っています。リフォーム会社として37年以上の実績を持つ弊社に購入からリフォームまでお任せください。

千葉県佐倉市石川 土地

  • 建築条件付土地
  • 千葉県佐倉市石川 建築条件付土地
    間取り図
千葉県佐倉市石川
JR総武本線 佐倉駅 バス9分/「城郵便局」バス停 停歩2分
1480
万円
167m2 準工業
あり
60%
200%
  • 更地
  • 本下水
  • 角地
おすすめポイント
■小学校やスーパー・コンビニ徒歩圏内■バス停まで徒歩約2分※建築条件付き(相談可)快適な住まい探しを当社がお手伝いいたします。まずはご希望条件などをスタッフへお気軽にお聞かせください。ご連絡をお待ちしております。また、弊社では中古住宅も取り扱っています。リフォーム会社として37年以上の実績を持つ弊社に購入からリフォームまでお任せください。

千葉県佐倉市西志津3 土地

  • 建築条件付土地
  • 千葉県佐倉市西志津3 建築条件付土地
    間取り図
千葉県佐倉市西志津3
京成本線 勝田台駅 徒歩11分
東葉高速鉄道 東葉勝田台駅 徒歩11分
2150
万円
133.55m2 1種低層
あり
50%
100%
  • 更地
  • 本下水
  • 都市ガス
  • 1種低層地域
おすすめポイント
スーパーまで徒歩2分、ドラッグストアまで徒歩3分、「勝田駅」まで徒歩11分の便利な立地が魅力です。【土地の特長】・敷地面積40坪超!・建物プランを作成しやすい整形地、更地渡し!・高低差が少なく、住まいの計画が立てやすい立地・閑静な第一種低層住居専用地域内【周辺施設】・スーパー「ランドロームフードマーケット 勝田台店」まで徒歩2分!・ウエルシア佐倉西志津店まで徒歩3分!・「勝田台」駅まで徒歩11分!【お電話が苦手な方でも、安心なネット予約可能!他プランもご提案いたします】「来場予約」または「下部のカレンダー」より、簡単にネット予約が可能です。

千葉県佐倉市臼井台 土地

  • 土地
  • 千葉県佐倉市臼井台 土地
千葉県佐倉市臼井台
京成本線 京成臼井駅 徒歩14分
ユーカリが丘線 女子大駅 徒歩33分
京成本線 ユーカリが丘駅 徒歩36分
980
万円
153.69m2 1種低層
なし
60%
150%
  • 建築条件なし
  • 更地
  • 本下水
  • 都市ガス
  • 即引渡し可
  • 1種低層地域
  • 整形地
おすすめポイント
【おすすめPoint】◇建築条件無し!お好きなハウスメーカーで建築可!◆教育施設、買物施設が徒歩圏に揃う住環境の良い立地!◇全区画45坪以上のゆとりある敷地!◆弊社売主物件につき、諸費用を抑えられます!【周辺施設】佐倉市立臼井小学校:徒歩10分佐倉市立臼井西中学校:徒歩8分スーパータイヨウ佐倉店:徒歩6分セブンイレブン佐倉臼井店:徒歩5分ウエルシア佐倉小竹店:徒歩11分

千葉県佐倉市中志津1 土地

  • 土地
  • 千葉県佐倉市中志津1 土地
    間取り図
千葉県佐倉市中志津1
京成本線 志津駅 徒歩15分
京成本線 ユーカリが丘駅 徒歩18分
800
万円
119.04m2 1種低層
なし
50%
100%
  • 建築条件なし
  • 更地
  • 本下水
  • 都市ガス
  • 1種低層地域
  • 整形地
おすすめポイント
【令和8年3月2日更新】◇土地:約36坪(当社売主)・南東側道路に接道しています・陽当たり・通風良好・確定測量済◇建築条件無し・お好みのハウスメーカーで建てられます◆参考プラン2280万円有(建物・外構・付帯工事込)・プラン変更、カスタマイズ可能です◇2駅利用可・京成本線志津駅 徒歩約15分(バス停徒歩約3分、乗車約2分)・京成本線ユーカリが丘駅 徒歩約18分・志津駅までのバス便は豊富です◇お子様に優しい住環境・公園までは徒歩2分・小学校の通学路は見通しが良い歩道付の広い道路(徒歩約9分)

千葉県佐倉市上座 土地

  • 土地
  • 千葉県佐倉市上座 土地
千葉県佐倉市上座
京成本線 ユーカリが丘駅 徒歩16分
2300
万円
475.8m2 無指定
なし
50%
100%
  • 建築条件なし
  • 更地
  • 本下水
  • 都市ガス

千葉県佐倉市西志津7 土地

  • 土地
  • 千葉県佐倉市西志津7 土地
千葉県佐倉市西志津7
京成本線 志津駅 徒歩22分
東葉高速鉄道 東葉勝田台駅 徒歩29分
1499
万円
145.45m2 1種低層
なし
50%
100%
  • 建築条件なし
  • 本下水
  • 都市ガス
  • 角地
  • 1種低層地域
おすすめポイント
建築条件なし お好きなハウスメーカで建てられます♪▽▲▽▲▽▲▽▲▽▲▽▲▽▲▽▲https://www.cocosumo-chiba.jp/▲▽▲▽▲▽▲▽▲▽▲▽▲▽▲▽小学校徒歩2分で通学安心。南東角地のため日当たり・風通し良好!開放感のある立地で、自由設計の夢を叶える建築条件なし土地です。前面道路はゆったり4m以上、車の出入りもスムーズ。周辺にはスーパーや公園、保育園など生活利便施設も充実しています。子育て世代に人気のエリア「西志津7丁目」。落ち着いた住環境で、新しい暮らしを始めませんか?

千葉県佐倉市宮ノ台3 土地

  • 土地
  • 千葉県佐倉市宮ノ台3 土地
    間取り図
千葉県佐倉市宮ノ台3
ユーカリが丘線 中学校駅 徒歩3分
2580
万円
217.33m2 1種低層
なし
50%
100%
  • 建築条件なし
  • 更地
  • 本下水
  • 都市ガス
  • 角地
  • 即引渡し可
  • 1種低層地域
  • 整形地
おすすめポイント
■オススメポイント■〇ゆとりの61坪!整形地+角地でご希望の建築プランが叶います!〇徒歩3分で、『生鮮市場てらお』お野菜やお菓子が安い!便利な立地です。〇井野中学校が徒歩2分!部活帰りで遅くなっても安心の距離ですね!〇イオンタウンユーカリが丘、広大な公園もあり、ご家族で楽しむ環境も整っています!

千葉県佐倉市上座 土地

  • 建築条件付土地
  • 千葉県佐倉市上座 建築条件付土地
    間取り図
千葉県佐倉市上座
京成本線 ユーカリが丘駅 徒歩10分
ユーカリが丘線 地区センター駅 徒歩10分
京成本線 志津駅 徒歩12分
1480
万円
138m2 1種低層
あり
60%
150%
  • 更地
  • 本下水
  • 都市ガス
  • 角地
  • 即引渡し可
  • 1種低層地域
  • 整形地
おすすめポイント
【おすすめポイント】・建築条件つき!多彩なプランをご用意しております!・京成本線「ユーカリが丘」駅 徒歩10分!・静かな住宅街で落ち着いた住環境!・周辺に生活施設が揃い、日常生活も便利!

千葉県佐倉市井野町 土地

  • 建築条件付土地
  • NO PHOTO
千葉県佐倉市井野町
東葉高速鉄道 東葉勝田台駅 徒歩14分
京成本線 勝田台駅 徒歩14分
京成本線 志津駅 徒歩12分
648
万円
90.8m2 準工業
あり
60%
200%
  • 本下水
  • 上物有り
  • 即引渡し可
  • 整形地
おすすめポイント
■東西線直通の始発駅『勝田台』駅徒歩14分の好立地■近隣は商業施設が多数あります♪■2路線2駅使用可能なので通勤・通学も安心です♪■京成本線利用で成田空港にもアクセス良好■子育て支援センターの充実や共働き家庭を支える子育て支援が整った佐倉市♪■将来のライフスタイルの変化にも対応しやすい生活環境の整ったロケーション■ビルドインガレージの施工例なども多数あります♪
チェックした物件を一括で

千葉県佐倉市六崎 土地

  • 土地
  • 千葉県佐倉市六崎 土地
千葉県佐倉市六崎
JR総武本線 佐倉駅 徒歩14分
京成本線 京成佐倉駅 徒歩3.7km
JR総武本線 物井駅 徒歩3.4km
22000
万円
3781.08m2 工業地域
なし
60%
200%
  • 建築条件なし
  • 更地
おすすめポイント
10年後、20年後、30年後も、「この“住まい”でよかった」と笑顔で言っていただけるように。「住まい」は高額なお買い物であると同時に、これからの人生でたくさんの時間を過ごす大切な場所です。、将来に叶えたい暮らしをきちんと想定した上で、心から「安心」そして「納得」できる「住まい」を見つけてください。コネクトがお手伝いいたします。

千葉県佐倉市石川 土地

  • 土地
  • 千葉県佐倉市石川 土地
    間取り図
千葉県佐倉市石川
JR総武本線 佐倉駅 バス12分/「根郷小学校」バス停 停歩6分
1480
万円
165.52m2 準工業
なし
60%
200%
  • 建築条件なし
  • 更地
  • 本下水
  • 都市ガス
  • 整形地
おすすめポイント
■総武本線「佐倉駅」まで自転車で9分■根郷小学校まで徒歩7分■ロイヤルホームセンターまで徒歩8分■東武ストアまで徒歩5分■敷地面積50坪の建築条件なしの売地

千葉県佐倉市王子台5 土地

  • 土地
  • 千葉県佐倉市王子台5 土地
    間取り図
千葉県佐倉市王子台5
京成本線 京成臼井駅 徒歩19分
京成本線 ユーカリが丘駅 徒歩26分
ユーカリが丘線 地区センター駅 徒歩29分
1980
万円
475.15m2 1種低層
なし
50%
100%
  • 建築条件なし
  • 更地
  • 1種低層地域

千葉県茂原市谷本 土地

  • 土地
  • 千葉県茂原市谷本 土地
    間取り図
千葉県茂原市谷本
JR外房線 茂原駅 徒歩3.2km
JR外房線 新茂原駅 徒歩33分
180
万円
157m2 無指定
なし
60%
200%
  • 建築条件なし
  • 更地
  • 南道路
  • 即引渡し可
おすすめポイント
【売主の為、金額ご相談ください!】◎角地◎建築条件なし◎お好きなハウスメーカーで建築可能◎売主物件です(●´ω`●)※セットバック要。都市ガス、公営水道は別途引込料金が発生致します。農業集落排水、負担金50万円が発生致します。

千葉県佐倉市井野 土地

  • 建築条件付土地
  • 千葉県佐倉市井野 建築条件付土地
    間取り図
千葉県佐倉市井野
京成本線 志津駅 徒歩15分
ユーカリが丘線 井野駅 徒歩23分
1700
万円
215.62m2 1種低層
あり
60%
100%
  • 更地
  • 本下水
  • 都市ガス
  • 角地
  • 1種低層地域
  • 整形地
おすすめポイント
保育園、小学校、中学校が徒歩10分前後、イオンモール徒歩11分、スーパー徒歩10分、敷地南側が公園あり眺望よし。閑静な住宅地。都市ガス。公営水道。この土地は、土地契約売買契約後8カ月以内に当社と建物請負契約を締結することを条件に販売します。この期間内に建築請負契約を締結されなかった場合は、土地売買契約は白紙となり、受領した手付金等の土地代金は全てお返しします。なお、注文住宅のため、設計積算期間が長期にわたった場合などで理由が両者合意があれば、その期間の延長をおこなうこともあります。

千葉県佐倉市中志津1 土地

  • 建築条件付土地
  • 千葉県佐倉市中志津1 建築条件付土地
    間取り図
千葉県佐倉市中志津1
京成本線 志津駅 徒歩9分
1480
万円
166.71m2 1種低層
あり
50%
100%
  • 更地
  • 本下水
  • 都市ガス
  • 角地
  • 1種低層地域
おすすめポイント
◆下志津小学校・上志津中学校の通学地域♪◆◆イオンタウンユーカリが丘まで自転車で10分♪◆◆徒歩圏内に複数公園あり♪◆◆詳細は『周辺環境』でご確認下さい♪◆◆【売主物件】にはメリットが沢山!詳細はお気軽にお問い合わせ下さい♪◆◆50坪超のゆとりある敷地計画◆◆◇───お問い合わせはLiveAll(リブオール)まで───◇◆◇お客様用駐車場&キッズスペース完備♪子育中の社員が多いのでお子様連れ大歓迎です♪◇◇無理な営業は一切いたしません!「資料だけ」でもお気軽にお問い合わせ下さい♪◇◇頭金0でもご購入可能!お客様が「買ってよかった」と思える家探しをサポートします♪◇

千葉県茂原市新小轡 土地

  • 土地
  • 千葉県茂原市新小轡 土地
    間取り図
千葉県茂原市新小轡
JR外房線 新茂原駅 徒歩14分
JR外房線 茂原駅 徒歩38分
JR外房線 本納駅 徒歩4.1km
690
万円
241.8m2 1種中高
なし
60%
200%
  • 建築条件なし
  • 更地
  • 都市ガス
  • 角地

千葉県茂原市萩原町1 土地

  • 土地
  • 千葉県茂原市萩原町1 土地
    間取り図
千葉県茂原市萩原町1
JR外房線 茂原駅 徒歩21分
JR外房線 新茂原駅 徒歩21分
JR外房線 本納駅 徒歩5.3km
990
万円
229m2 1種中高
なし
60%
200%
  • 建築条件なし
  • 更地
  • 南道路
  • 本下水
  • 都市ガス
  • 角地
  • 即引渡し可
  • 整形地

千葉県佐倉市井野 土地

  • 土地
  • 千葉県佐倉市井野 土地
    間取り図
千葉県佐倉市井野
東葉高速鉄道 東葉勝田台駅 徒歩8分
京成本線 勝田台駅 徒歩8分
東葉高速鉄道 村上駅 徒歩24分
2880
万円
265.58m2 1種住居
なし
60%
200%
  • 建築条件なし
  • 更地
  • 本下水
  • 都市ガス
  • 即引渡し可
おすすめポイント
弊社の強みは安心の実績!~設立から44年の信頼と豊富な仕入れ情報、安心のお取引~ 「不動産会社」には、大手と地元密着型の不動産会社がございますが、弊社は八千代中央駅から徒歩3分の場所に拠点を構え、設立44年の実績を誇る地元の不動産会社です。地元の地主様との直接の取引やご紹介を通じて、豊富な仕入れ案件を取り扱っております。たとえ現時点でご希望の不動産が市場に出ていなくても、ぜひ一度ご相談ください。ご希望に近い物件の仕入れ情報が入り次第、最優先でご案内させていただきます。また、長年の地域密着の実績により、無理な営業は一切いたしませんのでご安心ください。ぜひお気軽にお問い合わせください。

千葉県佐倉市井野 土地

  • 土地
  • 千葉県佐倉市井野 土地
千葉県佐倉市井野
京成本線 志津駅 徒歩9分
1000
万円
116.05m2 1種低層
なし
60%
150%
  • 建築条件なし
  • 更地
  • 本下水
  • 即引渡し可
  • 1種低層地域

千葉県佐倉市上志津 土地

  • 建築条件付土地
  • 千葉県佐倉市上志津 建築条件付土地
    間取り図
千葉県佐倉市上志津
京成本線 志津駅 徒歩6分
京成本線 ユーカリが丘駅 徒歩12分
ユーカリが丘線 公園駅 徒歩26分
2090
万円
165.58m2 1種住居
あり
60%
200%
  • 更地
  • 即引渡し可
  • 整形地
おすすめポイント
京成本線ユーカリが丘駅徒歩12分、志津駅徒歩6分の好立地。平坦地。■志津小学校 約500m■志津中学校 約850m■志津幼稚園 約850m■ベルク佐倉志津店 約240m■ローソン 約400m■小林整形外科 約500m

千葉県茂原市東郷 土地

  • 建築条件付土地
  • 千葉県茂原市東郷 建築条件付土地
    間取り図
千葉県茂原市東郷
JR外房線 新茂原駅 徒歩17分
350
万円
195.53m2 1種中高
あり
60%
200%
  • 更地
  • 都市ガス

千葉県佐倉市宮ノ台3丁目 土地

  • 土地
  • 千葉県佐倉市宮ノ台3丁目 土地
    間取り図
千葉県佐倉市宮ノ台3丁目
山万ユーカリが丘線 中学校駅 徒歩3分
2580
万円

39.25万円
217.33m2 1種低層
なし
50%
100%
  • 建築条件なし
  • 更地
  • 本下水
  • 都市ガス
  • 角地
  • 即引渡し可
  • 1種低層地域
おすすめポイント
人気のユーカリが丘エリアで約61の角地が販売開始!お問合せはお早めに!

千葉県佐倉市上座 土地

  • 建築条件付土地
  • 千葉県佐倉市上座 建築条件付土地
    間取り図
千葉県佐倉市上座
京成電鉄本線 ユーカリが丘駅 徒歩10分
1480
万円

35.46万円
138m2 1種低層
あり
60%
150%
  • 更地
  • 本下水
  • 都市ガス
  • 角地
  • 即引渡し可
  • 1種低層地域
おすすめポイント
【当社売主】整形地×建築条件付き、売地!理想の住まいを実現!

千葉県佐倉市弥勒町 土地

  • 土地
  • 千葉県佐倉市弥勒町 土地
千葉県佐倉市弥勒町
京成電鉄本線 京成佐倉駅 徒歩13分
1380
万円

4.69万円
974.67m2 1種低層
なし
60%
150%
  • 建築条件なし
  • 更地
  • 南道路
  • 本下水
  • 都市ガス
  • 即引渡し可
  • 1種低層地域
おすすめポイント
【当社売主】住宅・アパート・介護施設用地敷地としてオススメ! 敷地294坪! 駅徒歩約13分!

千葉県佐倉市城 土地

  • 土地
  • 千葉県佐倉市城 土地
千葉県佐倉市城
総武本線 佐倉駅 バス10分/「第二工業団地入口」バス停 停歩8分
780
万円

7.06万円
365.63m2 1種低層
なし
50%
100%
  • 建築条件なし
  • 更地
  • 本下水
  • 都市ガス
  • 即引渡し可
  • 1種低層地域
おすすめポイント
当社売主! 敷地約110坪 閑静な住宅地内

千葉県茂原市粟生野 土地

  • 土地
  • NO PHOTO
千葉県茂原市粟生野
外房線 永田駅 徒歩5.1km
60
万円

1.51万円
132m2 無指定
なし
60%
200%
  • 建築条件なし
  • 更地
  • 南道路
おすすめポイント
閑静で緑豊かな住宅地、田舎暮らしにお薦めです、建築条件無し。

千葉県佐倉市井野 土地

  • 土地
  • NO PHOTO
千葉県佐倉市井野
京成電鉄本線 志津駅 徒歩9分
京成電鉄本線 勝田台駅 徒歩21分
1000
万円

28.6万円
115.6m2 1種低層
なし
60%
150%
  • 建築条件なし
  • 更地
  • 本下水
  • 都市ガス
  • 即引渡し可
  • 1種低層地域

千葉県茂原市高師 土地

  • 建築条件付土地
  • 千葉県茂原市高師 建築条件付土地
    間取り図
千葉県茂原市高師
外房線 茂原駅 徒歩9分
外房線 新茂原駅 徒歩34分
1155
万円

14.92万円
256m2 1種住居
あり
60%
160%
  • 平坦地
  • 本下水
  • 都市ガス
  • 即引渡し可
おすすめポイント
駅まで650mの77坪。川沿い遊歩道も近くです。

千葉県茂原市茂原 土地

  • 建築条件付土地
  • 千葉県茂原市茂原 建築条件付土地
    間取り図
千葉県茂原市茂原
外房線 茂原駅 徒歩14分
950
万円

16.83万円
186.63m2 1種中高
あり
60%
160%
  • 更地
  • 平坦地
  • 本下水
  • 都市ガス
  • 即引渡し可
おすすめポイント
駅まで1km、バス通り沿いの整形分譲地3区画

千葉県茂原市中部 土地

  • 建築条件付土地
  • 千葉県茂原市中部 建築条件付土地
    間取り図
千葉県茂原市中部
外房線 茂原駅 バス8分/「茂原高校入口」バス停 停歩10分
990
万円

13万円
251.93m2 1種低層
あり
50%
100%
  • 南道路
  • 平坦地
  • 本下水
  • 都市ガス
  • 即引渡し可
  • 1種低層地域
おすすめポイント
茂原公園に近接した南道路76坪
チェックした物件を一括で

条件を選択

価格
土地面積
駅からの時間
建築条件
現況
立地・特徴
条件
画像・動画
情報の新しさ
フリーワード
成田市のおすすめ新築一戸建て

成田市の新築一戸建て情報をもっと見る

成田市の暮らしデータ

人口などの統計情報

世帯数 60126世帯
人口総数 133099人
転入者数 12447人
転入率(人口1000人当たり)
93.52人
転出者数 10564人
転出率(人口1000人当たり)
79.37人
土地平均価格
住宅地
44154円/m2
商業地
115000円/m2

結婚・育児の助成金

子育て関連の独自の取り組み (1)遺児等手当(父母又は父母いずれかが死亡もしくは一定の障害になった場合に、その児童の養育者に月額6,000円の手当を支給。義務教育終了まで。所得制限あり)。(2)母子父子家庭等入学就職祝金(児童扶養手当受給世帯等の児童が高校等に入学する場合や、中学卒業後ただちに就職する場合に祝い金を支給。児童一人につき8,000円。申請制)。(3)子どもと妊婦のインフルエンザ予防接種費用助成(接種時点で成田市に住民票がある、生後6ヶ月から中学校3年生までの方と母子健康手帳の交付を受けている妊婦を対象とし、1回の接種に対し2,000円の助成。接種回数については、生後6ヶ月から13歳未満は2回、それ以外の方は1回)。
出産祝い あり
公立保育所数 12所(うち0歳児保育を実施している保育所:11所)
私立保育所数 13所(うち0歳児保育を実施している保育所:13所)
保育所入所待機児童数 9人
認定こども園数 5園 預かり保育実施園数 公立:1園 私立:7園
学校給食 【小学校】完全給食【中学校】完全給食
公立中学校の学校選択制 未実施
子ども・学生等医療費助成<通院>対象年齢 18歳3月末まで 子ども・学生等医療費助成<入院>対象年齢 18歳3月末まで

成田市の治安・ごみ収集情報

公共料金・インフラ

ガス料金(22m3使用した場合の月額) 東京瓦斯株式会社(東京地区等)3926円
日本瓦斯株式会社(富里・成田地区)3539円
水道料金(口径20mmで20m3の月額) 千葉県営水道3250円
成田市3982円
成田市(下総地区 簡易水道)3982円
成田市(大栄地区 簡易水道)4895円
下水道料金(20m3を使用した場合の月額) 成田市1980円
下水道普及率 78.7%

安心・安全

建物火災出火件数 23件
人口10000人当たり
1.73件
刑法犯認知件数 1130件
人口1000人当たり
8.50件
ハザード・防災マップ あり

医療

一般病院総数 5ヶ所
一般診療所総数 88ヶ所
小児科医師数 34人
小児人口10000人当たり
21.89人
産婦人科医師数 23人
15~49歳女性人口1万人当たり
7.97人
介護保険料基準額(月額) 5300円

ごみ

家庭ごみ収集(可燃ごみ) 無料
備考
指定ごみ袋は有料だが、袋代にごみ収集・処理料金等を含まず。
家庭ごみの分別方式 8分別12種〔可燃ごみ プラスチック製容器包装 ペットボトル ビン・カン 金物・陶磁器・ガラス類 有害ごみ 紙類[新聞、雑誌、ダンボール、紙パック、雑がみ] 衣類・布類〕 拠点回収:使用済み天ぷら油 ペットボトル 集団回収:紙類(新聞 雑誌 段ボール 牛乳パック 雑がみ) 衣類・布類 びん類(リターナブルびん 透明 茶色 その他の色) かん類 金属類 ペットボトル
家庭ごみの戸別収集 一部実施
粗大ごみ収集 あり
備考
事前申込制。
生ごみ処理機助成金制度 あり
上限金額
50000円
上限比率
50.0%

成田市の住まいの給付金

新築建築

利子補給制度 なし
補助/助成金制度 なし

新築購入

利子補給制度 なし
補助/助成金制度 なし
暮らしデータ提供元:生活ガイド.com
※行政機関により公表していない地域及びデータがございます。東京23区以外の政令指定都市は、市全体のデータとして表示しています。
※提供データには細心の注意を払っておりますが、調査後に変更がある場合があります。 最新の情報につきましては各市区役所までお問い合わせいただくか、自治体HPなどをご確認ください。

価格相場

更新日:2026年03月02日

成田市の価格相場

  50㎡~80㎡ 80㎡~100㎡ 100㎡~150㎡ 150㎡~200㎡ 200㎡以上
土地 - - - 1455万円 4317万円

周辺エリアの価格相場

  佐倉市 八街市 富里市 印旛郡酒々井町 印旛郡栄町
土地 1459万円 217万円 819万円 - -
※このデータはgoo住宅・不動産に掲載されている土地の平均価格(管理費・駐車場代などを除く)を算出したものです。ただし5戸以上の掲載があるものについてのみ対象とします。
※周辺エリアの価格相場は広さ100㎡~150㎡の平均価格(管理費・駐車場代などを除く)を算出したものです。

千葉県の人気の街アクセスランキング(土地)

※このランキングは2026年02月01日~28日における各ページのアクセス数から算出しています。

千葉県成田市の人気の特集から土地物件を探す

特徴

他のエリアから探す

成田市の詳細地域から土地物件を探す

吾妻囲護台伊能押畑吉岡郷部三里塚新駒井野関戸玉造土屋津富浦名古屋南敷並木町成井南平台西三里塚本三里塚本城馬橋美郷台

成田市内の駅から探す

下総松崎成田空港第2ビル成田空港久住滑河成田湯川公津の杜京成成田東成田

アプリで簡単 物件探し 大手不動産サイトの情報から一括検!プッシュ通知で物件を見逃さない
App Storeからダウンロード Google Playで手に入れよう QRコード