アプリで簡単 物件探し 通知 共有 アプリならではの機能を使ってみる
RSS

菊川市(静岡県) の建築条件なしの土地(宅地・分譲地・売地) 物件一覧

静岡県菊川市の建築条件なしの土地、分譲地、売地、宅地などの土地物件をご紹介します。売り地、分譲土地、住宅用土地などの土地情報を探すならgoo住宅・不動産。価格・土地面積・建築条件・立地・人気のこだわり条件から物件を簡単検索。理想の物件探しをgoo住宅・不動産がサポートします。

建築条件なしの土地物件特集
注文住宅を建てる土地を探している方におすすめの建築条件なしの土地を紹介します。土地に建築条件が定められていると、条件を満たす住宅しか作れません。建築条件なしの土地を購入すれば、自由度の高い注文住宅を建てられるため、家族全員の理想を叶えるマイホームができあがりますよ。土地の購入費用や周辺環境をチェックして、好みの場所にある土地を購入しましょう。

建築条件なしの土地物件特集

探したい物件のエリア・検索条件を変更して再検索

エリア
検索条件 建築条件:建築条件なし
75 並び替え
チェックした物件を一括で
選択 物件タイプ
画像
所在地/交通
(駅/バス 所要時間)
価格
坪単価
土地面積 用途地域
建築条件
建ぺい率
容積率

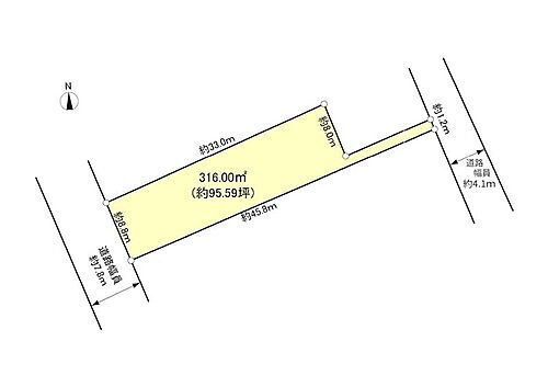
静岡県菊川市下平川 土地

  • 土地
  • 静岡県菊川市下平川 土地
    間取り図
静岡県菊川市下平川
バス平田停 徒歩5分
477.95
万円

5万円
316m2 近隣商業
なし
80%
200%
  • 建築条件なし
  • 更地
  • 平坦地
おすすめポイント
下平川エリアの事業用・住宅用地・約95坪!商業用建物なども建築可能です。
遠州鉄道株式会社 遠鉄の不動産 磐田店

静岡県菊川市下平川 土地

  • 土地
  • 静岡県菊川市下平川 土地
    間取り図
静岡県菊川市下平川
バス平田停 徒歩5分
477.95
万円

5万円
316m2 近隣商業
なし
80%
200%
  • 建築条件なし
  • 更地
  • 平坦地
おすすめポイント
下平川エリアの事業用・住宅用地・約95坪!商業用建物なども建築可能です。
遠州鉄道株式会社 遠鉄の不動産 掛川店・掛川住宅プラザ

静岡県菊川市加茂 土地

  • 土地
  • 静岡県菊川市加茂 土地
    間取り図
静岡県菊川市加茂
東海道本線 菊川駅 徒歩32分
1239
万円

21.67万円
189.08m2 無指定
なし
60%
200%
  • 建築条件なし
  • 平坦地
  • 本下水
  • 即引渡し可
おすすめポイント
造成済みの土地になります。分譲地だから周りも新築のお家。同じく新築に住む方々と新生活をスタート!
遠州鉄道株式会社 遠鉄の不動産 掛川店・掛川住宅プラザ

静岡県菊川市本所 土地

  • 土地
  • 静岡県菊川市本所 土地
    間取り図
静岡県菊川市本所
東海道本線 菊川駅 徒歩21分
250
万円

3.4万円
243.77m2 1種中高
なし
60%
150%
  • 建築条件なし
  • 更地
  • 平坦地
おすすめポイント
とても静かな住宅地で、都市機能と自然環境が調和したエリアです。 陽当たりや通風性も良く、暮らしやすい土地です。 JR東海道本線の菊川駅から徒歩圏内で通勤や通学に便利です。
U2JAPAN株式会社

静岡県菊川市加茂 土地

  • 土地
  • 静岡県菊川市加茂 土地
    間取り図
静岡県菊川市加茂
東海道本線 菊川駅 徒歩24分
990
万円

7.31万円
447.84m2 1種住居
なし
60%
200%
  • 建築条件なし
  • 上物有り
おすすめポイント
■約135坪の広々敷地。■菊川市立西中学校至近!■建築条件なし
遠州鉄道株式会社 遠鉄の不動産 掛川店・掛川住宅プラザ

静岡県菊川市潮海寺 土地

  • 土地
  • 静岡県菊川市潮海寺 土地
    間取り図
静岡県菊川市潮海寺
東海道本線 菊川駅 徒歩15分
1237.8
万円

12万円
341m2 1種住居
なし
60%
200%
  • 建築条件なし
  • 更地
  • 平坦地
  • 本下水
おすすめポイント
JR菊川駅まで徒歩15分に立地。採光豊富な南面区画、103坪の大型宅地。
遠州鉄道株式会社 遠鉄の不動産 掛川店・掛川住宅プラザ

静岡県菊川市西方 土地

  • 土地
  • 静岡県菊川市西方 土地
    間取り図
静岡県菊川市西方
東海道本線 菊川駅 徒歩9分
1380
万円

11.13万円
409.9m2 1種中高
なし
70%
150%
  • 建築条件なし
  • 上物有り
  • 角地
おすすめポイント
JR菊川駅まで徒歩圏!商業施設も近く、生活便良好な好立地!
遠州鉄道株式会社 遠鉄の不動産 掛川店・掛川住宅プラザ

静岡県菊川市本所 土地

  • 土地
  • 静岡県菊川市本所 土地
    間取り図
静岡県菊川市本所
東海道本線 菊川駅 徒歩21分
620
万円

7.54万円
272m2 1種中高
なし
60%
150%
  • 建築条件なし
  • 更地
  • 南道路
  • 平坦地
  • 本下水
おすすめポイント
南面道路で日当たり良好!建築条件なし!静かな住環境です。買い物施設も1キロ圏内に揃います。
遠州鉄道株式会社 遠鉄の不動産 掛川店・掛川住宅プラザ

静岡県菊川市加茂 土地

  • 土地
  • 静岡県菊川市加茂 土地
    間取り図
静岡県菊川市加茂
東海道本線 菊川駅 徒歩26分
1500
万円

18.37万円
270m2 準工業
なし
60%
200%
  • 建築条件なし
  • 更地
  • 平坦地
  • 本下水
  • 即引渡し可
おすすめポイント
菊川インター近くの約81坪の整形地です。建築条件はありません!
遠州鉄道株式会社 遠鉄の不動産 掛川店・掛川住宅プラザ

静岡県菊川市潮海寺 土地

  • 土地
  • 静岡県菊川市潮海寺 土地
    間取り図
静岡県菊川市潮海寺
JR東海道本線 菊川駅 徒歩15分
1237.8
万円
341m2 1種住居
なし
60%
200%
  • 建築条件なし
  • 更地
  • 本下水
遠州鉄道(株)遠鉄の不動産 掛川店・掛川住宅プラザ

静岡県菊川市本所 土地

  • 土地
  • 静岡県菊川市本所 土地
    間取り図
静岡県菊川市本所
JR東海道本線 菊川駅 バス12分/「上本所団地」バス停 停歩4分
250
万円
243.77m2 1種中高
なし
60%
150%
  • 建築条件なし
  • 更地
おすすめポイント
▼JR東海道本線の菊川駅から徒歩圏内で通勤や通学に便利▼東名高速菊川インターチェンジにもアクセス良好▼周辺にはスーパーやドラッグストア、飲食店が充実しており生活利便性が高いです▼医療機関や教育施設も整備されており子育てにも安心の地域現在駐車場として貸出中ウェルシア菊川潮海寺店 650m(徒歩10分)セブンイレブン菊川本所店 1.5km(徒歩24分)遠鉄ストア菊川店 1.7km(徒歩23分)ガスト静岡菊川店 1.7km(徒歩24分)カインズ菊川店 2.0km(徒歩25分)\是非お気軽にお問い合わせ下さい/ ーU2JAPAN株式会社 静岡店ー
U2JAPAN(株)

静岡県菊川市本所 土地

  • 土地
  • 静岡県菊川市本所 土地
    間取り図
静岡県菊川市本所
JR東海道本線 菊川駅 徒歩16分
870
万円
239.71m2 1種中高
なし
60%
150%
  • 建築条件なし
  • 更地
  • 南道路
  • 本下水
おすすめポイント
☆現況渡し☆ ☆確定測量済み☆☆上水道引込み有☆☆夢のマイホームへの第一歩☆☆ご案内・随時受付中☆営業時間 9:00~18:00 定休日 水曜日(GW・年末年始休業)- - - - - - - - - -<無料電話・資料請求>お気軽にお問い合わせ下さい- - - - - - - - - -
センチュリー21浜松不動産販売(株)

静岡県菊川市下平川 土地

  • 土地
  • 静岡県菊川市下平川 土地
    間取り図
静岡県菊川市下平川
JR東海道本線 菊川駅 バス17分/「平田」バス停 停歩4分
900
万円
347m2 2種住居
なし
60%
200%
  • 建築条件なし
  • 更地
おすすめポイント
◇有効面積 約87坪の広々敷地◇建築条件なし
静岡鉄道(株)不動産住まい事業部 藤枝店

静岡県菊川市下平川 土地

  • 土地
  • 静岡県菊川市下平川 土地
    間取り図
静岡県菊川市下平川
JR東海道本線 菊川駅 バス17分/「平田」バス停 停歩4分
1100
万円
229m2 2種住居
なし
60%
200%
  • 建築条件なし
  • 更地
おすすめポイント
◇南東側道路で日当たりも良好!◇建築条件なし
静岡鉄道(株)不動産住まい事業部 藤枝店

静岡県菊川市西方 土地

  • 土地
  • 静岡県菊川市西方 土地
    間取り図
静岡県菊川市西方
JR東海道本線 菊川駅 徒歩24分
1297
万円
201.49m2 無指定
なし
60%
200%
  • 建築条件なし
  • 更地
  • 南道路
  • 整形地
おすすめポイント
更地渡し、南側道路面す、閑静な住宅地、整形地、建築条件なし、緑豊かな住宅地、平坦地、開発分譲地内、周辺交通量少なめ
ハウスドゥ掛川(株)リビングローブ

静岡県菊川市河東 土地

  • 土地
  • 静岡県菊川市河東 土地
    間取り図
静岡県菊川市河東
JR東海道本線 菊川駅 バス31分/「高橋[小笠]」バス停 停歩18分
300
万円
3006.8m2 無指定
なし
60%
200%
  • 建築条件なし
  • 更地
おすすめポイント
■教育施設■・小笠南小学校 徒歩約19分・岳洋中学校 徒歩約46分■ご相談ください■・他社で住宅ローンが通らなかった・今ある借入れをまとめて一本化にしたい・収入面や勤続年数が短い等で審査に不安がある・頭金なしで購入を検討しているなど土日はもちろん、平日・夜間の見学予約も大歓迎♪ご条件など何も決まってなくても大丈夫です!他の気になる物件もまとめてご紹介&ご案内いたします!
(株)Earnest

静岡県菊川市加茂 土地

  • 土地
  • 静岡県菊川市加茂 土地
    間取り図
静岡県菊川市加茂
バス/「スーパーラック前」バス停 停歩2分
1304
万円
200.61m2 無指定
なし
60%
200%
  • 建築条件なし
  • 更地
  • 即引渡し可
  • 整形地
おすすめポイント
更地渡し、即引渡し可、スーパー 徒歩10分以内、閑静な住宅地、整形地、建築条件なし、小学校 徒歩10分以内、平坦地
ハウスドゥ掛川(株)リビングローブ

静岡県菊川市西方 土地

  • 土地
  • 静岡県菊川市西方 土地
静岡県菊川市西方
JR東海道本線 菊川駅 徒歩23分
1850
万円
696.21m2 無指定
なし
60%
200%
  • 建築条件なし
  • 角地
おすすめポイント
土地100坪以上、更地渡し、前道6m以上、角地。菊川の特産は深蒸し茶、トマト、マスクメロンなどがあり、緑豊かな住宅地が多い街並みです。現況の建物は倉庫、店舗など使い方は自由にカスタマイズ可能。店舗でも倉庫でも利用可能。解体更地渡しもご相談ください。
(株)エフエフ住宅

静岡県菊川市大石 土地

  • 土地
  • 静岡県菊川市大石 土地
静岡県菊川市大石
東海道本線 菊川駅 徒歩9.6km
180
万円

1.49万円
401m2 無指定
なし
60%
200%
  • 建築条件なし
  • 上物有り
株式会社アスティア
チェックした物件を一括で

静岡県菊川市西方 土地

  • 土地
  • NO PHOTO
静岡県菊川市西方
東海道本線 菊川駅 徒歩24分
740
万円

6.51万円
376m2 無指定
なし
60%
200%
  • 建築条件なし
  • 更地
有限会社マイスター工房

静岡県菊川市潮海寺 土地

  • 土地
  • 静岡県菊川市潮海寺 土地
    間取り図
静岡県菊川市潮海寺
東海道本線 菊川駅 徒歩11分
1230
万円

16.24万円
250.42m2 1種住居
なし
70%
200%
  • 建築条件なし
  • 更地
おすすめポイント
閑静な住宅地、ゆったりとした敷地、日当たり良好
株式会社イツワ不動産

静岡県菊川市潮海寺 土地

  • 土地
  • 静岡県菊川市潮海寺 土地
    間取り図
静岡県菊川市潮海寺
東海道本線 菊川駅 徒歩11分
1230
万円

16.19万円
251.23m2 1種住居
なし
60%
200%
  • 建築条件なし
  • 更地
おすすめポイント
閑静な住宅地、ゆったりとした敷地、日当たり良好
株式会社イツワ不動産

静岡県菊川市西方 土地

  • 土地
  • 静岡県菊川市西方 土地
静岡県菊川市西方
東海道本線 菊川駅 徒歩27分
980
万円

16.2万円
200m2 無指定
なし
60%
200%
  • 建築条件なし
  • 更地
  • 角地
おすすめポイント
令和9年、菊川駅のリニューアル工事が完了予定。駅北口から乗降可能になります。
株式会社リージェント

静岡県菊川市大石 土地

  • 土地
  • NO PHOTO
静岡県菊川市大石
東海道本線 菊川駅 バス24分/「しずてつジャストライン」バス停 停歩27分
550
万円

7.34万円
247.63m2 無指定
なし
60%
200%
  • 建築条件なし
  • 平坦地
  • 上物有り
株式会社リバース

静岡県菊川市中内田 土地

  • 土地
  • 静岡県菊川市中内田 土地
静岡県菊川市中内田
東海道本線 菊川駅 徒歩3.9km
700
万円

7.42万円
312m2 無指定
なし
60%
200%
  • 建築条件なし
  • 更地
おすすめポイント
90坪以上の大きな土地で理想のマイホームを実現できます!
株式会社リージェント

静岡県菊川市半済 土地

  • 土地
  • 静岡県菊川市半済 土地
    間取り図
静岡県菊川市半済
東海道本線 菊川駅 徒歩8分
550
万円

12.79万円
142.19m2 2種住居
なし
60%
200%
  • 建築条件なし
  • 南道路
  • 平坦地
  • 上物有り
おすすめポイント
閑静な住宅地、駅近く、日当たり良好
株式会社イツワ不動産

静岡県菊川市半済 土地

  • 土地
  • 静岡県菊川市半済 土地
    間取り図
静岡県菊川市半済
東海道本線 菊川駅 徒歩10分
550
万円

18.67万円
97.44m2 近隣商業
なし
80%
200%
  • 建築条件なし
  • 平坦地
  • 上物有り
おすすめポイント
旧商店街、菊川駅まで徒歩約11分
株式会社イツワ不動産

静岡県菊川市本所 土地

  • 土地
  • 静岡県菊川市本所 土地
静岡県菊川市本所
東海道本線 菊川駅 徒歩29分
790
万円

9.24万円
282.93m2 無指定
なし
60%
200%
  • 建築条件なし
  • 更地
  • 平坦地
おすすめポイント
小学校が近く、通学も安心。80坪以上でゆとりのある住まいを実現可能。
株式会社リージェント

静岡県菊川市加茂 土地

  • 土地
  • 静岡県菊川市加茂 土地
    間取り図
静岡県菊川市加茂
バス/「東名菊川」バス停 停歩2分
1180
万円

22.04万円
177.07m2 1種住居
なし
60%
200%
  • 建築条件なし
  • 更地
  • 南道路
  • 平坦地
  • 本下水
おすすめポイント
南面道路のため陽当たりが良く、お好きな住宅メーカーで建てられる物件です。
株式会社アーガス

静岡県菊川市本所 土地

  • 土地
  • 静岡県菊川市本所 土地
    間取り図
静岡県菊川市本所
東海道本線 菊川駅 徒歩8分
700
万円

5.22万円
443m2 2種中高
なし
60%
150%
  • 建築条件なし
  • 更地
  • 南道路
  • 本下水
  • 即引渡し可
おすすめポイント
JR菊川駅から650mの好立地!土地面積も約134坪と広々です♪
株式会社イツワ不動産

静岡県菊川市半済 土地

  • 土地
  • 静岡県菊川市半済 土地
    間取り図
静岡県菊川市半済
東海道本線 菊川駅 徒歩8分
1098
万円

16.02万円
226.7m2 2種住居
なし
70%
200%
  • 建築条件なし
  • 更地
  • 平坦地
  • 角地
  • 即引渡し可
おすすめポイント
閑静な住宅地、日当たり良好 菊川駅まで徒歩9分
株式会社イツワ不動産

静岡県菊川市半済 土地

  • 土地
  • NO PHOTO
静岡県菊川市半済
東海道本線 菊川駅 徒歩12分
980
万円

10.42万円
310.8m2 1種住居
なし
60%
200%
  • 建築条件なし
  • 更地
  • 南道路
  • 平坦地
有限会社マイスター工房

静岡県菊川市西方 土地

  • 土地
  • NO PHOTO
静岡県菊川市西方
東海道本線 菊川駅 徒歩25分
1700
万円

4.01万円
1405m2 無指定
なし
60%
200%
  • 建築条件なし
  • 更地
有限会社マイスター工房

静岡県菊川市奈良野 土地

  • 土地
  • NO PHOTO
静岡県菊川市奈良野
東海道本線 菊川駅 徒歩4.3km
980
万円

7.47万円
434m2 無指定
なし
60%
200%
  • 建築条件なし
  • 更地
有限会社マイスター工房

静岡県菊川市赤土 土地

  • 土地
  • NO PHOTO
静岡県菊川市赤土
バス/「しずてつジャストライン」バス停 停歩10分
480
万円

3.81万円
416m2 1種低層
なし
50%
100%
  • 建築条件なし
  • 更地
  • 平坦地
  • 1種低層地域
有限会社マイスター工房

静岡県菊川市潮海寺 土地

  • 土地
  • NO PHOTO
静岡県菊川市潮海寺
東海道本線 菊川駅 徒歩18分
990
万円

10.6万円
309m2 1種中高
なし
60%
150%
  • 建築条件なし
  • 上物有り
株式会社アスティア

静岡県菊川市上平川 土地

  • 土地
  • 静岡県菊川市上平川 土地
    間取り図
静岡県菊川市上平川
東海道本線 菊川駅 バス19分/「苗代作業所」バス停 停歩6分
390
万円

2.48万円
521m2 無指定
なし
60%
200%
  • 建築条件なし
  • 更地
  • 平坦地
おすすめポイント
広々とした土地です☆周辺静かな環境で、宅地の為、農地転用不要です☆
司徳Base.株式会社

静岡県菊川市和田 土地

  • 土地
  • 静岡県菊川市和田 土地
    間取り図
静岡県菊川市和田
バス/「和田公会堂前」バス停 停歩4分
750
万円

7.34万円
338m2 無指定
なし
60%
200%
  • 建築条件なし
  • 更地
  • 平坦地
おすすめポイント
土地面積が約100坪あるため平家建てをお考えの方におすすめの物件です。
株式会社アーガス

静岡県菊川市本所 土地

  • 土地
  • 静岡県菊川市本所 土地
    間取り図
静岡県菊川市本所
東海道本線 菊川駅 徒歩23分
1083.45
万円

15.01万円
238.78m2 2種中高
なし
60%
150%
  • 建築条件なし
  • 更地
  • 平坦地
  • 本下水
  • 即引渡し可
おすすめポイント
菊川IC・けやき通り近く!スーパーまで徒歩圏内!お買い物に便利な立地です☆敷地面積70坪以上!
わくわく不動産株式会社

静岡県菊川市大石 土地

  • 土地
  • 静岡県菊川市大石 土地
    間取り図
静岡県菊川市大石
東海道本線 菊川駅 徒歩9.7km
460
万円

6.42万円
236.79m2 無指定
なし
60%
200%
  • 建築条件なし
  • 更地
  • 平坦地
おすすめポイント
マイホームにプラスして、ガレージ設置や 家庭菜園、お庭キャンプもできる広々敷地です。
株式会社金田組
チェックした物件を一括で
  • チェックした物件をまとめて
75
表示件数 12 次へ
OCN×ドコモ光新規お申込みで合計最大137,280円相当おトク!特典の内訳・適用条件など詳細はこちら

条件を選択

価格
土地面積
駅からの時間
建築条件
現況
立地・特徴
条件
画像・動画
情報の新しさ
フリーワード
菊川市のおすすめ新築一戸建て

菊川市の新築一戸建て情報をもっと見る

菊川市の暮らしデータ

人口などの統計情報

世帯数 17732世帯
人口総数 47541人
転入者数 2211人
転入率(人口1000人当たり)
46.51人
転出者数 2131人
転出率(人口1000人当たり)
44.82人
土地平均価格
住宅地
27033円/m2
商業地
56600円/m2

結婚・育児の助成金

子育て関連の独自の取り組み (1)第3子以降の保育料無償化。(2)第3子以降の給食費の副食費免除補助制度。(3)きくすくブックプレゼント。
出産祝い あり
公立保育所数 0所(うち0歳児保育を実施している保育所:-)
私立保育所数 4所(うち0歳児保育を実施している保育所:4所)
保育所入所待機児童数 0人
認定こども園数 8園 預かり保育実施園数 公立:1園 私立:-
学校給食 【小学校】完全給食【中学校】完全給食
公立中学校の学校選択制 未実施
子ども・学生等医療費助成<通院>対象年齢 18歳3月末まで 子ども・学生等医療費助成<入院>対象年齢 18歳3月末まで

菊川市の治安・ごみ収集情報

公共料金・インフラ

ガス料金(22m3使用した場合の月額) -
水道料金(口径20mmで20m3の月額) 菊川市3645円
下水道料金(20m3を使用した場合の月額) 菊川市2640円
下水道普及率 30.2%

安心・安全

建物火災出火件数 7件
人口10000人当たり
1.46件
刑法犯認知件数 137件
人口1000人当たり
2.87件
ハザード・防災マップ あり

医療

一般病院総数 1ヶ所
一般診療所総数 28ヶ所
小児科医師数 9人
小児人口10000人当たり
14.57人
産婦人科医師数 4人
15~49歳女性人口1万人当たり
4.41人
介護保険料基準額(月額) 5600円

ごみ

家庭ごみ収集(可燃ごみ) 有料
備考
指定ごみ袋有料。
家庭ごみの分別方式 3分別12種〔燃えるごみ 燃えないごみ 資源物(アルミ缶、スチール缶、ペットボトル、ビン類[透明びん、茶色びん、その他の色びん]、白色トレー、プラスチック製容器包装、電池、蛍光管・体温計・温度計)〕 拠点回収:古紙類 衣類等 鉄くず等 使用済み小型家電 食用油 家庭用インクカートリッジ
家庭ごみの戸別収集 未実施
粗大ごみ収集 なし
備考
家具類などは環境資源ギャラリーでの受入れあり。直接搬入のみで搬入料金が必要。また、スプリングマットレス・マッサージチェア・オルガン(電子含む)・ソファーベッド・電動ベッドについては、未解体であった場合、別途解体手数料1,650円(1品あたり)がかかる。
生ごみ処理機助成金制度 あり
上限金額
70000円
上限比率
66.7%

菊川市の住まいの給付金

新築建築

利子補給制度 あり
上限金額
(融資限度額)500万円
備考
住宅を新築、増改築又は建売住宅、中古住宅、住宅用土地を購入するのに必要な資金を、静岡県労働金庫と提携して貸し付けする制度。貸付限度額が500万円まで、年0.80%(返済期間5年固定金利)、もしくは年0.95%(返済期間10年以上当初10年間適用固定金利)。※利子補給ではなく、協調融資。
補助/助成金制度 あり
上限金額
40万円
備考
【若者世帯定住促進補助制度】条件を満たした方に、住宅の取得費用の1/10以内、上限25万円の補助。ただし、三世代同居及び三世代隣接住宅を取得した場合は、取得費用の2/10以内、上限40万円。

新築購入

利子補給制度 あり
上限金額
(融資限度額)500万円
備考
住宅を新築、増改築又は建売住宅、中古住宅、住宅用土地を購入するのに必要な資金を、静岡県労働金庫と提携して貸し付けする制度。貸付限度額が500万円まで、年0.80%(返済期間5年固定金利)、もしくは年0.95%(返済期間10年以上当初10年間適用固定金利)。※利子補給ではなく、協調融資。
補助/助成金制度 あり
上限金額
40万円
備考
【若者世帯定住促進補助制度】条件を満たした方に、住宅の取得費用の1/10以内、上限25万円の補助。ただし、三世代同居及び三世代隣接住宅を取得した場合は、取得費用の2/10以内、上限40万円。
暮らしデータ提供元:生活ガイド.com
※行政機関により公表していない地域及びデータがございます。東京23区以外の政令指定都市は、市全体のデータとして表示しています。
※提供データには細心の注意を払っておりますが、調査後に変更がある場合があります。 最新の情報につきましては各市区役所までお問い合わせいただくか、自治体HPなどをご確認ください。

価格相場

更新日:2025年11月03日

菊川市の価格相場

  50㎡~80㎡ 80㎡~100㎡ 100㎡~150㎡ 150㎡~200㎡ 200㎡以上
土地 - - - 884万円 913万円

周辺エリアの価格相場

  島田市 掛川市 牧之原市
土地 - - -
※このデータはgoo住宅・不動産に掲載されている土地の平均価格(管理費・駐車場代などを除く)を算出したものです。ただし5戸以上の掲載があるものについてのみ対象とします。
※周辺エリアの価格相場は広さ50㎡~80㎡の平均価格(管理費・駐車場代などを除く)を算出したものです。

静岡県の人気の街アクセスランキング(土地)

※このランキングは2025年10月01日~31日における各ページのアクセス数から算出しています。

静岡県菊川市の人気の特集から土地物件を探す

特徴

他のエリアから探す

菊川市の詳細地域から土地物件を探す

赤土大石河東上平川加茂川上下内田下平川高橋潮海寺土橋中内田仲島奈良野西方半済本所嶺田吉沢和田

菊川市内の駅から探す

菊川

アプリで簡単 物件探し 大手不動産サイトの情報から一括検!プッシュ通知で物件を見逃さない
App Storeからダウンロード Google Playで手に入れよう QRコード