アプリで簡単 物件探し 通知 共有 アプリならではの機能を使ってみる
RSS

越谷市(埼玉県) の建築条件なしの土地(宅地・分譲地・売地) 物件一覧

埼玉県越谷市の建築条件なしの土地、分譲地、売地、宅地などの土地物件をご紹介します。売り地、分譲土地、住宅用土地などの土地情報を探すならgoo住宅・不動産。価格・土地面積・建築条件・立地・人気のこだわり条件から物件を簡単検索。理想の物件探しをgoo住宅・不動産がサポートします。

建築条件なしの土地物件特集
注文住宅を建てる土地を探している方におすすめの建築条件なしの土地を紹介します。土地に建築条件が定められていると、条件を満たす住宅しか作れません。建築条件なしの土地を購入すれば、自由度の高い注文住宅を建てられるため、家族全員の理想を叶えるマイホームができあがりますよ。土地の購入費用や周辺環境をチェックして、好みの場所にある土地を購入しましょう。

建築条件なしの土地物件特集

探したい物件のエリア・検索条件を変更して再検索

エリア
検索条件 建築条件:建築条件なし
443 並び替え
12345 … 12 次へ
チェックした物件を一括で
選択 物件タイプ
画像
所在地/交通
(駅/バス 所要時間)
価格
坪単価
土地面積 用途地域
建築条件
建ぺい率
容積率
new

埼玉県越谷市大字恩間 土地

  • 土地
  • 埼玉県越谷市大字恩間 土地
    間取り図
埼玉県越谷市大字恩間
東武伊勢崎・大師線 せんげん台駅 徒歩14分
東武伊勢崎・大師線 大袋駅 徒歩17分
2600
万円

85.87万円
100.1m2 1種中高
なし
60%
160%
  • 建築条件なし
  • 更地
  • 本下水
  • 都市ガス
おすすめポイント
<選べるe-GIFT10000円分>初来場&アンケート回答でプレゼント!

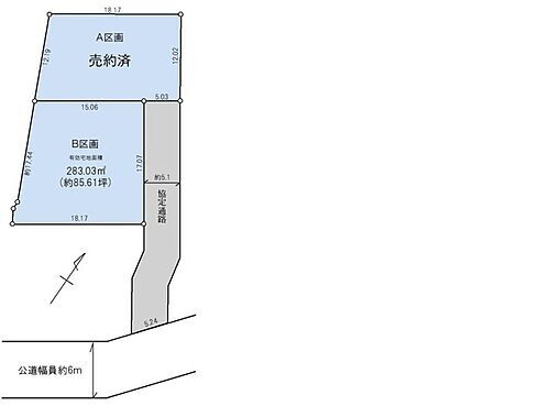
埼玉県越谷市大字大泊 土地

  • 土地
  • 埼玉県越谷市大字大泊 土地
    間取り図
埼玉県越谷市大字大泊
東武伊勢崎・大師線 せんげん台駅 徒歩17分
2990
万円

67.24万円
147m2 1種低層
なし
60%
100%
  • 建築条件なし
  • 本下水
  • 都市ガス
  • 上物有り
  • 1種低層地域
おすすめポイント
「せんげん台」駅徒歩17分。南西側4.2m公道に面した整形地。敷地面積:147m2(44.47坪)。更地渡し。建築条件なし売地。

埼玉県越谷市大沢4丁目 土地

  • 土地
  • 埼玉県越谷市大沢4丁目 土地
    間取り図
埼玉県越谷市大沢4丁目
東武伊勢崎・大師線 北越谷駅 徒歩10分
東武伊勢崎・大師線 越谷駅 徒歩21分
2000
万円

41.4万円
159.55m2 1種住居
なし
60%
160%
  • 建築条件なし
  • 更地
  • 平坦地
  • 本下水
  • 都市ガス
おすすめポイント
〇建築条件なし!理想の住まいを自由に設計できます。〇東武伊勢崎線「北越谷」駅まで徒歩10分!

埼玉県越谷市大字大林 土地

  • 土地
  • 埼玉県越谷市大字大林 土地
埼玉県越谷市大字大林
東武伊勢崎・大師線 北越谷駅 徒歩17分
2200
万円

15.8万円
462m2 1種低層
なし
30%
60%
  • 建築条件なし
  • 更地
  • 1種低層地域
おすすめポイント
建築条件なし!約139坪!北越谷駅まで徒歩17分!

埼玉県越谷市大字大泊 土地

  • 土地
  • 埼玉県越谷市大字大泊 土地
埼玉県越谷市大字大泊
東武伊勢崎・大師線 せんげん台駅 徒歩17分
2990
万円

67.3万円
147m2 1種低層
なし
60%
100%
  • 建築条件なし
  • 上物有り
  • 1種低層地域
おすすめポイント
せんげん台駅まで徒歩17分!約44坪!南西道路!桜井小学校まで徒歩9分(約650m)!

埼玉県越谷市大字大里 土地

  • 土地
  • 埼玉県越谷市大字大里 土地
埼玉県越谷市大字大里
東武伊勢崎・大師線 大袋駅 徒歩14分
2199
万円

70.64万円
102.91m2 1種中高
なし
60%
160%
  • 建築条件なし
  • 本下水
  • 上物有り
おすすめポイント
東武伊勢崎線「大袋駅」徒歩14分。整形地。建築条件なし。お好きなハウスメーカー&プランで建てられます。周辺環境充実。小学校まで徒歩4分でお子様の通学安心

埼玉県越谷市大字大里 土地

  • 土地
  • 埼玉県越谷市大字大里 土地
    間取り図
埼玉県越谷市大字大里
東武伊勢崎・大師線 大袋駅 徒歩13分
東武伊勢崎・大師線 せんげん台駅 徒歩29分
2699
万円

87.92万円
101.49m2 1種中高
なし
70%
172%
  • 建築条件なし
  • 更地
  • 都市ガス
  • 角地
おすすめポイント
南東・南西角地で陽当り良好!敷地約30坪・自由設計で夢のマイホームはいかがでしょうか!当社無料の間取り作成も承ります!桜井南小学校まで徒歩約9分(650m)、お子様の通学に安心です!

埼玉県越谷市大字下間久里 土地

  • 土地
  • 埼玉県越谷市大字下間久里 土地
    間取り図
埼玉県越谷市大字下間久里
東武伊勢崎・大師線 大袋駅 徒歩20分
東武伊勢崎・大師線 せんげん台駅 徒歩22分
1680
万円

62.18万円
89.31m2 1種住居
なし
60%
200%
  • 建築条件なし
  • 平坦地
  • 本下水
おすすめポイント
解体更地渡し×建築条件なし、好きなメーカーで自由に建築できます

埼玉県越谷市東町5丁目 土地

  • 土地
  • 埼玉県越谷市東町5丁目 土地
    間取り図
埼玉県越谷市東町5丁目
武蔵野線 吉川駅 徒歩12分
武蔵野線 越谷レイクタウン駅 徒歩23分
1780
万円

22.71万円
259.21m2 無指定
なし
70%
200%
  • 建築条件なし
  • 更地
  • 平坦地
  • 角地
おすすめポイント
土地78坪超え、角地につき開放的な立地です♪ 弊社施工完成建物をモデルハウスとしてご見学可能です。 埼玉相互住宅(株)東越谷店までお気軽にご連絡ください。

埼玉県越谷市東町5丁目 土地

  • 土地
  • 埼玉県越谷市東町5丁目 土地
    間取り図
埼玉県越谷市東町5丁目
武蔵野線 吉川駅 徒歩12分
武蔵野線 越谷レイクタウン駅 徒歩23分
1780
万円

22.67万円
259.59m2 無指定
なし
70%
200%
  • 建築条件なし
  • 更地
  • 平坦地
  • 角地
おすすめポイント
土地78坪超え、角地につき開放的な立地です♪ 弊社施工完成建物をモデルハウスとしてご見学可能です。 埼玉相互住宅(株)東越谷店までお気軽にご連絡ください。

埼玉県越谷市川柳町2丁目 土地

  • 土地
  • 埼玉県越谷市川柳町2丁目 土地
    間取り図
埼玉県越谷市川柳町2丁目
東武伊勢崎・大師線 蒲生駅 徒歩20分
武蔵野線 越谷レイクタウン駅 徒歩27分
1380
万円

19.24万円
237.23m2 無指定
なし
60%
160%
  • 建築条件なし
  • 更地
  • 都市ガス
おすすめポイント
■成約特典として3万円分のカタログギフトをプレゼント!(2026年1月4日~2月28日)

埼玉県越谷市大字向畑 土地

  • 土地
  • 埼玉県越谷市大字向畑 土地
    間取り図
埼玉県越谷市大字向畑
東武伊勢崎・大師線 北越谷駅 バス16分/「松伏」バス停 停歩5分
東武伊勢崎・大師線 大袋駅 徒歩4.3km
480
万円

10.18万円
156m2 無指定
なし
60%
200%
  • 建築条件なし
  • 更地
  • 平坦地
おすすめポイント
敷地約36坪・間口ゆとりの約16.1m!お好きなハウスメーカーで建築可能です!当社無料の間取り作成も承ります。新方小学校まで徒歩約10分(800m)、いなげやまで徒歩約8分(600m)!

埼玉県越谷市大字大泊 土地

  • 土地
  • 埼玉県越谷市大字大泊 土地
埼玉県越谷市大字大泊
東武伊勢崎・大師線 せんげん台駅 徒歩22分
東武伊勢崎・大師線 大袋駅 徒歩31分
1440
万円

21.1万円
225.72m2 無指定
なし
60%
200%
  • 建築条件なし
  • 更地
  • 都市ガス
おすすめポイント
【1号地】 南西向きで陽当り良好!自由設計で夢のマイホームはいかがでしょうか!お好きなハウスメーカーで建築可能です!当社では一級建築士による無料の間取りプランの作成も承ります。お気軽にご相談下さい。

埼玉県越谷市大字大泊 土地

  • 土地
  • 埼玉県越谷市大字大泊 土地
埼玉県越谷市大字大泊
東武伊勢崎・大師線 せんげん台駅 徒歩22分
東武伊勢崎・大師線 大袋駅 徒歩31分
1440
万円

18.98万円
250.91m2 無指定
なし
60%
200%
  • 建築条件なし
  • 更地
  • 都市ガス
おすすめポイント
【3号地】 南西向きで陽当り良好!自由設計で夢のマイホームはいかがでしょうか!お好きなハウスメーカーで建築可能です!当社では一級建築士による無料の間取りプランの作成も承ります。お気軽にご相談下さい。

埼玉県越谷市蒲生1丁目 土地

  • 土地
  • 埼玉県越谷市蒲生1丁目 土地
    間取り図
埼玉県越谷市蒲生1丁目
東武伊勢崎・大師線 蒲生駅 徒歩11分
東武伊勢崎・大師線 新田駅 徒歩13分
2890
万円

105.79万円
90.34m2 1種住居
なし
60%
180%
  • 建築条件なし
  • 平坦地
  • 本下水
  • 都市ガス
  • 上物有り
おすすめポイント
■建築条件はありません。お好きな建築会社で建築可能です! ■南東道路に面した敷地です! ■蒲生小学校まで徒歩15分(約1200m)・南中学校まで徒歩32分(約2500m)

埼玉県越谷市大字大泊 土地

  • 土地
  • 埼玉県越谷市大字大泊 土地
埼玉県越谷市大字大泊
東武伊勢崎・大師線 せんげん台駅 徒歩22分
東武伊勢崎・大師線 大袋駅 徒歩31分
1440
万円

18.98万円
250.91m2 無指定
なし
60%
200%
  • 建築条件なし
  • 更地
  • 都市ガス
おすすめポイント
3号地 自由設計で夢のマイホームはいかがでしょうか!建築条件なし・お好きなハウスメーカーで建築可能です!南東道路に面し陽当り良好です!桜井小学校まで徒歩約7分(550m)、お子様の通学に安心です!

埼玉県越谷市大字大泊 土地

  • 土地
  • 埼玉県越谷市大字大泊 土地
埼玉県越谷市大字大泊
東武伊勢崎・大師線 せんげん台駅 徒歩22分
東武伊勢崎・大師線 大袋駅 徒歩31分
1440
万円

21.1万円
225.72m2 無指定
なし
60%
200%
  • 建築条件なし
  • 更地
  • 都市ガス
おすすめポイント
1号地 自由設計で夢のマイホームはいかがでしょうか!建築条件なし・お好きなハウスメーカーで建築可能です!南西向きで陽当り良好です!桜井小学校まで徒歩約7分(550m)、お子様の通学に安心です!

埼玉県越谷市大字大泊 土地

  • 土地
  • 埼玉県越谷市大字大泊 土地
埼玉県越谷市大字大泊
東武伊勢崎・大師線 せんげん台駅 徒歩22分
東武伊勢崎・大師線 大袋駅 徒歩31分
1440
万円

21.1万円
225.72m2 無指定
なし
60%
200%
  • 建築条件なし
  • 更地
  • 都市ガス
おすすめポイント
1号地 自由設計で夢のマイホームはいかがでしょうか!建築条件なし・お好きなハウスメーカーで建築可能です!南西向きで陽当り良好です!桜井小学校まで徒歩約7分(550m)、お子様の通学に安心です!

埼玉県越谷市大字大泊 土地

  • 土地
  • 埼玉県越谷市大字大泊 土地
    間取り図
埼玉県越谷市大字大泊
東武伊勢崎・大師線 せんげん台駅 徒歩22分
東武伊勢崎・大師線 大袋駅 徒歩31分
1440
万円

18.98万円
250.91m2 無指定
なし
60%
200%
  • 建築条件なし
  • 更地
  • 都市ガス
おすすめポイント
桜井小学校まで徒歩約7分(550m)、お子様の通学に安心!建築条件のない土地なのでお好きなハウスメーカーで建築可能です♪詳細は埼玉相互住宅 東越谷店までお問い合わせください。
チェックした物件を一括で

埼玉県越谷市大字大泊 土地

  • 土地
  • 埼玉県越谷市大字大泊 土地
    間取り図
埼玉県越谷市大字大泊
東武伊勢崎・大師線 せんげん台駅 徒歩22分
東武伊勢崎・大師線 大袋駅 徒歩31分
1440
万円

21.09万円
225.72m2 無指定
なし
60%
200%
  • 建築条件なし
  • 更地
  • 都市ガス
おすすめポイント
1号地 自由設計で夢のマイホームはいかがでしょうか!建築条件なし・お好きなハウスメーカーで建築可能です!南西向きで陽当り良好です!桜井小学校まで徒歩約7分(550m)、お子様の通学に安心です!

埼玉県越谷市大字大泊 土地

  • 土地
  • 埼玉県越谷市大字大泊 土地
埼玉県越谷市大字大泊
東武伊勢崎・大師線 せんげん台駅 徒歩22分
東武伊勢崎・大師線 大袋駅 徒歩31分
1440
万円

18.98万円
250.91m2 無指定
なし
60%
200%
  • 建築条件なし
  • 更地
  • 都市ガス
おすすめポイント
3号地 自由設計で夢のマイホームはいかがでしょうか!建築条件なし・お好きなハウスメーカーで建築可能です!南東道路に面し陽当り良好です!桜井小学校まで徒歩約7分(550m)、お子様の通学に安心です!

埼玉県越谷市大字大泊 土地

  • 土地
  • 埼玉県越谷市大字大泊 土地
埼玉県越谷市大字大泊
東武伊勢崎・大師線 せんげん台駅 徒歩22分
1440
万円

18.98万円
250.91m2 無指定
なし
60%
200%
  • 建築条件なし
  • 更地
  • 平坦地
  • 都市ガス
おすすめポイント
■3号地 土地面積約75坪! ■お好きなハウスメーカーで建築可能です! ■東武スカイツリーライン「せんげん台」駅徒歩22分 ■桜井小学校徒歩7分(550m)・平方中学校徒歩14分(1100m)

埼玉県越谷市大字大泊 土地

  • 土地
  • 埼玉県越谷市大字大泊 土地
埼玉県越谷市大字大泊
東武伊勢崎・大師線 せんげん台駅 徒歩22分
1440
万円

21.1万円
225.72m2 無指定
なし
60%
200%
  • 建築条件なし
  • 更地
  • 南道路
  • 平坦地
  • 都市ガス
おすすめポイント
■1号地 土地面積約68坪! ■お好きなハウスメーカーで建築可能です! ■東武スカイツリーライン「せんげん台」駅徒歩22分 ■桜井小学校徒歩7分(550m)・平方中学校徒歩14分(1100m)

埼玉県越谷市蒲生1丁目 土地

  • 土地
  • 埼玉県越谷市蒲生1丁目 土地
埼玉県越谷市蒲生1丁目
東武伊勢崎・大師線 蒲生駅 徒歩11分
東武伊勢崎・大師線 新田駅 徒歩13分
2890
万円

105.76万円
90.34m2 1種住居
なし
60%
180%
  • 建築条件なし
  • 本下水
  • 都市ガス
  • 上物有り

埼玉県越谷市大字大里 土地

  • 土地
  • 埼玉県越谷市大字大里 土地
    間取り図
埼玉県越谷市大字大里
東武伊勢崎・大師線 大袋駅 徒歩14分
東武伊勢崎・大師線 せんげん台駅 徒歩31分
2199
万円

70.64万円
102.91m2 1種中高
なし
60%
160%
  • 建築条件なし
  • 平坦地
  • 本下水
  • 上物有り
おすすめポイント
■お好きなハウスメーカーで建築可能です! ■土地面積約31坪 ■更地渡し! ■桜井南小学校まで徒歩4分(約300m)・新栄中学校まで徒歩19分(約1500m)

埼玉県越谷市大字大道 土地

  • 土地
  • 埼玉県越谷市大字大道 土地
    間取り図
埼玉県越谷市大字大道
東武伊勢崎・大師線 大袋駅 徒歩18分
東武伊勢崎・大師線 せんげん台駅 徒歩20分
2790
万円

87.19万円
105.81m2 1種中高
なし
70%
150%
  • 建築条件なし
  • 更地
  • 本下水
  • 都市ガス
  • 角地
おすすめポイント
開放感あふれる北西角地!自由設計で夢のマイホームはいかがでしょうか! 建築条件なし・お好きなハウスメーカーで建築可能です! 当社建築士による無料のプラン作成承ります!ミニストップまで徒歩約2分!

埼玉県越谷市相模町5丁目 土地

  • 土地
  • 埼玉県越谷市相模町5丁目 土地
    間取り図
埼玉県越谷市相模町5丁目
武蔵野線 越谷レイクタウン駅 徒歩25分
東武伊勢崎・大師線 越谷駅 徒歩3.1km
2080
万円

27.95万円
246m2 無指定
なし
60%
200%
  • 建築条件なし
  • 更地
  • 南道路
  • 平坦地
  • 都市ガス
おすすめポイント
〇市街化調整区域につき、専用住宅の建築にはご親族の市街化調整区域内20年居住の要件が必要です。

埼玉県越谷市大成町8丁目 土地

  • 土地
  • 埼玉県越谷市大成町8丁目 土地
    間取り図
埼玉県越谷市大成町8丁目
武蔵野線 越谷レイクタウン駅 徒歩26分
武蔵野線 吉川駅 徒歩33分
1780
万円

57.5万円
102.4m2 無指定
なし
60%
160%
  • 建築条件なし
  • 更地
  • 都市ガス
おすすめポイント
人気のレイクタウンエリア!敷地面積約30坪の売地カースペース付きの戸建てプランもご検討いただけます!

埼玉県越谷市東越谷10丁目 土地

  • 土地
  • 埼玉県越谷市東越谷10丁目 土地
    間取り図
埼玉県越谷市東越谷10丁目
東武伊勢崎・大師線 越谷駅 バス7分/「越谷市立病院」バス停 停歩8分
東武伊勢崎・大師線 北越谷駅 徒歩32分
2880
万円

94.96万円
100.28m2 1種中高
なし
60%
100%
  • 建築条件なし
  • 更地
  • 南道路
  • 本下水
  • 都市ガス
  • 角地
おすすめポイント
南東角地で陽当り良好!お好きなハウスメーカーで建築可能です!当社では一級建築士による無料の間取りプランの作成も承ります。お気軽にご相談下さい(*^_^*)

埼玉県越谷市東越谷10丁目 土地

  • 土地
  • 埼玉県越谷市東越谷10丁目 土地
    間取り図
埼玉県越谷市東越谷10丁目
東武伊勢崎・大師線 越谷駅 バス7分/「越谷市立病院」バス停 停歩8分
東武伊勢崎・大師線 北越谷駅 徒歩33分
2880
万円

94.96万円
100.28m2 1種中高
なし
60%
100%
  • 建築条件なし
  • 更地
  • 南道路
  • 平坦地
  • 本下水
  • 都市ガス
  • 角地
おすすめポイント
■東南角地・土地面積30坪! ■お好きなハウスメーカーで建築可能です! ■城ノ上小学校まで徒歩8分(約600m)・越谷東中学校まで徒歩17分(約1300m)

埼玉県越谷市大字大里 土地

  • 土地
  • 埼玉県越谷市大字大里 土地
    間取り図
埼玉県越谷市大字大里
東武伊勢崎・大師線 大袋駅 徒歩14分
東武伊勢崎・大師線 せんげん台駅 徒歩31分
2199
万円

70.64万円
102.91m2 1種中高
なし
60%
200%
  • 建築条件なし
  • 本下水
  • 上物有り
おすすめポイント
間取りプランが叶いやすい整形地!お好きなハウスメーカーで建築いただけます。当社では一級建築士による無料の間取り作成も承ります。お気軽にご相談下さい(*^_^*)

埼玉県越谷市大字大里 土地

  • 土地
  • 埼玉県越谷市大字大里 土地
    間取り図
埼玉県越谷市大字大里
東武伊勢崎・大師線 大袋駅 徒歩14分
東武伊勢崎・大師線 せんげん台駅 徒歩31分
2199
万円

70.64万円
102.91m2 1種中高
なし
60%
200%
  • 建築条件なし
  • 平坦地
  • 本下水
  • 上物有り
おすすめポイント
土地面積約31坪!自由設計で夢のマイホーム・お好きなハウスメーカーで建築可能! 希望の間取りが叶いやすい整形地・当社建築士による無料の間取り作成承ります! 桜井南小学校まで徒歩約4分(300m)!

埼玉県越谷市大字大里 土地

  • 土地
  • 埼玉県越谷市大字大里 土地
    間取り図
埼玉県越谷市大字大里
東武伊勢崎・大師線 大袋駅 徒歩14分
東武伊勢崎・大師線 せんげん台駅 徒歩31分
2199
万円

70.64万円
102.91m2 1種中高
なし
60%
200%
  • 建築条件なし
  • 本下水
  • 上物有り
おすすめポイント
敷地約31坪・自由設計で夢のマイホームはいかがでしょうか!建築条件なし・お好きなハウスメーカーで建築可能!希望の間取りが叶いやすい整形地!桜井南小学校まで徒歩約4分(300m)、お子様の通学に安心です

埼玉県越谷市東越谷10丁目 土地

  • 土地
  • 埼玉県越谷市東越谷10丁目 土地
    間取り図
埼玉県越谷市東越谷10丁目
東武伊勢崎・大師線 越谷駅 バス7分/「越谷市立病院」バス停 停歩8分
東武伊勢崎・大師線 北越谷駅 徒歩32分
2880
万円

94.96万円
100.28m2 1種中高
なし
60%
100%
  • 建築条件なし
  • 更地
  • 南道路
  • 本下水
  • 都市ガス
  • 角地
おすすめポイント
南東角地で陽当り良好!敷地約30坪・自由設計で夢のマイホームはいかがでしょうか!建築条件なし・お好きなハウスメーカーで建築可能です!当社無料の間取り作成も承ります。お気軽にお問い合わせください!

埼玉県越谷市東越谷10丁目 土地

  • 土地
  • 埼玉県越谷市東越谷10丁目 土地
    間取り図
  • 【パノラマ有り】
埼玉県越谷市東越谷10丁目
東武伊勢崎・大師線 越谷駅 徒歩32分
東武伊勢崎・大師線 北越谷駅 徒歩34分
2880
万円

94.96万円
100.28m2 1種中高
なし
60%
100%
  • 建築条件なし
  • 更地
  • 南道路
  • 平坦地
  • 本下水
  • 都市ガス
  • 角地
おすすめポイント
南東角地で陽当たり良好・土地面積約30坪!自由設計で夢のマイホーム! 建築条件なし・お好きなハウスメーカーで建築可能です! 当社建築士による無料の間取り作成承ります!城ノ上小学校まで徒歩約8分!

埼玉県越谷市東越谷10丁目 土地

  • 土地
  • 埼玉県越谷市東越谷10丁目 土地
    間取り図
埼玉県越谷市東越谷10丁目
東武伊勢崎・大師線 越谷駅 徒歩33分
東武伊勢崎・大師線 北越谷駅 徒歩32分
2880
万円

94.96万円
100.28m2 1種中高
なし
60%
100%
  • 建築条件なし
  • 更地
  • 南道路
  • 本下水
  • 都市ガス
  • 角地
おすすめポイント
学校・公園・買い物施設・病院などが揃う利便性に優れた住環境です♪建築条件のない土地なのでお好きなハウスメーカーで建築可能♪一級建築士による無料の間取り作成いたします!

埼玉県越谷市大字蒲生 土地

  • 土地
  • 埼玉県越谷市大字蒲生 土地
埼玉県越谷市大字蒲生
東武伊勢崎・大師線 蒲生駅 徒歩10分
3290
万円

107.99万円
100.72m2 準工業
なし
60%
200%
  • 建築条件なし
  • 本下水
  • 都市ガス
  • 上物有り
おすすめポイント
「蒲生駅」徒歩10分。周辺環境良好。閑静な住宅地。南西側4.3m公道に面す。30.46坪の整形地。建築条件なし売地につきお好きなハウスメーカー、間取り&プランで建築できます。

埼玉県越谷市蒲生1丁目 土地

  • 土地
  • 埼玉県越谷市蒲生1丁目 土地
    間取り図
埼玉県越谷市蒲生1丁目
東武伊勢崎・大師線 蒲生駅 徒歩11分
東武伊勢崎・大師線 新田駅 徒歩13分
2890
万円

105.76万円
90.34m2 1種住居
なし
60%
180%
  • 建築条件なし
  • 本下水
  • 都市ガス
  • 上物有り
おすすめポイント
「蒲生駅」徒歩11分「新田駅」徒歩13分。2駅利用可。南東側4.5m公道に面す。27.33坪の整形地。日当たり良好。建築条件なし売地につきお好きなハウスメーカー、間取り&プランで建築できます

埼玉県越谷市瓦曽根1丁目 土地

  • 土地
  • 埼玉県越谷市瓦曽根1丁目 土地
埼玉県越谷市瓦曽根1丁目
東武伊勢崎・大師線 越谷駅 徒歩13分
武蔵野線 南越谷駅 徒歩18分
4690
万円

136.82万円
113.32m2 1種低層
なし
70%
100%
  • 建築条件なし
  • 更地
  • 南道路
  • 本下水
  • 都市ガス
  • 1種低層地域
おすすめポイント
<選べるe-GIFT10000円分>初来場&アンケート回答でプレゼント!

埼玉県越谷市東越谷10丁目 土地

  • 土地
  • 埼玉県越谷市東越谷10丁目 土地
    間取り図
埼玉県越谷市東越谷10丁目
東武伊勢崎・大師線 越谷駅 バス10分/「越谷市立病院」バス停 停歩5分
東武伊勢崎・大師線 越谷駅 徒歩31分
2880
万円

94.95万円
100.28m2 1種中高
なし
60%
100%
  • 建築条件なし
  • 更地
  • 南道路
  • 平坦地
  • 本下水
  • 都市ガス
  • 角地
  • 即引渡し可
おすすめポイント
見学予約受付中!(株)エステート白馬 越谷店 当日のご見学もご相談ください。
チェックした物件を一括で
  • チェックした物件をまとめて
443
表示件数 12345 … 12 次へ

条件を選択

価格
土地面積
駅からの時間
建築条件
現況
立地・特徴
条件
画像・動画
情報の新しさ
フリーワード
越谷市のおすすめ新築一戸建て

越谷市の新築一戸建て情報をもっと見る

越谷市の住みやすさ情報

越谷市ってどんなところ?

越谷市は、東京都心まで25キロ圏内とあって、東京のベッドタウンとして発展中です。
日本最大級のショッピングモールとしてイオンレイクタウンが有名で、近隣は新興住宅地となっています。一方、大袋や北越谷は昔ながらの雰囲気を持つ静かな住宅地です。
越谷市では、公立小中学校でのICT教育をはじめとして、教育に対するサポート体制が整っています。スポーツ施設も豊富で、市民が気軽に参加できるスポーツクラブや公園が多く存在します。

街ガイド

高野 友樹

公認不動産コンサルティングマスター/相続対策専門士/宅地建物取引士/賃貸不動産経営管理士

不動産会社にて600件以上の仲介、6000戸の収益物件管理を経験。現在は株式会社高野不動産コンサルティングを設立し、不動産コンサルティングを行う。

一人暮らしの人に聞いた
越谷市の住みやすさTOP10

  1. 1位必要なものが近場でそろう
  2. 2位スーパーやドラッグストアが充実している
  3. 3位都心に近い

夫婦・カップルに聞いた
越谷市の住みやすさTOP10

  1. 1位必要なものが近場でそろう
  2. 2位スーパーやドラッグストアが充実している
  3. 3位都心に近い

ファミリーに聞いた
越谷市の住みやすさTOP10

  1. 1位スーパーやドラッグストアが充実している
  2. 2位必要なものが近場でそろう
  3. 3位都心に近い

※対象エリア周辺に過去5年以内に住んだことのある10代~60代の人を対象としてアンケートを実施し、独自に集計しています。

越谷市の暮らしデータ

人口などの統計情報

世帯数 142590世帯
人口総数 342327人
転入者数 14110人
転入率(人口1000人当たり)
41.22人
転出者数 12930人
転出率(人口1000人当たり)
37.77人
土地平均価格
住宅地
146767円/m2
商業地
336429円/m2

結婚・育児の助成金

子育て関連の独自の取り組み こしがや「プラス保育」幼稚園事業(保育施設希望者にやさしい長時間預かり保育を行う私立幼稚園と認定こども園[教育部分]をこしがや「プラス保育」幼稚園と認定。「プラス保育枠」[保育所等の条件を満たす就労・就学等の方が利用できる。園ごとに定員あり]として利用する場合、8時~18時の預かり保育を原則無料で行う)。
出産祝い あり
公立保育所数 17所(うち0歳児保育を実施している保育所:14所)
私立保育所数 20所(うち0歳児保育を実施している保育所:19所)
保育所入所待機児童数 3人
認定こども園数 11園 預かり保育実施園数 公立:- 私立:18園
学校給食 【小学校】完全給食【中学校】完全給食
公立中学校の学校選択制 一部実施(1年生のみ)
子ども・学生等医療費助成<通院>対象年齢 18歳3月末まで 子ども・学生等医療費助成<入院>対象年齢 18歳3月末まで

越谷市の治安・ごみ収集情報

公共料金・インフラ

ガス料金(22m3使用した場合の月額) 東京瓦斯株式会社(東京地区等)3926円
東彩ガス株式会社(越谷・春日部地区)4893円
水道料金(口径20mmで20m3の月額) 越谷・松伏水道企業団2805円
下水道料金(20m3を使用した場合の月額) 越谷市2574円
下水道普及率 84.4%

安心・安全

建物火災出火件数 50件
人口10000人当たり
1.46件
刑法犯認知件数 2772件
人口1000人当たり
8.11件
ハザード・防災マップ あり

医療

一般病院総数 13ヶ所
一般診療所総数 209ヶ所
小児科医師数 66人
小児人口10000人当たり
16.38人
産婦人科医師数 37人
15~49歳女性人口1万人当たり
5.45人
介護保険料基準額(月額) 6000円

ごみ

家庭ごみ収集(可燃ごみ) 無料
備考
-
家庭ごみの分別方式 10分別14種〔可燃ごみ 不燃ごみ 古紙類(新聞紙、雑誌、段ボール、雑紙、牛乳パック) ペットボトル 缶 びん 古着類 危険ごみ 白色トレイ せん定枝・刈り草〕
家庭ごみの戸別収集 一部実施(【ふれあい収集】ごみ集積所に排出することが困難な65歳以上の者のみの世帯・障害を有する者のみの世帯に対し戸別収集を行う)
粗大ごみ収集 あり
備考
有料。戸別収集。事前申込制。一辺の長さが50cm以上または、重量が10kg以上のものが粗大ごみ。
生ごみ処理機助成金制度 なし
上限金額
-
上限比率
-

越谷市の住まいの給付金

新築建築

利子補給制度 なし
補助/助成金制度 なし

新築購入

利子補給制度 なし
補助/助成金制度 なし
暮らしデータ提供元:生活ガイド.com
※行政機関により公表していない地域及びデータがございます。東京23区以外の政令指定都市は、市全体のデータとして表示しています。
※提供データには細心の注意を払っておりますが、調査後に変更がある場合があります。 最新の情報につきましては各市区役所までお問い合わせいただくか、自治体HPなどをご確認ください。

価格相場

更新日:2026年04月06日

越谷市の価格相場

  50㎡~80㎡ 80㎡~100㎡ 100㎡~150㎡ 150㎡~200㎡ 200㎡以上
土地 952万円 1809万円 2531万円 3011万円 4090万円

周辺エリアの価格相場

  さいたま市緑区 草加市 八潮市 吉川市 北葛飾郡松伏町
土地 3133万円 3664万円 2109万円 1709万円 1488万円
※このデータはgoo住宅・不動産に掲載されている土地の平均価格(管理費・駐車場代などを除く)を算出したものです。ただし5戸以上の掲載があるものについてのみ対象とします。
※周辺エリアの価格相場は広さ100㎡~150㎡の平均価格(管理費・駐車場代などを除く)を算出したものです。

埼玉県の人気の街アクセスランキング(土地)

※このランキングは2026年03月01日~31日における各ページのアクセス数から算出しています。

埼玉県越谷市の人気の特集から土地物件を探す

特徴

アプリで簡単 物件探し 大手不動産サイトの情報から一括検!プッシュ通知で物件を見逃さない
App Storeからダウンロード Google Playで手に入れよう QRコード