アプリで簡単 物件探し 通知 共有 アプリならではの機能を使ってみる
RSS

豊明市(愛知県) の第1種低層地域の土地(宅地・分譲地・売地) 物件一覧

愛知県豊明市の第1種低層地域の土地、分譲地、売地、宅地などの土地物件をご紹介します。売り地、分譲土地、住宅用土地などの土地情報を探すならgoo住宅・不動産。価格・土地面積・建築条件・立地・人気のこだわり条件から物件を簡単検索。理想の物件探しをgoo住宅・不動産がサポートします。

第1種低層地域の土地物件特集
住環境の整った土地を購入したい方におすすめなのが、第一種低層地域です。第一種低層地域は、高層の建物を建てられない戸建てエリアです。高い建物によって日光が遮断されない、住宅街なので騒音トラブルが少ないなどのメリットがある地域なので、住みやすさを感じられますよ。ここで第一種低層地域の土地を紹介するので、引っ越しを検討している方はぜひチェックしてみてくださいね。

第1種低層地域の土地物件特集

探したい物件のエリア・検索条件を変更して再検索

エリア
検索条件 立地・特徴:1種低層地域
17 並び替え
チェックした物件を一括で
選択 物件タイプ
画像
所在地/交通
(駅/バス 所要時間)
価格
坪単価
土地面積 用途地域
建築条件
建ぺい率
容積率

愛知県豊明市二村台2丁目 土地

  • 土地
  • 愛知県豊明市二村台2丁目 土地
    間取り図
愛知県豊明市二村台2丁目
名鉄名古屋本線 前後駅 徒歩23分
4680
万円

50.68万円
305.25m2 1種低層
なし
60%
100%
  • 建築条件なし
  • 上物有り
  • 角地
  • 1種低層地域

愛知県豊明市前後町仙人塚 土地

  • 土地
  • 愛知県豊明市前後町仙人塚 土地
    間取り図
愛知県豊明市前後町仙人塚
名鉄名古屋本線 前後駅 徒歩8分
980
万円
138.44m2 1種低層
なし
60%
100%
  • 建築条件なし
  • 更地
  • 南道路
  • 本下水
  • 都市ガス
  • 角地
  • 1種低層地域
おすすめポイント
◆南東角地◆名鉄名古屋本線「前後」駅・・・自転車で約3分◆敷地内電柱支線撤去済み◆上下水道引込の際には、別途料金が発生いたします

愛知県豊明市前後町仙人塚 土地

  • 土地
  • 愛知県豊明市前後町仙人塚 土地
    間取り図
愛知県豊明市前後町仙人塚
名鉄名古屋本線 前後駅 徒歩9分
2090
万円
133.93m2 1種低層
なし
60%
100%
  • 建築条件なし
  • 南道路
  • 都市ガス
  • 上物有り
  • 1種低層地域
  • 整形地
おすすめポイント
■建築条件付き土地ではございません■南側道路、東側道路に面した二方向接道【ライフインフォメーション】・名鉄名古屋本線「前後」駅 徒歩9分 (約720m)・ファミリーマートエスタシオ前後店 徒歩11分 (約820m)・コープあいちとよあけ 徒歩10分 (約770m)・仙人塚西公園 徒歩6分 (約450m)・大宮小学校 徒歩8分 (約610m)・豊明中学校 徒歩18分 (約1430m)

愛知県豊明市二村台7 土地

  • 土地
  • 愛知県豊明市二村台7 土地
    間取り図
愛知県豊明市二村台7
名鉄名古屋本線 前後駅 バス9分/「二村台七丁目」バス停 停歩3分
4680
万円
322.82m2 1種低層
なし
60%
100%
  • 建築条件なし
  • 都市ガス
  • 上物有り
  • 1種低層地域
  • 整形地
おすすめポイント
■間口約16.1m■北東向き■閑静な住宅地■用途地域:第1種低層住居専用地域(建ぺい率:60%、容積率:100%)~ライフインフォメーション~・二村台小学校まで徒歩7分(約500m)・豊明中学校まで徒歩18分(約1400m)・ファミリーマート豊明二村台店まで徒歩8分(約600m)・コノミヤハローフーヅ豊明店まで徒歩13分(約1000m)・スギドラッグ沓掛店まで徒歩10分(約750m)

愛知県豊明市二村台4 土地

  • 土地
  • 愛知県豊明市二村台4 土地
    間取り図
愛知県豊明市二村台4
名鉄名古屋本線 前後駅 バス9分/「センター前[豊明市]」バス停 停歩5分
2280
万円
143.15m2 1種低層
なし
60%
100%
  • 建築条件なし
  • 本下水
  • 都市ガス
  • 1種低層地域
おすすめポイント
道路より高い立地のため、プライバシー性に配慮した建物設計が可能です。

愛知県豊明市二村台4 土地

  • 土地
  • 愛知県豊明市二村台4 土地
    間取り図
愛知県豊明市二村台4
名鉄名古屋本線 前後駅 バス9分/「センター前[豊明市]」バス停 停歩5分
2380
万円
143.15m2 1種低層
なし
60%
100%
  • 建築条件なし
  • 本下水
  • 都市ガス
  • 1種低層地域
おすすめポイント
北西角地高い立地のためプライバシー性に配慮した建物設計が可能になっております。

愛知県豊明市二村台4 土地

  • 土地
  • 愛知県豊明市二村台4 土地
    間取り図
愛知県豊明市二村台4
名鉄名古屋本線 前後駅 バス9分/「名鉄バス「センター前」」バス停 停歩7分
2980
万円
192.32m2 1種低層
なし
60%
100%
  • 建築条件なし
  • 更地
  • 都市ガス
  • 1種低層地域
おすすめポイント
■現況更地~ライフインフォメーション~■名鉄バス「センター前」バス停 徒歩7分 (約510m) (前後駅行き バス乗車時間 9分)■ファミリーマート豊明西川町店 徒歩8分 (約570m)■コノミヤ豊明店  徒歩6分 (約480m)■えびす公園  徒歩3分 (約240m)■植村循環器科・内科 徒歩5分 (約400m)■二村台小学校  徒歩12分 (約890m)■豊明中学校 徒歩10分 (約740m)

愛知県豊明市二村台4 土地

  • 土地
  • 愛知県豊明市二村台4 土地
    間取り図
愛知県豊明市二村台4
名鉄名古屋本線 前後駅 バス9分/「名鉄バス「センター前」」バス停 停歩7分
2980
万円
197.54m2 1種低層
なし
60%
100%
  • 建築条件なし
  • 更地
  • 1種低層地域
おすすめポイント
■現況更地~ライフインフォメーション~■名鉄バス「センター前」バス停 徒歩7分 (約510m) (前後駅行き バス乗車時間 9分)■ファミリーマート豊明西川町店 徒歩8分 (約570m)■コノミヤ豊明店  徒歩6分 (約480m)■えびす公園  徒歩3分 (約240m)■植村循環器科・内科 徒歩5分 (約400m)■二村台小学校  徒歩12分 (約890m)■豊明中学校 徒歩10分 (約740m)

愛知県豊明市西川町善波 土地

  • 土地
  • 愛知県豊明市西川町善波 土地
    間取り図
愛知県豊明市西川町善波
名鉄名古屋本線 前後駅 徒歩28分
名鉄名古屋本線 豊明駅 徒歩3.2km
名鉄名古屋本線 中京競馬場前駅 徒歩3.6km
2780
万円
219.88m2 1種低層
なし
60%
100%
  • 建築条件なし
  • 南道路
  • 本下水
  • 都市ガス
  • 上物有り
  • 1種低層地域
おすすめポイント
●たくさんのお客様からのご要望頂いております●現地案内・ライフプラン・資金計画・住宅ローン相談リフォーム相談・お家プラン・たくさんの物件見たいツアーなどハウスドゥ豊明中央ではハウスエージェントがご相談を承ります!些細なことでもお気軽にお問い合わせ下さい!!例えば…住所どこ?近隣スーパーある?駅や学校は近く?他のお家も比較したい!住宅ローンは大丈夫?今後の生活も気になる!追加リフォームでいくらかかる?諸費用はいくら?などお客様のお悩みを解決させて頂きます!お家のことならなんでもご相談承っております♪

愛知県豊明市二村台2 土地

  • 土地
  • 愛知県豊明市二村台2 土地
    間取り図
愛知県豊明市二村台2
名鉄名古屋本線 前後駅 徒歩17分
名鉄名古屋本線 中京競馬場前駅 徒歩35分
名鉄名古屋本線 豊明駅 徒歩33分
4680
万円
313m2 1種低層
なし
60%
100%
  • 建築条件なし
  • 本下水
  • 都市ガス
  • 1種低層地域
  • 整形地
おすすめポイント
■建物解体更地渡し■間口が約16mあります。整形地です。■前後駅から徒歩17分■建築条件なし。お好きな建築会社さんで建築できます

愛知県豊明市前後町仙人塚 土地

  • 土地
  • 愛知県豊明市前後町仙人塚 土地
愛知県豊明市前後町仙人塚
名鉄名古屋本線 前後駅 徒歩9分
2400
万円
263.17m2 1種低層
なし
60%
100%
  • 建築条件なし
  • 本下水
  • 都市ガス
  • 1種低層地域
おすすめポイント
近隣には生活施設も充実!大宮小学校まで徒歩4分!

愛知県豊明市二村台1 土地

  • 土地
  • 愛知県豊明市二村台1 土地
    間取り図
愛知県豊明市二村台1
名鉄名古屋本線 前後駅 徒歩19分
2680
万円
181.5m2 1種低層
なし
60%
100%
  • 建築条件なし
  • 本下水
  • 1種低層地域
  • 整形地
おすすめポイント
ハウズ不動産は、ホームセンター「リビングスタイルハウズ」の店舗内にあり、お気軽に立ち寄れます。資金計画から、購入について丁寧にご説明することを心掛けております。また、弊社は、自然素材をたっぷり使ったリフォーム、おうち時間を楽しむガーデン、一枚板の家具、雑貨の販売等、住まいに関するご要望をワンストップで対応できます。まずはお気軽にご相談ください。

愛知県豊明市二村台7 土地

  • 土地
  • 愛知県豊明市二村台7 土地
    間取り図
愛知県豊明市二村台7
バス/「二村台七丁目」バス停 停歩5分
4680
万円
322.82m2 1種低層
なし
60%
100%
  • 建築条件なし
  • 本下水
  • 都市ガス
  • 1種低層地域
  • 整形地
おすすめポイント
○建築条件はありません〇お好きなハウスメーカーで建築できます〇周辺は落ち着いた住環境が広がる住宅地です〇約97坪の広々敷地〇広さを活かし、駐車場・スペースも確保しやすく、 ゆとりのあるプランに対応可能

愛知県豊明市二村台2 土地

  • 土地
  • 愛知県豊明市二村台2 土地
    間取り図
愛知県豊明市二村台2
名鉄名古屋本線 前後駅 徒歩23分
名鉄名古屋本線 豊明駅 徒歩35分
名鉄名古屋本線 中京競馬場前駅 徒歩38分
4680
万円
305.25m2 1種低層
なし
60%
100%
  • 建築条件なし
  • 本下水
  • 都市ガス
  • 上物有り
  • 角地
  • 1種低層地域
  • 整形地
おすすめポイント
☆○o。 オススメポイント 。o○☆■角地の物件です!■建築条件はございません!■広々約92坪の整形地!■名鉄名古屋本線「前後」駅:徒歩約23分■二村台小学校:徒歩約12分(約950m)■豊明中学校:徒歩約2分(約160m)■アオキスーパー 豊明店:徒歩約4分(約290m)■ファミリーマート 豊明二村台南店:徒歩約4分(約250m)些細なことでも、ハウスドゥ 東郷まで、お気軽にお問合せ下さい♪

愛知県豊明市二村台7丁目 土地

  • 土地
  • 愛知県豊明市二村台7丁目 土地
愛知県豊明市二村台7丁目
バス/「二村台七丁目」バス停 停歩5分
4680
万円

47.93万円
322.82m2 1種低層
なし
60%
100%
  • 建築条件なし
  • 本下水
  • 都市ガス
  • 1種低層地域
おすすめポイント
約97坪の広々敷地☆周辺は落ち着いた住環境が広がる住宅地

愛知県豊明市前後町仙人塚 土地

  • 土地
  • 愛知県豊明市前後町仙人塚 土地
    間取り図
愛知県豊明市前後町仙人塚
名鉄名古屋本線 前後駅 徒歩9分
1592
万円

39.99万円
131.58m2 1種低層
なし
60%
100%
  • 建築条件なし
  • 更地
  • 本下水
  • 都市ガス
  • 1種低層地域

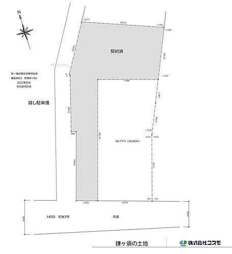
愛知県豊明市前後町鎌ケ須 土地

  • 建築条件付土地
  • 愛知県豊明市前後町鎌ケ須 建築条件付土地
    間取り図
愛知県豊明市前後町鎌ケ須
名鉄名古屋本線 前後駅 徒歩8分
1480
万円

52.74万円
92.77m2 1種低層
あり
60%
100%
  • 更地
  • 南道路
  • 本下水
  • 都市ガス
  • 1種低層地域
おすすめポイント
◆土地28.06坪◆陽当たり風通し良好◆名鉄名古屋本線「前後駅」徒歩8分◆造成済◆建築条件付き
チェックした物件を一括で
  • チェックした物件をまとめて
17
表示件数

条件を選択

価格
土地面積
駅からの時間
建築条件
現況
立地・特徴
条件
画像・動画
情報の新しさ
フリーワード
豊明市のおすすめ新築一戸建て

豊明市の新築一戸建て情報をもっと見る

豊明市の暮らしデータ

人口などの統計情報

世帯数 29069世帯
人口総数 67902人
転入者数 3629人
転入率(人口1000人当たり)
53.44人
転出者数 3367人
転出率(人口1000人当たり)
49.59人
土地平均価格
住宅地
130167円/m2
商業地
151500円/m2

結婚・育児の助成金

子育て関連の独自の取り組み 子育て情報誌の配布。ネウボラ推進。ままさぽ事業。妊娠期教室。産婦健康診査受診票の2回交付。新生児聴覚検査費補助。お誕生おめでとう電話。ブックスタート事業(3ヶ月児健診)。産後ケア事業。養育支援訪問。インフルエンザ予防接種費用助成。子育てアプリ。低所得妊婦初回産科受診料助成事業。子育て支援センターの各種教室・イベント。児童館の各種教室・イベント。親子健康増進事業。心理個別相談。親支援教室。発達が気になるお子さんの保育所等巡回支援。発達が気になるお子さんの親子通園教室。子連れ出勤普及啓発事業。児童遊園地設置費等補助制度。子育て世帯訪問支援事業。
出産祝い あり
公立保育所数 7所(うち0歳児保育を実施している保育所:3所)
私立保育所数 6所(うち0歳児保育を実施している保育所:6所)
保育所入所待機児童数 1人
認定こども園数 2園 預かり保育実施園数 公立:- 私立:3園
学校給食 【小学校】完全給食【中学校】完全給食
公立中学校の学校選択制 未実施
子ども・学生等医療費助成<通院>対象年齢 18歳3月末まで 子ども・学生等医療費助成<入院>対象年齢 18歳3月末まで

豊明市の治安・ごみ収集情報

公共料金・インフラ

ガス料金(22m3使用した場合の月額) 東邦瓦斯株式会社5307円
水道料金(口径20mmで20m3の月額) 愛知中部水道企業団4455円
下水道料金(20m3を使用した場合の月額) 豊明市2145円
下水道普及率 82.9%

安心・安全

建物火災出火件数 10件
人口10000人当たり
1.44件
刑法犯認知件数 396件
人口1000人当たり
5.71件
ハザード・防災マップ あり

医療

一般病院総数 2ヶ所
一般診療所総数 41ヶ所
小児科医師数 49人
小児人口10000人当たり
59.68人
産婦人科医師数 27人
15~49歳女性人口1万人当たり
21.00人
介護保険料基準額(月額) 5825円

ごみ

家庭ごみ収集(可燃ごみ) 無料
備考
指定ごみ袋は有料だが、袋代にごみ収集・処理料金等を含まず。
家庭ごみの分別方式 4分別16種〔可燃ごみ プラスチック 不燃ごみ 資源(新聞、雑誌・雑紙、ダンボール、牛乳パック、衣類・布類、紙製容器包装、スチール類、アルミ類、スプレー缶、カセットボンベ、有料ビン、その他ビン、ペットボトル)〕 拠点回収:乾電池 羽毛布団 小型充電式電池 インクカートリッジ 食用油 小型家電 資源(新聞 雑誌・雑紙 ダンボール 牛乳パック 衣類・布類 紙製容器包装 スチール類 アルミ類 スプレー缶 カセットボンベ 有料ビン その他ビン ペットボトル)
家庭ごみの戸別収集 未実施
粗大ごみ収集 あり
備考
有料。1,030円/点。60cm以上のもの。
生ごみ処理機助成金制度 あり
上限金額
20000円
上限比率
50.0%

豊明市の住まいの給付金

新築建築

利子補給制度 なし
補助/助成金制度 あり
上限金額
7万円
備考
【多世代・同居・近居に係る固定資産税相当額一部補助事業】親と同居または近居するため、新たに住宅を取得した者に対して、家屋の固定資産税の一部を補助。ただし、2024年1月1日以前の取得した者までとする。

新築購入

利子補給制度 なし
補助/助成金制度 あり
上限金額
7万円
備考
【多世代・同居・近居に係る固定資産税相当額一部補助事業】親と同居または近居するため、新たに住宅を取得した者に対して、家屋の固定資産税の一部を補助。ただし、2024年1月1日以前の取得した者までとする。2025年度より、新規(2025年度が1年目)受付停止。
暮らしデータ提供元:生活ガイド.com
※行政機関により公表していない地域及びデータがございます。東京23区以外の政令指定都市は、市全体のデータとして表示しています。
※提供データには細心の注意を払っておりますが、調査後に変更がある場合があります。 最新の情報につきましては各市区役所までお問い合わせいただくか、自治体HPなどをご確認ください。

価格相場

豊明市の価格相場

  50㎡~80㎡ 80㎡~100㎡ 100㎡~150㎡ 150㎡~200㎡ 200㎡以上
土地 - - 1979万円 1970万円 4102万円

周辺エリアの価格相場

  名古屋市緑区 大府市 知立市 みよし市 愛知郡東郷町
土地 2822万円 1969万円 1967万円 - 2021万円
※このデータはgoo住宅・不動産に掲載されている土地の平均価格(管理費・駐車場代などを除く)を算出したものです。ただし5戸以上の掲載があるものについてのみ対象とします。
※周辺エリアの価格相場は広さ100㎡~150㎡の平均価格(管理費・駐車場代などを除く)を算出したものです。

愛知県の人気の街アクセスランキング(土地)

※このランキングは2026年04月01日~30日における各ページのアクセス数から算出しています。

愛知県豊明市の人気の特集から土地物件を探す

特徴

他のエリアから探す

豊明市の詳細地域から土地物件を探す

阿野町大久伝町沓掛町栄町新栄町新田町前後町西川町二村台間米町三崎町

豊明市内の駅から探す

豊明前後

アプリで簡単 物件探し 大手不動産サイトの情報から一括検!プッシュ通知で物件を見逃さない
App Storeからダウンロード Google Playで手に入れよう QRコード