アプリで簡単 物件探し 通知 共有 アプリならではの機能を使ってみる
RSS

帯広市(北海道) の建築条件なしの土地(宅地・分譲地・売地) 物件一覧

北海道帯広市の建築条件なしの土地、分譲地、売地、宅地などの土地物件をご紹介します。売り地、分譲土地、住宅用土地などの土地情報を探すならgoo住宅・不動産。価格・土地面積・建築条件・立地・人気のこだわり条件から物件を簡単検索。理想の物件探しをgoo住宅・不動産がサポートします。

建築条件なしの土地物件特集
注文住宅を建てる土地を探している方におすすめの建築条件なしの土地を紹介します。土地に建築条件が定められていると、条件を満たす住宅しか作れません。建築条件なしの土地を購入すれば、自由度の高い注文住宅を建てられるため、家族全員の理想を叶えるマイホームができあがりますよ。土地の購入費用や周辺環境をチェックして、好みの場所にある土地を購入しましょう。

建築条件なしの土地物件特集

探したい物件のエリア・検索条件を変更して再検索

エリア
検索条件 建築条件:建築条件なし
95 並び替え
チェックした物件を一括で
選択 物件タイプ
画像
所在地/交通
(駅/バス 所要時間)
価格
坪単価
土地面積 用途地域
建築条件
建ぺい率
容積率

北海道帯広市東七条南19丁目 土地

  • 土地
  • 北海道帯広市東七条南19丁目 土地
    間取り図
北海道帯広市東七条南19丁目
根室本線 帯広駅 徒歩24分
880
万円

12.7万円
228.96m2 1種住居
なし
60%
200%
  • 建築条件なし
  • 本下水
おすすめポイント
☆建築条件無しなのでお好きなメーカーで建築可能☆スーパーなどの商業施設が徒歩約10分エリアに充実
ハウスドゥ 白樺通 ドットコム不動産株式会社

北海道帯広市東八条南19丁目 土地

  • 土地
  • 北海道帯広市東八条南19丁目 土地
    間取り図
北海道帯広市東八条南19丁目
根室本線 帯広駅 徒歩24分
1180
万円

17.52万円
222.55m2 1種住居
なし
60%
200%
  • 建築条件なし
  • 南道路
  • 本下水
  • 都市ガス
  • 角地
おすすめポイント
●東8条南19丁目 売土地☆●土地面積67坪越え☆
ハウスドゥ 帯広 ドットコム不動産株式会社

北海道帯広市西十六条南5丁目 土地

  • 土地
  • 北海道帯広市西十六条南5丁目 土地
    間取り図
北海道帯広市西十六条南5丁目
根室本線 帯広駅 徒歩35分
1500
万円

12.35万円
401.43m2 2種中高
なし
60%
200%
  • 建築条件なし
  • 本下水
  • 都市ガス
おすすめポイント
☆建築条件無し☆スーパー、コンビニ、ドラッグストアなどの商業施設が徒歩15分エリアに充実
ハウスドゥ 白樺通 ドットコム不動産株式会社

北海道帯広市西二十条南2丁目 土地

  • 土地
  • 北海道帯広市西二十条南2丁目 土地
    間取り図
北海道帯広市西二十条南2丁目
根室本線 帯広駅 徒歩5.0km
780
万円

13.51万円
190.78m2 1種低層
なし
40%
60%
  • 建築条件なし
  • 本下水
  • 都市ガス
  • 1種低層地域
おすすめポイント
●西20条南2丁目 売土地☆●フクハラいっきゅう店まで徒歩9分(約600m)☆
ハウスドゥ 白樺通 ドットコム不動産株式会社

北海道帯広市西十六条南4丁目 土地

  • 土地
  • 北海道帯広市西十六条南4丁目 土地
    間取り図
北海道帯広市西十六条南4丁目
根室本線 柏林台駅 徒歩31分
900
万円

11.77万円
252.7m2 2種中高
なし
60%
200%
  • 建築条件なし
  • 更地
  • 本下水
  • 都市ガス
おすすめポイント
☆建築条件無しなのでお好きなメーカーで建築可能☆スーパーなどの商業施設が徒歩10分エリアに充実
ハウスドゥ 帯広 ドットコム不動産株式会社

北海道帯広市西十二条南16丁目 土地

  • 土地
  • 北海道帯広市西十二条南16丁目 土地
    間取り図
北海道帯広市西十二条南16丁目
根室本線 帯広駅 徒歩18分
980
万円

19.22万円
168.55m2 1種住居
なし
60%
200%
  • 建築条件なし
  • 南道路
  • 本下水
  • 都市ガス
おすすめポイント
☆南向きで日当たり良好☆コンビニ、ドラッグストア、飲食店などの商業施設が徒歩10分エリアに充実
ハウスドゥ 帯広 ドットコム不動産株式会社

北海道帯広市稲田町東2線 土地

  • 土地
  • 北海道帯広市稲田町東2線 土地
    間取り図
北海道帯広市稲田町東2線
根室本線 帯広駅 徒歩4.4km
780
万円

13.85万円
186.12m2 2種中高
なし
60%
200%
  • 建築条件なし
  • 本下水
おすすめポイント
☆建築条件無しなのでお好きなメーカーで建築可能☆テナントの充実したスーパーまで車で6分で便利
ハウスドゥ 帯広 ドットコム不動産株式会社

北海道帯広市東九条南4丁目 土地

  • 土地
  • 北海道帯広市東九条南4丁目 土地
    間取り図
北海道帯広市東九条南4丁目
根室本線 帯広駅 徒歩24分
898
万円

10万円
296.85m2 2種中高
なし
60%
200%
  • 建築条件なし
  • 更地
  • 本下水
おすすめポイント
●土地面積89坪越え☆●建築条件無しなのでお好きなメーカーで建築可能♪☆
ハウスドゥ 帯広 ドットコム不動産株式会社

北海道帯広市西十九条南5丁目 土地

  • 土地
  • 北海道帯広市西十九条南5丁目 土地
    間取り図
北海道帯広市西十九条南5丁目
根室本線 柏林台駅 徒歩3.2km
560
万円

12.94万円
143m2 1種低層
なし
50%
80%
  • 建築条件なし
  • 1種低層地域
おすすめポイント
☆建築条件無しなのでお好きなメーカーで建築可能☆スーパーなどの商業施設が徒歩10分エリアに充実
ハウスドゥ 帯広 ドットコム不動産株式会社

北海道帯広市西二十一条南2丁目 土地

  • 土地
  • 北海道帯広市西二十一条南2丁目 土地
    間取り図
北海道帯広市西二十一条南2丁目
根室本線 西帯広駅 徒歩23分
980
万円

14万円
231.4m2 1種低層
なし
50%
80%
  • 建築条件なし
  • 本下水
  • 都市ガス
  • 上物有り
  • 1種低層地域
ハウスドゥ 帯広 ドットコム不動産株式会社

北海道帯広市緑ケ丘三条通4丁目 土地

  • 土地
  • 北海道帯広市緑ケ丘三条通4丁目 土地
    間取り図
北海道帯広市緑ケ丘三条通4丁目
根室本線 帯広駅 徒歩27分
340
万円

9.86万円
113.88m2 2種中高
なし
60%
200%
  • 建築条件なし
  • 上物有り
ハウスドゥ 帯広 ドットコム不動産株式会社

北海道帯広市西十七条南33丁目 土地

  • 土地
  • 北海道帯広市西十七条南33丁目 土地
    間取り図
北海道帯広市西十七条南33丁目
根室本線 帯広駅 徒歩3.8km
950
万円

14.39万円
218.18m2 2種中高
なし
60%
200%
  • 建築条件なし
  • 南道路
  • 平坦地
  • 本下水
  • 都市ガス
ハウスドゥ 白樺通 ドットコム不動産株式会社

北海道帯広市西十七条南33丁目 土地

  • 土地
  • 北海道帯広市西十七条南33丁目 土地
    間取り図
北海道帯広市西十七条南33丁目
根室本線 帯広駅 徒歩3.8km
950
万円

14.39万円
218.18m2 2種中高
なし
60%
200%
  • 建築条件なし
  • 南道路
  • 平坦地
  • 本下水
  • 都市ガス
ハウスドゥ 帯広 ドットコム不動産株式会社

北海道帯広市西十九条南5丁目 土地

  • 土地
  • 北海道帯広市西十九条南5丁目 土地
    間取り図
北海道帯広市西十九条南5丁目
根室本線 柏林台駅 徒歩3.2km
900
万円

12.28万円
242.2m2 1種低層
なし
50%
80%
  • 建築条件なし
  • 更地
  • 本下水
  • 1種低層地域
おすすめポイント
☆敷地面積約242.20m2(約73.26坪)☆徒歩約10分圏内にスーパーがあり、利便性良好
ハウスドゥ 白樺通 ドットコム不動産株式会社

北海道帯広市西十六条南6丁目 土地

  • 土地
  • 北海道帯広市西十六条南6丁目 土地
    間取り図
北海道帯広市西十六条南6丁目
根室本線 帯広駅 徒歩3.2km
1565
万円

12.64万円
409m2 2種中高
なし
60%
200%
  • 建築条件なし
  • 南道路
  • 本下水
  • 上物有り
  • 角地
おすすめポイント
【ハウスドゥ帯広店】【土地123.73坪】【近隣に商業施設など充実☆】【日当たり良好な角地☆】
ハウスドゥ 帯広 ドットコム不動産株式会社

北海道帯広市東十四条南5丁目 土地

  • 土地
  • 北海道帯広市東十四条南5丁目 土地
    間取り図
北海道帯広市東十四条南5丁目
根室本線 帯広駅 徒歩3.2km
800
万円

7.11万円
371.66m2 2種中高
なし
60%
200%
  • 建築条件なし
  • 本下水
  • 角地
ハウスドゥ 帯広 ドットコム不動産株式会社

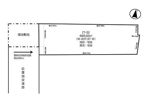
北海道帯広市東一条北2丁目 土地

  • 土地
  • 北海道帯広市東一条北2丁目 土地
    間取り図
北海道帯広市東一条北2丁目
根室本線 帯広駅 徒歩29分
2277
万円

10.97万円
685.55m2 1種中高
なし
60%
200%
  • 建築条件なし
  • 更地
  • 本下水
ハウスドゥ 白樺通 ドットコム不動産株式会社

北海道帯広市大空町4丁目 土地

  • 土地
  • 北海道帯広市大空町4丁目 土地
    間取り図
北海道帯広市大空町4丁目
根室本線 西帯広駅 徒歩7.0km
680
万円

7.71万円
291.5m2 1種低層
なし
40%
60%
  • 建築条件なし
  • 更地
  • 本下水
  • 角地
  • 即引渡し可
  • 1種低層地域
ハウスドゥ 帯広 ドットコム不動産株式会社

北海道帯広市西十六条南4丁目 土地

  • 土地
  • 北海道帯広市西十六条南4丁目 土地
    間取り図
北海道帯広市西十六条南4丁目
根室本線 柏林台駅 徒歩34分
498
万円

10.27万円
160.15m2 2種中高
なし
60%
200%
  • 建築条件なし
  • 本下水
  • 都市ガス
ハウスドゥ 白樺通 ドットコム不動産株式会社
チェックした物件を一括で

北海道帯広市南の森西1丁目 土地

  • 土地
  • 北海道帯広市南の森西1丁目 土地
    間取り図
北海道帯広市南の森西1丁目
根室本線 帯広駅 徒歩5.3km
根室本線 柏林台駅 徒歩6.0km
850
万円

16.01万円
175.51m2 2種中高
なし
60%
200%
  • 建築条件なし
  • 更地
  • 南道路
  • 本下水
ハウスドゥ 帯広 ドットコム不動産株式会社

北海道帯広市桜木町東4線 土地

  • 土地
  • 北海道帯広市桜木町東4線 土地
    間取り図
北海道帯広市桜木町東4線
大正15号「十勝バス」下車 徒歩70分
2550
万円

1.5万円
5616m2 無指定
なし

 
  • 建築条件なし
  • 更地
ハウスドゥ 帯広 ドットコム不動産株式会社

北海道帯広市西六条南31丁目 土地

  • 土地
  • 北海道帯広市西六条南31丁目 土地
    間取り図
北海道帯広市西六条南31丁目
根室本線 帯広駅 徒歩35分
500
万円

9.86万円
167.51m2 2種中高
なし
60%
200%
  • 建築条件なし
  • 更地
  • 南道路
  • 本下水
ハウスドゥ 帯広 ドットコム不動産株式会社

北海道帯広市西十六条南6丁目 土地

  • 土地
  • 北海道帯広市西十六条南6丁目 土地
    間取り図
北海道帯広市西十六条南6丁目
根室本線 帯広駅 徒歩36分
780
万円

10.83万円
238m2 2種中高
なし
60%
200%
  • 建築条件なし
  • 本下水
  • 上物有り
  • 角地
ハウスドゥ 帯広 ドットコム不動産株式会社

北海道帯広市西二十三条南1 土地

  • 土地
  • 北海道帯広市西二十三条南1 土地
北海道帯広市西二十三条南1
JR根室本線 西帯広駅 徒歩7分
JR根室本線 柏林台駅 徒歩4.0km
JR根室本線 帯広駅 徒歩7.1km
1190
万円
329.44m2 1種住居
なし
60%
200%
  • 建築条件なし
  • 南道路
  • 本下水
  • 上物有り
  • 整形地
おすすめポイント
西小・二中まで徒歩10分以内で通学◎商業施設・コンビニ至近で利便性◎建築条件ありません。
ピタットハウス帯広店(株)丸正池田

北海道帯広市東二条南17 土地

  • 土地
  • 北海道帯広市東二条南17 土地
    間取り図
北海道帯広市東二条南17
JR根室本線 帯広駅 バス6分/「大通18丁目」バス停 停歩5分
900
万円
267m2 2種住居
なし
60%
200%
  • 建築条件なし
  • 更地
  • 本下水
  • 都市ガス
  • 整形地
おすすめポイント
※準防火地域
(株)ちえん

北海道帯広市西二十四条南2 土地

  • 土地
  • 北海道帯広市西二十四条南2 土地
    間取り図
北海道帯広市西二十四条南2
JR根室本線 西帯広駅 徒歩11分
1260
万円
320.65m2 1種低層
なし
40%
60%
  • 建築条件なし
  • 本下水
  • 1種低層地域
(株)ちえん

北海道帯広市東十条南5 土地

  • 土地
  • 北海道帯広市東十条南5 土地
    間取り図
北海道帯広市東十条南5
JR根室本線 帯広駅 バス11分/「東10条」バス停 停歩1分
500
万円
89.68m2 準住居
なし
60%
200%
  • 建築条件なし
  • 本下水
  • 整形地
おすすめポイント
※建物解体後引渡し
(株)ちえん

北海道帯広市西二十四条南2 土地

  • 土地
  • 北海道帯広市西二十四条南2 土地
    間取り図
北海道帯広市西二十四条南2
JR根室本線 西帯広駅 徒歩12分
1260
万円
320.65m2 1種低層
なし
40%
60%
  • 建築条件なし
  • 本下水
  • 1種低層地域
センチュリー21(株)ネクストワン

北海道帯広市西十一条南15 土地

  • 土地
  • 北海道帯広市西十一条南15 土地
    間取り図
北海道帯広市西十一条南15
JR根室本線 帯広駅 バス9分/「西10条13丁目」バス停 停歩3分
2106
万円
535.73m2 1種住居
なし
60%
200%
  • 建築条件なし
  • 本下水
  • 都市ガス
おすすめポイント
※建物解体後引渡し
(株)ちえん

北海道帯広市西十五条南13 土地

  • 土地
  • 北海道帯広市西十五条南13 土地
    間取り図
北海道帯広市西十五条南13
JR根室本線 帯広駅 バス11分/「西15条13丁目」バス停 停歩2分
680
万円
158m2 2種中高
なし
60%
200%
  • 建築条件なし
  • 本下水
  • 整形地
おすすめポイント
※建物解体後引渡し
(株)ちえん

北海道帯広市東五条南5 土地

  • 土地
  • 北海道帯広市東五条南5 土地
    間取り図
北海道帯広市東五条南5
JR根室本線 帯広駅 バス11分/「東5条6丁目」バス停 停歩2分
1100
万円
330.53m2 近隣商業
なし
80%
200%
  • 建築条件なし
  • 本下水
(株)ちえん

北海道帯広市西十三条南14 土地

  • 土地
  • 北海道帯広市西十三条南14 土地
    間取り図
北海道帯広市西十三条南14
JR根室本線 帯広駅 バス10分/「西14条13丁目」バス停 停歩3分
1400
万円
366.94m2 2種中高
なし
60%
200%
  • 建築条件なし
  • 本下水
  • 上物有り
おすすめポイント
※低木等あり、現状引渡し※前面道路都市ガス管有り
(株)ちえん

北海道帯広市西十五条南13 土地

  • 土地
  • 北海道帯広市西十五条南13 土地
    間取り図
北海道帯広市西十五条南13
JR根室本線 帯広駅 バス13分/「西15条13丁目」バス停 停歩1分
850
万円
231.24m2 1種住居
なし
60%
200%
  • 建築条件なし
  • 本下水
おすすめポイント
※ドリームタウン白樺まで約750m!※帯広厚生病院様まで約550m!※新緑通り至近でアクセも良好!※建物解体後引渡し
(株)ちえん

北海道帯広市西十九条南2 土地

  • 土地
  • 北海道帯広市西十九条南2 土地
北海道帯広市西十九条南2
JR根室本線 柏林台駅 徒歩14分
JR根室本線 西帯広駅 徒歩3.6km
JR根室本線 帯広駅 徒歩4.4km
1000
万円
216.65m2 1種低層
なし
50%
80%
  • 建築条件なし
  • 本下水
  • 都市ガス
  • 1種低層地域
おすすめポイント
前面道路に都市ガス配管有り、経済的です。 中古住宅としても引渡し可能です。お問合せ下さい。
ピタットハウス帯広店(株)丸正池田

北海道帯広市東四条南21 土地

  • 土地
  • 北海道帯広市東四条南21 土地
    間取り図
北海道帯広市東四条南21
JR根室本線 帯広駅 バス13分/「東5条20丁目」バス停 停歩1分
1053
万円
267.76m2 1種住居
なし
60%
200%
  • 建築条件なし
  • 更地
  • 本下水
  • 都市ガス
  • 即引渡し可
(株)ちえん

北海道帯広市西六条南11 土地

  • 土地
  • 北海道帯広市西六条南11 土地
    間取り図
北海道帯広市西六条南11
JR根室本線 帯広駅 バス12分/「帯広市民文化ホール前」バス停 停歩3分
1340
万円
262m2 2種住居
なし
60%
200%
  • 建築条件なし
  • 更地
  • 本下水
  • 即引渡し可
おすすめポイント
※準防火地域
(株)ちえん

北海道帯広市大通南19 土地

  • 土地
  • 北海道帯広市大通南19 土地
    間取り図
北海道帯広市大通南19
JR根室本線 帯広駅 徒歩15分
2700
万円
535.53m2 近隣商業
なし
80%
300%
  • 建築条件なし
  • 更地
  • 本下水
  • 都市ガス
おすすめポイント
大通に面する事業向けの土地です♪東と西の二方道路になっており使い勝手も良し♪市街地に近く主要道路沿いなので店舗や駐車場にもご利用いただけます♪
センチュリー21(株)ネクストワン

北海道帯広市緑ケ丘三条通4 土地

  • 土地
  • 北海道帯広市緑ケ丘三条通4 土地
    間取り図
北海道帯広市緑ケ丘三条通4
JR根室本線 帯広駅 バス11分/「緑ケ丘大通」バス停 停歩5分
340
万円
113.88m2 2種中高
なし
60%
200%
  • 建築条件なし
  • 本下水
  • 上物有り
おすすめポイント
※上物有り現状渡し※建物解体要相談
(株)ちえん

北海道帯広市西十条南12 土地

  • 土地
  • 北海道帯広市西十条南12 土地
北海道帯広市西十条南12
JR根室本線 帯広駅 徒歩16分
JR根室本線 柏林台駅 徒歩3.4km
JR根室本線 札内駅 徒歩6.4km
1280
万円
267m2 1種住居
なし
60%
200%
  • 建築条件なし
  • 更地
  • 南道路
  • 本下水
  • 都市ガス
  • 即引渡し可
  • 整形地
ピタットハウス帯広店(株)丸正池田

北海道帯広市西十六条南2 土地

  • 土地
  • 北海道帯広市西十六条南2 土地
    間取り図
北海道帯広市西十六条南2
JR根室本線 帯広駅 バス13分/「西15条5丁目」バス停 停歩3分
7660
万円
1688.75m2 2種住居
なし
60%
200%
  • 建築条件なし
  • 更地
  • 本下水
  • 角地
おすすめポイント
※角地緩和適用の為、建ぺい率は10%加算されます。※埋蔵文化財包蔵地に指定されている地域
(株)ちえん
チェックした物件を一括で
  • チェックした物件をまとめて
95
表示件数 123 次へ
OCN×ドコモ光新規お申込みで合計最大137,280円相当おトク!特典の内訳・適用条件など詳細はこちら

条件を選択

価格
土地面積
駅からの時間
建築条件
現況
立地・特徴
条件
画像・動画
情報の新しさ
フリーワード
帯広市のおすすめ新築一戸建て

帯広市の新築一戸建て情報をもっと見る

帯広市の暮らしデータ

人口などの統計情報

世帯数 79933世帯
人口総数 162460人
転入者数 7413人
転入率(人口1000人当たり)
45.63人
転出者数 7699人
転出率(人口1000人当たり)
47.39人
土地平均価格
住宅地
37438円/m2
商業地
62125円/m2

結婚・育児の助成金

子育て関連の独自の取り組み (1)肢体不自由児向けの親子広場。(2)乳幼児向け親子コンサートの実施(市民協働の取り組み)。(3)おむつの無料収集。(4)子育て応援事業所の登録(従業員の育児休暇取得や子育て中の市民へサービスを行なう等、子育てを応援する企業を広める)。(5)先輩ママさんアドバイザーの設置(子育てサークルを支援)。(6)子育てサークルへ活動場所の無料提供。(7)子育て応援ボランティア事業(地域で子育てを支援する事業)。(8)絵本との出会い事業(4ヶ月児健診時に5冊の中から好きな1冊の絵本をプレゼント)。
出産祝い あり
公立保育所数 7所(うち0歳児保育を実施している保育所:5所)
私立保育所数 22所(うち0歳児保育を実施している保育所:21所)
保育所入所待機児童数 0人
認定こども園数 8園 預かり保育実施園数 公立:- 私立:6園
学校給食 【小学校】完全給食【中学校】完全給食
公立中学校の学校選択制 一部実施
子ども・学生等医療費助成<通院>対象年齢 中学校卒業まで 子ども・学生等医療費助成<入院>対象年齢 中学校卒業まで

帯広市の治安・ごみ収集情報

公共料金・インフラ

ガス料金(22m3使用した場合の月額) 帯広ガス株式会社6407円
水道料金(口径20mmで20m3の月額) 帯広市4455円
帯広市(簡易水道)4455円
下水道料金(20m3を使用した場合の月額) 帯広市2970円
下水道普及率 97.1%

安心・安全

建物火災出火件数 18件
人口10000人当たり
1.08件
刑法犯認知件数 586件
人口1000人当たり
3.52件
ハザード・防災マップ あり

医療

一般病院総数 17ヶ所
一般診療所総数 111ヶ所
小児科医師数 29人
小児人口10000人当たり
16.45人
産婦人科医師数 18人
15~49歳女性人口1万人当たり
5.97人
介護保険料基準額(月額) 6270円

ごみ

家庭ごみ収集(可燃ごみ) 有料
備考
指定ごみ袋有料。おむつ類は無料。
家庭ごみの分別方式 5分別19種〔燃やすごみ 燃やさないごみ 有害危険ごみ(使用済乾電池、蛍光管、水銀体温計、ライター類、小型充電式電池類、加熱式たばこ・電子たばこ) 資源ごみ(スプレー缶類、その他の缶類、びん、ペットボトル、紙パック、プラスチック製容器包装、紙製容器包装、ダンボール、新聞紙、雑誌類) おむつ類〕
家庭ごみの戸別収集 一部実施(帯広市ごみサポート収集事業)
粗大ごみ収集 あり
備考
有料。大型ごみ受付センターにて受付後、大型ごみ用処理券600円/枚を購入し排出。
生ごみ処理機助成金制度 あり
上限金額
15000円
上限比率
50.0%

帯広市の住まいの給付金

新築建築

利子補給制度 なし
補助/助成金制度 あり
上限金額
(1)45万円(2)30万円
備考
(1)【北方型住宅ZERO補助金】北方型住宅ZEROの基準を満たす住宅を新築した方に45万円を補助。(2)【帯広市旧耐震住宅建替え補助金】耐震診断で上部構造評点が0.4未満と判定された木造住宅の所有者又は所有者の1親等以内の親族が、同一敷地内で住宅の建替えをおこなうときに一定の基準を満たすと費用の一部を補助。30万円。

新築購入

利子補給制度 なし
補助/助成金制度 なし
暮らしデータ提供元:生活ガイド.com
※行政機関により公表していない地域及びデータがございます。東京23区以外の政令指定都市は、市全体のデータとして表示しています。
※提供データには細心の注意を払っておりますが、調査後に変更がある場合があります。 最新の情報につきましては各市区役所までお問い合わせいただくか、自治体HPなどをご確認ください。

価格相場

更新日:2025年11月10日

帯広市の価格相場

  50㎡~80㎡ 80㎡~100㎡ 100㎡~150㎡ 150㎡~200㎡ 200㎡以上
土地 - - 487万円 694万円 1411万円

周辺エリアの価格相場

  河東郡音更町 河西郡芽室町
土地 - -
※このデータはgoo住宅・不動産に掲載されている土地の平均価格(管理費・駐車場代などを除く)を算出したものです。ただし5戸以上の掲載があるものについてのみ対象とします。
※周辺エリアの価格相場は広さ50㎡~80㎡の平均価格(管理費・駐車場代などを除く)を算出したものです。

北海道の人気の街アクセスランキング(土地)

※このランキングは2025年10月01日~31日における各ページのアクセス数から算出しています。

北海道帯広市の人気の特集から土地物件を探す

特徴

アプリで簡単 物件探し 大手不動産サイトの情報から一括検!プッシュ通知で物件を見逃さない
App Storeからダウンロード Google Playで手に入れよう QRコード