アプリで簡単 物件探し 通知 共有 アプリならではの機能を使ってみる
中古住宅

三重県鈴鹿市岸岡町 千代崎駅 中古一戸建て・中古住宅

情報提供元
SUUMO
三重県鈴鹿市岸岡町 千代崎駅 中古一戸建て・中古住宅
価格 2880万円
交通
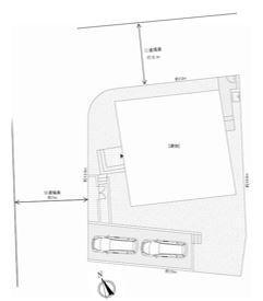
所在地 三重県鈴鹿市岸岡町周辺地図
間取り 4SLDK
建物面積 162.22m2(登記) 土地面積 269.07m2(登記)
築年月 1998年5月 築年数 築27年6ヶ月
おすすめポイント
◇【フラット35】S金利Bプラン適用可!◇土地面積は、約81坪。角地の物件です。◇駐車場は、7mの公道に面しているため、車庫入れもスムーズです。◇ALSOKのホームセキュリティを導入でご家族の外出やお子様のお留守番にも安心です。※リフォーム内容 (2025年11月下旬完工予定)キッチン(水栓・食洗器のみ交換)、ユニットバス交換、洗面化粧台(1・2階交換)、トイレ(1・2階交換:システムトイレ)クロス全室貼替、網戸貼替、インターホン(TVモニター付インターホンに交換)、エコキュート交換、宅配ボックス新設キッチン、床コーティング施工、エアコン内部洗浄
日当り良好・閑静な住宅街・駐車場2台分・オール電化・角地・整形地・浴室1坪以上・瑕疵保険(国交省指定法人)
お問い合わせ先
セキスイハイム不動産(株)中部支店
物件を見たい、物件や住環境の詳しい情報やローン相談など、
お問い合わせ先
セキスイハイム不動産(株)中部支店

詳細情報

価格 2880万円
所在地 三重県鈴鹿市岸岡町周辺地図
交通
間取り 4SLDK 築年月(築年数) 1998年5月(築27年6ヶ月)
建物面積 162.22m2(登記) 建物構造・規模 軽量鉄骨2階建
土地面積 269.07m2(登記) 土地権利 所有権
私道面積 借地期間・地代
接道状況 北東6m接面12m 北西7m接面13.5m 二方道路 駐車場
用途地域 1種低層 都市計画
建ぺい率/容積率 70%/100% 現況
地目 引渡可能時期 相談
情報提供元 SUUMO [050Z78114124] 情報公開日
情報更新日 次回更新予定日 随時

設備など

1種低層地域 即入居可 - 売主・代理
駐車2台以上 平屋 - 本下水
都市ガス - カウンターキッチン - 床暖房 -
ウォークインクローゼット - バリアフリー -
設備 バルコニー・トイレ・収納スペース・洗面所・浴室乾燥機・シャンプードレッサ・温水洗浄便座・システムキッチン・モニタ付インターホン・風呂・庭・LPガス・対面K・トイレ2ヶ所・床下収納・IHクッキングヒータ・2面バルコニー・衣類乾燥機・食器洗浄乾燥機・複層ガラス・上水道・本下水・駐車場2台分・リフォーム・省エネ給湯器
リフォーム履歴 2025年11月完了予定
 水回り設備交換:キッチン・浴室・トイレ
 内装リフォーム:壁
 その他:エコキュート、他
※年月は一番古いリフォーム箇所を表します
リノベーション履歴 -
備考 <物件名>Beハイム 鈴鹿市岸岡町/<駐車場>カースペース/<土地権利>所有権/<間取り>4LDK+S(納戸)/<リフォーム>●リフォーム:2025年11月完了予定(水回り設備交換:キッチン・浴室・トイレ、内装リフォーム:壁、その他:エコキュート、他)※年月は一番古いリフォーム箇所を表します/<特徴>【セキスイハイム×リノベーション】ALSOK防犯システム導入の耐震快適住宅!、建築確認完了検査済証・瑕疵保険(国交省指定)保証利用可・新築時・増改築時の設計図・修繕・点検の記録・フラット35Sに対応
販売戸数:1戸
法令等制限:景観法による規制有、日影制限有、接道と段差有、10m高さ制限・法22条指定区域
特記事項 日当り良好・閑静な住宅街・駐車場2台分・オール電化・角地・整形地・浴室1坪以上・瑕疵保険(国交省指定法人)

省エネ性能

エネルギー消費性能 -
断熱性能 -
目安光熱費 -

三重県鈴鹿市岸岡町 周辺地図情報

地図
※地図上に表示される物件の位置は付近住所に所在することを表すものであり、実際の物件所在地とは異なる場合がございます。
   正確な物件所在地は、取扱い不動産会社にお問い合わせください。
物件を見たい、物件や住環境の詳しい情報やローン相談など、
お問い合わせ先
セキスイハイム不動産(株)中部支店

不動産会社情報

お問い合わせ先 商号:セキスイハイム不動産(株)中部支店
免許番号:国土交通大臣(10)第003490号
所在地:愛知県名古屋市東区東桜1-13-3 NHK名古屋放送センタービル12階
TEL:0120-176-816
取引態様:売主
共有する
QRコード
物件を見たい、物件や住環境の詳しい情報やローン相談など、
お問い合わせ先
セキスイハイム不動産(株)中部支店

鈴鹿市の暮らしデータ

人口などの統計情報

世帯数 82048世帯
人口総数 195589人
転入者数 7559人
転入率(人口1000人当たり)
38.65人
転出者数 7387人
転出率(人口1000人当たり)
37.77人
土地平均価格
住宅地
36327円/m2
商業地
58186円/m2

結婚・育児の助成金

子育て関連の独自の取り組み (1)不妊治療・不育症治療費助成制度。(2)子育て支援総合コーディネート事業(子育て応援サイト「きら鈴」・子育て応援ブック「すずっこナビ」・子育て情報紙「さあ、きっともっと鈴鹿で子育て」「バンビーキッズ」・子育てリーフレット「子育て応援すごろく」・「転入ママのつどい」などの開催)。(3)ひとり親家庭等学習支援ボランティア事業。(4)おたふくかぜ予防接種費用の一部助成。(5)子どもの集団へのなじみにくさ等の早期発見及び支援を行う「5歳児健診」。(6)相談できる場や仲間づくりを支援するために10代の妊婦を対象に「若年妊婦対象マタニティ教室」を実施。(7)課題や心配をもつ子どもと家族の相談や特性に応じてサポートする「すずっこスクエア」。(8)市内の子ども食堂を行う団体等が連携を行う「すずっこ食堂ネットワーク」。
出産祝い なし
公立保育所数 10所(うち0歳児保育を実施している保育所:10所)
私立保育所数 24所(うち0歳児保育を実施している保育所:24所)
保育所入所待機児童数 0人
認定こども園数 9園 預かり保育実施園数 公立:0園 私立:4園
学校給食 【小学校】完全給食【中学校】完全給食
公立中学校の学校選択制 一部実施
子ども・学生等医療費助成<通院>対象年齢 中学校卒業まで 子ども・学生等医療費助成<入院>対象年齢 中学校卒業まで

鈴鹿市の治安・ごみ収集情報

公共料金・インフラ

ガス料金(22m3使用した場合の月額) 東邦瓦斯株式会社5307円
水道料金(口径20mmで20m3の月額) 鈴鹿市3107円
下水道料金(20m3を使用した場合の月額) 鈴鹿市3025円
下水道普及率 63.5%

安心・安全

建物火災出火件数 22件
人口10000人当たり
1.12件
刑法犯認知件数 1415件
人口1000人当たり
7.23件
ハザード・防災マップ あり

医療

一般病院総数 8ヶ所
一般診療所総数 142ヶ所
小児科医師数 25人
小児人口10000人当たり
10.61人
産婦人科医師数 18人
15~49歳女性人口1万人当たり
4.78人
介護保険料基準額(月額) 6255円

ごみ

家庭ごみ収集(可燃ごみ) 無料
備考
-
家庭ごみの分別方式 9分別18種〔もやせるごみ もやせないごみ(スプレー缶) プラスチックごみ 紙類(新聞紙、雑誌・雑がみ、段ボール、紙パック) あきかん あきびん(無色透明、茶色、その他の色) ペットボトル 衣類 有害ごみ(乾電池、蛍光管、鏡、水銀体温計)〕拠点回収:乾電池、蛍光管、使い捨てライター、あきかん(アルミ缶、スチール缶別)集団回収:新聞紙、雑誌類、段ボール類、金属類、アルミ類、びん類、布類、紙パック類
家庭ごみの戸別収集 未実施
粗大ごみ収集 あり
備考
有料。戸別収集。事前申込制。200円/点、1回の申込みは5点まで。
生ごみ処理機助成金制度 あり
上限金額
15000円
上限比率
50.0%

鈴鹿市の住まいの給付金

中古購入

利子補給制度 なし
補助/助成金制度 あり
上限金額
50万円
備考
【移住促進のための空き家リノベーション支援事業】鈴鹿市外から鈴鹿市へ移住する方が、市内の空き家を改修して住む場合にかかる工事費の1/3で最大50万円を補助。

増築・改築・改修

利子補給制度 なし
補助/助成金制度 あり
上限金額
120万円
備考
【耐震補強工事】耐震補強工事に要する費用の一部を補助(最大100万円。※耐震補強計画の実施時期により上限額が異なる)。耐震補強工事と同時に行うリフォーム工事に要する費用の一部を補助(最大20万円)。市の「耐震診断」や「耐震補強計画」を行うなど条件あり。
暮らしデータ提供元:生活ガイド.com
※行政機関により公表していない地域及びデータがございます。東京23区以外の政令指定都市は、市全体のデータとして表示しています。
※提供データには細心の注意を払っておりますが、調査後に変更がある場合があります。 最新の情報につきましては各市区役所までお問い合わせいただくか、自治体HPなどをご確認ください。

この物件を見た人はこんな物件も見ています

OCN×ドコモ光新規お申込みで合計最大137,280円相当おトク!特典の内訳・適用条件など詳細はこちら

鈴鹿市内の各駅の住みやすさ

住宅ローンの返済額一覧

物件価格 2880万円に対して、年率 で、頭金 の場合
↓ボーナス 35年間 30年間 25年間 20年間 15年間 10年間
0万円 61,781円/月 71,207円/月 84,411円/月 104,228円/月 137,270円/月 203,374円/月
5万円 52,695円/月 62,231円/月 75,544円/月 95,469円/月 128,618円/月 194,829円/月
10万円 43,610円/月 53,255円/月 66,677円/月 86,710円/月 119,967円/月 186,284円/月
15万円 34,524円/月 44,280円/月 57,811円/月 77,952円/月 111,315円/月 177,738円/月
20万円 ローン不可 ローン不可 48,944円/月 69,193円/月 102,664円/月 169,193円/月
25万円 ローン不可 ローン不可 ローン不可 60,434円/月 94,012円/月 160,648円/月
30万円 ローン不可 ローン不可 ローン不可 ローン不可 85,361円/月 152,103円/月
支払い利息合計 2,158,660円~ 1,843,880円~ 1,533,650円~ 1,224,960円~ 917,930円~ 611,100円~
※元利均等返済方式で試算しています。 「円」の単位以下の端数金額は「切り捨て」として計算しております。
※金利は、固定金利として計算しております。
※上記の住宅ローン返済額一覧は、あくまで試算であり、将来の金利動向により、実際のご返済額とは異なります。
※ボーナス支払総額が総支払額の50%を超えている場合、上記の表では「ローン不可」となります。
※住宅ローン返済額一覧の数値は、住宅ローンのお申し込みやご融資をお約束するものではございません。
物件を見たい、物件や住環境の詳しい情報やローン相談など、
お問い合わせ先
セキスイハイム不動産(株)中部支店

掲載情報の著作権は提供元企業等に帰属します。
Copyright:(C) 2025 Recruit Co., Ltd.
アプリで簡単 物件探し 大手不動産サイトの情報から一括検!プッシュ通知で物件を見逃さない
App Storeからダウンロード Google Playで手に入れよう QRコード