アプリで簡単 物件探し 通知 共有 アプリならではの機能を使ってみる
中古住宅

栃木県足利市大前町 山前駅 中古一戸建て・中古住宅

情報提供元
SUUMO
栃木県足利市大前町 山前駅 中古一戸建て・中古住宅
価格 3200万円
交通
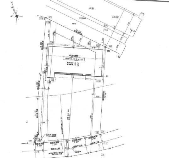
所在地 栃木県足利市大前町周辺地図
間取り 4SLDK
建物面積 147.6m2(44.64坪)(登記) 土地面積 699.36m2(211.55坪)(登記)
築年月 2019年11月 築年数 築6年
おすすめポイント
☆地域密着地元だからこその知識と情報量でお客様に合った物件をご紹介!ご案内可能!●地元の業者のため、いつでも見学可能,ご予約ください●住宅ローン、火災保険や生命保険などもご相談ください●他社様掲載の物件も合わせて案内可能●ローカル情報もお気軽にお聞きください●追加工事の費用は即日お見積もり可能【人と街を想い 笑顔で未来につなぐ】当店は昭和63年の創業。笑顔になれるお取引をモットーにお客様のお役に立てる企業を目指します!
長期優良住宅・建設住宅性能評価取得・浴室1坪以上・設計住宅性能評価取得
物件を見たい、物件や住環境の詳しい情報やローン相談など、
お問い合わせ先
(株)エステート・ワン

詳細情報

価格 3200万円
所在地 栃木県足利市大前町周辺地図
交通
間取り 4SLDK 築年月(築年数) 2019年11月(築6年)
建物面積 147.6m2(44.64坪)(登記) 建物構造・規模 木造平屋建て
土地面積 699.36m2(211.55坪)(登記) 土地権利 所有権
私道面積 借地期間・地代
接道状況 南5m接面20m 駐車場
用途地域 1種住居 都市計画
建ぺい率/容積率 60%/200% 現況
地目 引渡可能時期 即時
情報提供元 SUUMO [030Z78258710] 情報公開日
情報更新日 次回更新予定日 随時

設備など

1種低層地域 - 即入居可 売主・代理
駐車2台以上 - 平屋 本下水
都市ガス - カウンターキッチン - 床暖房 -
ウォークインクローゼット - バリアフリー -
設備 収納スペース・システムキッチン・風呂・庭・LPガス・対面K・トイレ2ヶ所・グルニエ・食器洗浄乾燥機・上水道・本下水・シューズインクローク
リフォーム履歴 -
リノベーション履歴 -
備考 <物件名>大前町(山前駅) 3200万円/<駐車場>カースペース/<土地権利>所有権/<間取り>4LDK+S(納戸)/<特徴>ミサワホーム施工築5年平家住宅小屋裏・蔵収納付きで収納が充実してます、長期優良住宅認定通知書・建設住宅性能評価書(新築時)・建築確認完了検査済証・即引渡可・2沿線以上利用可
販売戸数:1戸
法令等制限:景観法
特記事項 長期優良住宅・建設住宅性能評価取得・浴室1坪以上・設計住宅性能評価取得

省エネ性能

エネルギー消費性能 -
断熱性能 -
目安光熱費 -

栃木県足利市大前町 周辺地図情報

地図
※地図上に表示される物件の位置は付近住所に所在することを表すものであり、実際の物件所在地とは異なる場合がございます。
   正確な物件所在地は、取扱い不動産会社にお問い合わせください。
物件を見たい、物件や住環境の詳しい情報やローン相談など、
お問い合わせ先
(株)エステート・ワン

不動産会社情報

お問い合わせ先 商号:(株)エステート・ワン
免許番号:栃木県知事(9)第003023号
所在地:栃木県足利市伊勢町3-4-14
TEL:0284-64-7797
取引態様:売主
管理コード:22636
共有する
QRコード
物件を見たい、物件や住環境の詳しい情報やローン相談など、
お問い合わせ先
(株)エステート・ワン

足利市の暮らしデータ

人口などの統計情報

世帯数 61446世帯
人口総数 141021人
転入者数 4814人
転入率(人口1000人当たり)
34.14人
転出者数 4366人
転出率(人口1000人当たり)
30.96人
土地平均価格
住宅地
26918円/m2
商業地
41838円/m2

結婚・育児の助成金

子育て関連の独自の取り組み (1)2022年10月から高校3年生相当まで保険診療分医療費窓口無料。(2)屋内子ども遊び場「キッズピアあしかが」。(3)父子家庭巡回指導員による相談。(4)あしかが子育てアプリによるプッシュ型の子育て情報の配信。(5)親子の絆づくりプログラム(初めて出産したお母さんと赤ちゃんが一緒に参加する)事業。(6)ママのお出かけサポート事業。(7)第2子以降保育料及び第3子以降副食費の免除事業。(8)おたふくかぜ任意予防接種費用の一部助成。(9)低所得者世帯の家庭を対象に放課後児童クラブ利用料を減免。(10)第3子以降の出産祝い金を支給。
出産祝い あり
公立保育所数 9所(うち0歳児保育を実施している保育所:6所)
私立保育所数 10所(うち0歳児保育を実施している保育所:10所)
保育所入所待機児童数 0人
認定こども園数 13園 預かり保育実施園数 公立:- 私立:4園
学校給食 【小学校】完全給食【中学校】完全給食
公立中学校の学校選択制 一部実施
子ども・学生等医療費助成<通院>対象年齢 18歳3月末まで 子ども・学生等医療費助成<入院>対象年齢 18歳3月末まで

足利市の治安・ごみ収集情報

公共料金・インフラ

ガス料金(22m3使用した場合の月額) 足利ガス株式会社4453円
水道料金(口径20mmで20m3の月額) 足利市2290円
下水道料金(20m3を使用した場合の月額) 足利市(坂西団地処理区域)3040円
足利市(堀里ニュータウン処理区域)2890円
足利市(足利処理区域)3040円
下水道普及率 78.1%

安心・安全

建物火災出火件数 26件
人口10000人当たり
1.80件
刑法犯認知件数 896件
人口1000人当たり
6.19件
ハザード・防災マップ あり

医療

一般病院総数 9ヶ所
一般診療所総数 108ヶ所
小児科医師数 36人
小児人口10000人当たり
26.64人
産婦人科医師数 13人
15~49歳女性人口1万人当たり
5.43人
介護保険料基準額(月額) 5850円

ごみ

家庭ごみ収集(可燃ごみ) 有料
備考
可燃ごみのみ有料。
家庭ごみの分別方式 5分別13種〔燃やせるごみ 金属類 燃やせないごみ 資源物(紙パック、新聞紙・折込チラシ、段ボール、雑誌・その他の紙類、布類、びん類[無色透明、茶色、その他の色]、ペットボトル) 有害ごみ〕
家庭ごみの戸別収集 未実施
粗大ごみ収集 あり
備考
有料。戸別収集。事前申込制。
生ごみ処理機助成金制度 あり
上限金額
30000円
上限比率
50.0%

足利市の住まいの給付金

中古購入

利子補給制度 なし
補助/助成金制度 なし

増築・改築・改修

利子補給制度 なし
補助/助成金制度 あり
上限金額
100万円
備考
【耐震改修補助】耐震診断結果に基づいた耐震改修工事費用の4/5以内の額とし、上限100万円。※1981年5月31日以前に建築された木造住宅が対象。ほかに要件あり。
暮らしデータ提供元:生活ガイド.com
※行政機関により公表していない地域及びデータがございます。東京23区以外の政令指定都市は、市全体のデータとして表示しています。
※提供データには細心の注意を払っておりますが、調査後に変更がある場合があります。 最新の情報につきましては各市区役所までお問い合わせいただくか、自治体HPなどをご確認ください。

この物件を見た人はこんな物件も見ています

OCN×ドコモ光新規お申込みで合計最大137,280円相当おトク!特典の内訳・適用条件など詳細はこちら

足利市内の各駅の住みやすさ

住宅ローンの返済額一覧

物件価格 3200万円に対して、年率 で、頭金 の場合
↓ボーナス 35年間 30年間 25年間 20年間 15年間 10年間
0万円 70,088円/月 80,781円/月 95,760円/月 118,242円/月 155,726円/月 230,718円/月
5万円 61,002円/月 71,805円/月 86,894円/月 109,483円/月 147,075円/月 222,173円/月
10万円 51,917円/月 62,829円/月 78,027円/月 100,724円/月 138,423円/月 213,628円/月
15万円 42,831円/月 53,854円/月 69,160円/月 91,966円/月 129,772円/月 205,083円/月
20万円 ローン不可 44,878円/月 60,293円/月 83,207円/月 121,120円/月 196,538円/月
25万円 ローン不可 ローン不可 51,427円/月 74,448円/月 112,469円/月 187,993円/月
30万円 ローン不可 ローン不可 ローン不可 65,690円/月 103,817円/月 179,447円/月
支払い利息合計 2,447,600円~ 2,093,520円~ 1,741,200円~ 1,390,560円~ 1,040,010円~ 692,380円~
※元利均等返済方式で試算しています。 「円」の単位以下の端数金額は「切り捨て」として計算しております。
※金利は、固定金利として計算しております。
※上記の住宅ローン返済額一覧は、あくまで試算であり、将来の金利動向により、実際のご返済額とは異なります。
※ボーナス支払総額が総支払額の50%を超えている場合、上記の表では「ローン不可」となります。
※住宅ローン返済額一覧の数値は、住宅ローンのお申し込みやご融資をお約束するものではございません。
物件を見たい、物件や住環境の詳しい情報やローン相談など、
お問い合わせ先
(株)エステート・ワン

掲載情報の著作権は提供元企業等に帰属します。
Copyright:(C) 2025 Recruit Co., Ltd.
アプリで簡単 物件探し 大手不動産サイトの情報から一括検!プッシュ通知で物件を見逃さない
App Storeからダウンロード Google Playで手に入れよう QRコード