アプリで簡単 物件探し 通知 共有 アプリならではの機能を使ってみる

2025年11月5日(水)9:00~13:30の間、システムメンテナンスのため、goo住宅・不動産全サービスがご利用いただけません。
ご不便をおかけして申し訳ございませんが、ご理解のほどよろしくお願いいたします。

中古住宅

静岡県島田市中溝町 島田駅 中古一戸建て・中古住宅

情報提供元
SUUMO
静岡県島田市中溝町 島田駅 中古一戸建て・中古住宅
価格 1180万円
交通
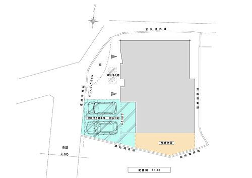
所在地 静岡県島田市中溝町周辺地図
間取り 5DK
建物面積 112.33m2(登記) 土地面積 171.17m2(登記)
築年月 1976年3月 築年数 築49年9ヶ月
物件を見たい、物件や住環境の詳しい情報やローン相談など、
お問い合わせ先
(株)ライフ

詳細情報

価格 1180万円
所在地 静岡県島田市中溝町周辺地図
交通
  • JR東海道本線 島田駅 バス9分/「中溝町西」バス停 停歩4分乗換案内
間取り 5DK 築年月(築年数) 1976年3月(築49年9ヶ月)
建物面積 112.33m2(登記) 建物構造・規模 木造2階建
土地面積 171.17m2(登記) 土地権利 所有権
私道面積 借地期間・地代
接道状況 駐車場
用途地域 1種中高 都市計画
建ぺい率/容積率 60%/150% 現況
地目 引渡可能時期 相談
情報提供元 SUUMO [050Z77472950] 情報公開日
情報更新日 次回更新予定日 随時

設備など

1種低層地域 - 即入居可 - 売主・代理 -
駐車2台以上 - 平屋 - 本下水 -
都市ガス - カウンターキッチン - 床暖房 -
ウォークインクローゼット - バリアフリー -
設備
リフォーム履歴 -
リノベーション履歴 -
備考 <物件名>中溝町 1180万円/<土地権利>所有権/<間取り>5DK
販売戸数:1戸
特記事項

省エネ性能

エネルギー消費性能 -
断熱性能 -
目安光熱費 -

静岡県島田市中溝町 周辺地図情報

地図
※地図上に表示される物件の位置は付近住所に所在することを表すものであり、実際の物件所在地とは異なる場合がございます。
   正確な物件所在地は、取扱い不動産会社にお問い合わせください。
物件を見たい、物件や住環境の詳しい情報やローン相談など、
お問い合わせ先
(株)ライフ

不動産会社情報

お問い合わせ先 商号:(株)ライフ
免許番号:静岡県知事(2)第013803号
所在地:静岡県静岡市葵区千代田2-2-40 MJ千代田101
TEL:054-297-5665
取引態様:専任媒介
共有する
QRコード
物件を見たい、物件や住環境の詳しい情報やローン相談など、
お問い合わせ先
(株)ライフ

島田市の暮らしデータ

人口などの統計情報

世帯数 35344世帯
人口総数 95698人
転入者数 2569人
転入率(人口1000人当たり)
26.84人
転出者数 2536人
転出率(人口1000人当たり)
26.50人
土地平均価格
住宅地
48727円/m2
商業地
53100円/m2

結婚・育児の助成金

子育て関連の独自の取り組み (1)子育て支援情報をまとめたカレンダーやポータルサイトによる発信。(2)子育てコンシェルジュの配置。(3)妊娠、出産間もない子どもを持つ母親への育児サポーター派遣。(4)子育て支援団体が連携を図るネットワーク運営。(5)育児相談、子どもの居場所作り等を実施する団体への交付金の支給。(6)児童館機能、一時託児、ファミリーサポートセンター事務局を保有する「こども館」運営。(7)子育て世代型住宅の運営。(8)全ての妊婦、子育て家庭を対象に担当保健師を配置する「島田市版ネウボラ」の導入。(9)保育料第2子半額、第3子無償(所得制限、年齢制限なし)。(10)2024年4月1日からおたふくかぜワクチン接種費用を一部助成。
出産祝い あり
公立保育所数 2所(うち0歳児保育を実施している保育所:2所)
私立保育所数 9所(うち0歳児保育を実施している保育所:9所)
保育所入所待機児童数 8人
認定こども園数 10園 預かり保育実施園数 公立:- 私立:3園
学校給食 【小学校】完全給食【中学校】完全給食
公立中学校の学校選択制 一部実施(特認校の小学校を卒業している者に限り、その特認校の学区の指定中学校を選択することができる)
子ども・学生等医療費助成<通院>対象年齢 18歳3月末まで 子ども・学生等医療費助成<入院>対象年齢 18歳3月末まで

島田市の治安・ごみ収集情報

公共料金・インフラ

ガス料金(22m3使用した場合の月額) 東海ガス株式会社5971円
島田瓦斯株式会社6116円
水道料金(口径20mmで20m3の月額) 大井上水道企業団2514円
島田市2695円
下水道料金(20m3を使用した場合の月額) 島田市2948円
下水道普及率 12.3%

安心・安全

建物火災出火件数 12件
人口10000人当たり
1.25件
刑法犯認知件数 354件
人口1000人当たり
3.70件
ハザード・防災マップ あり

医療

一般病院総数 1ヶ所
一般診療所総数 63ヶ所
小児科医師数 14人
小児人口10000人当たり
12.36人
産婦人科医師数 2人
15~49歳女性人口1万人当たり
1.19人
介護保険料基準額(月額) 5000円

ごみ

家庭ごみ収集(可燃ごみ) 無料
備考
指定ごみ袋は有料だが、袋代にごみ収集・処理料金等を含まず。
家庭ごみの分別方式 3分別16種〔可燃ごみ 不燃ごみ(小型家電リサイクル法対象品含む) 資源ごみ(古紙[新聞、ダンボール、雑誌・雑紙]、紙パック、ペットボトル、白色トレイ、空ビン[透明、茶色、その他の色のびん]、せともの・ガラス等、蛍光灯・電球、スプレー缶、使い捨てライター、乾電池)〕 拠点回収:使用済み食用油 古布類 水銀式体温計・水銀式血圧計・水銀式温度計 使用済み羽毛布団
家庭ごみの戸別収集 一部実施(ふれあい収集)
粗大ごみ収集 あり
備考
無料。戸別収集。事前申込制。ただし、50kg未満かつ、いずれかの寸法が1m以上で、自家用車に積載できないもの。
生ごみ処理機助成金制度 あり
上限金額
20000円
上限比率
33.3%

島田市の住まいの給付金

中古購入

利子補給制度 なし
補助/助成金制度 あり
上限金額
80万円
備考
【中古住宅購入奨励金】市内の中古住宅を購入する方に対して最高80万円(島田市金券含む)の奨励金を交付。加算項目として、改修分、子育て分、居住誘導区域分、移住分あり。

増築・改築・改修

利子補給制度 なし
補助/助成金制度 あり
上限金額
110万円
備考
【建築物等耐震改修促進事業費補助金】木造住宅耐震補強助成事業は1981年5月31日以前に建築された木造住宅の耐震補強工事に対し、上限90万円の補助。高齢者世帯の場合は上限110万円の補助。
暮らしデータ提供元:生活ガイド.com
※行政機関により公表していない地域及びデータがございます。東京23区以外の政令指定都市は、市全体のデータとして表示しています。
※提供データには細心の注意を払っておりますが、調査後に変更がある場合があります。 最新の情報につきましては各市区役所までお問い合わせいただくか、自治体HPなどをご確認ください。

この物件を見た人はこんな物件も見ています

OCN×ドコモ光新規お申込みで合計最大137,280円相当おトク!特典の内訳・適用条件など詳細はこちら

島田市内の各駅の住みやすさ

住宅ローンの返済額一覧

物件価格 1180万円に対して、年率 で、頭金 の場合
↓ボーナス 35年間 30年間 25年間 20年間 15年間 10年間
0万円 17,651円/月 20,344円/月 24,117円/月 29,779円/月 39,220円/月 58,106円/月
5万円 ローン不可 11,369円/月 15,250円/月 21,020円/月 30,568円/月 49,561円/月
10万円 ローン不可 ローン不可 ローン不可 ローン不可 21,917円/月 41,016円/月
15万円 ローン不可 ローン不可 ローン不可 ローン不可 ローン不可 32,471円/月
20万円 ローン不可 ローン不可 ローン不可 ローン不可 ローン不可 ローン不可
25万円 ローン不可 ローン不可 ローン不可 ローン不可 ローン不可 ローン不可
30万円 ローン不可 ローン不可 ローン不可 ローン不可 ローン不可 ローン不可
支払い利息合計 613,420円~ 527,200円~ 437,600円~ 348,960円~ 262,690円~ 175,880円~
※元利均等返済方式で試算しています。 「円」の単位以下の端数金額は「切り捨て」として計算しております。
※金利は、固定金利として計算しております。
※上記の住宅ローン返済額一覧は、あくまで試算であり、将来の金利動向により、実際のご返済額とは異なります。
※ボーナス支払総額が総支払額の50%を超えている場合、上記の表では「ローン不可」となります。
※住宅ローン返済額一覧の数値は、住宅ローンのお申し込みやご融資をお約束するものではございません。
物件を見たい、物件や住環境の詳しい情報やローン相談など、
お問い合わせ先
(株)ライフ

掲載情報の著作権は提供元企業等に帰属します。
Copyright:(C) 2025 Recruit Co., Ltd.
アプリで簡単 物件探し 大手不動産サイトの情報から一括検!プッシュ通知で物件を見逃さない
App Storeからダウンロード Google Playで手に入れよう QRコード