工場・倉庫・他 静岡県掛川市国安 掛川 収益物件・投資物件
- 情報提供元
- LIFULL HOME'S
-
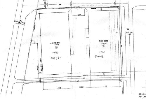
間取り
-
外観
-
外観
-
外観
-
外観
-
外観
-
外観
-
地図
-
地図
-
内装
-
内装
-
内装
-
内装
-
画像
-
前面道路
-
前面道路
-
前面道路
-
前面道路
-
前面道路
-
配置図
-
この物件が気になりましたか? 物件や周辺施設などの詳しい情報は
問合せをすることで確認できます
- お問い合わせ先
- アソシオ不動産株式会社
-
価格返済シミュレーション 24,000万円
-
表面利回り6.5%
-
種別工場・倉庫・他
-
管理費等-
-
修繕
積立金- -
年間予定収入1,560万円(想定月収 : 130万円) 周辺の家賃相場
-
建物名静岡県掛川市国安 掛川
-
住所静岡県掛川市国安 地図
-
交通東海道本線 掛川駅 徒歩15.6km
| 土地面積 | 4155m2(公簿) |
|---|---|
| 建物面積 | 2584.16m2 |
| 間取り | - |
| バルコニー面積 | - |
| 駐車場 | 有 |
| 管理形態 | - |
| 築年月 | 1989年6月(築36年7ヶ月) |
| 総戸数 | 2戸 |
| 接道状況 | 南25m公道接面65m 西8m公道 北7m公道 三方道路 |
| 私道面積 | - |
| 敷地権利 | 所有権 |
| 借地期間・地代 | - |
| 建物構造 | 鉄骨 |
| 所在階/階建て | 平屋建て |
| 都市計画 | 市街化区域 |
| 建ぺい率・容積率 | 60%・200% |
| 用途地域 | 無指定 |
| 地目 | 宅地 |
| 現況 | 賃貸中 |
| 条件等 | - |
| 引渡し | 相談 |
| 国土法 | - |
| 情報提供元 | LIFULL HOME'S [33325900000198] |
| 情報公開日 | |
| 情報更新日 | |
| 次回更新予定日 | 2025年12月9日 |
地図
表面利回り:満室時表面利回り(年)=賃料×12ヶ月/購入価格※賃料は周辺相場を元に満室時を想定して算出。利回りとは、当該不動産の1年間の予定賃料収入の不動産取得対価に対する割合であり、公租公課・共益費など、その他当該物件を維持するために必要な費用の控除する前の収入で算出しています。また、想定賃料が将来にわたり確実に得られる保証はございません。
設備など
- お問い合わせ先
- アソシオ不動産株式会社
※0037で始まる電話番号に携帯電話からお問合せいただいた方には、ショートメッセージ(SMS)によるお問合せ完了通知をお届けする場合があります。
不動産会社情報
お問い合わせ先
| 商号 | アソシオ不動産株式会社 |
|---|---|
| 免許番号 | 静岡県知事(02)第013980号 |
| 所在地 | 静岡県袋井市上山梨965-1 |
| 取引態様 | 専任媒介 |
| 管理コード | 198 |
| 所属協会など | (公社)全日本不動産協会、(各都道府県)宅地建物取引業協会 |
この地域の暮らしデータ
掛川市の人口などの統計情報
| 世帯数 | 43682世帯 |
|---|---|
| 人口総数 | 115419人 |
| 転入者数 |
4379人 転入率(人口1000人当たり) 37.94人 |
| 転出者数 |
4091人 転出率(人口1000人当たり) 35.44人 |
| 土地平均価格 |
住宅地 41508円/m2 商業地 63350円/m2 |
掛川市の結婚・育児の助成金
| 出産・子育て | |
|---|---|
| 子育て関連の独自の取り組み | (1)子育て総合案内サイト「かけっこ」及びYouTube「かけっこちゃんねる」。(2)子育てガイドブック(子育て情報発信のため、子育て専用サイトの運営や子育て施策をまとめた電子書籍を発行)。(3)子育てに優しい事業所認定事業(子育てと仕事の両立環境整備に積極的に取り組む事業所を子育てに優しい事業所として認定する)。(4)子育て世代向け認定住宅補助金事業(子育て世代向け認定住宅の新築等を行う所有者に対し、事業費の一部を補助する)。(5)市民チャレンジ公募事業(子育ての分野において、子育て支援等に取り組む団体が企画提案した内容を審査し、採択された場合に上限額の範囲内で委託契約する)。 |
| 出産祝い |
あり
|
| 公立保育所数 |
0ヶ所 0歳児保育を実施 - |
| 私立保育所数 |
9ヶ所 0歳児保育を実施 9ヶ所 |
| 保育所入所待機児童数 | 0人 |
| 認定こども園数 | 15園 |
| 預かり保育実施園数-公立 | 2園 |
| 預かり保育実施園数-私立 | - |
| 学校給食 | 【小学校】完全給食【中学校】完全給食 |
| 公立中学校の学校選択制 | 未実施 |
| 子ども・学生等医療費助成<通院>対象年齢 | 18歳3月末まで |
| 子ども・学生等医療費助成<入院>対象年齢 | 18歳3月末まで |
掛川市の治安・ごみ収集情報
| 公共料金・インフラ | |
|---|---|
| ガス料金(22m3使用した場合の月額) | 中遠ガス株式会社5978円 |
| 水道料金(口径20mmで20m3の月額) | 掛川市3299円 掛川市(大和田 簡易水道)1980円 掛川市(居尻 簡易水道)3299円 掛川市(松葉 簡易水道)2310円 掛川市(泉 簡易水道)2420円 掛川市(萩間 簡易水道)3299円 |
| 下水道料金(20m3を使用した場合の月額) | 掛川市2838円 |
| 下水道普及率 | 36.2% |
| 安心・安全 | |
| 建物火災出火件数 |
10件 人口10000人当たり 0.87件 |
| 刑法犯認知件数 |
386件 人口1000人当たり 3.36件 |
| ハザード・防災マップ | あり |
| 医療 | |
| 一般病院総数 | 3ヶ所 |
| 一般診療所総数 | 77ヶ所 |
| 小児科医師数 |
18人 小児人口10000人当たり 12.05人 |
| 産婦人科医師数 |
10人 15~49歳女性人口1万人当たり 4.69人 |
| 介護保険料基準額(月額) | 5600円 |
| ごみ | |
| 家庭ごみ収集(可燃ごみ) |
有料
|
| 家庭ごみの分別方式 | 【掛川区域】9分別11種〔可燃ごみ 不燃ごみ 乾電池 電球類 プラスチック製容器包装 びん(無色びん、茶色びん、その他色びん) かん ペットボトル 食用油〕 【大東・大須賀区域】7分別17種〔可燃ごみ プラスチック製容器包装 びん(無色びん、茶色びん、その他色びん) かん ペットボトル 食用油 不燃資源(乾電池類、電球類、小型家電、コード類、小型金物、スプレー缶、刃物類、金物のフタ類、家庭食器類)〕 |
| 家庭ごみの戸別収集 | 未実施 |
| 粗大ごみ収集 |
なし
|
| 生ごみ処理機助成金制度 |
あり 上限金額 10000円 上限比率 50.0% |
暮らしデータ提供元:生活ガイド.com
※行政機関により公表していない地域及びデータがございます。東京23区以外の政令指定都市は、市全体のデータとして表示しています。
※提供データには細心の注意を払っておりますが、調査後に変更がある場合があります。 最新の情報につきましては各市区役所までお問い合わせいただくか、自治体HPなどをご確認ください。
※提供データには細心の注意を払っておりますが、調査後に変更がある場合があります。 最新の情報につきましては各市区役所までお問い合わせいただくか、自治体HPなどをご確認ください。
家賃相場情報
東海道本線 掛川駅の家賃相場
| 間取り | 家賃相場 | |
|---|---|---|
| ワンルーム | 4.77万円 | |
| 1K・1DK | 3.83万円 | |
| 1LDK・2K・2DK | 5.06万円 | |
| 2LDK・3K・3DK | 5.98万円 | |
| 3LDK・4K・4LDK | 7.66万円 | |
住宅ローンシミュレーション
月々の返済額からの購入額の計算と、購入額からの返済額の計算ができます。
住宅ローンをお考えの方へ
最もおトクであなたにぴったりな
住宅ローンをみてみよう!




