鳥取県境港市朝日町101 境港駅 土地
188.81m2 / 境港駅
- 情報提供元
- LIFULL HOME'S
価格520万円
-
区画
-
この物件が気になりましたか? 物件や周辺施設などの詳しい情報は
問合せをすることで確認できます
- お問い合わせ先
- 株式会社ミヨシ産業 不動産部
閑静な住宅街の約57坪の売土地です。小学校・中学校へも徒歩約10分圏内の立地です!
-
価格返済シミュレーション 520万円
-
坪単価9.11万円
-
土地面積188.81m2
-
用途地域商業地域
-
建築条件なし
-
建ぺい率80%
-
容積率400%
-
住所鳥取県境港市朝日町101 地図
-
交通境線 境港駅 徒歩17分
| 土地権利 | 所有権 |
|---|---|
| 都市計画 | 市街化区域 |
| 借地期間・地代 | - |
| 私道面積 | - |
| 地目 | 宅地 |
| 接道状況 | 北西3.2m公道接面7.5m 一方道路 |
| セットバック | 有 |
| 引渡可能時期 | 相談 |
| 現況 | 更地 |
| 条件等 | |
| 情報提供元 | LIFULL HOME'S [1529270000046] |
| 情報公開日 | |
| 情報更新日 | |
| 次回更新予定日 | 2025年11月27日 |
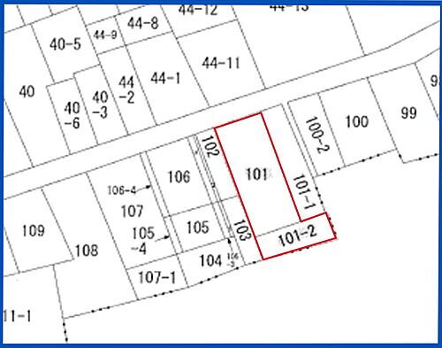
地図
設備など
省エネ性能
| エネルギー消費性能 | - |
|---|---|
| 断熱性能 | - |
| 目安光熱費 | - |
- お問い合わせ先
- 株式会社ミヨシ産業 不動産部
※0037で始まる電話番号に携帯電話からお問合せいただいた方には、ショートメッセージ(SMS)によるお問合せ完了通知をお届けする場合があります。
不動産会社情報
お問い合わせ先
商号: 株式会社ミヨシ産業 不動産部
免許番号:鳥取県知事(12)第000598号
所在地:鳥取県米子市両三柳2360-8
取引態様:一般媒介
管理コード:46
所属協会など:(公社)西日本不動産流通機構、中国地区不動産公正取引協議会、(公社)鳥取県宅地建物取引業協会 会社情報 この会社の他の物件情報を見る この不動産会社に相談したい
免許番号:鳥取県知事(12)第000598号
所在地:鳥取県米子市両三柳2360-8
取引態様:一般媒介
管理コード:46
所属協会など:(公社)西日本不動産流通機構、中国地区不動産公正取引協議会、(公社)鳥取県宅地建物取引業協会 会社情報 この会社の他の物件情報を見る この不動産会社に相談したい
※建築条件土地の情報内に掲載されている、建物プラン例は、土地購入者の設計プランの参考の一例であって、プランの採用可否は任意です。
※建築条件付き土地とは、その土地に建築する建物の建築請負契約が、一定期間内に成立することを条件として売買される土地のことをいいます。建築請負契約成立に向けて設計プランを協議するため、土地購入者が自己の希望する建物の設計協議をするために必要な相当の期間の交渉期間が設定され、その期間内で希望を満たすプランが実現できたかどうかにより結論を出します。なお、この期間は概ね3ヶ月程度とされています。納得のいくプランが出来ず、建築請負契約が成立しない場合、土地売買契約は白紙に戻り、土地契約にかかった代金(土地代金、手付金など)は名目のいかんに関わらず、全て返却されます。
※建築条件付き土地とは、その土地に建築する建物の建築請負契約が、一定期間内に成立することを条件として売買される土地のことをいいます。建築請負契約成立に向けて設計プランを協議するため、土地購入者が自己の希望する建物の設計協議をするために必要な相当の期間の交渉期間が設定され、その期間内で希望を満たすプランが実現できたかどうかにより結論を出します。なお、この期間は概ね3ヶ月程度とされています。納得のいくプランが出来ず、建築請負契約が成立しない場合、土地売買契約は白紙に戻り、土地契約にかかった代金(土地代金、手付金など)は名目のいかんに関わらず、全て返却されます。
この地域の暮らしデータ
境港市の人口などの統計情報
| 世帯数 | 13084世帯 |
|---|---|
| 人口総数 | 32696人 |
| 転入者数 |
1264人 転入率(人口1000人当たり) 38.66人 |
| 転出者数 |
1202人 転出率(人口1000人当たり) 36.76人 |
| 土地平均価格 |
住宅地 12733円/m2 商業地 17350円/m2 |
境港市の結婚・育児の助成金
| 出産・子育て | |
|---|---|
| 子育て関連の独自の取り組み | (1)ファミリーサポートセンター利用料助成(0歳児在宅育児、ひとり親、多胎児等半額助成)。(2)子育ての旅(親子関係の確立や子育ての不安の解消の一助として、日常の子育てに役立つヒント等をワークを交えて楽しく学ぶ講座)。(3)赤ちゃん登校日(赤ちゃん親子が学校に出向き児童交流する中で人間関係構築力を学ぶ)。 |
| 出産祝い |
あり
|
| 公立保育所数 |
3ヶ所 0歳児保育を実施 0ヶ所 |
| 私立保育所数 |
5ヶ所 0歳児保育を実施 5ヶ所 |
| 保育所入所待機児童数 | 0人 |
| 認定こども園数 | 3園 |
| 預かり保育実施園数-公立 | - |
| 預かり保育実施園数-私立 | 1園 |
| 学校給食 | 【小学校】完全給食【中学校】完全給食 |
| 公立中学校の学校選択制 | 未実施 |
| 子ども・学生等医療費助成<通院>対象年齢 | 18歳3月末まで |
| 子ども・学生等医療費助成<入院>対象年齢 | 18歳3月末まで |
境港市の治安・ごみ収集情報
| 公共料金・インフラ | |
|---|---|
| ガス料金(22m3使用した場合の月額) | - |
| 水道料金(口径20mmで20m3の月額) | 米子市2741円 |
| 下水道料金(20m3を使用した場合の月額) | 境港市3300円 |
| 下水道普及率 | 85.9% |
| 安心・安全 | |
| 建物火災出火件数 |
3件 人口10000人当たり 0.92件 |
| 刑法犯認知件数 |
166件 人口1000人当たり 5.07件 |
| ハザード・防災マップ | あり |
| 医療 | |
| 一般病院総数 | 2ヶ所 |
| 一般診療所総数 | 27ヶ所 |
| 小児科医師数 |
5人 小児人口10000人当たり 13.38人 |
| 産婦人科医師数 |
0人 15~49歳女性人口1万人当たり 0.00人 |
| 介護保険料基準額(月額) | 6378円 |
| ごみ | |
| 家庭ごみ収集(可燃ごみ) |
有料
|
| 家庭ごみの分別方式 | 6分別9種〔可燃ごみ 不燃ごみ 軟質プラスチック類 資源ごみビン・缶類(再生ビン、缶・雑ビン) 有害ごみ 資源ごみ古紙類(新聞紙・折込チラシ、ダンボール紙、その他紙)〕 拠点回収:資源ごみプラスチック類(ペットボトル 白色トレイ) |
| 家庭ごみの戸別収集 | 未実施 |
| 粗大ごみ収集 |
あり
|
| 生ごみ処理機助成金制度 |
なし 上限金額 - 上限比率 - |
境港市の住まいの給付金
暮らしデータ提供元:生活ガイド.com
※行政機関により公表していない地域及びデータがございます。東京23区以外の政令指定都市は、市全体のデータとして表示しています。
※提供データには細心の注意を払っておりますが、調査後に変更がある場合があります。 最新の情報につきましては各市区役所までお問い合わせいただくか、自治体HPなどをご確認ください。
※提供データには細心の注意を払っておりますが、調査後に変更がある場合があります。 最新の情報につきましては各市区役所までお問い合わせいただくか、自治体HPなどをご確認ください。
新築一戸建てからも探してみる
住宅ローンシミュレーション
月々の返済額からの購入額の計算と、購入額からの返済額の計算ができます。
住宅ローンをお考えの方へ
最もおトクであなたにぴったりな
住宅ローンをみてみよう!
お気に入りの物件を見逃さない!
プッシュ通知で最新の物件情報が届く





