群馬県前橋市石倉町3 新前橋駅 中古一戸建て・中古住宅
4LDK / 新前橋駅
- 情報提供元
- SUUMO
価格3800万円
-
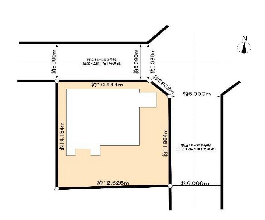
■区画図
-
■間取り図|敷地面積:174.55(約52.80坪) 建物面積:118.63(約35.89坪)
-
■外観|親戚や友人を何度でも招きたくなってしまうようなお家です( ^^ )
-
■外観|出窓を多くあしらった表情豊かな外観♪
-
■外観|穏やかな風と陽光を導き、プライバシーを考慮した設計プランを採用しました!住居性を一段と心地よくします☆
-
■外観|窓の配置や、爽やかな白がベースの外観が清潔感をもたらします。緑の植栽も映えますね。
-
■外観|ここから始まる「日常」はご家族にとってかけがえのない時間となります。
-
■外観|永く住むほどに愛着を深める、味わい豊かなデザインです。
-
■外観|角地住宅で開放的な住まいでのびのびライフを…♪
-
■外観|まっさらなキャンバスのような家にこだわりを彩って…始めよう、あなただけの豊かな暮らし
-
■外観|土日のご見学はもちろん、平日・夜間のご案内も大歓迎です♪「今から見たい」や「仕事終わりに見たい」にもご対応できますのでお気軽にお問い合わせください♪
-
■外観|閑静な住宅街で始める新しい暮らし♪開放的な毎日をあなたへ(^^♪
-
石倉保育園まで282m
-
前橋市立元総社小学校まで1700m
-
前橋市立元総社中学校まで2300m
-
業務スーパー元総社店まで1193m
-
ドラッグセイムス元総社店まで1145m
-
前橋石倉郵便局まで400m
-
群馬県庁まで1300m
-
群馬総合中央病院まで1100m
-
群馬県警察本部まで956m
-
この物件が気になりましたか? 物件や周辺施設などの詳しい情報は
問合せをすることで確認できます
- お問い合わせ先
- 木ノ葉プランニング(株)群馬営業所
\中古物件の内覧予約☆全国規模で木ノ葉プランニングが注目されています/☆木ノ葉リフォームパックご用意☆『木』水回り集中型【お風呂+キッチン+トイレ+洗面化粧台】 『ノ』見た目重視型【全居室クロス張替+エアコン+土間工事】『葉』雨漏り防止型【外壁塗装+屋根塗装など】 『木』『ノ』『葉』すべてを合わせたプランのお見積りも物件ごとに作成可能♪ ~木ノ葉プランニングは、住宅販売だけではなく購入後のリフォーム、外構工事まで社内で完結できます♪~\弊社には『きつね隊』というアフターケアの仕組みが整っています♪/リフォームなど施工後の暮らしや、緊急対応も承っております!
-
価格返済シミュレーション 3800万円
-
土地面積174.55m2(52.80坪)(登記)
-
建物面積118.63m2(35.88坪)(登記)
-
間取り4LDK
-
建物構造・規模木造2階建
-
築年月2019年9月
(築6年2ヶ月) -
駐車場有
-
物件
タイプ中古住宅 -
住所群馬県前橋市石倉町3 地図
-
交通JR両毛線 新前橋駅 徒歩15分
JR両毛線 前橋駅 徒歩28分
上毛電鉄 中央前橋駅 徒歩29分
| 私道面積 | - |
|---|---|
| 接道状況 | 東6m 北5m 二方道路 |
| 用途地域 | 2種低層 |
| 建ぺい率 / 容積率 | 70% / 200% |
| 地目 | - |
| 土地権利 | 所有権 |
| 借地期間・地代 | - |
| 都市計画 | - |
| 現況 | - |
| 引渡可能時期 | 相談 |
| 情報提供元 | SUUMO [030Z77780074] |
| 情報公開日 | |
| 情報更新日 | |
| 次回更新予定日 | 随時 |
地図
設備など
設備
| バス・トイレ | トイレ、浴室乾燥機、温水洗浄便座、風呂、トイレ2ヶ所 |
|---|---|
| キッチン | システムキッチン、対面K、IHクッキングヒータ、浄水器 |
| 収納 | 収納スペース、ウォークインクローゼット、床下収納 |
| 室内設備 | 洗面所、シャンプードレッサ、衣類乾燥機 |
| 建物設備 | バルコニー、都市ガス、庭、ルーフバルコニー、2面バルコニー、複層ガラス、省エネ給湯器 |
| 駐車場・駐輪場 | 駐車場2台分 |
| その他 | 上水道、本下水 |
備考
<物件名>石倉町3(新前橋駅) 3800万円/<駐車場>カースペース/<土地権利>所有権/<間取り>4LDK/<特徴>経済的☆都市ガス物件!■角地住宅で開放的■収納たっぷり間取り■日当たり◎、地盤調査済・年内引渡可・駐車2台可・2沿線以上利用可・土地50坪以上
販売戸数:1戸
続きを見る
販売戸数:1戸
特記事項
日当り良好・閑静な住宅街・駐車場2台分・角地・整形地・浴室1坪以上
省エネ性能
| エネルギー消費性能 | - |
|---|---|
| 断熱性能 | - |
| 目安光熱費 | - |
- お問い合わせ先
- 木ノ葉プランニング(株)群馬営業所
不動産会社情報
お問い合わせ先
商号: 木ノ葉プランニング(株)群馬営業所
免許番号:群馬県知事(1)第007955号
所在地:群馬県高崎市島野町590-2 オフィスシマノA室
TEL:027-386-8693
取引態様:一般媒介
管理コード:17820 この会社の他の物件情報を見る この不動産会社に相談したい
免許番号:群馬県知事(1)第007955号
所在地:群馬県高崎市島野町590-2 オフィスシマノA室
TEL:027-386-8693
取引態様:一般媒介
管理コード:17820 この会社の他の物件情報を見る この不動産会社に相談したい
この地域の暮らしデータ
前橋市の人口などの統計情報
| 世帯数 | 141556世帯 |
|---|---|
| 人口総数 | 329860人 |
| 転入者数 |
13057人 転入率(人口1000人当たり) 39.58人 |
| 転出者数 |
12197人 転出率(人口1000人当たり) 36.98人 |
| 土地平均価格 |
住宅地 46714円/m2 商業地 76300円/m2 |
前橋市の結婚・育児の助成金
| 出産・子育て | |
|---|---|
| 子育て関連の独自の取り組み | 市内に住所を有し、同一世帯で18歳に達する日以後の最初の3月31日までの間にある子を3人以上養育し、かつ学校給食費に未納がない人を対象に、小中学校等に在籍している第3子以降の学校給食費を無料化し、子育て世帯の経済的負担を軽減し、安心して子育てできる環境整備を図り、もって少子化対策を推進するもの。 |
| 出産祝い |
あり
|
| 公立保育所数 |
16ヶ所 0歳児保育を実施 2ヶ所 |
| 私立保育所数 |
20ヶ所 0歳児保育を実施 19ヶ所 |
| 保育所入所待機児童数 | 0人 |
| 認定こども園数 | 50園 |
| 預かり保育実施園数-公立 | 2園 |
| 預かり保育実施園数-私立 | 1園 |
| 学校給食 | 【小学校】完全給食【中学校】完全給食 |
| 公立中学校の学校選択制 | 未実施 |
| 子ども・学生等医療費助成<通院>対象年齢 | 18歳3月末まで |
| 子ども・学生等医療費助成<入院>対象年齢 | 18歳3月末まで |
前橋市の治安・ごみ収集情報
| 公共料金・インフラ | |
|---|---|
| ガス料金(22m3使用した場合の月額) | 東京瓦斯株式会社(群馬地区)3648円 |
| 水道料金(口径20mmで20m3の月額) | 前橋市2882円 |
| 下水道料金(20m3を使用した場合の月額) | 前橋市2156円 |
| 下水道普及率 | 72.0% |
| 安心・安全 | |
| 建物火災出火件数 |
61件 人口10000人当たり 1.84件 |
| 刑法犯認知件数 |
2449件 人口1000人当たり 7.37件 |
| ハザード・防災マップ | あり |
| 医療 | |
| 一般病院総数 | 18ヶ所 |
| 一般診療所総数 | 340ヶ所 |
| 小児科医師数 |
113人 小児人口10000人当たり 30.18人 |
| 産婦人科医師数 |
65人 15~49歳女性人口1万人当たり 10.66人 |
| 介護保険料基準額(月額) | 6450円 |
| ごみ | |
| 家庭ごみ収集(可燃ごみ) |
無料
|
| 家庭ごみの分別方式 | 7分別17種〔可燃ごみ 不燃ごみ プラ容器 資源ごみ(びん[無色透明のびん、茶色のびん、その他の色のびん]、缶、ペットボトル) 危険ごみ 有害ごみ 紙・衣類等(紙[新聞紙、段ボール、雑誌、紙パック、雑古紙、シュレッダーした紙]、衣類等)〕 |
| 家庭ごみの戸別収集 | 一部実施(高齢者・障害者等のうち、家族や知人の協力を得られない人で、介護認定や障害者手帳等の一定の要件を満たしている人が対象。同居人がいる場合も同じ要件を満たすこと) |
| 粗大ごみ収集 |
あり
|
| 生ごみ処理機助成金制度 |
あり 上限金額 10000円 上限比率 50.0% |
前橋市の住まいの給付金
暮らしデータ提供元:生活ガイド.com
※行政機関により公表していない地域及びデータがございます。東京23区以外の政令指定都市は、市全体のデータとして表示しています。
※提供データには細心の注意を払っておりますが、調査後に変更がある場合があります。 最新の情報につきましては各市区役所までお問い合わせいただくか、自治体HPなどをご確認ください。
※提供データには細心の注意を払っておりますが、調査後に変更がある場合があります。 最新の情報につきましては各市区役所までお問い合わせいただくか、自治体HPなどをご確認ください。
この物件を見た人はこんな物件も
見ています
住宅ローンシミュレーション
月々の返済額からの購入額の計算と、購入額からの返済額の計算ができます。
住宅ローンをお考えの方へ
最もおトクであなたにぴったりな
住宅ローンをみてみよう!
お気に入りの物件を見逃さない!
プッシュ通知で最新の物件情報が届く






