グランドゥールV B棟 ひたち野うしく駅 2LDK 賃貸(賃貸マンション・アパート)
2LDK / ひたち野うしく駅
- 情報提供元
- LIFULL HOME'S
賃料9万円 / 管理費等6000円
-
外観
-
間取り
-
【小学校】つくば市立 谷田部小学校まで5849m
-
【ファーストフード】マクドナルド 354つくば上横場店まで4660m
-
【公園】谷田部総合運動公園まで5667m
-
【ホームセンター】ケーヨーデイツーつくば店まで4980m
-
【総合病院】筑波学園病院まで2981m
-
【公民館】市民ホール谷田部まで5577m
-
【その他】谷田部野球場まで5555m
-
【郵便局】筑波谷田部郵便局まで5659m
-
シューズクローク
-
リビング
-
カウンターキッチン(IHクッキングヒーター付き)
-
北側洋室
-
一坪タイプ浴室(浴室TV付き)
-
温水洗浄便座
-
三面鏡付洗面化粧台
-
ウォークインクローゼット
-
室内物干し・エアコン
-
浴室TV
-
バルコニー
-
館銘板
-
エントランスのオートロック
-
駐車場
-
ALSOKホームセキュリティ搭載・録画機能付きTVインターホン
-
駐輪場
-
ゴミストッカー
-
眺望
-
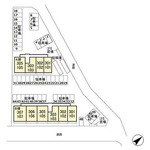
区画図
-
この物件が気になりましたか? 最新の空室状況は
問合せをすることで確認できます
- お問い合わせ先
- アパートマンション館株式会社 守谷支店
◇10000円!キャッシュバック◇サイト経由限定 11/30まで◇
-
交通常磐線 ひたち野うしく駅 徒歩4.8km
常磐線 荒川沖駅 徒歩5.0km
| 敷引・償却 | - |
|---|---|
| 更新料 | 新賃料の1ヶ月分 |
| 契約期間 | |
| カード決済 | - |
| 建物名 | グランドゥールV B棟 |
| 建物構造 | 軽量鉄骨 |
| 駐車場 | 有 無料 |
| 現況 | 居住中 |
| 入居可能時期 | 2025年12月 |
| 住宅保険 | 要 |
| 情報提供元 | LIFULL HOME'S[1137930107691] |
| 情報公開日 | |
| 情報更新日 | |
| 次回更新予定日 | 2025年11月29日 |
地図
設備など
- バス・トイレ別
- 2階以上
- ペット相談可
-
駐車場
(近隣含) -
室内洗濯機
置き場 - エアコン
- 洗面所独立
- 追焚機能
- オートロック
設備
| バス・トイレ | バス・トイレ別、シャワー、追焚機能、浴室乾燥機、温水洗浄便座 |
|---|---|
| キッチン | システムキッチン、カウンターキッチン |
| 収納 | ウォークインクローゼット |
| セキュリティ | オートロック、モニタ付インターホン、防犯カメラ |
| 室内設備 | エアコン、フローリング、シャンプードレッサ、洗面所独立、室内洗濯機置き場 |
| 建物設備 | バルコニー、プロパンガス |
| 駐車場・駐輪場 | 駐輪場 |
| テレビ・通信 | BS端子、インターネット対応 |
| その他 | 上水道、本下水 |
備考
オンライン内見実施中! 【設備・特記事項備考】専用バス・専用トイレ・浴室1.6×2.0M以上 【駐車場備考】敷地内駐車場1台付無料。2台目 月/3300円/D-roomCardキー料金 16500円/ICロック電池(初回) 2750円/保証会社の利用:加入要/保証会社費用: 初回保証料:月額賃料等合計額×100%,更新:2万円/1年 機関保証料は月額賃料等総額の3.4%+800円/月/室内清掃費用:77000円
続きを見る
特記事項
ペット相談可・最上階
省エネ性能
| エネルギー消費性能 | - |
|---|---|
| 断熱性能 | - |
| 目安光熱費 | - |
- お問い合わせ先
- アパートマンション館株式会社 守谷支店
※0037で始まる電話番号に携帯電話からお問合せいただいた方には、ショートメッセージ(SMS)によるお問合せ完了通知をお届けする場合があります。
不動産会社情報
お問い合わせ先
商号:アパートマンション館株式会社 守谷支店
免許番号:国土交通大臣(5)第5966号
所在地:茨城県守谷市大柏1005−71
TEL:0297-47-1281
取引態様:仲介
管理コード:107691
所属協会など:(公社)全日本不動産協会 会社情報 この会社の他の物件情報を見る
免許番号:国土交通大臣(5)第5966号
所在地:茨城県守谷市大柏1005−71
TEL:0297-47-1281
取引態様:仲介
管理コード:107691
所属協会など:(公社)全日本不動産協会 会社情報 この会社の他の物件情報を見る
この地域の暮らしデータ
つくば市の人口などの統計情報
| 世帯数 | 110344世帯 |
|---|---|
| 人口総数 | 255244人 |
| 転入者数 |
17886人 転入率(人口1000人当たり) 70.07人 |
| 転出者数 |
14690人 転出率(人口1000人当たり) 57.55人 |
| 土地平均価格 |
住宅地 82716円/m2 商業地 196889円/m2 |
つくば市の結婚・育児の助成金
| 出産・子育て | |
|---|---|
| 子育て関連の独自の取り組み | (1)幼児2人同乗用自転車新規購入費一部補助(上限2万円)。(2)児童自転車用ヘルメット新規購入費一部補助(上限2千円)。(3)インフルエンザ予防接種費助成(上限2千円/1回目のみ)。(4)おたふくかぜ予防接種費用助成(3千円)。(5)大人の風しん任意予防接種費助成(MRワクチンは上限5千円、風しんワクチンは上限3千円)。(6)禁煙外来助成金(自己負担分の1/2、上限1万円)。(7)妊産婦タクシー利用費助成(1回の妊娠で10回まで乗車可、上限3千円/乗車1回)。(8)出産支援運賃割引証交付(提示によりつくバス、つくタク及びつくばね号の運賃半額)。(9)新生児聴覚検査費助成(AABRは上限3千円、OAEは上限2千円)。(10)不育症検査費及び治療費助成(夫婦1組につき1回限り、上限5万円)。 |
| 出産祝い |
なし
|
| 公立保育所数 |
22ヶ所 0歳児保育を実施 16ヶ所 |
| 私立保育所数 |
52ヶ所 0歳児保育を実施 51ヶ所 |
| 保育所入所待機児童数 | 0人 |
| 認定こども園数 | 9園 |
| 預かり保育実施園数-公立 | 0園 |
| 預かり保育実施園数-私立 | 5園 |
| 学校給食 | 【小学校】完全給食【中学校】完全給食 |
| 公立中学校の学校選択制 | 未実施 |
| 子ども・学生等医療費助成<通院>対象年齢 | 18歳3月末まで |
| 子ども・学生等医療費助成<入院>対象年齢 | 18歳3月末まで |
つくば市の治安・ごみ収集情報
| 公共料金・インフラ | |
|---|---|
| ガス料金(22m3使用した場合の月額) | 東京瓦斯株式会社(東京地区等)3926円 |
| 水道料金(口径20mmで20m3の月額) | つくば市3190円 |
| 下水道料金(20m3を使用した場合の月額) | つくば市3135円 |
| 下水道普及率 | 86.3% |
| 安心・安全 | |
| 建物火災出火件数 |
56件 人口10000人当たり 2.32件 |
| 刑法犯認知件数 |
1686件 人口1000人当たり 6.98件 |
| ハザード・防災マップ | あり |
| 医療 | |
| 一般病院総数 | 11ヶ所 |
| 一般診療所総数 | 206ヶ所 |
| 小児科医師数 |
115人 小児人口10000人当たり 29.17人 |
| 産婦人科医師数 |
43人 15~49歳女性人口1万人当たり 7.49人 |
| 介護保険料基準額(月額) | 6050円 |
| ごみ | |
| 家庭ごみ収集(可燃ごみ) |
無料
|
| 家庭ごみの分別方式 | 9分別14種〔燃やせるごみ 燃やせないごみ スプレー容器 プラスチック製容器包装 カン ビン ペットボトル 古紙(新聞・チラシ、雑誌・本、雑がみ、紙パック、段ボール) 古布(中綿が入っていない衣類、毛布)〕 拠点回収:小型家電 乾電池 蛍光管 廃食用油 |
| 家庭ごみの戸別収集 | 未実施 |
| 粗大ごみ収集 |
あり
|
| 生ごみ処理機助成金制度 |
あり 上限金額 20000円 上限比率 50.0% |
暮らしデータ提供元:生活ガイド.com
※行政機関により公表していない地域及びデータがございます。東京23区以外の政令指定都市は、市全体のデータとして表示しています。
※提供データには細心の注意を払っておりますが、調査後に変更がある場合があります。 最新の情報につきましては各市区役所までお問い合わせいただくか、自治体HPなどをご確認ください。
※提供データには細心の注意を払っておりますが、調査後に変更がある場合があります。 最新の情報につきましては各市区役所までお問い合わせいただくか、自治体HPなどをご確認ください。
お気に入りの物件を見逃さない!
プッシュ通知で最新の物件情報が届く




