アプリで簡単 物件探し 通知 共有 アプリならではの機能を使ってみる
土地

神奈川県綾瀬市寺尾本町1丁目 かしわ台駅 土地

情報提供元
LIFULL HOME'S
神奈川県綾瀬市寺尾本町1丁目 かしわ台駅 土地
価格 1780万円
坪単価 49万円
交通
所在地 神奈川県綾瀬市寺尾本町1丁目周辺地図
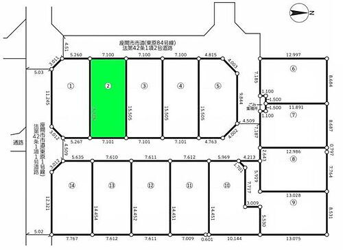
土地面積 120.23m2(公簿)
用途地域 1種中高 建築条件 なし
建ぺい率 60% 容積率 200%
おすすめポイント
小田急小田原線・相鉄線「海老名」駅までバス13分お好きなハウスメーカーで建てられます
お問い合わせ先
センチュリー21日栄産商天台店
物件を見たい、物件や住環境の詳しい情報やローン相談など、
お問い合わせ先
センチュリー21日栄産商天台店

詳細情報

価格 1780万円
土地面積 120.23m2(公簿) 坪単価 49万円
所在地 神奈川県綾瀬市寺尾本町1丁目周辺地図
交通
  • 相模鉄道本線 かしわ台駅 徒歩27分乗換案内
土地権利 所有権 都市計画 市街化区域
借地期間・地代   用途地域 1種中高
建築条件 なし 建ぺい率/容積率 60% / 200%
私道面積   地目 宅地
接道状況 北西4.6m公道 一方道路 引渡可能時期 相談
現況   条件等
情報提供元 LIFULL HOME'S [76690029126] 情報公開日
情報更新日 次回更新予定日 2025年11月25日

設備など

即引渡し可 - 1種低層地域 - 売主・代理 -
本下水 - 都市ガス - 角地 -
設備 上水道・プロパンガス・本下水
建築条件 建築条件なし
備考 【物件周辺の生活情報】
・学校
綾北小学校(704m)、綾北中学校(1,316m)
・買い物
スーパー(390m)、コンビニ(536m)
・その他施設
公園(258m)、海老名駅(3,275m)
[物件コード]040402-36872、[綾瀬市寺尾本町 売地]建築条件無し小田急小田原線・相鉄線「海老名」駅までバス13分平坦な地勢で眺望良好な理想の住まいを実現お好きなハウスメーカーで建てられます 【設備・特記事項備考】建築条件なし
地勢:平坦
国土法届出:不要
法令等制限:文化財保護法、準防火地域
特記事項  

省エネ性能

エネルギー消費性能 -
断熱性能 -
目安光熱費 -

神奈川県綾瀬市寺尾本町1丁目 周辺地図情報

地図
※地図上に表示される物件の位置は付近住所に所在することを表すものであり、実際の物件所在地とは異なる場合がございます。
   正確な物件所在地は、取扱い不動産会社にお問い合わせください。
物件を見たい、物件や住環境の詳しい情報やローン相談など、
お問い合わせ先
センチュリー21日栄産商天台店

不動産会社情報

お問い合わせ先 商号:センチュリー21日栄産商天台店
免許番号:神奈川県知事(15)第4373号
所在地:神奈川県座間市入谷東4丁目42-18グリーンコート座間1F
取引態様:媒介
管理コード:29126
所属協会など:(公社)首都圏不動産公正取引協議会、(公社)神奈川県宅地建物取引業協会
共有する
QRコード

お電話でのお問い合わせ

電話をかける(携帯・PHS可)
お問い合わせダイヤル
通話無料0037-634-07226
営業時間 09:00~19:00 (定休日:水曜日、第三火曜日)
音声案内に従って数字を入力
お問い合わせ番号
54201-2971
不動産会社につながります
不動産会社のスタッフと
直接電話で話せます。
※不動産会社がお電話に出られなかった場合、株式会社LIFULLは電話会社が提供するサービスを介してお客様の発信者番号を受領後、折り返し専用の電話番号を発番してお問合せの不動産会社に通知します(お客様の発信者番号がお問合せの不動産会社に通知されることはございません)
※光IP電話、及びIP電話からはご利用になれません
※0037で始まる電話番号に携帯電話からお問合せいただいた方には、ショートメッセージ(SMS)によるお問合せ完了通知をお届けする場合があります
物件を見たい、物件や住環境の詳しい情報やローン相談など、
お問い合わせ先
センチュリー21日栄産商天台店
※建築条件土地の情報内に掲載されている、建物プラン例は、土地購入者の設計プランの参考の一例であって、プランの採用可否は任意です。
※建築条件付き土地とは、その土地に建築する建物の建築請負契約が、一定期間内に成立することを条件として売買される土地のことをいいます。建築請負契約成立に向けて設計プランを協議するため、土地購入者が自己の希望する建物の設計協議をするために 必要な相当の期間の交渉期間が設定され、その期間内で希望を満たすプランが実現できたかどうかにより結論を出します。なお、この期間は概ね3ヶ月程度とされています。納得のいくプランが出来ず、建築請負契約が成立しない場合、土地売買契約は白紙に戻り、土地契約にかかった代金(土地代金、手付金など)は名目のいかんに関わらず、全て返却されます。

綾瀬市の暮らしデータ

人口などの統計情報

世帯数 34760世帯
人口総数 84100人
転入者数 3969人
転入率(人口1000人当たり)
47.19人
転出者数 3627人
転出率(人口1000人当たり)
43.13人
土地平均価格
住宅地
117417円/m2
商業地
158000円/m2

結婚・育児の助成金

子育て関連の独自の取り組み (1)子育て講座。(2)幼児同乗用自転車購入費補助事業。(3)ひとり親家庭等高等学校在学児童交通費等給付事業。(4)養育費確保支援事業。(5)おたふくかぜワクチン予防接種費用助成事業。
出産祝い なし
公立保育所数 2所(うち0歳児保育を実施している保育所:2所)
私立保育所数 8所(うち0歳児保育を実施している保育所:8所)
保育所入所待機児童数 9人
認定こども園数 2園 預かり保育実施園数 公立:- 私立:8園
学校給食 【小学校】完全給食【中学校】完全給食
公立中学校の学校選択制 一部実施(一部区域については地理的環境による調整を認めている)
子ども・学生等医療費助成<通院>対象年齢 18歳3月末まで 子ども・学生等医療費助成<入院>対象年齢 18歳3月末まで

綾瀬市の治安・ごみ収集情報

公共料金・インフラ

ガス料金(22m3使用した場合の月額) 東京瓦斯株式会社(東京地区等)3926円
水道料金(口径20mmで20m3の月額) 神奈川県営水道2509円
下水道料金(20m3を使用した場合の月額) 綾瀬市2470円
下水道普及率 94.5%

安心・安全

建物火災出火件数 11件
人口10000人当たり
1.31件
刑法犯認知件数 430件
人口1000人当たり
5.12件
ハザード・防災マップ あり

医療

一般病院総数 1ヶ所
一般診療所総数 30ヶ所
小児科医師数 9人
小児人口10000人当たり
8.67人
産婦人科医師数 3人
15~49歳女性人口1万人当たり
1.91人
介護保険料基準額(月額) 5693円

ごみ

家庭ごみ収集(可燃ごみ) 無料
備考
-
家庭ごみの分別方式 4分別21種〔可燃ごみ 資源物(資源となる紙、新聞、雑誌、ダンボール、廃食用油、アルミ、スチール缶、小型家電・金属類、生きびん、透明のびん、茶のびん、その他のびん、牛乳パック、スプレー缶、布類、ペットボトル、蛍光灯、電池) 無価物 プラスチック〕
家庭ごみの戸別収集 一部実施(高齢者や障がい者でごみ出しの困難な世帯が対象)
粗大ごみ収集 あり
備考
有料。戸別収集(700円/セット)。直接持込(300円/セット)。
生ごみ処理機助成金制度 あり
上限金額
50000円
上限比率
90.0%

綾瀬市の住まいの給付金

新築建築

利子補給制度 なし
補助/助成金制度 なし

新築購入

利子補給制度 なし
補助/助成金制度 なし
暮らしデータ提供元:生活ガイド.com
※行政機関により公表していない地域及びデータがございます。東京23区以外の政令指定都市は、市全体のデータとして表示しています。
※提供データには細心の注意を払っておりますが、調査後に変更がある場合があります。 最新の情報につきましては各市区役所までお問い合わせいただくか、自治体HPなどをご確認ください。
OCN×ドコモ光新規お申込みで合計最大137,280円相当おトク!特典の内訳・適用条件など詳細はこちら

住宅ローンの返済額一覧

物件価格 1780万円に対して、年率 で、頭金 の場合
↓ボーナス 35年間 30年間 25年間 20年間 15年間 10年間
0万円 33,226円/月 38,296円/月 45,397円/月 56,055円/月 73,825円/月 109,377円/月
5万円 24,141円/月 29,320円/月 36,531円/月 47,296円/月 65,174円/月 100,832円/月
10万円 ローン不可 20,344円/月 27,664円/月 38,538円/月 56,522円/月 92,287円/月
15万円 ローン不可 ローン不可 ローン不可 29,779円/月 47,871円/月 83,742円/月
20万円 ローン不可 ローン不可 ローン不可 ローン不可 39,220円/月 75,197円/月
25万円 ローン不可 ローン不可 ローン不可 ローン不可 ローン不可 66,652円/月
30万円 ローン不可 ローン不可 ローン不可 ローン不可 ローン不可 58,106円/月
支払い利息合計 1,158,700円~ 992,560円~ 824,400円~ 659,440円~ 494,890円~ 331,460円~
※元利均等返済方式で試算しています。 「円」の単位以下の端数金額は「切り捨て」として計算しております。
※金利は、固定金利として計算しております。
※上記の住宅ローン返済額一覧は、あくまで試算であり、将来の金利動向により、実際のご返済額とは異なります。
※ボーナス支払総額が総支払額の50%を超えている場合、上記の表では「ローン不可」となります。
※住宅ローン返済額一覧の数値は、住宅ローンのお申し込みやご融資をお約束するものではございません。
物件を見たい、物件や住環境の詳しい情報やローン相談など、
お問い合わせ先
センチュリー21日栄産商天台店
掲載情報の著作権は提供元企業等に帰属します。
Copyright:(C) 2025 LIFULL Co.,Ltd.
アプリで簡単 物件探し 大手不動産サイトの情報から一括検!プッシュ通知で物件を見逃さない
App Storeからダウンロード Google Playで手に入れよう QRコード